На данном сайте содержится информация о деятельности Администрации городского округа «Город Архангельск» по состоянию на 31.12.2025.
Актуальная информация размещается https://arhcity.gosuslugi.ru/
Изъятие земельных участков для муниципальных нужд
Сообщение о планируемом изъятии земельного участка для муниципальных нужд по адресу: г. Архангельск, ул. Вычегодская, д. 5.

1. Цель изъятия земельного участка для муниципальных нужд – изъятие земельного участка в связи с признанием многоквартирного жилого дома № 5 по ул. Вычегодской в г. Архангельске аварийным и подлежащим сносу.
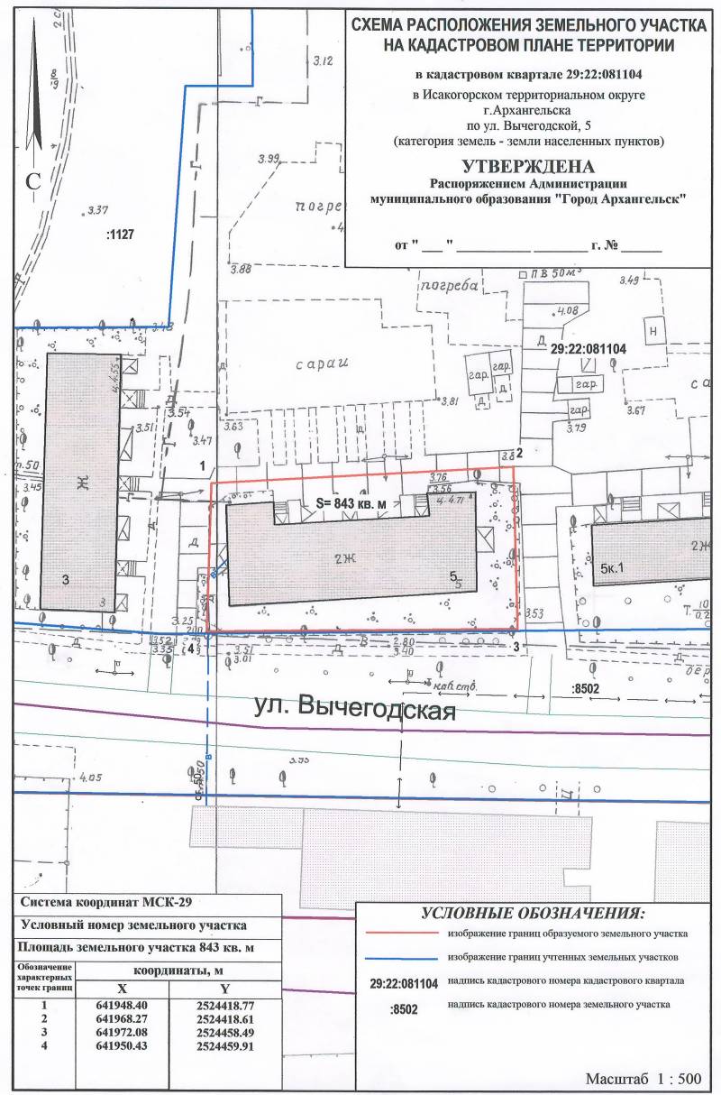
2. Адрес месторасположения земельного участка: г. Архангельск, ул. Вычегодская, д. 5. Данный земельный участок расположен в кадастровом квартале 29:22:081104. Планируемая к утверждению схема расположения земельного участка:

На данном земельном участке расположены следующие объекты недвижимости:
ул. Вычегодская, д. 5, кв. 1, кадастровый номер 29:22:081104:550;
ул. Вычегодская, д. 5, кв. 2, кадастровый номер 29:22:081104:547;
ул. Вычегодская, д. 5, кв. 3, кадастровый номер 29:22:081104:549;
ул. Вычегодская, д. 5, кв. 4, кадастровый номер 29:22:081104:544;
ул. Вычегодская, д. 5, кв. 5, кадастровый номер 29:22:081104:545;
ул. Вычегодская, д. 5, кв. 6, кадастровый номер 29:22:081104:546;
ул. Вычегодская, д. 5, кв. 8, кадастровый номер 29:22:081104:548.
3. Получить информацию о предполагаемом изъятии земельного участка, указанного в п. 1 настоящего сообщения, и расположенных на нем объектов недвижимого имущества для муниципальных нужд, а также подать заявления об учете прав на земельный участок и иные объекты недвижимого имущества, заинтересованные лица могут по адресу: г. Архангельск, пл. В.И. Ленина, д. 5, каб. 518а, тел.(8182) 607-468. Заявление на подачу информации может быть подано заинтересованными лицами в течение 60 дней с момента опубликования настоящего сообщения.
4. Официальный сайт Администрации муниципального образования "Город Архангельск", где размещено настоящее сообщение - www.arhcity.ru. Также настоящее сообщение размещено на информационном стенде, расположенном по адресу: г. Архангельск, пл. В.И. Ленина, д. 5, каб. 423, и в газете "Архангельск - город воинской славы".
5. Уполномоченный орган местного самоуправления, осуществляющий выявление лиц, земельный участок которых подлежит изъятию для муниципальных нужд – Администрация муниципального образования "Город Архангельск" в лице департамента муниципального имущества Администрации муниципального образования "Город Архангельск".
 

Скоро что то будет...
Оцените полезность информации:
Дата публикации документа: 16.06.2020 10:13:55
Последнее изменение: 16.06.2020 10:13:55
Навигация по разделу

Решаем вместе
Не убран мусор, яма на дороге, не горит фонарь? Столкнулись с проблемой — сообщите о ней!