Актуальная информация размещается https://arhcity.gosuslugi.ru/
ГЛАВА ГОРОДСКОГО ОКРУГА
"ГОРОД АРХАНГЕЛЬСК"
РАСПОРЯЖЕНИЕ
от 13 мая 2021 г. № 1731р
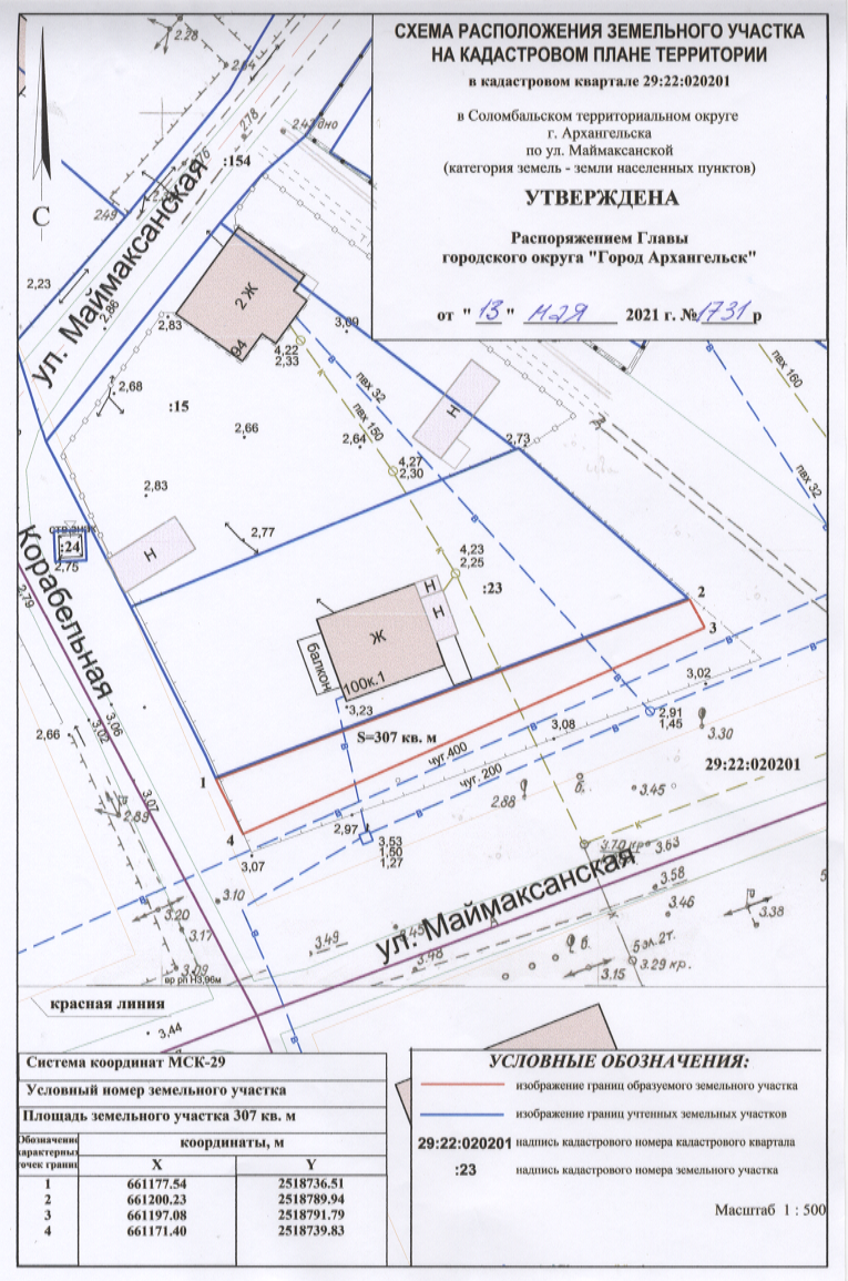
О предоставлении разрешения на условно разрешенный вид использования земельного участка, расположенного в Соломбальском территориальном округе г.Архангельска по улице Маймаксанской,
об утверждении схемы расположения земельного участка
В соответствии с Градостроительным кодексом Российской Федерации, приказом Росреестра от 10 ноября 2020 года № П/0412 "Об утверждении классификатора видов разрешенного использования земельных участков", Правилами землепользования и застройки городского округа "Город Архангельск", утвержденными постановлением министерства строительства и архитектуры Архангельской области от 29 сентября 2020 года № 68-п:
1. Предоставить разрешение на условно разрешенный вид использования земельного участка площадью 307 кв. м в кадастровом квартале 29:22:020201, расположенного в Соломбальском территориальном округе г. Архангельска по улице Маймаксанской:
"ведение огородничества: размещение хозяйственных построек, не являющихся объектами недвижимости, предназначенных для хранения инвентаря и урожая сельскохозяйственных культур" (код (числовое обозначение) вида разрешенного использования земельного участка по классификатору видов разрешенного использования земельных участков, утвержденному приказом Росреестра от 10 ноября 2020 года № П/0412 "Об утверждении классификатора видов разрешенного использования земельных участков", - 13.1).
2. Утвердить схему расположения земельного участка площадью 307 кв. м в кадастровом квартале 29:22:020201, расположенного в Соломбальском территориальном округе г. Архангельска по улице Маймаксанской, в границах территориальной зоны застройки индивидуальными жилыми домами Ж1 согласно Правилам землепользования и застройки городского округа "Город Архангельск" (категория земель – земли населенных пунктов) с видом разрешенного использования "ведение огородничества: размещение хозяйственных построек, не являющихся объектами недвижимости, предназначенных для хранения инвентаря".
3. Предоставить Вострякову Андрею Владимировичу права на обращение без доверенности с заявлением о государственном кадастровом учете образуемого земельного участка.
Исполняющий обязанности
Главы городского округа
"Город Архангельск" Д.В. Шапошников
Последнее изменение: 21.05.2021 14:10:12
- Публичные слушания по вопросам предоставления разрешений на условно разрешенный вид использования земельного участка и на отклонение от предельных параметров разрешенного строительства, реконструкции объектов капстроительства
- Распоряжение от 29 декабря 2025 г. № 6687р "О предоставлении разрешения на отклонение от предельных параметров разрешенного строительства объекта капитального строительства (общественно-административный комплекс) на земельном участке, расположенном в территориальном округе Варавино-Фактория г. Архангельска на пересечении проспекта Ленинградского и улицы Папанина"
- Распоряжение от 25 декабря 2025 г. № 6632р "Об отказе в предоставлении разрешения на условно разрешенный вид использования земельного участка, расположенного в Соломбальском территориальном округе г. Архангельска по улице Александра Петрова"
- Распоряжение от 25 декабря 2025 г. № 6631р "О предоставлении разрешения на условно разрешенный вид использования земельного участка, расположенного в территориальном округе Майская горка г. Архангельска по улице Дружбы, об утверждении схемы расположения земельного участка"
- Распоряжение от 25 декабря 2025 г. № 6634р "О предоставлении разрешения на условно разрешенный вид использования земельного участка, расположенного в территориальном округе Варавино-Фактория г. Архангельска по улице Кривоборской"
- Распоряжение от 25 декабря 2025 г. № 6633р "О предоставлении разрешения на условно разрешенный вид использования земельного участка, расположенного в Ломоносовском территориальном округе г. Архангельска по улице Коммунальной"
- Распоряжение от 17 декабря 2025 г. № 6441р "Об установлении соответствия вида разрешенного использования земельного участка, расположенного в Соломбальском территориальном округе г. Архангельска по ул. Приморской"
- Распоряжение от 12 декабря 2025 г. № 6346р "Об установлении соответствия вида разрешенного использования земельных участков, расположенных в Октябрьском территориальном округе г. Архангельска по проспекту Ломоносова"
- Распоряжение от 09 декабря 2025 г. № 6275р "Об установлении соответствия вида разрешенного использования земельного участка, расположенного в Ломоносовском территориальном округе г. Архангельска по ул. Воскресенской", от 17 декабря 2025 г. № 6443р "О внесении изменения в распоряжение Главы городского округа "Город Архангельск" от 09 декабря 2025 года № 6275р"
- Распоряжениеот 04 декабря 2025 г. № 6196р "Об установлении соответствия вида разрешенного использования земельного участка, расположенного в Соломбальском территориальном округе г. Архангельска по ул. Кемской"
- Распоряжение от 27 ноября 2025 г. № 6015р "О предоставлении разрешения на условно разрешенный вид использования земельного участка, расположенного в Северном территориальном округе г. Архангельска по улице Побережной, об утверждении схемы расположения земельного участка"
- Распоряжение от 27 ноября 2025 г. № 6013р "О предоставлении разрешения на условно разрешенный вид использования земельного участка, расположенного в Соломбальском территориальном округе г. Архангельска по улице Приморской, об утверждении схемы расположения земельного участка"
- Распоряжение от 27 ноября 2025 г. № 6014р "О предоставлении разрешения на условно разрешенный вид использования земельного участка, расположенного в Соломбальском территориальном округе г. Архангельска по улице Малой, об утверждении схемы расположения земельного участка"
- Распоряжение от 27 ноября 2025 г. № 6012р "Об отказе в предоставлении разрешения на условно разрешенный вид использования земельного участка, расположенного в поселке Боры городского округа "Город Архангельск" по улице Боры, в утверждении схемы расположения земельного участка"
- Распоряжение от 27 ноября 2025 г. № 6020р "О предоставлении разрешения на условно разрешенный вид использования земельного участка, расположенного в Октябрьском территориальном округе г. Архангельска по улице Воскресенской"
- Распоряжение от 27 ноября 2025 г. № 6021р "О предоставлении разрешения на условно разрешенный вид использования земельного участка, расположенного в Соломбальском территориальном округе г. Архангельска по улице Беломорской флотилии"
- Распоряжение от 27 ноября 2025 г. № 6019р "О предоставлении разрешения на условно разрешенный вид использования земельного участка, расположенного в Маймаксанском территориальном округе г. Архангельска по улице Михаила Новова, об утверждении схемы расположения земельного участка"
- Распоряжение от 27 ноября 2025 г.№ 6023р "Об отказе в предоставлении разрешения на отклонение от предельных параметров реконструкции капитального строительства (малоэтажный многоквартирный жилой дом) на земельном участке, расположенном в Октябрьском территориальном округе г. Архангельска по просп. Новгородскому"
- Распоряжение от 27 ноября 2025 г. № 6022р "Об отказе в предоставлении разрешения на отклонение от предельных параметров реконструкции капитального строительства (малоэтажный многоквартирный жилой дом) на земельном участке, расположенном в Октябрьском территориальном округе г. Архангельска по просп. Новгородскому"
- Распоряжение от 07 ноября 2025 г. № 5598р "Об отказе в предоставлении разрешения на условно разрешенный вид использования земельного участка, расположенного в Маймаксанском территориальном округе г. Архангельска по улице Междуречье переулок 3-й, в утверждении схемы расположения земельного участка"
- Распоряжение от 07 ноября 2025 г. № 5600р "Об отказе в предоставлении разрешения на условно разрешенный вид использования земельного участка, расположенного в Маймаксанском территориальном округе г. Архангельска по улице Набережной, в утверждении схемы расположения земельного участка"
- Распоряжение от 07 ноября 2025 г. № 5597р "О предоставлении разрешения на условно разрешенный вид использования земельного участка, расположенного в Маймаксанском территориальном округе г. Архангельска по улице Анощенкова А.И., об утверждении схемы расположения земельного участка"
- Распоряжение от 07 ноября 2025 г. № 5599р "О предоставлении разрешения на условно разрешенный вид использования земельного участка, об утверждении схемы расположения земельного участка, о предоставлении разрешения на отклонение от предельных параметров разрешенного строительства объекта капитального строительства (индивидуальный жилой дом) на земельном участке, расположенном в Исакогорском территориальном г. Архангельска по улице Караванной"
- Распоряжение от 07 ноября 2025 г. № 5601р "О предоставлении разрешения на отклонение от предельных параметров разрешенного строительства объекта капитального строительства (индивидуальный жилой дом) на земельном участке, расположенном Цигломенском территориальном округе г. Архангельска по тер. ТСН Малое Никольское"
- Распоряжение от 10 ноября 2025 г. № 5677р "Об установлении соответствия вида разрешенного использования земельного участка, расположенного в Ломоносовском территориальном округе г. Архангельска по проспекту Московскому"
- Распоряжение от 07 ноября 2025 г. № 5619р "О предоставлении разрешения на условно разрешенный вид использования земельного участка, расположенного в Соломбальском территориальном округе г. Архангельска по улице Полярной"
- Распоряжение от 8 октября 2025 г. № 4843р "О предоставлении разрешения на отклонение от предельных параметров реконструкции объекта капитального строительства (реконструкция комплекса канализационных очистных сооружений пос. Цигломень) на земельных участках, расположенных в Цигломенском территориальном округе г. Архангельска по ул. Второй рабочий квартал"
- Распоряжение от 6 октября 2025 г. № 4791р "Об установлении соответствия вида разрешенного использования земельного участка, расположенного в Исакогорском территориальном округе г. Архангельска по улице Локомотивной"
- Распоряжение от 6 октября 2025 г. № 4794р "О предоставлении разрешения на отклонение от предельных параметров разрешенного строительства объекта капитального строительства (многоквартирный жилой дом) на земельном участке, расположенном в территориальном округе Майская горка г. Архангельска по проспекту Московскому"
- Распоряжение от 6 октября 2025 г. № 4787р "О предоставлении разрешения на отклонение от предельных параметров разрешенного строительства объекта капитального строительства (универсальный общетоварный склад) на земельном участке, расположенном в Соломбальском территориальном округе г. Архангельска по ул. Маяковского"
- Распоряжение от 6 октября 2025 г. № 4785р "Об отказе в предоставлении разрешения на отклонение от предельных параметров разрешенного строительства объекта капитального строительства (склад) на земельном участке, расположенном в территориальном округе Майская горка г. Архангельска по ул. Дачной"
- Распоряжение от 6 октября 2025 г. № 4786р "О предоставлении разрешения на условно разрешенный вид использования земельного участка, расположенного в Исакогорском территориальном округе г. Архангельска по улице Лесозаводской, об утверждении схемы расположения земельного участка"
- Распоряжение от 6 октября 2025 г. № 4788р "О предоставлении разрешения на условно разрешенный вид использования земельного участка, расположенного в поселке Боры городского округа "Город Архангельск" по улице Боры, об утверждении схемы расположения земельного участка"
- Распоряжение от 6 октября 2025 г. № 4789р "Об отказе в предоставлении разрешения на условно разрешенный вид использования земельного участка, расположенного в территориальном округе Варавино-Фактория г. Архангельска г. Архангельска по переулку Конецгорскому, в утверждении схемы расположения земельного участка"
- Распоряжение от 6 октября 2025 г. № 4790р "О предоставлении разрешения на условно разрешенный вид использования земельного участка, расположенного в Октябрьском территориальном округе г. Архангельска по проспекту Ломоносова"
- Распоряжение от 15 сентября 2025 г. № 4380р "О предоставлении разрешения на условно разрешенный вид использования земельных участков, расположенных в Маймаксанском территориальном округе г. Архангельска по ул. Кольцевой, об утверждении схем расположения земельных участков"
- Распоряжение от 12 сентября 2025 г. № 4356р "О предоставлении разрешения на условно разрешенный вид использования земельного участка, расположенного в Маймаксанском территориальном округе г. Архангельска по ул. Кольцевой, об утверждении схемы расположения земельного участка"
- Распоряжение от 12 сентября 2025 г. № 4357р "О предоставлении разрешения на отклонение от предельных параметров строительства объекта капитального строительства (гараж) на земельном участке, расположенном в Ломоносовском территориальном округе г. Архангельска по улице Нагорной"
- Распоряжение от 12 сентября 2025 г. № 4360р "О предоставлении разрешения на условно разрешенный вид использования земельного участка, расположенного в Исакогорском территориальном округе г. Архангельска по ул. Адмирала Макарова, об утверждении схемы расположения земельного участка"
- Распоряжение от 12 сентября 4361р № 4361р "О предоставлении разрешения на условно разрешенный вид использования земельного участка, расположенного в Маймаксанском территориальном округе г. Архангельска по улице Победы, об утверждении схемы расположения земельного участка"
- Распоряжение от 12 сентября 2025 г. № 4359р "О предоставлении разрешения на отклонение от предельных параметров реконструкции объекта капитального строительства (индивидуальный жилой дом) на земельном участке, расположенном в Соломбальском территориальном округе г. Архангельска по улице Заполярной"
- Распоряжение от 12 сентября 2025 г. № 4358р "Об отказе в предоставлении разрешения на условно разрешенный вид использования земельного участка, расположенного в Маймаксанском территориальном округе г. Архангельска по ул. Юности"
- Распоряжение от 11 сентября 2025 г. № 4333р "О внесении изменения в распоряжение Главы городского округа "Город Архангельск" от 5 июня 2025 года № 2633р"
- Распоряжение от 8 сентября 2025 года № 4264р "Об установлении соответствия вида разрешенного использования земельного участка, расположенного в Соломбальском территориальном округе г. Архангельска, линия Расчалка 1-я"
- Распоряжение от 13 августа 2025 г. № 3860р "О предоставлении разрешения на условно разрешенный вид использования земельного участка, расположенного в Соломбальском территориальном округе г. Архангельска по ул. Новоземельской"
- Распоряжение от 7 августа 2025 г. № 3742р "О внесении изменения в распоряжение Главы городского округа "Город Архангельск" от 1 августа 2025 года № 3687р"
- Распоряжение от 7 августа 2025 г. № 3741р "О внесении изменения в распоряжение Главы городского округа "Город Архангельск" от 1 августа 2025 года № 3685р"
- Распоряжение от 1 августа 2025 г. № 3687р "О предоставлении разрешения на условно разрешенный вид использования земельного участка, расположенного в территориальном округе Майская горка г. Архангельска по улице Пинежской, об утверждении схемы расположения земельного участка"
- Распоряжение от 1 августа 2025 г. № 3684р "О предоставлении разрешения на условно разрешенный вид использования земельного участка, расположенного в Цигломенском территориальном округе г. Архангельска по улице Комбинатовской, об утверждении схемы расположения земельного участка"
- Распоряжение от 1 августа 2025 г. № 3686р "О предоставлении разрешения на условно разрешенный вид использования земельного участка, расположенного в Северном территориальном округе г. Архангельска по улице Побережной, об утверждении схемы расположения земельного участка"
- Распоряжение от 1 августа 2025 г. № 3685р "О предоставлении разрешения на условно разрешенный вид использования земельного участка, расположенного в территориальном округе Майская горка г. Архангельска по улице Пинежской, об утверждении схемы расположения земельного участка"
- Распоряжение от 1 августа 2025 г. № 3676р "Об отказе в предоставлении разрешения на отклонение от предельных параметров реконструкции объекта капитального строительства (здание магазина в здание делового управления) на земельном участке, расположенном в Октябрьском территориальном округе г. Архангельска по просп. Обводный канал"
- Распоряжение от 11 июля 2025 г. № 3304р "Об установлении соответствия вида разрешенного использования земельного участка, расположенного в Маймаксанском территориальном округе г. Архангельска по ул. Юности"
- Распоряжение от 11 июля 2025 г. № 3303р "Об установлении соответствия вида разрешенногоиспользования земельного участка, расположенного в Октябрьском территориальном округе г. Архангельска по улице Пустозерской"
- Распоряжение от 14 июля 2025 г. № 3356р "О предоставлении разрешения на отклонение от предельных параметров разрешенного строительства объекта капитального строительства (производственное и административное здание) на земельном участке, расположенном в территориальном округе Варавино-Фактория г. Архангельска по ул. Революции"
- Распоряжение от 10 июля 2025 г. № 3294р "О предоставлении разрешения на отклонение от предельных параметров разрешенного строительства объекта капитального строительства (индивидуальный жилой дом), расположенного в Соломбальском территориальном округе по ул. Шилова, об утверждении схемы расположения земельного участка"
- Распоряжение от 10 июля 2025 г. № 3293р "О предоставлении разрешения на отклонение от предельных параметров разрешенного строительства объекта капитального строительства (многоэтажный жилой дом) на земельном участке, расположенном в Ломоносовском территориальном округе г. Архангельска по ул. Красноармейской"
- Распоряжение от 10 июля 2025 г. № 3292р "О предоставлении разрешения на условно разрешенный вид использования земельных участков, расположенных в территориальном округе Майская горка г. Архангельска с кадастровыми номерами 29:22:060703:1156 и 29:22:060703:1348"
- Распоряжение от 10 июля 2025 г. № 3291р "О предоставлении разрешения на условно разрешенный вид использования земельного участка, расположенного в поселке Лесная речка г. Архангельска по Лахтинскому шоссе, об утверждении схемы расположения земельного участка"
- Распоряжение от 10 июля 2025 г. № 3282р "Об отказе в предоставлении разрешения на условно разрешенный вид использования земельного участка, расположенного в Ломоносовском территориальном округе г. Архангельска по проспекту Ленинградскому"
- Распоряжение от 10 июля 2025 г. № 3281р "О предоставлении разрешения на отклонение от предельных параметров разрешенного строительства объекта капитального строительства (многоэтажный жилой дом) на земельном участке, расположенном в Ломоносовском территориальном округе г. Архангельска по ул. Красноармейской"
- Распоряжение от 10 июля 2025 г. № 3280р "О предоставлении разрешения на условно разрешенный вид использования земельного участка, расположенного в Цигломенском территориальном округе г. Архангельска по улице Цигломенской"
- Распоряжениеот 10 июля 2025 г. № 3279р "О предоставлении разрешения на условно разрешенный вид использования земельного участка, расположенного в территориальном округе Варавино-Фактория г. Архангельска тер. КИЗ Силикат 1-я линия, об утверждении схемы расположения земельного участка"
- Распоряжение 10 июля 2025 г. № 3278р "О предоставлении разрешения на условно разрешенный вид использования земельного участка, расположенного в Маймаксанском территориальном округе г. Архангельска по улице Дальней, об утверждении схемы расположения земельного участка"
- Распоряжение от 10 июля 2025 г. № 3277р "О предоставлении разрешения на отклонение от предельных параметров разрешенного строительства объекта капитального строительства (газовая котельная) на земельном участке, расположенном в поселке Турдеевск городского округа "Город Архангельск" по улице Таежной"
- Распоряжение от 10 июля 2025 г. № 3275р "О предоставлении разрешения на отклонение от предельных параметров разрешенного строительства объекта капитального строительства (индивидуальный жилой дом), расположенного в территориальном округе Варавино-Фактория по проспекту Ленинградскому"
- Распоряжение от 10 июля 2025 г. № 3274р "О предоставлении разрешения на условно разрешенный вид использования земельного участка, расположенного в территориальном округе Варавино-Фактория г. Архангельска тер. КИЗ Силикат 1-я линия, об утверждении схемы расположения земельного участка"
- Распоряжение от 5 июня 2025 г. № 2633р "О предоставлении разрешения на условно разрешенный вид использования земельных участков, расположенных в Ломоносовском территориальном округе г. Архангельска по набережной Северной Двины"
- Распоряжение от 5 июня 2025 г. № 2632р "О предоставлении разрешения на отклонение от предельных параметров разрешенного строительства объекта капитального строительства (индивидуальный жилой дом) на земельном участке, расположенном в территориальном округе Варавино – Фактория г. Архангельска по ул. Октябрьской"
- Распоряжение от 5 июня 2025 г. № 2631р "О предоставлении разрешения на условно разрешенный вид использования земельного участка, расположенного в территориальном округе Майская горка г. Архангельска по улице Донской, об утверждении схемы расположения земельного участка"
- Распоряжение от 5 июня 2025 г. № 2630р "О предоставлении разрешения на условно разрешенный вид использования земельных участков, расположенных в г. Архангельске, об утверждении схем расположения земельных участков"
- Распоряжение от 5 июня 2025 г. № 2629р "О предоставлении разрешения на условно разрешенный вид использования земельного участка, расположенного в Соломбальском территориальном округе г. Архангельска по ул. Адмирала Кузнецова"
- Распоряжение от 5 июня 2025 г. № 2628р "О предоставлении разрешения на условно разрешенный вид использования земельных участков, расположенных в территориальном округе Майская горка г. Архангельска по ул. Ленина"
- Распоряжение от 5 июня 2025 г. № 2627р "О предоставлении разрешения на условно разрешенный вид использования земельного участка, расположенного в Ломоносовском территориальном округе г. Архангельска по проспекту Дзержинского"
- Распоряжение от 5 июня 2025 г. № 2626р "Об отказе в предоставлении разрешения на условно разрешенный вид использования земельного участка, расположенного в Северном территориальном округе г. Архангельска по улице Партизанской"
- Распоряжение от 5 июня 2025 г. № 2625р "Об отказе в предоставлении разрешения на отклонение от предельных параметров разрешенного строительства объекта капитального строительства (индивидуальный жилой дом, гараж) на земельном участке, расположенном в Ломоносовском территориальном округе г. Архангельска по ул. Учительской"
- Распоряжение от 5 июня 2025 г. № 2624р "О предоставлении разрешения на условно разрешенный вид использования земельного участка, расположенного в Маймаксанском территориальном округе г. Архангельска по улице Дальней"
- Распоряжение от 5 июня 2025 г. № 2623р "О предоставлении разрешения на условно разрешенный вид использования земельного участка, расположенного в Маймаксанском территориальном округе г. Архангельска по улице Дальней, об утверждении схемы расположения земельного участка"
- Распоряжение от 5 июня 2025 г. № 2622р "О предоставлении разрешения на отклонение от предельных параметров разрешенного строительства объекта капитального строительства (индивидуальный жилой дом) на земельном участке, расположенном в Соломбальском территориальном округе г. Архангельска по ул. Шилова, об утверждении схемы расположения земельного участка"
- Распоряжение от 29 мая 2025 г. № 2524р "Об установлении соответствия вида разрешенного использования земельного участка, расположенного в Соломбальском территориальном округе г. Архангельска по ул. Александра Петрова"
- Распоряжение т 29 мая 2025 г. № 2514р "Об установлении соответствия вида разрешенного использования земельного участка, расположенного в Соломбальском территориальном округе г. Архангельска по ул. Александра Петрова"
- Распоряжение от 26 мая 2025 г. № 2455р "Об установлении соответствия вида разрешенного использования земельного участка, расположенного в территориальном округе Варавино – Фактория г. Архангельска по проспекту Ленинградскому"
- Распоряжение от 16 мая 2025 г. № 2294р "Об установлении соответствия вида разрешенного использования земельного участка, расположенного в Соломбальском территориальном округе г. Архангельска по переулку Банному 2 – му"
- Распоряжение от 20 мая 2025 г. № 2357р "Об установлении соответствия вида разрешенного использования земельного участка, расположенного в Ломоносовском территориальном округе г. Архангельска по ул. Шабалина А.О."
- Распоряжение от 20 мая 2025 № 2340р "О предоставлении разрешения на условно разрешенный вид использования земельного участка, расположенного в Северном территориальном округе г. Архангельска по ул. Красных маршалов"
- Распоряжение от 21 апреля 2025 г. № 1891р "О предоставлении разрешения на отклонение от предельных параметров разрешенного строительства объекта капитального строительства (многоквартирный жилой дом) на земельных участках, расположенных в Северном территориальном округе г. Архангельска по ул. Красных маршалов, ул. Тельмана"
- Распоряжение от 21 апреля 2025 г. № 1890р "О предоставлении разрешения на отклонение от предельных параметров разрешенного строительства объекта капитального строительства (многоквартирный жилой дом) на земельном участке, расположенном в Северном территориальном округе г. Архангельска по ул. Орджоникидзе"
- Распоряжение от 21 апреля 2025 г. № 1889р "О предоставлении разрешения на отклонение от предельных параметров разрешенного строительства объекта капитального строительства (многоквартирный жилой дом) на земельном участке, расположенном в Северном территориальном округе г. Архангельска по ул. Ильича"
- Распоряжение от 17 апреля 2025 г. № 1845р "О предоставлении разрешения на условно разрешенный вид использования земельного участка, расположенного в территориальном округе Варавино-Фактория г. Архангельска по улице Большой Юрасской, об утверждении схемы расположения земельного участка"
- Распоряжение от 17 апреля 2025 г. № 1842р "О предоставлении разрешения на условно разрешенный вид использования земельного участка, расположенного в Соломбальском территориальном округе г. Архангельска по ул. Столбовой"
- Распоряжение от 17 апреля 2025 г. № 1823р "О предоставлении разрешения на условно разрешенный вид использования земельного участка, расположенного в Цигломенском территориальном округе г. Архангельска по ул. Цигломенской"
- Распоряжениеот 17 апреля 2025 г. № 1822р "О предоставлении разрешения на условно разрешенный вид использования земельного участка, расположенного в Ломоносовском территориальном округе г. Архангельска по ул. Павла Усова"
- Распоряжение от 17 апреля 2025 г. № 1821р "О предоставлении разрешения на условно разрешенный вид использования земельного участка, расположенного в Маймаксанском территориальном округе г. Архангельска по улице Полярной звезды, об утверждении схемы расположения земельного участка"
- Распоряжение от 17 апреля 2025 г. № 1820р "О предоставлении разрешения на отклонение от предельных параметров разрешенного строительства объекта капитального строительства (магазин) на земельном участке, расположенном в городском округе "Город Архангельск", посёлок Лесная речка по Лахтинскому шоссе"
- Распоряжение от 15 апреля № 1791р "Об отказе в предоставлении разрешения на отклонение от предельных параметров реконструкции объекта капитального строительства (индивидуальный жилой дом) на земельном участке, расположенном в Ломоносовском территориальном округе г. Архангельска по ул. Вельской"
- Распоряжениеот 15 апреля 2025 г. № 1790р "О предоставлении разрешения на условно разрешенный вид использования земельного участка, расположенного в Октябрьском территориальном округе г. Архангельска по ул. КЛДК, об утверждении схемы расположения земельного участка"
- Распоряжение от 15 апреля 2025 г. № 1789р "Об отказе в предоставлении разрешения на отклонение от предельных параметров разрешенного строительства объекта капитального строительства (многоквартирный жилой дом) на земельном участке, расположенном в территориальном округе Майская горка г. Архангельска по проспекту Московскому"
- Распоряжение от 24 марта 2025 г. № 1347р "О предоставлении разрешения на отклонение от предельных параметров разрешенного строительства объекта капитального строительства (индивидуальный жилой дом) на земельном участке, расположенном в Исакогорском территориальном округе г. Архангельска, территория КИЗ Собор"
- Распоряжение от 19 марта 2025 г. № 1258 "О предоставлении разрешения на условно разрешенный вид использования земельного участка, расположенного в Цигломенском территориальном округе г. Архангельска по ул. Комбинатовской"
- Распоряжение от 19 марта 2025 г. № 1259р "Об отказе в предоставлении разрешения на условно разрешенный вид использования земельного участка, расположенного в Соломбальском территориальном округе г. Архангельска по ул. Розмыслова"
- Распоряжение от 19 марта 2025 г. № 1257р "О предоставлении разрешения на условно разрешенный вид использования земельного участка, расположенного в Ломоносовском территориальном округе г. Архангельска по набережной Северной Двины"
- Распоряжение от 19 марта 2025 г. № 1256р "О предоставлении разрешения на условно разрешенный вид использования земельного участка, расположенного в Ломоносовском территориальном округе г. Архангельска по улице Поморской"
- Распоряжение от 24 марта 2025 г. № 1345р "Об отказе в предоставлении разрешения на условно разрешенный вид использования земельного участка, расположенного в территориальном округе Варавино-Фактория г. Архангельска по улице Большой Юрасской, об утверждении схемы расположения земельного участка"
- Распоряжение от 26 февраля 2025 года № 904р "О предоставлении разрешения на отклонение от предельных параметров реконструкции объекта капитального строительства (реконструкция здания морского речного вокзала в здание общественно-делового назначения) на земельном участке, расположенном в Ломоносовском территориальном округе г. Архангельска по набережной Северной Двины"
- Распоряжение от 26 февраля 2025 г. № 903р "О предоставлении разрешения на условно разрешенный вид использования земельного участка, расположенного в Цигломенском территориальном округе г. Архангельска по ул. Комбинатовской, об утверждении схемы расположения земельного участка"
- Распоряжение от 29 февраля 2025 г. № 902р "О предоставлении разрешения на отклонение от предельных параметров реконструкции объекта капитального строительства (индивидуальный жилой дом) на земельном участке, расположенном в Соломбальском территориальном округе г. Архангельска по переулку Пертоминскому"
- Распоряжение от 26 февраля 2025 г. № 901р "О предоставлении разрешения на условно разрешенный вид использования земельных участков, расположенных в Северном территориальном округе г. Архангельска"
- Распоряжение от 26 февраля 2025 г. № 900р "О предоставлении разрешения на условно разрешенный вид использования земельного участка, расположенного в Ломоносовском территориальном округе г. Архангельска по набережной Северной Двины"
- Распоряжение от 23 января 2025 г. № 243р "Об отказе в предоставлении разрешения на отклонение от предельных параметров разрешенного строительства объекта капитального строительства (многоквартирный жилой дом) на земельном участке, расположенном в территориальном округе Майская горка г. Архангельска по проспекту Московскому"
- Распоряжение от 23 января 2025 г. № 250р " О предоставлении разрешения на условно разрешенный вид использования земельного участка, расположенного в Цигломенском территориальном округе г. Архангельска по ул. Пустошного"
- Распоряжение от 23 января 2025 г. № 247р "О предоставлении разрешения на условно разрешенный вид использования земельного участка, расположенного в территориальном округе Варавино-Фактория г. Архангельска тер. КИЗ Силикат 1-я линия, об утверждении схемы расположения земельного участка"
- Распоряжение от 23 января 2025 г. № 253р "О предоставлении разрешения на условно разрешенный вид использования земельного участка, расположенного в территориальном округе Варавино-Фактория г. Архангельска ул. Силикатчиков, об утверждении схемы расположения земельного участка"
- Распоряжение от 23 января 2025 г. № 249р "О предоставлении разрешения на условно разрешенный вид использования земельного участка, расположенного в Исакогорском территориальном округе г. Архангельска по ул. Тяговой, об утверждении схемы расположения земельного участка"
- Распоряжение от 23 января 2025 г. № 252р "О предоставлении разрешения на отклонение от предельных параметров разрешенного строительства объекта капитального строительства (индивидуальный жилой дом) на земельном участке, расположенном в Соломбальском территориальном округе г. Архангельска по улице Гренландской"
- Распоряжение от 23 января 2025 г. № 251р "О предоставлении разрешения на условно разрешенный вид использования земельного участка, расположенного в территориальном округе Майская горка г. Архангельска по улице Дружбы"
- Распоряжение от 23 января 2025 г. № 248р "О предоставлении разрешения на условно разрешенный вид использования земельного участка с кадастровым номером 29:22:060703:27, расположенного в территориальном округе Майская горка г. Архангельска"
- Распоряжение от 11 декабря 2024 г. № 6866р "Об установлении соответствия вида разрешенного использования земельных участков с кадастровыми номерами 29:22:030604:44, 29:22:030604:56, 29:22:030604:374"
- Распоряжение от 5 декабря 2024 г. № 6714р "Об установлении соответствия вида разрешенного использования земельных участков"
- Распоряжение от 22 ноября 2024 г. № 6479р "Об установлении соответствия вида разрешенного использования земельного участка с кадастровым номером 29:22:060703:27"
- Распоряжение от 23 декабря 2024 г. № 7105р "О предоставлении разрешения на отклонение от предельных параметров реконструкции объекта капитального строительства (индивидуальный жилой дом) на земельном участке, расположенном в Соломбальском территориальном округе г. Архангельска по ул. Баумана"
- Распоряжение от 20 декабря 2024 г. № 7090р "О предоставлении разрешения на отклонение от предельных параметров реконструкции объекта капитального строительства (индивидуальный жилой дом) на земельном участке, расположенном территориальном округе Майская горка г. Архангельска по улице Российской"
- Распоряжение от 19 декабря 2024 г. № 7037р "Об отказе в предоставлении разрешения на отклонение от предельных параметров реконструкции объекта капитального строительства (блокированный жилой дом) на земельном участке, расположенном в территориальном округе Майская горка г. Архангельска по ул. Луговой"
- Распоряжение от 19 декабря 2024 г. № 7038р "Об отказе в предоставлении разрешения на отклонение от предельных параметров реконструкции объекта капитального строительства (здание общественно-делового назначения) на земельном участке, расположенном в Ломоносовском территориальном округе г. Архангельска по набережной Северной Двины"
- Распоряжение от 19 декабря 2024 г. № 7039р " О предоставлении разрешения на отклонение от предельных параметров разрешенного строительства объекта капитального строительства (индивидуальный жилой дом) на земельном участке, расположенном в Маймаксанском территориальном округе г. Архангельска по улице Междуречье переулок 3-й"
- Распоряжение от 19 декабря 2024 г. № 7041р "О предоставлении разрешения на условно разрешенный вид использования земельного участка, расположенного в Исакогорском территориальном округе г. Архангельска по ул. Караванной, об утверждении схемы расположения земельного участка"
- Распоряжение от 19 декабря 2024 г. № 7040р "О предоставлении разрешения на условно разрешенный вид использования земельного участка, расположенного в Маймаксанском территориальном округе г. Архангельска по улице Мудьюгской, об утверждении схемы расположения земельного участка"
- Распоряжение от 19 декабря 2024 г. № 7033р "О предоставлении разрешения на условно разрешенный вид использования земельного участка, расположенного в Маймаксанском территориальном округе г. Архангельска по улице Мудьюгской, об утверждении схемы расположения земельного участка"
- Распоряжение от 19 декабря 2024 г. № 7034р "О предоставлении разрешения на условно разрешенный вид использования земельного участка, расположенного в Маймаксанском территориальном округе г. Архангельска по улице Емецкой"
- Распоряжение от 19 декабря 2024 г. № 7063р "Об отказе в предоставлении разрешения на условно разрешенный вид использования земельного участка, расположенного в Маймаксанском территориальном округе г. Архангельска по ул. Юности"
- Распоряжение от 19 декабря 2024 г. № 7062р "О предоставлении разрешения на условно разрешенный вид использования земельного участка, расположенного в Исакогорском территориальном округе г.Архангельска по ул. Адмирала Макарова, об утверждении схемы расположения земельного участка"
- Распоряжение от 29 октября 2024 г. № 5881р "О предоставлении разрешения на отклонение от предельных параметров разрешенного строительства объекта капитального строительства (индивидуальный жилой дом) на земельном участке, расположенном в Соломбальском территориальном округе г. Архангельска по ул. Малой"
- Распоряжение от 28 октября 2024 г. № 5815р "О предоставлении разрешения на отклонение от предельных параметров разрешенного строительства объекта капитального строительства (индивидуальный жилой дом) на земельном участке, расположенном в Ломоносовском территориальном округе г. Архангельска по ул. Рабочей"
- Распоряжение от 28 октября 2024 г. № 5814р Об установлении соответствия вида разрешенного использования земельного участка с кадастровым номером 29:22:022540:72"
- Распоряжение от 28 октября 2024 г. № 5813р "О предоставлении разрешения на отклонение от предельных параметров разрешенного строительства, реконструкции объекта капитального строительства (здание центра техобслуживания) на земельном участке, расположенном в Ломоносовском территориальном округе г. Архангельска по ул. Октябрят"
- Распоряжение от 25 октября 2024 г. № 5797р "О предоставлении разрешения на условно разрешенный вид использования земельного участка, расположенного в территориальном округе Варавино-Фактория г. Архангельска по улице Октябрьской"
- Распоряжение от 25 октября 2024 г. № 5796р "Об отказе в предоставлении разрешения на условно разрешенный вид использования земельного участка, расположенного в Цигломенском территориальном округе г. Архангельска по ул. Комбинатовской, в утверждении схемы расположения земельного участка"
- Распоряжение от 25 октября 2024 г. № 5795р "Об отказе в предоставлении разрешения на условно разрешенный вид использования земельного участка, расположенного в Маймаксанском территориальном округе г. Архангельска по ул. Дальней, в утверждении схемы расположения земельного участка"
- Распоряжение от 25 октября 2024 г. № 5794р "О предоставлении разрешения на условно разрешенный вид использования земельного участка, расположенного в Исакогорском территориальном округе г. Архангельска по ул. Пирсовой, об утверждении схемы расположения земельного участка"
- Распоряжение от 25 октября 2024 г. № 5793р "О предоставлении разрешения на отклонение от предельных параметров разрешенного строительства объекта капитального строительства (индивидуальный жилой дом) на земельном участке, расположенном в Соломбальском территориальном округе г. Архангельска, территория КИЗ Лето"
- Распоряжение от 25 октября 2024 г. № 5792р "О предоставлении разрешения на условно разрешенный вид использования земельного участка, расположенного в Октябрьском территориальном округе г. Архангельска по проспекту Троицкому"
- Распоряжение от 25 октября 2024 г. № 5791р "О предоставлении разрешения на условно разрешенный вид использования земельного участка, расположенного в Исакогорском территориальном округе г. Архангельска по ул. Онежской, об утверждении схемы расположения земельного участка@
- Распоряжение от 1 октября 2024 г. № 5045р "О предоставлении разрешения на отклонение от предельных параметров разрешенного строительства объекта капитального строительства (станция технического обслуживания автотранспортных средств) на земельном участке, расположенном в территориальном округе Майская горка г. Архангельска по ул. Дачной"
- Распоряжение от 30 сентября 2024 г. № 5007р "О предоставлении разрешения на отклонение от предельных параметров разрешенного строительства объекта капитального строительства (многоэтажный жилой дом) на земельном участке, расположенном в территориальном округе Варавино-Фактория г. Архангельска по ул. Русанова"
- Распоряжение от 26 сентября 2024 г. № 4953р "О предоставлении разрешения на условно разрешенный вид использования земельного участка, расположенного в Соломбальском территориальном округе г. Архангельска по ул. Якорной, об утверждении схемы расположения земельного участка"
- Распоряжение от 26 сентября 2024 г. № 4952р "О предоставлении разрешения на условно разрешенный вид использования земельного участка, расположенного в Северном территориальном округе г. Архангельска по ул. Песочной"
- Распоряжение от 26 сентября 2024 г. № 4951р "Об отказе в предоставлении разрешения на отклонение от предельных параметров разрешенного строительства объекта капитального строительства (многоквартирный жилой дом) на земельном участке, расположенном в территориальном округе Майская горка г. Архангельска по проспекту Московскому"
- Распоряжение от 26 сентября 2024 г. № 4950р "О предоставлении разрешения на условно разрешенный вид использования земельного участка, расположенного в территориальном округе Варавино-Фактория г. Архангельска по ул. Кривоборской"
- Распоряжение от 26 сентября 2024 г. № 4949р "О предоставлении разрешения на отклонение от предельных параметров разрешенного строительства объекта капитального строительства (индивидуальный жилой дом) на земельном участке, расположенном в территориальном округе Варавино-Фактория г. Архангельска по ул. Кривоборской"
- Распоряжение от 26 сентября 2024 г. № 4948р "О предоставлении разрешения на условно разрешенный вид использования земельного участка, расположенного в территориальном округе Варавино-Фактория г. Архангельска по ул. Кривоборской"
- Распоряжение от 26 сентября 2024 г.№ 4947р "Об отказе в предоставлении разрешения на отклонение от предельных параметров разрешенного строительства объекта капитального строительства (многоквартирный жилой дом) на земельном участке, расположенном в территориальном округе Майская горка г. Архангельска по ул. Карпогорской"
- Распоряжение от 26 сентября 2024 г. № 4946р "О предоставлении разрешения на условно разрешенный вид использования земельного участка, расположенного в Маймаксанском территориальном округе г. Архангельска по ул. Лодемской, об утверждении схемы расположения земельного участка"
- Распоряжение от 26 сентября 2024 г. № 4944р "О предоставлении разрешения на условно разрешенный вид использования земельного участка, расположенного в Маймаксанском территориальном округе г. Архангельска по ул. Герцена, об утверждении схемы расположения земельного участка"
- Распоряжение от 26 сентября 2024 г. № 4943р "О предоставлении разрешения на условно разрешенный вид использования земельного участка, расположенного в Маймаксанском территориальном округе г. Архангельска по ул. Менделеева"
- Распоряжениеот 26 сентября 2024 г. № 4942р "О предоставлении разрешения на условно разрешенный вид использования земельного участка, расположенного в Октябрьском территориальном округе г. Архангельска по улице Тимме Я."
- Распоряжение от 26 сентября 2024 г. № 4941р "О предоставлении разрешения на условно разрешенный вид использования земельного участка, расположенного в Ломоносовском территориальном округе г. Архангельска по просп. Ломоносова, об утверждении схемы расположения земельного участка"
- Распоряжение от 26 сентября 2024 г. № 4940р "О предоставлении разрешения на условно разрешенный вид использования земельных участков, в поселке Лесная речка городского округа "Город Архангельск" по Лахтинскому шоссе, об утверждении схем расположения земельных участков"
- Распоряжение от 26 сентября 2024 г. № 4939р "О предоставлении разрешения, об отказе в предоставлении разрешения на отклонение от предельных параметров реконструкции объекта капитального строительства (индивидуальный жилой дом) на земельном участке, расположенном в Соломбальском территориальном округе г. Архангельска по переулку Пертоминскому"
- Распоряжение от 26 сентября 2024 г. № 4938р "О предоставлении разрешения на условно разрешенный вид использования земельного участка, расположенного в Соломбальском территориальном округе г. Архангельска, Расчалка 2-я линия, об утверждении схемы расположения земельного участка"
- Распоряжение от 26 сентября 2024 г. № 4937р "О предоставлении разрешения на условно разрешенный вид использования земельных участков, расположенных в Соломбальском территориальном округе г. Архангельска, Расчалка 2-я линия, об утверждении схем расположения земельных участков"
- Распоряжение от 26 сентября 2024 г. № 4936р "Об отказе в предоставлении разрешения на условно разрешенный вид использования земельного участка, объекта капитального строительства, расположенных в Октябрьском территориальном округе г. Архангельска по просп. Советских космонавтов"
- Распоряжение от 26 сентября 2024 г. № 4935р "Об отказе в предоставлении разрешения на отклонение от предельных параметров реконструкции объекта капитального строительства (индивидуальный жилой дом) на земельном участке, расположенном в Октябрьском территориальном округе г. Архангельска по просп. Советских космонавтов"
- Распоряжение от 10 сентября 2024 г. № 4648р "Об установлении соответствия вида разрешенного использования земельного участка с кадастровым номером 29:22:071301:22"
- Распоряжение от 4 сентября 2024 г. № 4573р "Об установлении соответствия вида разрешенного использования земельных участков с кадастровыми номерами 29:22:081503:1, 29:22:081503:16"
- Распоряжение от 25 июля 2024 г. № 3888р "О предоставлении разрешения на отклонение от предельных параметров разрешенного строительства объекта капитального строительства (блокированный жилой дом), на земельном участке, расположенном в территориальном округе Майская горка г. Архангельска по ул. Луговой"
- Распоряжение от 25 июля 2024 г. № 3887р "О предоставлении разрешения на отклонение от предельных параметров разрешенного строительства объекта капитального строительства (блокированный жилой дом), на земельном участке, расположенном в территориальном округе Майская горка г. Архангельска по ул. Луговой"
- Распоряжение от 25 июля 2024 г. № 3886р "О предоставлении разрешения на условно разрешенный вид использования земельных участков, расположенных в территориальном округе Майская горка г. Архангельска по улице Луговой, об утверждении схемы расположения земельных участков"
- Распоряжение от 30 июля 2024 г. № 3961р "Об установлении соответствия вида разрешенного использования земельного участка с кадастровым номером 29:22:022818:55"
- Распоряжение от 25 июля 2024 г. № 3878р "О предоставлении разрешения на отклонение от предельных параметров разрешенного строительства объекта капитального строительства (индивидуальный жилой дом) на земельном участке, расположенном в Соломбальском территориальном округе г. Архангельска по ул. Полярной"
- Распоряжение от 25 июля 2024 г. № 3877р "Об отказе в предоставлении разрешения на условно разрешенный вид использования земельного участка, объекта капитального строительства расположенных в Северном территориальном округе г. Архангельска по ул. Горького"
- Распоряжение от 25 июля 2024 г.№ 3875р "О предоставлении разрешения на условно разрешенный вид использования земельного участка, расположенного в Соломбальском территориальном округе г. Архангельска по ул. Суханова, об утверждении схемы расположения земельного участка"
- Распоряжение от 25 июля 2024 г. № 3874р "О предоставлении разрешения на условно разрешенный вид использования земельного участка, расположенного в Соломбальском территориальном округе г. Архангельска по ул. Братской, об утверждении схемы расположения земельного участка"
- Распоряжение от 25 июля 2024 г. № 3873р "О предоставлении разрешения на отклонение от предельных параметров реконструкции объекта капитального строительства (индивидуальный жилой дом) на земельном участке, расположенном в территориальном округе Майская горка г. Архангельска по ул. Шенкурской"
- Распоряжение от 25 июля 2024 г. № 3872р "О предоставлении разрешения на условно разрешенный вид использования земельных участков, расположенных в г. Архангельске"
- Распоряжение от 25 июля 2024 г. № 3871р "О предоставлении разрешения на отклонение от предельных параметров разрешенного строительства объекта капитального строительства (индивидуальный жилой дом) на земельном участке, расположенном в Соломбальском территориальном округе г. Архангельска по ул. Валявкина"
- Распоряжение от 25 июля 2024 г. № 3870р "О предоставлении разрешения на условно разрешенный вид использования земельного участка, расположенного в Цигломенском территориальном округе г. Архангельска по ул. Комбинатовской, об утверждении схемы расположения земельного участка"
- Распоряжение от 25 июля 2024 г. № 3869р "О предоставлении разрешения на условно разрешенный вид использования земельного участка, расположенного в Маймаксанском территориальном округе г. Архангельска по улице Усть-Кривяк"
- Распоряжение от 24 июля 2024 г. № 3845р "О предоставлении разрешения на отклонение от предельных параметров разрешенного строительства объекта капитального строительства (производственное и административное здание) на земельном участке, расположенном в территориальном округе Варавино-Фактория г. Архангельска по ул. Революции"
- Распоряжение от 24 июля 2024 г. № 3844р "О предоставлении разрешения на условно разрешенный вид использования земельного участка, расположенного в территориальном округе Майская горка г. Архангельска по ул. Российской"
- Распоряжение от 9 июля 2024 г. № 3524р "О внесении изменений в распоряжение Главы городского округа "Город Архангельск" от 27 июня 2024 года № 3327р"
- Распоряжение от 27 июля 2024 г. № 3330р "О предоставлении разрешения на отклонение от предельных параметров (предельный размер земельного участка) в отношении земельного участка, расположенного в территориальном округе Майская горка г. Архангельска по ул. Российской"
- Распоряжение от 27 июня 2024 г.№ 3350р "О предоставлении разрешения на условно разрешенный вид использования земельного участка, расположенного в поселке Боры городского округа "Город Архангельск" по ул. Боры, об утверждении схемы расположения земельного участка"
- Распоряжение от 27 июня № 3327р "О предоставлении разрешения на условно разрешенный вид использования земельных участков, расположенных в г. Архангельске, об утверждении схем расположения земельных участков"
- Распоряжение от 27 июня 2024 г. № 3326р "О предоставлении разрешения на условно разрешенный вид использования земельного участка, расположенного в территориальном округе Варавино-Фактория г. Архангельска по улице Белогорской"
- Распоряжение от 27 июня 2024 г. № 3325р "О предоставлении разрешения на условно разрешенный вид использования земельных участков, расположенных в территориальном округе Варавино-Фактория г. Архангельска"
- Распоряжение от 27 июня 2024 г. № 3324р "О предоставлении разрешения на условно разрешенный вид использования земельного участка, расположенного в Маймаксанском территориальном округе г. Архангельска по ул. Кольцевой, об утверждении схемы расположения земельного участка"
- Распоряжение от 27 июня 2024 г. № 3323р О предоставлении разрешения на отклонение от предельных параметров разрешенного строительства объекта капитального строительства (физкультурно-оздоровительный комплекс) на земельном участке, расположенном в Октябрьском территориальном округе г. Архангельска на пересечении ул. Воскресенской и просп. Ломоносова"
- Распоряжение от 27 июня 2024 г. № 3322р "О предоставлении разрешения на отклонение от предельных параметров разрешенного строительства объекта капитального строительства (объекты дорожного сервиса, ремонт автомобилей) на земельном участке, расположенном в Соломбальском территориальном округе г. Архангельска по ул. Мостовой"
- Распоряжение от 27 июня 2024 г. № 3321р "О предоставлении разрешения на отклонение от предельных параметров разрешенного строительства объекта капитального строительства (индивидуальный жилой дом), на земельном участке, расположенном в Исакогорском территориальном округе г. Архангельска по ул. Рейдовой"
- Распоряжение от 27 июня 2024 г. № 3320р "О предоставлении разрешения на отклонение от предельных параметров разрешенного строительства объекта капитального строительства (индивидуальный жилой дом) на земельном участке, расположенном в Соломбальском территориальном округе г. Архангельска по ул. Суханова"
- Распоряжение от 27 июня 2024 г. № 3319р "О предоставлении разрешения на условно разрешенный вид использования земельных участков, расположенных в г. Архангельске, об утверждении схем расположения земельных участков"
- Распоряжение от 27 июня 2024 г. № 3318р "О предоставлении разрешения на условно разрешенный вид использования земельного участка, расположенного в Северном территориальном округе г. Архангельске по улице Ильича, об утверждении схемы расположения земельного участка"
- Распоряжение от 27 июня 2024 г. № 3317р "О предоставлении разрешения на отклонение от предельных параметров разрешенного строительства объекта капитального строительства (малоэтажный многоквартирный жилой дом) на земельном участке, расположенном в Исакогорском территориальном округе г. Архангельска по ул. 263-й Сивашской дивизии"
- Распоряжение от 27 июня 2024 г. № 3316р "О предоставлении разрешения на условно разрешенный вид использования земельного участка, расположенного в Исакогорском территориальном округе г. Архангельска по ул. Караванной, об утверждении схемы расположения земельного участка"
- Распоряжение от 27 июня 2024 г. № 3315р "О предоставлении разрешения на отклонение от предельных параметров разрешенного строительства объекта капитального строительства (индивидуальный жилой дом) на земельном участке, расположенном в Маймаксанском территориальном округе г.Архангельска на территории садоводческого некоммерческого товарищества Лесная поляна"
- Распоряжение от 22 мая 2024 г. № 2653р "О предоставлении разрешения на отклонение от предельных параметров реконструкции объекта капитального строительства (индивидуальный жилой дом) на земельном участке, расположенном в Исакогорском территориальном округе г. Архангельска по ул. Доковской"
- Распоряжение от 22 мая 2024 г. № 2656р "О предоставлении разрешения на отклонение от предельных параметров разрешенного строительства объекта капитального строительства (гаражи) на земельном участке, расположенном в Октябрьском территориальном округе г. Архангельска, проезд Четвертый (Кузнечихинский промузел)"
- Распоряжение от 22 мая 2024 г. № 2657р "О предоставлении разрешения на отклонение от предельных параметров реконструкции объекта капитального строительства (индивидуальный жилой дом) на земельном участке, расположенном в Соломбальском территориальном округе г. Архангельска по ул. Валявкина"
- Распоряжение от 22 мая 2024 г. № 2654р "О предоставлении разрешения на отклонение от предельных параметров разрешенного строительства объектов капитального строительства (индивидуальные жилые дома), на земельных участках, расположенных в Соломбальском территориальном округе г. Архангельска по ул. Шилова"
- Распоряжение от 22 мая 2024 г. № 2655р "Об отказе в предоставлении разрешения на условно разрешенный вид использования земельного участка, расположенного в Северном территориальном округе г. Архангельска по улице Партизанской"
- Распоряжение от 22 мая 2024 г. № 2651р "Об отказе в предоставлении разрешения на отклонение от предельных параметров разрешенного строительства, реконструкции объекта капитального строительства (объект бытового обслуживания, баня) на земельном участке, расположенном в Ломоносовском территориальном округе г. Архангельска по ул. Шабалина А.О."
- Распоряжение от 22 мая 2024 г. № 2648р "О предоставлении разрешения на отклонение от предельных параметров реконструкции объекта капитального строительства (индивидуальный жилой дом) на земельном участке, расположенном в Соломбальском территориальном округе г. Архангельска, территория КИЗ Лето"
- Распоряжение от 22 мая 2024 г. № 2647р "О предоставлении разрешения на отклонение от предельных параметров разрешенного строительства объекта капитального строительства (склады) на земельном участке, расположенном в территориальном округе Варавино-Фактория г. Архангельска по ул. Дачной"
- Распоряжение от 22 мая 2024 г. № 2646р "О предоставлении разрешения на условно разрешенный вид использования земельных участков, расположенных в г. Архангельске, об утверждении схем расположения земельных участков"
- Распоряжение от 22 мая 2024 г. № 2650р "О предоставлении разрешения на условно разрешенный вид использования земельного участка, расположенного в Исакогорском территориальном округе г. Архангельска по ул. Тяговой, об утверждении схемы расположения земельного участка"
- Распоряжение от 22 мая 2024 г. № 2658р "О предоставлении разрешения на отклонение от предельных параметров разрешенного строительства, реконструкции объекта капитального строительства на земельном участке, расположенном в территориальном округе Варавино-Фактория г. Архангельска, территория КИЗ Силикат 1-я линия"
- Распоряжение от 22 мая 2024 г. № 2649р "О предоставлении разрешения на условно разрешенный вид использования земельного участка, расположенного в Октябрьском территориальном округе г. Архангельска по проспекту Ломоносова"
- Распоряжение от 22 мая 2024 г. № 2652р "О предоставлении разрешения на условно разрешенный вид использования земельного участка, расположенного в Исакогорском территориальном округе г. Архангельска, по улице Тяговой"
- Распоряжение от 7 мая 2024 г. № 2398р "О внесении изменений в распоряжение Главы городского округа "Город Архангельск" от 17 апреля 2024 г. № 1998р"
- Распоряжение от 17 апреля 2024 г. № 2033р "О предоставлении разрешения на условно разрешенный вид использования земельного участка, расположенного в Маймаксанском территориальном округе г. Архангельска по ул. Лодемской, об утверждении схемы расположения земельного участка"
- Распоряжение от 17 апреля 2024 г. № 2030р "О предоставлении разрешения на условно разрешенный вид использования земельного участка, расположенного в Ломоносовском территориальном округе г. Архангельска по улице Карла Либкнехта"
- Распоряжение от 17 апреля 2024 г. № 2016 О предоставлении разрешения на условно разрешенный вид использования земельного участка, расположенного в Соломбальском территориальном округе г. Архангельска по ул. Мещерского
- Распоряжение от 17 апреля 2024 г. № 2015р "Об отказе в предоставлении разрешения на условно разрешенный вид использования земельного участка, объекта капитального строительства, расположенных в территориальном округе Майская горка г. Архангельска по улице Луговой"
- Распоряжение от 17 апреля 2024 г. № 2014р "О предоставлении разрешения на условно разрешенный вид использования земельного участка, расположенного в территориальном округе Варавино-Фактория г. Архангельска по проспекту Ленинградскому, об утверждении схемы расположения земельного участка"
- Распоряжение от 17 апреля 2024 г. № 2011р "О предоставлении разрешения на условно разрешенный вид использования земельных участков, расположенных в г. Архангельске, об утверждении схем расположения земельных участков"
- Распоряжение от 17 апреля 2024 г. № 2010р "О предоставлении разрешения на условно разрешенный вид использования земельного участка, расположенного в Октябрьском территориальном округе и территориальном округе Майская горка г. Архангельска по Окружному шоссе"
- Распоряжение от 17 апреля 2024 г. № 2009р О предоставлении разрешения на условно разрешенный вид использования земельных участков, расположенных в Октябрьском территориальном округе г. Архангельска по ул. 5-го авиаполка ГВФ, об утверждении схемы расположения земельных участков
- Распоряжение от 17 апреля 2024 г. № 1999р "Об отказе в предоставлении разрешения на условно разрешенный вид использования земельного участка, расположенного в Соломбальском территориальном округе г. Архангельска по улице Новоземельской"
- Распоряжение от 17 апреля 2024 г. № 1998р "О предоставлении разрешения на отклонение от предельных параметров разрешенного строительства объекта капитального строительства (индивидуальный жилой дом) на земельном участке, расположенном в Соломбальском территориальном округе г.Архангельска по ул. Валявкина"
- Распоряжение от 17 апреля 2024 г. № 1997р "О предоставлении разрешения на условно разрешенный вид использования земельного участка, расположенного в территориальном округе Варавино-Фактория г. Архангельска по ул. Складской"
- Распоряжение от 17 апреля 2024 г. № 1996р "О предоставлении разрешения на отклонение от предельных параметров разрешенного строительства объекта капитального строительства (гараж для индивидуального транспорта) на земельном участке, расположенном в Ломоносовском территориальном округе г. Архангельска по улице Карла Либкнехта"
- Распоряжение от 17 апреля 2024 г. № 1995р "О предоставлении разрешения на условно разрешенный вид использования земельных участков, расположенных в Исакогорском территориальном округе г. Архангельска по улице Сурповской, об утверждении схем расположения земельных участков"
- Распоряжение от 17 апреля 2024 г. № 1994р "О предоставлении разрешения на отклонение от предельных параметров реконструкции объекта капитального строительства (индивидуальный жилой дом) на земельном участке, расположенном в Соломбальском территориальном округе г. Архангельска по улице Суханова"
- Распоряжение от 22 марта 2024 г. № 1360р "Об отмене распоряжения Главы городского округа "Город Архангельск" от 28 апреля 2023 года № 2342р, о предоставлении разрешения на условно разрешенный вид использования земельного участка, расположенного в Октябрьском территориальном округе г. Архангельска по улице Логинова"
- Распоряжение от 22 марта 2024 г. № 1380р "О предоставлении разрешения на условно разрешенный вид использования земельного участка с кадастровым номером 29:22:022101:679, расположенного в Соломбальском территориальном округе г. Архангельска"
- Распоряжение от 22 марта 2024 г. № 1364р "О предоставлении разрешения на условно разрешенный вид использования земельного участка, расположенного в Соломбальском территориальном округе г. Архангельска по ул. Советской"
- Распоряжение от 21 марта 2024 г. № 1355р "О предоставлении разрешения на условно разрешенный вид использования земельного участка, расположенного в территориальном округе Майская горка г. Архангельска проспекту Ленинградскому"
- Распоряжение от 21 марта 2024 г. № 1349р "О предоставлении разрешения на условно разрешенный вид использования земельного участка, расположенного в территориальном округе Варавино-Фактория г. Архангельска по переулку Конецгорскому"
- Распоряжение от 21 марта 2024 г. № 1348р "О предоставлении разрешения на условно разрешенный вид использования земельного участка с кадастровым номером 29:22:040201:1758, расположенного в Октябрьском территориальном округе г. Архангельска по Талажскому шоссе"
- Распоряжение от 21 марта 2024 г. № 1347р "О предоставлении разрешения на условно разрешенный вид использования земельного участка, расположенного в Соломбальском территориальном округе г. Архангельска по ул. Маймаксанской, об утверждении схемы расположения земельного участка"
- Распоряжение от 21 марта 2024 г. № 1332р "О предоставлении разрешения на условно разрешенный вид использования земельного участка, расположенного в Цигломенском территориальном округе г. Архангельска по ул. Комбинатовской, об утверждении схемы расположения земельного участка"
- Распоряжение от 21 марта 2024 г. № 1331р "О предоставлении разрешения на отклонение от предельных параметров реконструкции объекта капитального строительства (индивидуальный жилой дом) на земельном участке, расположенном в территориальном округе Майская горка г. Архангельска по ул. Российской"
- Распоряжение от 21 марта 2024 г. № 1330р "О предоставлении разрешения на условно разрешенный вид использования земельного участка с кадастровым номером 29:16:060201:1 расположенного в Северном территориальном округе г. Архангельска"
- Распоряжение от 21 марта 2024 г. № 1329р "О предоставлении разрешения на условно разрешенный вид использования земельного участка, расположенного в Исакогорском территориальном округе г. Архангельска по улице 2-й км Северодвинской ветки"
- Распоряжение от 21 марта 2024 г. № 1328р "О предоставлении разрешения на условно разрешенный вид использования земельных участков, расположенных в территориальном округе Майская горка г. Архангельска проспекту Ленинградскому"
- Распоряжение от 21 марта 2024 г. № 1327р "О предоставлении разрешения на условно разрешенный вид использования земельного участка с кадастровым номером 29:22:030301:118 расположенного в Северном территориальном округе г. Архангельска"
- Распоряжение от 21 марта 2024 г. № 1326р "О предоставлении разрешения на условно разрешенный вид использования земельного участка, расположенного в Исакогорском территориальном округе г. Архангельска по ул. Пограничной"
- Распоряжение от 21 марта 2024 г. № 1325р "О предоставлении разрешения на условно разрешенный вид использования земельных участков, расположенных в г. Архангельске, об утверждении схем расположения земельных участков"
- Распоряжение от 21 марта 2024 г. № 1324р "О предоставлении разрешения на условно разрешенный вид использования земельного участка, расположенного в Октябрьском территориальном округе г. Архангельска по ул. Береговой, об утверждении схемы расположения земельного участка"
- Распоряжение от 21 марта 2024 г. № 1323р "О предоставлении разрешения на условно разрешенный вид использования земельного участка, расположенного в Исакогорском территориальном округе г. Архангельска по улице Второй"
- Распоряжение от 21 марта 2024 г. № 1322р "О предоставлении разрешения на условно разрешенный вид использования земельного участка, расположенного в Октябрьском территориальном округе г. Архангельска по улице Теснанова"
- Распоряжение от 21 марта 2024 г. № 1321р "О предоставлении разрешения на условно разрешенный вид использования земельного участка, расположенного в Соломбальском территориальном округе г. Архангельска по ул. Терехина, об утверждении схемы расположения земельного участка"
- Распоряжение от 21 марта 2024 г. № 1319р "О предоставлении разрешения на условно разрешенный вид использования земельного участка, расположенного в поселке Талажский авиагородок городского округа "Город Архангельск"
- Распоряжение от 22 февраля 2024 г. № 833р "О предоставлении разрешения на условно разрешенный вид использования земельных участков, расположенных в территориальном округе Варавино-Фактория г. Архангельска по проспекту Ленинградскому"
- Распоряжение от 22 февраля 2024 г. № 832р "О предоставлении разрешения на условно разрешенный вид использования земельного участка, расположенного в городском округе "Город Архангельск", поселок Л есная речка по Лахтинскому шоссе, об утверждении схемы расположения земельного участка"
- Распоряжение от 21 февраля 2024 г. № 807р "О предоставлении разрешения на условно разрешенный вид использования земельного участка, расположенного в Октябрьском территориальном округе г. Архангельска на пересечении набережной Северной Двины и улицы Гагарина"
- Распоряжение от 7 февраля 2024 г. № 526р "Об установлении соответствия вида разрешенного использования земельного участка с кадастровым номером 29:22:010504:5"
- Распоряжение от 15 февраля 2024 г. № 688р "О внесении изменений в распоряжение Главы городского округа "Город Архангельск" от 6 февраля 2024 года № 499р"
- Распоряжение от 6 февраля 2024 г. № 519р "О предоставлении разрешения на условно разрешенный вид использования земельного участка, расположенного в Ломоносовском территориальном округе г. Архангельске по проспекту Новгородскому, об утверждении схемы расположения земельного участка"
- Распоряжение от 6 февраля 2024 г. № 503р "Об отказе в предоставлении разрешения на условно разрешенный вид использования земельного участка, расположенного в Маймаксанском территориальном округе г. Архангельска, по улице Ладожской"
- Распоряжение от 6 февраля 2024 г. № 498р "О предоставлении разрешения на условно разрешенный вид использования земельного участка, расположенного в Исакогорском территориальном округе г. Архангельска по Третьей линии, об утверждении схемы расположения земельного участка"
- Распоряжение от 6 февраля 2024 г. № 502р "Об отказе в предоставлении разрешения на отклонение от предельных параметров разрешенного строительства объекта капитального строительства (физкультурно-оздоровительный комплекс) на земельном участке, расположенном в Октябрьском территориальном округе г. Архангельска на пересечении ул. Воскресенской и просп. Ломоносова"
- Распоряжение от 6 февраля 2024 г. № 501р "О предоставлении разрешения на условно разрешенный вид использования земельного участка, расположенного в Октябрьском территориальном округе г. Архангельска на пересечении ул. Воскресенской и просп. Ломоносова"
- Распоряжение от 6 февраля 2024 г. № 500р "О предоставлении разрешения на условно разрешенный вид использования земельного участка, расположенного в территориальном округе Варавино-Фактория г. Архангельска по ул. Кривоборской, об утверждении схемы расположения земельного участка"
- Распоряжение от 6 февраля 2024 г. № 499р "О предоставлении разрешения на условно разрешенный вид использования земельного участка, расположенного в территориальном округе Варавино-Фактория г. Архангельска по проспекту Ленинградскому, об утверждении схемы расположения земельного участка"
- Распоряжение от 6 февраля 2024 г. № 497р "О предоставлении разрешения на условно разрешенный вид использования земельного участка, расположенного в Октябрьском территориальном округе г. Архангельска по проспекту Ломоносова"
- Распоряжение от 6 февраля 2024 г. № 496р "Об отказе в предоставлении разрешения на условно разрешенный вид использования земельного участка, расположенного в территориальном округе Варавино-Фактория г. Архангельска по ул. Дорожной"
- Распоряжение от 6 февраля 2024 г. № 495р "Об отказе в предоставлении разрешения на условно разрешенный вид использования земельного участка, расположенного в территориальном округе Варавино-Фактория г. Архангельска по ул. Дорожной"
- Распоряжение от 6 февраля 2024 г. № 494р "О предоставлении разрешения на условно разрешенный вид использования земельного участка, расположенного в Соломбальском территориальном округе г. Архангельска по Маймаксанскому шоссе, об утверждении схемы расположения земельного участка"
- Распоряжение от 6 февраля 2024 г. № 493р "О предоставлении разрешения на отклонение от предельных параметров разрешенного строительства объекта капитального строительства (индивидуальный жилой дом) на земельном участке, расположенном в Маймаксанском территориальном округе г.Архангельска на территории садоводческого некоммерческого товарищества Ваганиха"
- Распоряжение от 6 февраля 2024 г. № 492р "О предоставлении разрешения на отклонение от предельных параметров реконструкции объекта капитального строительства (индивидуальный жилой дом) на земельном участке, расположенном в Исакогорском территориальном округе г. Архангельска по ул. Доковской"
- Распоряжение от 6 февраля 2024 г. № 491р "О предоставлении разрешения на условно разрешенный вид использования земельного участка, расположенного в Северном территориальном округе г. Архангельска по ул. Репина, об утверждении схемы расположения земельного участка"
- Распоряжение от 6 февраля 2024 г. № 490р "О предоставлении разрешения на отклонение от предельных параметров разрешенного строительства объекта капитального строительства (индивидуальный жилой дом) на земельном участке, расположенном в городском округе "Город Архангельск", поселок Лесная речка по ул. Исток"
- Распоряжение от 22 января 2024 г. № 219р "Об установлении соответствия вида разрешенного использования земельного участка с кадастровым номером 29:22:060406:233"
- Распоряжение от 28 декабря 2023 г. № 7466р "Об установлении соответствия вида разрешенного использования земельного участка с кадастровым номером 29:22:050407:25"
- Распоряжение от 10 января 2024 г. № 55р "Об установлении соответствия вида разрешенного использования земельных участков с кадастровыми номерами 29:22:050519:20 и 29:22:050519:704"
- Распоряжение от 25 декабря 2023 г. № 7341р "О предоставлении разрешения на отклонение от предельных параметров разрешенного строительства объекта капитального строительства (среднеэтажный жилой дом) на земельном участке, расположенном в Ломоносовском территориальном округе г. Архангельска по проспекту Новгородскому"
- Распоряжение от 25 декабря 2023 г. № 7340р "О предоставлении разрешения на условно разрешенный вид использования земельных участков, расположенных в территориальном округе Майская горка г. Архангельска по ул. Ленина"
- Распоряжение от 25 декабря 2023 г. № 7339р "О предоставлении разрешения на условно разрешенный вид использования земельного участка, расположенного в Исакогорском территориальном округе г. Архангельска по ул. Караванной, об утверждении схемы расположения земельного участка"
- Распоряжение от 25 декабря 2023 г. № 7338р "О предоставлении разрешения на условно разрешенный вид использования земельных участков, расположенных в Северном территориальном округе г. Архангельска по ул. Богового В.Г., об утверждении схемы расположения земельных участков"
- Распоряжение от 25 декабря 2023 г. № 7337р "О предоставлении разрешения на условно разрешенный вид использования земельного участка, расположенного в Северном территориальном округе г. Архангельска по ул. Богового В.Г., об утверждении схемы расположения земельного участка"
- Распоряжение от 25 декабря 2023 г. № 7336р "О предоставлении разрешения на отклонение от предельных параметров разрешенного строительства объекта капитального строительства (индивидуальный жилой дом) на земельном участке, расположенном в территориальном округе Варавино-фактория г. Архангельска территория КИЗ Силикат 1-я линия"
- Распоряжение от 25 декабря 2023 г. № 7335р "О предоставлении разрешения на условно разрешенный вид использования земельного участка, объекта капитального строительства, расположенных в Ломоносовском территориальном округе г. Архангельска по проспекту Новгородскому"
- Распоряжение от 25 декабря 2023 г. № 7334р "О предоставлении разрешения на отклонение от предельных параметров разрешенного строительства объекта капитального строительства на земельном участке, расположенном в Соломбальском территориальном округе г. Архангельска по Маймаксанскому шоссе"
- Распоряжение от 25 декабря 2023 г. № 7333р "О предоставлении разрешения на отклонение от предельных параметров разрешенного строительства объекта капитального строительства (индивидуальный жилой дом) на земельном участке, расположенном в территориальном округе Варавино-Фактория г.Архангельска на территории садоводческого некоммерческого товарищества Локомотив"
- Распоряжение от 7 декабря 2023 г. № 6908р"О предоставлении разрешения на отклонение от предельных параметров разрешенного строительства объекта капитального строительства на земельном участке, расположенном в Маймаксанском территориальном округе г. Архангельска по улице Постышева"
- Распоряжение от 4 декабря 2023 г. № 6809р "О предоставлении разрешения на условно разрешенный вид использования земельных участков, расположенных в территориальном округе Варавино-Фактория г. Архангельска по ул. Белогорской, об утверждении схем расположения земельных участков"
- Распоряжение от 4 декабря 2023 г. № 6807р "О предоставлении разрешения на отклонение от предельных параметров разрешенного строительства объекта капитального строительства (индивидуальный жилой дом) на земельном участке, расположенном в Маймаксанском территориальном г. Архангельска по улице Охотной"
- Распоряжение от 4 декабря 2023 г. № 6806р "О предоставлении разрешения на условно разрешенный вид использования земельного участка, расположенного в Соломбальском территориальном округе г. Архангельска, по Маймаксанскому шоссе"
- Распоряжение от 4 декабря 2023 г. № 6805р "О предоставлении разрешения на условно разрешенный вид использования земельного участка, расположенного в территориальном округе Варавино-Фактория г. Архангельска по ул. Кривоборской, об утверждении схемы расположения земельного участка"
- Распоряжение от 4 декабря 2023 г. № 6803р "О предоставлении разрешения на условно разрешенный вид использования земельного участка, расположенного в Октябрьском территориальном округе г. Архангельска, Черная Курья 4-я линия, об утверждении схемы расположения земельного участка"
- Распоряжениеот 4 декабря 2023 г. № 6804р "О предоставлении разрешения на условно разрешенный вид использования земельного участка, расположенного в Северном территориальном округе г. Архангельска по ул. Побережной, об утверждении схемы расположения земельного участка"
- Распоряжение от 4 декабря 2023 г. № 6802р "О предоставлении разрешения на условно разрешенный вид использования земельного участка, расположенного в Маймаксанском территориальном округе г. Архангельска по улице Охотной"
- Распоряжение от 4 декабря 2023 г. № 6801р "О предоставлении разрешения на условно разрешенный вид использования земельного участка, расположенного в территориальном округе Варавино-Фактория г. Архангельска по ул. Белогорской, об утверждении схемы расположения земельного участка"
- Распоряжение от 2 ноября 2023 года № 6184р "О внесении изменений в распоряжение Главы городского округа "Город Архангельск" от 7 апреля 2022 года № 1907р"
- Распоряжение от 2 ноября 2023 г. № 6200р "О предоставлении разрешения на условно разрешенный вид использования земельного участка, расположенного в Маймаксанском территориальном округе г. Архангельска по улице Постышева, об утверждении схемы расположения земельного участка"
- Распоряжение от 2 ноября 2023 г. № 6179р "О предоставлении разрешения на условно разрешенный вид использования земельного участка, расположенного в Ломоносовском территориальном округе г. Архангельска по улице Чапаева"
- Распоряжение от 2 ноября 2023 г. № 6178р "О предоставлении разрешения на условно разрешенный вид использования земельного участка, расположенного в территориальном округе Варавино-Фактория г. Архангельска по проспекту Ленинградскому"
- Распоряжение от 2 ноября 2023 г. № 6177р "О предоставлении разрешения на условно разрешенный вид использования земельного участка, расположенного в Маймаксанском территориальном округе г. Архангельска по ул. Кольцевой, об утверждении схемы расположения земельного участка"
- Распоряжение от 2 ноября 2023 г. № 6176р "О предоставлении разрешения на условно разрешенный вид использования земельных участков, расположенных в г. Архангельске, об утверждении схем расположения земельных участков"
- Распоряжение от 2 ноября 2023 г. № 6175р " О предоставлении разрешения на условно разрешенный вид использования земельного участка, расположенного в Октябрьском территориальном округе г. Архангельска Черная Курья 4-я линия, об утверждении схемы расположения земельного участка"
- Распоряжение от 2 ноября 2023 г. № 6174р " предоставлении разрешения на условно разрешенный вид использования земельных участков, расположенных в Октябрьском территориальном округе г. Архангельска Черная Курья 3-я линия, об утверждении схем расположения земельных участков"
- Распоряжение от 2 ноября 2023 г. № 6173р " О предоставлении разрешения на условно разрешенный вид использования земельного участка, расположенного в Северном территориальном округе г. Архангельска улице Ильича, об утверждении схемы расположения земельного участка"
- Распоряжение от 2 ноября 2023 г. № 6172р "О предоставлении разрешения на условно разрешенный вид использования земельного участка, расположенного в Северном территориальном округе г. Архангельска по ул. Богового В.Г, об утверждении схемы расположения земельного участка"
- Распоряжение от 2 ноября 2023 г. № 6171р "О предоставлении разрешения на условно разрешенный вид использования земельного участка, расположенного в Исакогорском территориальном округе г. Архангельска по улице Дорожников"
- Распоряжение от 13 октября 2023 г. № 5813р "Об установлении соответствия вида разрешенного использования земельного участка с кадастровым номером 29:22:040744:857 "
- Распоряжение от 5 октября 2023 г. № 5642р " О предоставлении разрешения на условно разрешенный вид использования земельных участков, расположенных в Соломбальском территориальном округе г. Архангельска по Маймаксанскому шоссе (между ул. Мостовой и ул. Речной)"
- Распоряжение от 5 октября 2023 г. № 5649р "О предоставлении разрешения на условно разрешенный вид использования земельного участка, расположенного в поселке Турдеевск городского округа "Город Архангельск" Архангельской области по улице Таежной, об утверждении схемы расположения земельного участка"
- Распоряжение от 5 октября 2023 г. № 5648р " О предоставлении разрешения на условно разрешенный вид использования земельного участка, расположенного в Исакогорском территориальном округе г. Архангельска, по улице Тяговой"
- Распоряжение от 5 октября 2023 г. № 5647р "О предоставлении разрешения на отклонение от предельных параметров реконструкции объекта капитального строительства (индивидуальный жилой дом) на земельном участке, расположенном в Маймаксанском территориальном г. Архангельска улице Вельможного"
- Распоряжение от 5 октября 2023 г. № 5646р " О предоставлении разрешения на условно разрешенный вид использования земельного участка, расположенного в Октябрьском территориальном округе г. Архангельска по улице Воскресенской "
- Распоряжение от 5 октября 2023 г. № 5645р "О предоставлении разрешения на условно разрешенный вид использования земельного участка, расположенного в территориальном округе Варавино-Фактория г. Архангельске по проспекту Ленинградскому"
- Распоряжение от 5 октября 2023 г. № 5644р " О предоставлении разрешения на условно разрешенный вид использования земельного участка, расположенного в Соломбальском территориальном округе г. Архангельска, по улице Усть-Двинской"
- Распоряжение от 5 октября 2023 г. № 5643р " О предоставлении разрешения на условно разрешенный вид использования земельного участка, расположенного в территориальном округе Варавино-Фактория г. Архангельска, по улице Дорожной, об утверждении схемы расположения земельного участка "
- Распоряжение от 5 октября 2023 г. № 5641р " О предоставлении разрешения на условно разрешенный вид использования земельного участка, об утверждении схемы расположения земельного участка, о предоставлении разрешения на отклонение от предельных параметров реконструкции объекта капитального строительства на земельном участке, расположенном в Октябрьском территориальном г. Архангельска по проспекту Троицкому"
- Распоряжение от 5 октября 2023 г. № 5640р "Об отказе в предоставлении разрешения на условно разрешенный вид использования земельного участка, в утверждении схемы расположения земельного участка, в предоставлении разрешения на отклонение от предельных параметров земельного участка (предельный размер земельного участка), расположенного в Соломбальском территориальном г. Архангельска по переулку 2-му Сокольскому "
- Распоряжение от 5 октября 2023 г. № 5639р "О предоставлении разрешения на условно разрешенный вид использования земельного участка, расположенного в территориальном округе Варавино-Фактория г. Архангельске по проспекту Ленинградскому, об утверждении схемы расположения земельного участка "
- Распоряжение от 5 октября 2023 г. № 5638р " О предоставлении разрешения на условно разрешенный вид использования земельных участков, расположенных в Соломбальском территориальном округе г. Архангельска, об утверждении схем расположения земельных участков"
- Распоряжение от 5 октября 2023 г. № 5636р " Об отказе в предоставлении разрешения на отклонение от предельных параметров разрешенного строительства объекта капитального строительства (многоквартирный жилой дом) на земельном участке, расположенном в Соломбальском территориальном г. Архангельска улице Ярославской "
- Распоряжение от 4 сентября 2023 г. № 5032р "О предоставлении разрешения на отклонение от предельных параметров разрешенного строительства объекта капитального строительства (среднеэтажный жилой дом) на земельном участке, расположенном в Соломбальском территориальном округе г. Архангельска по улице Валявкина"
- Распоряжение от 4 сентября 2023 г. № 5019р "О предоставлении разрешения на условно разрешенный вид использования земельного участка, расположенного в территориальном округе Варавино-Фактория г. Архангельска по улице Силикатчиков, об утверждении схемы расположения земельного участка "
- Распоряжение от 4 сентября 2023 г. №5018р "О предоставлении разрешения на условно разрешенный вид использования земельного участка, расположенного в Исакогорском территориальном округе г. Архангельске по проспекту Северному, об утверждении схемы расположения земельного участка "
- Распоряжение от 4 сентября 2023 г. № 5017р "О предоставлении разрешения на условно разрешенный вид использования земельного участка, расположенного в Маймаксанском округе территориальном округе г. Архангельска по улице Ладожской, об утверждении схемы расположения земельного участка"
- Распоряжение от 4 сентября 2023 г. № 5016р "О предоставлении разрешения на условно разрешенный вид использования земельного участка, расположенного в Северном территориальном округе г. Архангельска по улице Ларионова С.Н., об утверждении схемы расположения земельного участка"
- Распоряжение от 4 сентября 2023 г. № 5013р "О предоставлении разрешения на условно разрешенный вид использования земельного участка, расположенного в территориальном округе Варавино-Фактория г. Архангельска по улице Старожаровихинской, об утверждении схемы расположения земельного участка "
- Распоряжение от 25 июля 2023 г. 4299р "О предоставлении разрешения на условно разрешенный вид использования земельного участка, расположенного в территориальном округе Майская горка г. Архангельска по улице Дачной"
- Распоряжение от 25 июля 2023 г. 4298р "О предоставлении разрешения на условно разрешенный вид использования земельных участков, расположенных в Октябрьском территориальном округе г. Архангельска по улице Тимме Я."
- Распоряжение от 25 июля 2023 г. № 4297р "О предоставлении разрешения на отклонение от предельных параметров реконструкции объекта капитального строительства (индивидуальный жилой дом) на земельном участке, расположенном в Маймаксанском территориальном округе г. Архангельска по улице Юности"
- Распоряжение от 25 июля 2023 г. 4296р "О предоставлении разрешения на отклонение от предельных параметров разрешенного строительства объекта капитального строительства (индивидуальный жилой дом) на земельном участке, расположенном в территориальном округе Майская горка г. Архангельска по улице Деревообделочников"
- Распоряжение от 25 июля 2023 г. 4295р "О предоставлении разрешения на отклонение от предельных параметров разрешенного строительства объекта капитального строительства (индивидуальный жилой дом) на земельном участке, расположенном в территориальном округе Варавино-Фактория г. Архангельска, территория КИЗ Силикат 1-я линия"
- Распоряжение от 25 июля 2023 г. 4294р "О предоставлении разрешения на отклонение от предельных параметров разрешенного строительства объекта капитального строительства (индивидуальный жилой дом) на земельном участке, расположенном в территориальном округе Майская горка г. Архангельска по улице Некрасова"
- Распоряжение от 25 июля 2023 г № 4293р "О предоставлении разрешения на условно разрешенный вид использования земельного участка, расположенного в Ломоносовском территориальном округе г. Архангельска по проспекту Новгородскому
- Распоряжение от 25 июля 2023 г. 4292р "О предоставлении разрешения на условно разрешенный вид использования земельного участка, расположенного в Соломбальском территориальном округе г. Архангельска улице Мостовой, об утверждении схемы расположения земельного участка"
- Распоряжение от 25 июля 2023 г. 4291р "О предоставлении разрешения на отклонение от предельных параметров реконструкции объекта капитального строительства на земельном участке, расположенном в Ломоносовском территориальном округе г. Архангельска по проспекту Новгородскому"
- Распоряжение от 15 июня 2023 г. № 3470р "О предоставлении разрешения на отклонение от предельных параметров разрешенного строительства объекта капитального строительства (индивидуальный жилой дом) на земельном участке, расположенном в Маймаксанском территориальном округе г. Архангельска по улице Вельможного"
- Распоряжение от 15 июня 2023 г. № 3469р "О предоставлении разрешения на условно разрешенный вид использования земельного участка, расположенного в Исакогорском территориальном округе г. Архангельска улице Доковской"
- Распоряжение от 15 июня 2023 г. № 3468р "О предоставлении разрешения на условно разрешенный вид использования земельного участка, расположенного в Цигломенском территориальном округе г. Архангельска, по улице Комбинатовской, об утверждении схемы расположения земельного участка"
- Распоряжениеот от 15 июня 2023 г. № 3467р "О предоставлении разрешения на отклонение от предельных параметров разрешенного строительства объекта капитального строительства (склад) на земельном участке, расположенном в Ломоносовском территориальном округе г. Архангельска по улице Павла Усова"
- Распоряжение от 15 июня 2023 г. № 3466р "О предоставлении разрешения на условно разрешенный вид использования земельных участков, расположенных в г. Архангельске, об утверждении схемы расположения земельного участка"
- Распоряжение от 15 июня 2023 г. № 3465р "О предоставлении разрешения на отклонение от предельных параметров разрешенного строительства объекта капитального строительства (индивидуальный жилой дом) на земельном участке, расположенном в территориальном округе Варавино-Фактория г. Архангельска по проспекту Ленинградскому"
- Распоряжение от 15 июня 2023 г. № 3464р "О предоставлении разрешения на отклонение от предельных параметров разрешенного строительства объекта капитального строительства (индивидуальный жилой дом) на земельном участке, расположенном в Соломбальском территориальном округе г. Архангельска по улице Восточной"
- Распоряжение от 15 июня 2023 г. № 3463р "О предоставлении разрешения на условно разрешенный вид использования земельных участков, расположенных в г. Архангельске, об утверждении схем расположения земельных участков"
- Распоряжение от 15 июня 2023 г. № 3462р "О предоставлении разрешения на отклонение от предельных параметров разрешенного строительства объекта капитального строительства (многоквартирный жилой дом) на земельном участке, расположенном в Ломоносовском территориальном округе г. Архангельска по проспекту Ломоносова"
- Распоряжениеот 5 июня 2023 г. № 3188р "Об установлении соответствия вида разрешенного использования земельного участка с кадастровым номером 29:22:050511:6"
- Распоряжение от 24 мая 2023 г. № 2873р "О внесении изменения в распоряжение Главы городского округа "Город Архангельск" от 31 марта 2023 г. № 1649р"
- Распоряжение от 19 мая 2023 г. № 2822р "О предоставлении разрешения на условно разрешенный вид использования земельного участка, расположенного в Октябрьском территориальном округе г. Архангельска по улице К.С. Бадигина, об утверждении схемы расположения земельного участка"
- Распоряжение от 19 мая 2023 г. № 2821р "О предоставлении разрешения на условно разрешенный вид использования земельного участка, расположенного в Маймаксанском территориальном округе г. Архангельска улице Постышева, об утверждении схемы расположения земельного участка"
- Распоряжение от 19 мая 2023 г. № 2820р "О предоставлении разрешения на условно разрешенный вид использования земельных участков, расположенных в г. Архангельске"
- Распоряжениеот 19 мая 2023 г. № 2819р "О предоставлении разрешения на условно разрешенный вид использования земельного участка, расположенного в территориальном округе Варавино-Фактория г. Архангельска улице Силикатчиков, об утверждении схемы расположения земельного участка"
- Распоряжение от 19 мая 2023 г. № 2818р "О предоставлении разрешения на условно разрешенный вид использования земельного участка, расположенного в Маймаксанском территориальном округе г. Архангельске по улице Менделеева"
- Распоряжение от 28 апреля 2023 г. № 2344р "О предоставлении разрешения на отклонение от предельных параметров разрешенного строительства объекта капитального строительства (индивидуальный жилой дом) на земельном участке, расположенном в Соломбальском территориальном г. Архангельска улице Таймырской"
- Распоряжение от 28 апреля 2023 г. № 2346р "О предоставлении разрешения на условно разрешенный вид использования земельного участка, расположенного в Октябрьском территориальном округе г. Архангельске по Талажскому шоссе, об утверждении схемы расположения земельного участка"
- Распоряжение от 28 апреля 2023 г. № 2347р "О предоставлении разрешения на условно разрешенный вид использования земельного участка, расположенного в Маймаксанском территориальном округе г. Архангельска, по улице Реушеньгской, об утверждении схемы расположения земельного участка"
- Распоряжение от 28 апреля 2023 г. № 2365р "О предоставлении разрешения на условно разрешенный вид использования земельных участков, расположенных в г. Архангельске, об утверждении схемы расположения земельного участка"
- Распоряжение от 28 апреля 2023 г. № 2326р "О предоставлении разрешения на условно разрешенный вид использования земельного участка, расположенного в территориальном округе Варавино-Фактория г. Архангельска по проспекту Ленинградскому"
- Распоряжение от 28 апреля 2023 г. № 2352р "Об отказе предоставлении разрешения на отклонение от предельных параметров разрешенного строительства объекта капитального строительства (многоквартирный жилой дом) на земельном участке, расположенном в Соломбальском территориальном г. Архангельска улице Ярославской"
- Распоряжение от 28 апреля 2023 г. № 2335р "О предоставлении разрешения на отклонение от предельных параметров разрешенного строительства объекта капитального строительства (индивидуальный жилой дом) на земельном участке, расположенном в территориальном округе Варавино-Фактория г. Архангельска по улице Красносельской"
- Распоряжение от 28 апреля 2023 г. № 2341р "О предоставлении разрешения на условно разрешенный вид использования земельного участка, расположенного в Ломоносовском территориальном округе г. Архангельске по проспекту Обводный канал, об утверждении схемы расположения земельного участка"
- Распоряжение от 28 апреля 2023 г. № 2343р "О предоставлении разрешения на условно разрешенный вид использования земельных участков, расположенных в г. Архангельске, об утверждении схемы расположения земельного участка "
- Распоряжение от 28 апреля 2023 г. № 2338р "О предоставлении разрешения на отклонение от предельных параметров разрешенного строительства объекта капитального строительства (индивидуальный жилой дом) на земельном участке, расположенном в территориальном округе Варавино-Фактория г. Архангельска по проспекту Ленинградскому"
- Распоряжение от 28 апреля 2023 г. № 2342р "Об отказе предоставлении разрешения на условно разрешенный вид использования земельного участка, расположенного в Октябрьском территориальном округе г. Архангельска по улице Логинова"
- Распоряжение от 28 апреля 2023 г. № 2339р "О предоставлении разрешения на условно разрешенный вид использования земельного участка, расположенного в Исакогорском территориальном округе г. Архангельска улице Доковской, об утверждении схемы расположения земельного участка"
- Распоряжение от 28 апреля 2023 г. № 2340р "О предоставлении разрешения на условно разрешенный вид использования земельных участков, расположенных в г. Архангельске, об утверждении схем расположения земельных участков "
- Распоряжение от 28 апреля 2023 г. № 2345р "О предоставлении разрешения на условно разрешенный вид использования земельного участка, расположенного в Соломбальском территориальном округе г. Архангельска, по улице Беломорской, об утверждении схемы расположения земельного участка"
- Распоряжение от 3 мая 2023 г. № 2438р "О внесении изменения в распоряжение Главы городского округа "Город Архангельск" от 28 февраля 2023 г. № 936р"
- Распоряжение от от 3 мая 2023 г. № 2437р "Об установлении соответствия вида разрешенного использования земельного участка с кадастровым номером 29:22:071601:459 "
- Распоряжение от 3 мая 2023 г. № 2440р "О предоставлении разрешения на условно разрешенный вид использования земельного участка, расположенного в Исакогорском территориальном округе г. Архангельска, по улице Лесозаводской, об утверждении схемы расположения земельного участка"
- Распоряжение от 31 марта 2023 г. № 1665р "О предоставлении разрешения на условно разрешенный вид использования земельного участка, расположенного в Ломоносовском территориальном округе г. Архангельска по улице Володарского"
- Распоряжение от 31 марта 2023 г. № 1642р "О предоставлении разрешения на условно разрешенный вид использования земельных участков, расположенных в г. Архангельске, об утверждении схем расположения земельных участков"
- Распоряжение от 31 марта 2023 г. № 1643р "О предоставлении разрешения на условно разрешенный вид использования земельного участка, расположенного в территориальном округе Варавино-Фактория г. Архангельска, по проспекту Ленинградскому, об утверждении схемы расположения земельного участка"
- Распоряжение от 31 марта 2023 г. № 1667р "О предоставлении разрешения на условно разрешенный вид использования земельного участка, расположенного в территориальном округе Варавино-Фактория г. Архангельска по улице Воронина В.И."
- Распоряжениеот 31 марта 2023 г. № 1668р "О предоставлении разрешения на условно разрешенный вид использования земельных участков, расположенных в территориальном округе Майская горка г. Архангельска по улице Карпогорской"
- Распоряжение от 31 марта 2023 г. № 1671р "О предоставлении разрешения на условно разрешенный вид использования земельных участков, расположенных в г. Архангельске"
- Распоряжение от 31 марта 2023 г. № 1645р "О предоставлении разрешения на условно разрешенный вид использования земельного участка, расположенного в Исакогорском территориальном округе г. Архангельска по улице Вычегодской, об утверждении схемы расположения земельного участка"
- Распоряжение от 31 марта 2023 г. № 1664р "О предоставлении разрешения на условно разрешенный вид использования земельного участка, расположенного в Соломбальском территориальном округе г. Архангельска, по Маймаксанскому шоссе, об утверждении схемы расположения земельного участка
- Распоряжение от 31 марта 2023 г. № 1647р "О предоставлении разрешения на условно разрешенный вид использования земельного участка, расположенного в Ломоносовском территориальном округе г. Архангельска по проспекту Новгородскому"
- Распоряжение от 31 марта 2023 г. № 1666р "О предоставлении разрешения на условно разрешенный вид использования земельного участка, об утверждении схемы расположения земельного участка, о предоставлении разрешения на отклонение от предельных параметров разрешенного строительства объекта капитального строительства (индивидуальный жилой дом) на земельном участке, расположенном в Исакогорском территориальном г. Архангельска по улице Караванной"
- Распоряжение от 3 апреля 2023 г. № 1694р "Об установлении соответствия вида разрешенного использования земельного участка с кадастровым номером 29:16:064701:270"
- Распоряжение от 31 марта 2023 г. № 1670р "О предоставлении разрешения на условно разрешенный вид использования земельного участка, расположенного в Северном территориальном округе г. Архангельска по улице Ларионова С.Н., об утверждении схемы расположения земельного участка"
- Распоряжениеот 31 марта 2023 г. № 1648р "О предоставлении разрешения на условно разрешенный вид использования земельного участка, расположенного в территориальном округе Варавино-Фактория г. Архангельска по улице Кривоборской"
- Распоряжение от 31 марта 2023 г. № 1649р "О предоставлении разрешения на условно разрешенный вид использования земельного участка, расположенного в Исакогорском территориальном округе г. Архангельска по улице Караванной, об утверждении схемы расположения земельного участка"
- Распоряжение от 31 марта 2023 г. № 1650р "О предоставлении разрешения на условно разрешенный вид использования земельного участка, расположенного в Северном территориальном округе г. Архангельска по улице Ларионова С.Н., об утверждении схемы расположения земельного участка"
- Распоряжение от 31 марта 2023 г. № 1644р "О предоставлении разрешения на отклонение от предельных параметров разрешенного строительства объекта капитального строительства (индивидуальный жилой дом) на земельном участке, расположенном в Соломбальском территориальном округе г. Архангельска по улице Маймаксанской"
- Распоряжение от 31 марта 2023 г. № 1646р "О предоставлении разрешения на условно разрешенный вид использования земельного участка, расположенного в Северном территориальном округе г. Архангельска по улице Ларионова С.Н., об утверждении схемы расположения земельного участка"
- Распоряжение от 31 марта 2023 г. № 1652р "О предоставлении разрешения на отклонение от предельных параметров разрешенного строительства объекта капитального строительства (индивидуальный жилой дом) на земельном участке, расположенном в Ломоносовском территориальном округе г. Архангельска по улице Новоквартальной"
- Распоряжение от 31 марта 2023 г. № 1672р "О предоставлении разрешения на условно разрешенный вид использования земельного участка, расположенного в Северном территориальном округе г. Архангельска, по улице Богового В.Г., об утверждении схемы расположения земельного участка"
- Распоряжение от 31 марта 2023 г. № 1669р "О предоставлении разрешения на условно разрешенный вид использования земельного участка, расположенного в Северном территориальном округе г. Архангельска по улице Ларионова С.Н., об утверждении схемы расположения земельного участка"
- Распоряжение от 31 марта 2023 г. № 1651р "О предоставлении разрешения на условно разрешенный вид использования земельного участка, расположенного в Исакогорском территориальном округе г. Архангельска по улице Вычегодской, об утверждении схемы расположения земельного участка"
- Распоряжение от 28 февраля 2023 г. № 942р "О предоставлении разрешения на условно разрешенный вид использования земельного участка, расположенного в Маймаксанском территориальном округе г. Архангельске по ул. Родионова, об утверждении схемы расположения земельного участка"
- Распоряжение от 28 февраля 2023 г. № 941р "О предоставлении разрешения на условно разрешенный вид использования земельных участков, расположенных в г. Архангельске, об утверждении схемы расположения земельного участка"
- Распоряжение от 28 февраля 2023 г. № 940р "О предоставлении разрешения на условно разрешенный вид использования земельного участка, расположенного в территориальном округе Варавино-Фактория г. Архангельска, по улице Старожаровихинской, об утверждении схемы расположения земельного участка"
- Распоряжение от 28 февраля 2023 г. № 939р "О предоставлении разрешения на условно разрешенный вид использования земельных участков, расположенных в территориальном округе Майская горка г. Архангельска"
- Распоряжение от 28 февраля 2023 г. № 938р "О предоставлении разрешения на условно разрешенный вид использования земельного участка, расположенного в Северном территориальном округе г. Архангельска, по улице Тихой, об утверждении схемы расположения земельного участка"
- Распоряжение от 28 февраля 2023 г. № 937р "О предоставлении разрешения на условно разрешенный вид использования земельного участка, расположенного в Северном территориальном округе г. Архангельска, по улице Ларионова С.Н., об утверждении схемы расположения земельного участка"
- Распоряжение от 28 февраля 2023 г. № 936р "О предоставлении разрешения на условно разрешенный вид использования земельного участка, расположенного в Маймаксанском территориальном округе г. Архангельска улице Кольцевой, об утверждении схемы расположения земельного участка"
- Распоряжениеот 28 февраля 2023 г. № 935р "О предоставлении разрешения на отклонение от предельных параметров разрешенного строительства объекта капитального строительства (индивидуальный жилой дом) на земельном участке, расположенном в Соломбальском территориальном округе г. Архангельска по улице Маймаксанской"
- Распоряжение от 28 февраля 2023 г. № 934р "О предоставлении разрешения на условно разрешенный вид использования земельного участка, расположенного в Октябрьском территориальном округе г. Архангельска улице КЛДК, об утверждении схемы расположения земельного участка"
- Распоряжениеот 28 февраля 2023 г. № 933р "О предоставлении разрешения на условно разрешенный вид использования земельного участка, расположенного в Маймаксанском территориальном округе г. Архангельска улице Сибирской, об утверждении схемы расположения земельного участка"
- Распоряжение от 28 февраля 2023 г. № 932р "О предоставлении разрешения на условно разрешенный вид использования земельного участка, расположенного в Северном территориальном округе г. Архангельска, по улице Ларионова С.Н., об утверждении схемы расположения земельного участка"
- Распоряжение от 28 февраля 2023 г. № 931р "О предоставлении разрешения на условно разрешенный вид использования земельного участка, расположенного в территориальном округе Майская горка г. Архангельске по ул. Лермонтова, об утверждении схемы расположения земельного участка"
- Распоряжение от 28 февраля 2023 г. № 930р "О предоставлении разрешения на условно разрешенный вид использования земельных участков, расположенных в Маймаксанском территориальном округе г. Архангельска улице Мудьюгской, об утверждении схем расположения земельных участков"
- Распоряжение от 28 февраля 2023 г. № 929р "О предоставлении разрешения на условно разрешенный вид использования земельного участка, расположенного в Северном территориальном округе г. Архангельска, по улице Ларионова С.Н., об утверждении схемы расположения земельного участка"
- Распоряжение от 10 февраля 2023 г. № 628р "О предоставлении разрешения на условно разрешенный вид использования земельного участка, расположенного в Октябрьском территориальном округе г. Архангельска по улице Самойло"
- Распоряжение от 10 февраля 2023 г. № 624р @О предоставлении разрешения на условно разрешенный вид использования земельного участка, расположенного в Маймаксанском территориальном округе г. Архангельска улице Мудьюгской, об утверждении схемы расположения земельного участка@
- Распоряжение от 10 февраля 2023 г. № 625р "О предоставлении разрешения на условно разрешенный вид использования земельного участка, расположенного в территориальном округе Майская горка г. Архангельска по улице Прокопия Галушина"
- Распоряжение от 10 февраля 2023 г. № 626р "О предоставлении разрешения на условно разрешенный вид использования земельного участка, расположенного в Маймаксанском территориальном округе г. Архангельске по ул. Победы, об утверждении схемы расположения земельного участка"
- Распоряжение от 10 февраля 2023 г. № 627р "О предоставлении разрешения на отклонение от предельных параметров разрешенного строительства объекта капитального строительства (малоэтажный многоквартирный жилой дом) на земельном участке, расположенном в Исакогорском территориальном г. Архангельска по улице Рейдовой@
- Распоряжение от 9 февраля 2023 г. № 612р "О предоставлении разрешения на условно разрешенный вид использования земельного участка, расположенного в территориальном округе Варавино-Фактория г. Архангельска по улице Кривоборской"
- Распоряжение от 9 февраля 2023 г. № 611р "О предоставлении разрешения на отклонение от предельных параметров реконструкции объекта капитального строительства (индивидуальный жилой дом) на земельном участке, расположенном в Маймаксанском территориальном округе г. Архангельска по улице Кольцевой"
- Распоряжение от 9 февраля 2023 г. № 610р "О предоставлении разрешения на условно разрешенный вид использования земельного участка, расположенного в Ломоносовском территориальном округе г. Архангельска по улице Карла Либкнехта"
- Распоряжение от 9 февраля 2023 г. № 609р "О предоставлении разрешения на отклонение от предельных параметров разрешенного строительства объекта капитального строительства (индивидуальный жилой дом) на земельном участке, расположенном в Соломбальском территориальном округе г. Архангельска по улице Маймаксанской"
- Распоряжение от 9 февраля 2023 г. № 608р "О предоставлении разрешения на отклонение от предельных параметров реконструкции объекта капитального строительства (индивидуальный жилой дом) на земельном участке, расположенном в территориальном округе Майская горка г. Архангельска по улице Некрасова"
- Распоряжение от 9 февраля 2023 г. № 607р "О предоставлении разрешения на условно разрешенный вид использования земельного участка, расположенного в Октябрьском территориальном округе г. Архангельска по набережной Северной Двины"
- Распоряжение от 10 февраля 2023 г. № 629р "О предоставлении разрешения на условно разрешенный вид использования земельных участков, расположенных в г. Архангельске"
- Распоряжение от 10 февраля 2023 г. № 630р "О предоставлении разрешения на отклонение от предельных параметров разрешенного строительства объекта капитального строительства (индивидуальный жилой дом) на земельном участке, расположенном в Цигломенском территориальном округе г. Архангельска, территория товарищества собственников недвижимости Малое Никольское"
- Распоряжение от 10 февраля 2023 г. № 632р "О предоставлении разрешения на отклонение от предельных параметров разрешенного строительства объекта капитального строительства (индивидуальный жилой дом) на земельном участке, расположенном в территориальном округе Майская горка г. Архангельска, по улице Молодежной"
- Распоряжение от 10 февраля 2023 г. № 631р "О предоставлении разрешения на условно разрешенный вид использования земельных участков, расположенных г. Архангельске, об утверждении схем расположения земельных участков"
- Распоряжение от 10 февраля 2023 г. № 633р "О предоставлении разрешения на отклонение от предельных параметров разрешенного строительства объекта капитального строительства здания пациент-отеля (гостиничное обслуживание) на земельном участке, расположенном в Октябрьском территориальном г. Архангельска по проезду Сибиряковцев"
- Распоряжение от 10 февраля 2023 г. № 615р "О предоставлении разрешения на условно разрешенный вид использования земельного участка, расположенного в Октябрьском территориальном округе г. Архангельска по набережной Северной Двины"
- Распоряжение от 10 февраля 2023 г. № 614р "О предоставлении разрешения на отклонение от предельных параметров реконструкции объекта капитального строительства (индивидуальный жилой дом) на земельном участке, расположенном в Соломбальском территориальном округе г. Архангельска по улице Суханова"
- Распоряжение от 24 января 2023 г. № 274р "Об установлении соответствия вида разрешенного использования земельного участка с кадастровым номером 29:22:071601:127"
- Распоряжение от 29 декабря 2022 г. №8694р "Об установлении соответствия вида разрешенного использования земельных участков"
- Распоряжение от 23 декабря 2022 г. № 8488р "О предоставлении разрешения на условно разрешенный вид использования земельного участка, расположенного в Исакогорском территориальном г. Архангельска по улице Караванной"
- Распоряжение от 22 декабря 2022 г. № 8453р "О предоставлении разрешения на условно разрешенный вид использования земельного участка, расположенного в Исакогорском территориальном округе г. Архангельска по улице Первой, об утверждении схемы расположения земельного участка"
- Распоряжение от 22 декабря 2022 г. № 8452р "О предоставлении разрешения на отклонение от предельных параметров разрешенного строительства объектов капитального строительства (два индивидуальных жилых дома) на земельном участке, расположенном в территориальном округе Варавино-Фактория г. Архангельска по проспекту Ленинградскому"
- Распоряжение от 22 декабря 2022 г. № 8451р "О предоставлении разрешения на отклонение от предельных параметров разрешенного строительства объекта капитального строительства (индивидуальный жилой дом) на земельном участке, расположенном в территориальном округе Варавино-Фактория г. Архангельска по улице Кривоборской"
- Распоряжение от 22 декабря 2022 г. № 8449р "О предоставлении разрешения на условно разрешенный вид использования земельных участков, расположенных в Маймаксанском территориальном округе г. Архангельска по улице Инессы Арманд, об утверждении схемы расположения земельных участков"
- Распоряжение от 22 декабря 2022 г. № 8448р "О предоставлении разрешения на условно разрешенный вид использования земельного участка, расположенного в Соломбальском территориальном округе по Маймаксанскому шоссе"
- Распоряжение от 22 декабря 2022 г. № 8446р "О предоставлении разрешения на условно разрешенный вид использования земельного участка, расположенного в Исакогорском территориальном округе г. Архангельска улице Доковской, об утверждении схемы расположения земельного участка"
- Распоряжение от 22 декабря 2022 г. № 8447р "О предоставлении разрешения на условно разрешенный вид использования земельного участка и объекта капитального строительства (объект незавершенного строительства), расположенных в территориальном округе Варавино-Фактория г. Архангельска по проспекту Ленинградскому"
- Распоряжение от 22 декабря 2022 г. . № 8450р "О предоставлении разрешения на условно разрешенный вид использования земельного участка, расположенного в Северном территориальном округе г. Архангельска по улице Ларионова С.Н., об утверждении схемы расположения земельного участка"
- Распоряжение от 16 ноября 2022 г. № 7328р "О предоставлении разрешения на условно разрешенный вид использования земельного участка, расположенного в Северном территориальном округе г. Архангельска по улице Богового В.Г., об утверждении схемы расположения земельного участка"
- Распоряжение от 16 ноября 2022 г. № 7327р "О предоставлении разрешения на условно разрешенный вид использования земельного участка, расположенного в Соломбальском территориальном округе г. Архангельска по Маймаксанскому шоссе"
- Распоряжение от 16 ноября 2022 г. № 7326р "О предоставлении разрешения на отклонение от предельных параметров разрешенного строительства объекта капитального строительства (индивидуальный жилой дом) на земельном участке, расположенном в Соломбальском территориальном округе г. Архангельска по улице Совхозной"
- Распоряжение от 16 ноября 2022 г. № 7325р "О предоставлении разрешения на условно разрешенный вид использования земельного участка, расположенного в территориальном округе Майская горка г. Архангельска по улице Ленина"
- Распоряжение от 16 ноября 2022 г. № 7324р "О предоставлении разрешения на условно разрешенный вид использования земельного участка, расположенного в Соломбальском территориальном округе г. Архангельска по улице Арктической, об утверждении схемы расположения земельного участка"
- Распоряжение от 16 ноября 2022 г. № 7323р "О предоставлении разрешения на условно разрешенный вид использования земельного участка, расположенного в Маймаксанском территориальном округе г. Архангельска по улице Ладожской, об утверждении схемы расположения земельного участка"
- Распоряжение от 16 ноября 2022 г. № 7322р "О предоставлении разрешения на условно разрешенный вид использования земельного участка, расположенного в поселке Турдеевск городского округа "Город Архангельск" по ул. Турдеевской, об утверждении схемы расположения земельного участка"
- Распоряжение от 16 ноября 2022 г. № 7321р "О предоставлении разрешения на условно разрешенный вид использования земельного участка, расположенного в территориальном округе Майская горка г. Архангельска по улице Песчаной"
- Распоряжение от 16 ноября 2022 г. № 7320р "О предоставлении разрешения на условно разрешенный вид использования земельного участка, расположенного в территориальном округе Майская горка г. Архангельска по проспекту Ленинградскому, об утверждении схемы расположения земельного участка"
- Распоряжение от 16 ноября 2022 г. № 7318р "О предоставлении разрешения на условно разрешенный вид использования земельного участка, расположенного в Исакогорском территориальном округе г. Архангельска по улице Дежнёвцев"
- Распоряжение от 22 ноября 2022 г. № 7454р "О внесении изменений в распоряжение Главы городского округа "Город Архангельск" от 27 октября 2022 года № 6800р"
- Распоряжение от 27 октября 2022 г. № 6831р "О предоставлении разрешения на условно разрешенный вид использования земельного участка, расположенного в Северном территориальном округе г. Архангельска по улице Богового В.Г., об утверждении схемы расположения земельного участка"
- Распоряжение от 27 октября 2022 г. №6799р "О предоставлении разрешения на условно разрешенный вид использования земельного участка, расположенного в Соломбальском территориальном округе г. Архангельска по улице Гренландской, об утверждении схемы расположения земельного участка"
- Распоряжение от 27 октября 2022 г. № 6806р "О предоставлении разрешения на условно разрешенный вид использования земельного участка, расположенного в Цигломенском территориальном округе г. Архангельска по улице Комбинатовской, об утверждении схемы расположения земельного участка"
- Распоряжение от 12 октября 2022 г. № 6802р "О предоставлении разрешения на отклонение от предельных параметров реконструкции объекта капитального строительства (индивидуальный жилой дом) на земельном участке, расположенном в Маймаксанском территориальном округе г. Архангельска по улице Юности"
- Распоряжение от 12 октября 2022 г. № 6807р "О предоставлении разрешения на условно разрешенный вид использования земельного участка, расположенного в Соломбальском территориальном округе г. Архангельска по улице Декабристов, об утверждении схемы расположения земельного участка"
- Распоряжение от 27 октября 2022 г. № 6804р "О предоставлении разрешения на условно разрешенный вид использования земельного участка, расположенного в Северном территориальном округе г. Архангельска по улице Ларионова С.Н., об утверждении схемы расположения земельного участка"
- Распоряжение от 27 октября 2022 г. № 6801р "О предоставлении разрешения на отклонение от предельных параметров реконструкции объекта капитального строительства (индивидуальный жилой дом) на земельном участке, расположенном в территориальном округе Варавино-Фактория г. Архангельска по переулку Конецгорскому"
- Распоряжение от 27 октября 2022 г. № 6803р "О предоставлении разрешения на отклонение от предельных параметров разрешенного строительства объекта капитального строительства (индивидуальный жилой дом) на земельном участке, расположенном в Соломбальском территориальном округе г. Архангельска по улице Сибирякова "
- Распоряжение от 27 октября 2022 г. № 6805р "О предоставлении разрешения на условно разрешенный вид использования земельного участка, расположенного в Октябрьском территориальном округе г. Архангельска по улице Вологодской"
- Распоряжение от 27 октября 2022 г. № 6808р "О предоставлении разрешения на условно разрешенный вид использования земельного участка, расположенного в Соломбальском территориальном округе г. Архангельска по улице Мостовой"
- Распоряжение от 27 октября 2022 г. № 6829р "О предоставлении разрешения на условно разрешенный вид использования земельного участка, расположенного в Маймаксанском территориальном округе г. Архангельска, по улице Кольцевой, об утверждении схемы расположения земельного участка"
- Распоряжение от 27 октября 2022 г. № 6800р "О предоставлении разрешения на условно разрешенный вид использования многоконтурного земельного участка, расположенного в Северном территориальном округе г. Архангельска по улице Богового В.Г., об утверждении схемы расположения многоконтурного земельного участка"
- Распоряжение от 20 октября 2022 г. № 6562р "О предоставлении разрешения на условно разрешенный вид использования участка, расположенного в Ломоносовском территориальном округе г. Архангельска по проспекту Обводный канал, об утверждении схемы"
- Распоряжение от 12 октября 2022 г. № 6356р "О предоставлении разрешения на условно разрешенный вид использования земельного участка, расположенного в Соломбальском территориальном округе г. Архангельска по улице Розмыслова"
- Распоряжение от 12 октября 2022 г. № 6353р "О предоставлении разрешения на условно разрешенный вид использования земельного участка, расположенного в территориальном округе Майская горка г. Архангельска по улице Емельяна Пугачева"
- Распоряжение от 12 октября 2022 г. № 6350р "О предоставлении разрешения на условно разрешенный вид использования земельного участка, расположенного в Ломоносовском территориальном округе г. Архангельска по проспекту Ленинградскому"
- Распоряжение от 12 октября 2022 г. № 6362р "О предоставлении на отклонение от предельных параметров разрешенного строительства объекта капитального строительства (индивидуальный жилой дом) на земельном участке, расположенном в Северном территориальном округе г. Архангельска по улице Песочной"
- Распоряжение от 12 октября 2022 г. № 6361р "О предоставлении на отклонение от предельных параметров разрешенного строительства объекта капитального строительства (индивидуальный жилой дом) на земельном участке , расположенном в г. Архангельске, Чёрная Курья 4-я линия"
- Распоряжение от 12 октября 2022 г. №6360р "О предоставлении разрешения на условно разрешенный вид использования земельного участка, расположенного территориальном округе Варавино-Фактория г. Архангельска по улице Складской, об утверждении схемы расположения земельного участка""
- Распоряжение от 12 октября 2022 г. № 6359р "О предоставлении разрешения на отклонение от предельных параметров разрешенного строительства объекта капитального строительства (среднеэтажный жилой дом) на земельном участке, расположенном в Ломоносовском территориальном округе г. Архангельска по проспекту Новгородскому"
- Распоряжение от 12 октября 2022 г. № 6358р "О предоставлении разрешения на условно разрешенный вид использования земельного участка, расположенного в Исакогорском территориальном округе г. Архангельска по улице Рейдовой"
- Распоряжение от 12 октября 2022 г. № 6357р "О представлении разрешения на отклонение от предельных параметров разрешенного строительства (индивидуальный жилой дом) на земельном участке, расположенном в Ломоносовском территориальном округе г. Архангельск по улице Учительской"
- Распоряжение от 12 октября 2022 г. № 6355р "О предоставлении разрешения на условно разрешенный вид использования земельного участка, расположенного в Маймаксанском территориальном округе г. Архангельска улице по Фестивальной, об утверждении схемы расположения земельного участка"
- Распоряжение от 12 октября 2022 г. № 6354р "Об отказе в предоставлении разрешения на отклонение от предельных параметров разрешенного строительства (многоквартирный жилой дом) на земельном участке, расположенном в Ломоносовском территориальном округе г. Архангельска на пересечении проспекта Ломоносова и улицы Серафимовича"
- Распоряжение от 12 октября 2022 г. № 6351р "О предоставлении на отклонение от предельных параметров реконструкции объекта капитального строительства (индивидуальный жилой дом) на земельном участке , расположенном в Соломбальском территориальном округе г. Архангельска по улице Новоземельской"
- Распоряжение от 12 октября 2022 г. № 6349р "О предоставлении разрешения на отклонение от предельных параметров разрешенного строительства объекта капитального строительства (здание насосной станции водопровода № 86) на земельном участке, расположенном в Исакогорском территориальном округе г. Архангельска по улице Дежнёвцев"
- Распоряжение от 21 сентября 2022 г. № 5803р "О предоставлении разрешения на условно разрешенный вид использования земельного участка, расположенного в Ломоносовском территориальном округе г. Архангельска по проспекту Новгородскому"
- Распоряжение от 14 сентября 2022 г. № 5645р "О предоставлении разрешения на отклонение от предельных параметров разрешенного строительства объекта капитального строительства (объект незавершенного строительства) на земельном участке, расположенном в территориальном округе Майская горка г. Архангельск по улице Октябрят"
- Распоряжение от 14 сентября 2022 г. № 5644р "О предоставлении разрешения на условно разрешенный вид использования земельных участков, расположенных в Октябрьском территориальном округе г. Архангельска по улице Нагорной"
- Распоряжение от 14 сентября 2022 г. № 5643р "О предоставлении разрешения на условно разрешенный вид использования земельного участка, расположенного в Северном территориальном округе г. Архангельска по ул. Конзихинской"
- Распоряжение от 14 сентября 2022 г. № 5642р "Об отказе в предоставлении на отклонение от предельных параметров реконструкции объекта капитального строительства (здание насосной станции водопровода №86) на земельном участке, расположенном в Исакогорском территориальном округе г. Архангельска по улице Дежнёвцев"
- Распоряжение от 12 сентября 2022 г. № 5537р "О предоставлении разрешения на условно разрешенный вид разрешенного использования земельного участка, расположенных в г. Архангельске"
- Распоряжение от 12 сентября 2022 г. № 5536р "О предоставлении разрешения на условно разрешенный вид использования земельного участка, расположенного в Ломоносовском территориальном округе г. Архангельска по набережной Северной Двины, об утверждении схемы земельного участка"
- Распоряжение от 12 сентября 2022 г. № 5535р "О предоставлении разрешения на отклонение от предельных параметров разрешенного строительства объекта капитального строительства (индивидуальный жилой дом) на земельном участке, расположенном в территориальном округе Майская горка г. Архангельска по улице Шенкурской"
- Распоряжение от 12 сентября 2022 г. № 5534р "О предоставлении разрешения на отклонения от предельных параметров разрешенного строительства (многоквартирный жилой дом) на земельном участке, расположенном в Ломоносовском территориальном округе г. Архангельска по улице Поморской"
- Распоряжение от 12 сентября 2022 г. № 5533р "О предоставлении разрешения на отклонение от предельных параметров разрешенного строительства объекта капитального строительства (индивидуальный жилой дом) на земельном участке, расположенном в территориальном округе Варавино-Фактория г. Архангельска, территория КИЗ Силикат 1-я линия"
- Распоряжение от 12 сентября 2022 г. № 5532р "О предоставлении разрешения на условно разрешенный вид использования земельного участка, расположенного в Северном территориальном округе г. Архангельска по улице Ларионова С.Н., об утверждении схемы расположения земельного участка"
- Распоряжение от 12 сентября 2022 г. № 5531р "О предоставлении разрешения на условно разрешенный вид использования земельного участка, расположенного в Северном территориальном округе г. Архангельска по улице Ларионова С.Н., об утверждении схемы расположения земельного участка"
- Распоряжение от 8 августа 2022 г. № 4695р "О предоставлении разрешения на отклонение от предельных параметров разрешенного строительства объекта капитального строительства (среднеэтажный жилой дом) на земельном участке, расположенном в Октябрьском территориальном округе г. Архангельска по проспекту Ломоносова"
- Распоряжение от 5 сентября 2022 г. № 5364р "О предоставлении разрешения на условно разрешенный вид использования земельных участков, расположенных в г. Архангельске"
- Распоряжение от 5 сентября 2022 г. № 5357р "Об отказе в предоставлении разрешения на отклонение от предельных параметров разрешенного строительства объекта капитального строительства (среднеэтажный жилой дом) на земельном участке, расположенном в Ломоносовском территориальном округе г. Архангельска по проспекту Новгородскому"
- Распоряжение от 5 сентября 2022 г. № 5356р "О предоставлении разрешения на условно разрешенный вид использования земельного участка с кадастровым номером 29:22:073006:448, расположенного в территориальном округе Варавино-Фактория г. Архангельска по улице Старожаровихинской"
- Распоряжение от 5 сентября 2022 г. № 5355р "О предоставлении разрешения на отклонение от предельных параметров разрешенного строительства объекта капитального строительства (теннисный корт) на земельном участке, расположенном в Ломоносовском территориальном округе г. Архангельска по улице Касаткиной"
- Распоряжение от 5 сентября 2022 г. № 5354р "Об отказе в предоставлении разрешения на отклонение от предельных параметров разрешенного строительства объекта капитального строительства (среднеэтажный жилой дом) на земельном участке, расположенном в Соломбальском территориальном округе г. Архангельска по улице Пахтусова"
- Распоряжение от 5 сентября 2022 г. № 5353р "О предоставлении разрешения на условно разрешенный вид использования земельного участка, расположенного в Соломбальском территориальном округе г. Архангельска по Маймаксанскому шоссе"
- Распоряжение от 5 сентября 2022 г. № 5352р "О предоставлении разрешения на отклонение от предельных параметров реконструкции объекта капитального строительства (индивидуальный жилой дом) на земельном участке, расположенном в территориальном округе Майская горка г. Архангельска по улице Почтовой"
- Распоряжение от 5 сентября 2022 г. № 5363р "О предоставлении разрешения на отклонение от предельных параметров разрешенного строительства объекта капитального строительства (индивидуальный жилой дом) на земельном участке, расположенном в Соломбальском территориальном округе г. Архангельска по ул. Михайловой Т.П."
- Распоряжение от 5 сентября 2022 г. № 5362р "О предоставлении разрешения на отклонение от предельных параметров разрешенного строительства объекта капитального строительства (среднеэтажный жилой дом) на земельном участке, расположенном в Ломоносовском территориальном округе г. Архангельска по проспекту Новгородскому"
- Распоряжение от 5 сентября 2022 г. № 5361р "Об отказе в предоставлении разрешения на отклонение от предельных параметров разрешенного строительства объекта капитального строительства (индивидуальный жилой дом) на земельном участке, расположенном в территориальном округе Майская горка г. Архангельска по улице Энтузиастов"
- Распоряжение от 5 сентября 2022 г. № 5360р "О предоставлении разрешения на условно разрешенный вид использования земельного участка, расположенного в Соломбальском территориальном округе г. Архангельска по ул. Сибирякова, об утверждении схемы"
- Распоряжение от 5 сентября 2022 г. № 5359р "О предоставлении разрешения на условно разрешенный вид использования земельного участка с кадастровым номером 29:22:073006:447, расположенного в территориальном округе Варавино-Фактория г. Архангельска по улице Старожаровихинской"
- Распоряжение от 5 сентября 2022 г. № 5365р "О предоставлении разрешения на условно разрешенный вид использования земельного участка, расположенного в Северном территориальном округе г. Архангельска по улице Кировской"
- Распоряжение от 5 сентября 2022 г. №5376р "Об отказе в предоставлении разрешения на отклонение от предельных параметров разрешенного строительства объекта капитального строительства (индивидуальный жилой дом) на земельном участке, расположенном в Исакогорском территориальном округе г. Архангельска по проспекту Новому"
- Распоряжение от 21 июля 2022 г. № 4377р "О предоставлении разрешения на отклонение от предельных параметров разрешенного строительства объекта капитального строительства (индивидуальный жилой дом) на земельном участке, расположенном в Маймаксанском территориальном округе г. Архангельска по улице Междуречье переулок 3-й"
- Распоряжение от 21 июля 2022 г. № 4376р О предоставлении разрешения на отклонение от предельных параметров разрешенного строительства объекта капитального строительства (среднеэтажный жилой дом) на земельном участке, расположенном в Ломоносовском территориальном округе г. Архангельска по проспекту Новгородскому"
- Распоряжение от 21 июля 2022 г. № 4375р "О предоставлении разрешения на отклонение от предельных параметров реконструкции объекта капитального строительства (здание торгового центра) на земельном участке, расположенном в Ломоносовском территориальном округе г. Архангельска по проспекту Московскому"
- Распоряжение от 21 июля 2022 г. № 4374р "О предоставлении разрешения на отклонение от предельных параметров разрешенного строительства объекта капитального строительства (индивидуальный жилой дом) на земельном участке, расположенном в Ломоносовском территориальном округе г. Архангельска по улице Рабочей"
- Распоряжение от 21 июля 2022 г. № 4373р "О предоставлении разрешения на условно разрешенный вид использования земельного участка, расположенного в Маймаксанском территориальном округе г. Архангельска по ул. Мудьюгской, об утверждении схемы расположения земельного участка"
- Распоряжение от 21 июля 2022 г. № 4372р "О предоставлении разрешения на условно разрешенный вид использования земельного участка, расположенного в территориальном округе Варавино-Фактория г. Архангельска по улице Октябрьской, об утверждении схемы расположения земельного участка"
- Распоряжение от 21 июля 2022 г. № 4371р О предоставлении разрешения на отклонение от предельных параметров разрешенного строительства объекта капитального строительства (индивидуальный жилой дом) на земельном участке, расположенном в территориальном округе Майская горка г. Архангельска по улице Энтузиастов"
- Распоряжение от 21 июня 2022 г. № 4370р "О предоставлении разрешения на условно разрешенный вид использования земельного участка, расположенного в территориальном округе Варавино-Фактория г. Архангельска по ул. Складской, об утверждении схемы расположения земельного участка"
- Распоряжение от 21 июля 2022 г. № 4369р "О предоставлении разрешения на условно разрешенный вид использования земельного участка, расположенного в Соломбальском территориальном округе г. Архангельска по улице Приморской, об утверждении схемы расположения земельного участка"
- Распоряжениеот 21 июля 2022 г. № 4368р "О предоставлении разрешения на условно разрешенный вид использования земельного участка, расположенного в территориальном округе Варавино – Фактория г. Архангельска по улице Красносельской"
- Распоряжениот 21 июля 2022 г. № 4367р "О предоставлении разрешения на отклонение от предельных параметров разрешенного строительства объекта капитального строительства (многоквартирный жилой дом) на земельном участке, расположенном в Ломоносовском территориальном округе г. Архангельска по проспекту Чумбарова-Лучинского" е
- Распоряжение от 21 июля 2022 г. № 4366р "Об отказе в предоставлении разрешения на условно разрешенный вид использования земельного участка, расположенного в территориальном округе Майская горка г. Архангельска по проспекту Ленинградскому, об утверждении схемы расположения земельного участка"
- Распоряжение от 21 июля 2022 г. № 4365р "О предоставлении разрешения на отклонение от предельных параметров разрешенного строительства объекта капитального строительства (здание магазина) на земельном участке, расположенном в территориальном округе Варавино-Фактория г. Архангельска по проспекту Ленинградскому"
- Распоряжение от 21 июля 2022 г. № 4364р "О предоставлении разрешения на отклонение от предельных параметров реконструкции объекта капитального строительства (индивидуальный жилой дом) на земельном участке, расположенном в Маймаксанском территориальном округе г. Архангельска по улице Юности"
- Распоряжение от 21 июля 2022 г. № 4363р "О предоставлении разрешения на условно разрешенный вид использования земельного участка, расположенного г. Архангельске, об утверждении схемы расположения земельного участка"
- Распоряжение от 21 июля 2022 г. № 4362р "О предоставлении разрешения на условно разрешенный вид использования земельного участка, расположенного в Соломбальском территориальном округе г. Архангельска по ул. Розмыслова"
- Распоряжение от 21 июля 2022 г.. № 4361р "Об установлении соответствия вида разрешенного использования земельного участка с кадастровым номером 29:22:020430:12"
- Распоряжение от 6 июля 2022 г. № 4032р "О предоставлении разрешения на условно разрешенный вид использования земельного участка, расположенного в Ломоносовском территориальном округе г. Архангельска по проспекту Ленинградскому"
- Распоряжение от 6 июля 2022 г. № 4031р "О предоставлении разрешения на отклонение от предельных параметров разрешенного строительства объекта капитального строительства (индивидуальный жилой дом) на земельном участке, расположенном в г. Архангельске, Чёрная Курья 4-я линия"
- Распоряжение от 6 июля 2022 г. № 4030р "О предоставлении разрешения на условно разрешенный вид использования земельных участков, расположенных г. Архангельске, об утверждении схем расположения земельных участков"
- Распоряжение от 6 июля 2022 г. № 4029р "О предоставлении разрешения на отклонение от предельных параметров разрешенного строительства объекта капитального строительства (индивидуальный жилой дом) на земельном участке, расположенном в территориальном округе Варавино-Фактория г. Архангельска по переулку Конецгорскому"
- Распоряжение от 6 июля 2022 г. № 4028р "О предоставлении разрешения на условно разрешенный вид использования земельного участка, расположенного в Исакогорском территориальном округе г. Архангельска по улице Караванной, об утверждении схемы расположения земельного участка"
- Распоряжение от 6 июля 2022 г. № 4026р "О предоставлении разрешения на отклонение от предельных параметров разрешенного строительства объекта капитального строительства (объект розничной торговли) на земельном участке, расположенном в территориальном округе Варавино-Фактория г. Архангельска по улице Никитова"
- Распоряжение от 6 июля 2022 г. № 4025р "О предоставлении разрешения на условно разрешенный вид использования земельного участка, расположенного в Маймаксанском территориальном округе г. Архангельска по улице Фестивальной"
- Распоряжение от 6 июля 2022 г. № 4024р "О предоставлении разрешения на отклонение от предельных параметров разрешенного строительства объекта капитального строительства (индивидуальный жилой дом) на земельном участке, расположенном в Соломбальском территориальном округе г.Архангельска по улице Маймаксанской"
- Распоряжение от 6 июля 2022 г.. № 4023р "О предоставлении разрешения на условно разрешенный вид использования земельного участка, расположенного в Исакогорском территориальном округе г. Архангельска по улице Второй, об утверждении схемы расположения земельного участка"
- Распоряжение от 30 июня 2022 г. № 3869р "Об установлении соответствия вида разрешенного использования земельных участков, расположенных в г. Архангельске"
- Распоряжение от 17 мая 2022 г. № 2774р "О предоставлении разрешения на условно разрешенный вид использования земельного участка, расположенного в Соломбальском территориальном округе г. Архангельска по Маймаксанскому шоссе, об утверждении схемы расположения земельного участка"
- Распоряжение от 17 мая 2022 г. № 2773р "О предоставлении разрешения на отклонение от предельных параметров разрешенного строительства объекта капитального строительства (здание магазина) на земельном участке, расположенном в территориальном округе Варавино-Фактория г. Архангельска по проспекту Ленинградскому"
- Распоряжение от 17 мая 2022 г. № 2772р "О предоставлении разрешения на условно разрешенный вид использования земельного участка, расположенного в Исакогорском территориальном округе г. Архангельска по улице Караванной, об утверждении схемы расположения земельного участка"
- Распоряжение от 17 мая 2022 г. № 2771р "О предоставлении разрешения на условно разрешенный вид использования земельных участков, расположенных г. Архангельске, об утверждении схем расположения земельных участков"
- Распоряжение от 17 мая 2022 г. № 2770р "О предоставлении разрешения на условно разрешенный вид использования земельного участка и объекта капитального строительства, расположенных в Ломоносовском территориальном округе г. Архангельска по улице Урицкого"
- Распоряжение от 17 мая 2022 г. № 2769р "О предоставлении разрешения на условно разрешенный вид использования земельного участка, расположенного в Маймаксанском территориальном округе г. Архангельска по улице Победы"
- Распоряжение от 17 мая 2022 г. № 2768р "О предоставлении разрешения на отклонение от предельных параметров разрешенного строительства объекта капитального строительства (индивидуальный жилой дом) на земельном участке, расположенном в Соломбальском территориальном округе г. Архангельска на территории КИЗ "Лето"
- Распоряжение от 17 мая 2022 г. № 2767р "О предоставлении разрешения на условно разрешенный вид использования земельного участка, расположенного в Соломбальском территориальном округе г. Архангельска по улице Советской, об утверждении схемы расположения земельного участка"
- Распоряжение от 17 мая 2022 г. № 2766р "О предоставлении разрешения на отклонение от предельных параметров разрешенного строительства объекта капитального строительства (здание административно-торгового назначения) на земельном участке, расположенном в Ломоносовском территориальном округе г. Архангельска по улице Суфтина 1-й проезд – улице Шабалина А.О."
- Распоряжение от 17 мая 2022 г. № 2765р "О предоставлении разрешения на отклонение от предельных параметров разрешенного строительства объекта капитального строительства (индивидуальный жилой дом) на земельном участке, расположенном в территориальном округе Майская горка г. Архангельска по улице Первомайской"
- Распоряжение от 17 мая 2022 г. № 2764р "О предоставлении разрешения на условно разрешенный вид использования земельного участка, расположенного в Маймаксанском территориальном округе г. Архангельска по ул. Полярной звезды, об утверждении схемы расположения земельного участка"
- Распоряжение от 17 мая 2022 г. № 2763р "О предоставлении разрешения на условно разрешенный вид использования земельного участка, расположенного в территориальном округе Варавино-Фактория г. Архангельска по улице Никитова"
- Распоряжение от 28 апреля 2022 г. № 2450р "Об отказе в предоставлении разрешения на отклонение от предельных параметров разрешенного строительства объекта капитального строительства (среднеэтажный жилой дом) на земельном участке, расположенном в Соломбальском территориальном округе г. Архангельска по улице Пахтусова"
- Распоряжение от 28 апреля 2022 г. № 2449р "О предоставлении разрешения на условно разрешенный вид использования земельного участка, расположенного в Ломоносовском территориальном округе г. Архангельска по ул. Володарского, об утверждении схемы расположения земельного участка"
- Распоряжение от 21 апреля 2022 г. № 2287р "О предоставлении разрешения на условно разрешенный вид использования земельных участков, расположенных в г. Архангельске"
- Распоряжение от 21 апреля 2022 г. № 2286р "О предоставлении разрешения на условно разрешенный вид использования земельных участков, расположенных в г. Архангельске"
- Распоряжение от 21 апреля 2022 г. № 2285р "О предоставлении разрешения на отклонение от предельных параметров разрешенного строительства объекта капитального строительства (складской комплекс) на земельном участке, расположенном в Соломбальском территориальном округе г. Архангельска по улице Мещерского"
- Распоряжение от 21 апреля 2022 г. № 2284р "О предоставлении разрешения на отклонение от предельных параметров разрешенного строительства объекта капитального строительства на земельном участке, расположенном в Исакогорском территориальном округе г. Архангельска по улице Магистральной"
- Распоряжение от 21 апреля 2022 г. № 2282р "О предоставлении разрешения на условно разрешенный вид использования земельного участка, расположенного в Северном территориальном округе г. Архангельска по улице Ударников, об утверждении схемы расположения земельного участка"
- Распоряжение от 21 апреля 2022 г. № 2279р "О предоставлении разрешения на условно разрешенный вид использования земельного участка, расположенного в Маймаксанском территориальном округе г. Архангельска по улице Емецкой"
- Распоряжение от 21 апреля 2022 г. № 2278р "О предоставлении разрешения на отклонение от предельных параметров разрешенного строительства, реконструкции объектов капитального строительства на земельном участке, расположенном в Октябрьском территориальном округе г. Архангельска по улице Воскресенской"
- Распоряжение от 21 апреля 2022 г. № 2277р "О предоставлении разрешения на условно разрешенный вид использования земельного участка, расположенного в Соломбальском территориальном округе г. Архангельска по Маймаксанскому шоссе, об утверждении схемы расположения земельного участка"
- Распоряжение от 21 апреля 2022 г. № 2276р "О предоставлении разрешения на условно разрешенный вид использования земельного участка, расположенного в территориальном округе Варавино – Фактория г. Архангельска по улице Тарасова А.П."
- Распоряжение от 21 апреля 2022 г. № 2275р "О предоставлении разрешения на условно разрешенный вид использования земельного участка, расположенного в Северном территориальном округе г. Архангельска по улице Богового В.Г., об утверждении схемы расположения земельного участка"
- Распоряжение от 21 апреля 2022 г. № 2271р "О предоставлении разрешения на отклонение от предельных параметров разрешенного строительства объекта капитального строительства (индивидуальный жилой дом) на земельном участке, расположенном в Северном территориальном округе г. Архангельска на территории ТИЗ Целлюлозник 2- линия"
- Распоряжение от 21 апреля 2022 г. № 2270р "О предоставлении разрешения на условно разрешенный вид использования земельного участка, расположенного в поселке Турдеевск городского округа "Город Архангельск" по ул. Турдеевской, об утверждении схемы расположения земельного участка"
- Распоряжение от 19 апреля 2022 г. № 2184р "Об установлении соответствия вида разрешенного использования земельного участка с кадастровым номером 29:22:060411:762"
- Распоряжение от 7 апреля 2022 г. № 1906р "О предоставлении разрешения на условно разрешенный вид использования земельных участков, расположенных в г. Архангельске, об утверждении схем расположения земельных участков"
- Распоряжение от 7 апреля 2022 г. № 1907р "О предоставлении разрешения на условно разрешенный вид использования земельных участков, расположенных в г. Архангельске, об утверждении схем расположения земельных участков"
- Распоряжение от 7 апреля 2022 г. № 1903р "О предоставлении разрешения на отклонение от предельных параметров разрешенного строительства объекта капитального строительства (индивидуальный жилой дом) на земельном участке, расположенном в Соломбальском территориальном округе г. Архангельске по переулку 1-му Физкультурному"
- Распоряжение от 7 апреля 2022 г. № 1904р "Об отказе в предоставлении разрешения на отклонение от предельных параметров разрешенного строительства объекта капитального строительства (индивидуальный жилой дом) на земельном участке, расположенном в Ломоносовском территориальном округе г. Архангельска по проспекту Новгородскому"
- Распоряжение от 7 апреля 2022 г. № 1905р "О предоставлении разрешения на условно разрешенный вид использования земельного участка, расположенного в Соломбальском территориальном округе г. Архангельска по улице Полярной"
- Распоряжение от 7 апреля 2022 г. № 1900р "О предоставлении разрешения на условно разрешенный вид использования земельного участка, расположенного в территориальном округе Варавино – Фактория г. Архангельска по проспекту Ленинградскому"
- Распоряжение от 7 апреля 2022 г. № 1897р "О предоставлении разрешения на условно разрешенный вид использования земельного участка, расположенного в Октябрьском территориальном округе г. Архангельска по проезду Сибиряковцев"
- Распоряжение от 7 апреля 2022 г. № 1899р "О предоставлении разрешения на условно разрешенный вид использования земельного участка, расположенного в территориальном округе Варавино-Фактория г. Архангельска по улице Никитова"
- Распоряжение от 7 апреля 2022 г. № 1898р "О предоставлении разрешения на отклонение от предельных параметров разрешенного строительства объекта капитального строительства (склад) на земельном участке, расположенном в Ломоносовском территориальном округе г. Архангельска по улице Павла Усова"
- Распоряжение от 7 апреля 2022 г. № 1896р "Об установлении соответствия вида разрешенного использования земельного участка с кадастровым номером 29:22:000000:12686"
- Распоряжение от 7 апреля 2022 г. № 1895р "О предоставлении разрешения на условно разрешенный вид использования земельного участка, расположенного в Соломбальском территориальном округе г. Архангельска по ул. Гренландской, об утверждении схемы расположения земельного участка"
- Распоряжение от 7 апреля 2022 г. № 1901р "О предоставлении разрешения на условно разрешенный вид использования земельного участка, расположенного в Северном территориальном округе г. Архангельска по ул. Ларионова С.Н."
- Распоряжение от 9 апреля 2021 года № 1221р "Об отказе в предоставлении разрешения на условно разрешенный вид использования земельного участка, расположенного в Северном территориальном округе г. Архангельска по улице Побережной, об утверждении схемы расположения земельного участка"
- Распоряжение от 27 декабря 2021 г. № 5427р "Об установлении соответствия вида разрешенного использования земельного участка с кадастровым номером 29:22:012010:838"
- Распоряжение от 10 марта 2022 г. № 1241р "О предоставлении разрешения на условно разрешенный вид использования земельных участков, расположенных в территориальном округе Варавино-Фактория г. Архангельска по улице Кривоборской, об утверждении схем расположения земельных участков"
- Распоряжение от 10 марта 2022 г. № 1242р "О предоставлении разрешения на условно разрешенный вид использования земельного участка, расположенного в Цигломенском территориальном округе г. Архангельска по ул. Комбинатовской, об утверждении схемы расположения земельного участка"
- Распоряжение от 10 марта 2022 г. № 1244р "О предоставлении разрешения на условно разрешенный вид использования земельного участка, расположенного в территориальном округе Майская горка г. Архангельска по улице Луговой"
- Распоряжение от 10 марта 2022 г. № 1243р "О предоставлении разрешения на условно разрешенный вид использования земельного участка, расположенного в Цигломенском территориальном округе г. Архангельска по ул. Зеленец, об утверждении схемы расположения земельного участка"
- Распоряжение от 10 марта 2022 г. № 1239р "О предоставлении разрешения на условно разрешенный вид использования земельного участка, расположенного в Северном территориальном округе г. Архангельска по улице Богового В.Г., об утверждении схемы расположения земельного участка"
- Распоряжение от 10 марта 2022 г. № 1240р "О предоставлении разрешения на условно разрешенный вид использования земельного участка, расположенного в территориальном округе Варавино-Фактория г. Архангельска по улице Капитальной, об утверждении схемы расположения земельного участка"
- Распоряжение от 10 марта 2022 г. № 1261р "О предоставлении разрешения на условно разрешенный вид использования земельного участка, расположенного в Маймаксанском территориальном округе г. Архангельска по ул. Реушеньгской, об утверждении схемы расположения земельного участка"
- Распоряжение от 10 марта 2022 г. № 1260р "О предоставлении разрешения на условно разрешенный вид использования земельного участка, расположенного в Маймаксанском территориальном округе г. Архангельска по ул. Реушеньгской, об утверждении схемы расположения земельных участков"
- Распоряжение от 18 февраля 2022 г. № 890р "Об установлении соответствия вида разрешенного использования земельного участка с кадастровым номером 29:22:050407:15"
- Распоряжение от 24 февраля 2022 г. № 959р "О признании утратившим силу распоряжения Главы городского округа "Город Архангельск" от 9 апреля 2021 года № 1225р"
- Распоряжение от 24 февраля 2022 г. № 956р "О предоставлении разрешения на условно разрешенный вид использования земельного участка, расположенного в Соломбальском территориальном округе г. Архангельска по улице Маймаксанской, об утверждении схемы расположения земельного участка"
- Распоряжение от 17 февраля 2022 г. № 856р "О предоставлении разрешения на условно разрешенный вид использования земельного участка, расположенного в Северном территориальном округе г. Архангельска по улице Богового В.Г., об утверждении схемы расположения земельного участка"
- Распоряжение от 17 февраля 2022 г. № 858р "О предоставлении разрешения на отклонение от предельных параметров разрешенного строительства объекта капитального строительства (индивидуальный жилой дом) на земельном участке, расположенном в Маймаксанском территориальном округе г. Архангельске по улице Боровой"
- Распоряжение от 17 февраля 2022 г. № 863р "О предоставлении разрешения на условно разрешенный вид использования земельного участка, расположенного в территориальном округе Майская горка г. Архангельска по улице Ленина"
- Распоряжение от 17 февраля 2022 г. № 866р "О предоставлении разрешения на условно разрешенный вид использования земельного участка, расположенного в Октябрьском территориальном округе г. Архангельска по улице Тимме Я."
- Распоряжение от 17 февраля 2022 г. № 857р "О предоставлении разрешения на условно разрешенный вид использования земельного участка, расположенного в территориальном округе Майская горка г. Архангельска по ул. Танкистов, об утверждении схемы расположения земельного участка"
- Распоряжение от 17 февраля 2022 г. № 867р "О предоставлении разрешения на условно разрешенный вид использования земельных участков, расположенных в г. Архангельске, об утверждении схем расположения земельных участков"
- Распоряжение от 17 февраля 2022 г. № 865р "О предоставлении разрешения на условно разрешенный вид использования земельного участка, расположенного в Маймаксанском территориальном округе г. Архангельска по ул. Огородной"
- Распоряжение от 17 февраля 2022 г. № 864р "О предоставлении разрешения на условно разрешенный вид использования земельного участка, расположенного в Маймаксанском территориальном округе г. Архангельска по ул. Сибирской, 1-й проезд, об утверждении схемы расположения земельного участка"
- Распоряжение от 17 февраля 2022 г. № 862р "О предоставлении разрешения на условно разрешенный вид использования земельного участка, расположенного в Соломбальском территориальном округе г. Архангельска по улицы Георгия Иванова, об утверждении схемы расположения земельного участка"
- Распоряжение от 17 февраля 2022 г. № 868р "О предоставлении разрешения на условно разрешенный вид использования земельного участка, расположенного в Цигломенском территориальном округе г. Архангельска по улицы Красина, об утверждении схемы расположения земельного участка"
- Распоряжение от 17 февраля 2022 г. № 859р "Об отказе в предоставлении разрешения на отклонение от предельных параметров разрешенного строительства объекта капитального строительства (многоквартирный жилой дом) на земельном участке, расположенном в Ломоносовском территориальном округе г. Архангельска по проспекту Новгородскому"
- Распоряжение от 17 февраля 2022 г. № 860р "О предоставлении разрешения на отклонение от предельных параметров разрешенного строительства объекта капитального строительства (индивидуальный жилой дом) на земельном участке, расположенном в территориальном округе Майская горка г. Архангельска по улице Ленина"
- Распоряжение от 9 февраля 2022 г. № 704р "О признании утратившим силу распоряжения Главы городского округа "Город Архангельск" от 25 декабря 2020 года № 856р"
- Распоряжение от 10 февраля 2022 г. № 745р "О предоставлении разрешения на условно разрешенный вид использования земельного участка, расположенного в Северном территориальном округе г.Архангельска по улице Богового В.Г., об утверждении схемы расположения земельного участка"
- Распоряжение от 7 февраля 2022 г. № 625р "О предоставлении разрешения на отклонение от предельных параметров разрешенного строительства объекта капитального строительства (индивидуальный жилой дом) на земельном участке, расположенном в территориальном округе Варавино-Фактория г. Архангельска по проспекту Ленинградскому"
- Распоряжение от 7 февраля 2022 г. № 627р "О предоставлении разрешения на отклонение от предельных параметров разрешенного строительства (индивидуальный жилой дом) на земельном участке с кадастровым номером 29:16:201001:61, расположенном в Цигломенском территориальном округе г. Архангельска"
- Распоряжение от 7 февраля 2022 г. № 629р "О предоставлении разрешения на условно разрешенный вид использования земельного участка, расположенного в Исакогорском территориальном округе г. Архангельска по улице 1-я линия"
- Распоряжение от 7 февраля 2022 г. № 628р "О предоставлении разрешения на условно разрешенный вид использования земельного участка, расположенного в Северном территориальном округе г. Архангельска по улице Песочной"
- Распоряжение от 7 февраля 2022 г. № 613р "О предоставлении разрешения на условно разрешенный вид использования земельного участка, расположенного в Исакогорском территориальном округе г. Архангельска по улице Рейдовой"
- Распоряжение от 7 февраля 2022 г. № 633р "О предоставлении разрешения на условно разрешенный вид использования земельного участка, расположенного в Октябрьском территориальном округе г. Архангельска по Окружному шоссе"
- Распоряжение от 7 февраля 2022 г. № 634р "О предоставлении разрешения на отклонение от предельных параметров разрешенного строительства объекта капитального строительства (индивидуальный жилой дом) на земельном участке, расположенном в г. Архангельске, Чёрная Курья 3-я линия"
- Распоряжение от 7 февраля 2022 г. № 635р "Об отказе в предоставлении разрешения на отклонение от предельных параметров разрешенного строительства объекта капитального строительства (административное здание АО "СО ЕЭС") на земельном участке, расположенном в Октябрьском территориальном округе г. Архангельска по улице Гайдара"
- Распоряжение от 7 февраля 2022 г. № 636р "О предоставлении разрешения на условно разрешенный вид использования земельного участка, расположенного в Октябрьском территориальном округе г. Архангельска по Окружному шоссе"
- Распоряжение от 7 февраля 2022 г. № 637р "О предоставлении разрешения на отклонение от предельных параметров разрешенного строительства объекта капитального строительства (магазин с помещениями делового назначения) на земельном участке, расположенном в территориальном округе Майская горка г. Архангельске по улице Дружбы"
- Распоряжение от 7 февраля 2022 г. № 630р "Об отказе в предоставлении разрешения на отклонение от предельных параметров реконструкции объекта капитального строительства ("Реконструкция здания кухни-столовой в части надстройки второго мансардного этажа и устройством скатной крыши по ул. Суворова, 17 строение 2 г. Архангельск" (ограждение) на земельном участке, расположенном в Октябрьском территориальном округе г. Архангельска, по ул. Суворова"
- Распоряжение от 7 февраля 2022 г. № 631р "О предоставлении разрешения на отклонение от предельных параметров разрешенного строительства объекта капитального строительства (многоквартирный жилой дом) на земельном участке, расположенном в Ломоносовском территориальном округе Архангельска по проспекту Чумбарова-Лучинского"
- Распоряжение от 7 февраля 2022 г. № 632р "О предоставлении разрешения на отклонение от предельных параметров разрешенного строительства объекта капитального строительства (индивидуальный жилой дом) на земельном участке, расположенном в Исакогорском территориальном округе г. Архангельска по улице Дорожников"
- Распоряжение от 12 января 2022 г. № 51р "О признании утратившим силу распоряжения Главы городского округа "Город Архангельск" от 13 мая 2021 года № 1728р"
- Распоряжение от 11 января 2022 г. № 38р "О предоставлении разрешения на условно разрешенный вид использования земельного участка, расположенного в Октябрьском территориальном округе г. Архангельска по улице Гайдара"
- Распоряжение от 11 января 2022 г. № 36р "О предоставлении разрешения на условно разрешенный вид использования земельного участка, расположенного в Северном территориальном округе г. Архангельска по улице Кировской"
- Распоряжение от 8 декабря 2021 г. № 4993р "Об отказе в предоставлении разрешения на условно разрешенный вид использования земельного участка, расположенного в территориальном округе Варавино-Фактория г. Архангельска по улице Октябрьской, об утверждении схемы расположения земельного участка"
- Распоряжение от 8 декабря 2021 г. № 4992р "О предоставлении разрешения на условно разрешенный вид использования земельного участка, расположенного в Маймаксанском территориальном округе г. Архангельска по улице Сибирской, об утверждении схемы расположения земельного участка"
- Распоряжение от 14 декабря 2021 года № 5101р "О внесении изменений в распоряжение Главы городского округа "Город Архангельск" от 15 февраля 2021 г. № 495р"
- Распоряжение от 8 декабря 2021 г. № 5004р "О предоставлении разрешения на условно разрешенный вид использования земельного участка, расположенного в Маймаксанском территориальном округе г. Архангельска по улице Емецкой"
- Распоряжение от 8 декабря 2021 г. № 5003р "О предоставлении разрешения на условно разрешенный вид использования земельного участка, расположенного в Маймаксанском территориальном округе г. Архангельска по улице Сибирской, 1-й проезд, об утверждении схемы расположения земельного участка"
- Распоряжение от 8 декабря 2021 г. № 4994р "О предоставлении разрешения на отклонение от предельных параметров разрешенного строительства объекта капитального строительства (индивидуальный жилой дом) на земельном участке, расположенном в Соломбальском территориальном округе г. Архангельска на территории КИЗ "Лето"
- Распоряжение от 8 декабря 2021 г. № 4991р "О предоставлении разрешения на отклонение от предельных параметров разрешенного строительства (индивидуальный жилой дом) на земельном участке, расположенном в Цигломенском территориальном округе г. Архангельска"
- Распоряжение от 8 декабря 2021 г. № 4990р "О предоставлении разрешения на условно разрешенный вид использования земельного участка, расположенного в Маймаксанском территориальном округе г. Архангельска по улице Сибирской, 1-й проезд, об утверждении схемы расположения земельного участка"
- Распоряжение от 8 декабря 2021 г. № 4978р "О предоставлении разрешения на условно разрешенный вид использования земельного участка, расположенного в Маймаксанском территориальном округе г. Архангельска по улице Сибирской, об утверждении схемы расположения земельного участка"
- Распоряжение от 12 ноября 2021 № 4605р "Об отказе в предоставлении разрешения на условно разрешенный вид использования земельных участков, расположенных в Октябрьском территориальном округе г. Архангельска по улице Нагорной"
- Распоряжение от 12 ноября 2021 г. № 4604р "Об отказе в предоставлении разрешения на отклонение от предельных параметров разрешенного строительства объекта капитального строительства (индивидуальный жилой дом) на земельном участке, расположенном в Соломбальском территориальном округе г. Архангельска по переулку 1-му Физкультурному"
- Распоряжение от 12 ноября 2021 г. № 4603р "О предоставлении разрешения на отклонение от предельных параметров реконструкции объекта капитального строительства (индивидуальный жилой дом) на земельном участке, расположенном в Исакогорском территориальном округе г. Архангельска по Второй линии"
- Распоряжение от 12 ноября 2021 г. № 4602р "О предоставлении разрешения на отклонение от предельных параметров реконструкции объекта капитального строительства (здание автосалона с ремонтными мастерскими) на земельном участке, расположенном в Ломоносовском территориальном округе г. Архангельска по улице Смольный Буян"
- Распоряжение от 12 ноября 2021 г. № 4601р "О предоставлении разрешения на отклонение от предельных параметров разрешенного строительства объекта капитального строительства (индивидуальный жилой дом) на земельном участке, расположенном в территориальном округе Майская горка г. Архангельска по улице Поселковой"
- Распоряжение от 12 ноября 2021 г. № 4600р "О предоставлении разрешения на условно разрешенный вид использования земельного участка расположенного в территориальном округе Варавино-Фактория г. Архангельска по улице Капитальной, об утверждении схемы расположения земельного участка"
- Распоряжение от 12 ноября 2021 г. № 4599р "О предоставлении разрешения на отклонение от предельных параметров разрешенного строительства объекта капитального строительства (индивидуальный жилой дом) на земельном участке, расположенном в территориальном округе Майская горка г. Архангельска по улице Деревообделочников"
- Распоряжение от 12 ноябрь 2021 г. № 4598р "О предоставлении разрешения на отклонение от предельных параметров реконструкции объекта капитального строительства (индивидуальный жилой дом) на земельном участке, расположенном в Соломбальском территориальном округе г. Архангельска по улице Маймаксанской"
- Распоряжение от 12 ноября 2021 г. № 4597р "О предоставлении разрешения на отклонение от предельных параметров разрешенного строительства объекта капитального строительства ("Строительство детского сада на 140 мест в Ломоносовском территориальном округе г. Архангельска") на земельном участке, расположенном в Ломоносовском территориальном округе г. Архангельска по проспекту Советских космонавтов"
- Распоряжение от 12 ноября 2021 года № 4596р "О предоставлении разрешения на отклонение от предельных параметров разрешенного строительства объекта капитального строительства (индивидуальный жилой дом) на земельном участке, расположенном в Исакогорском территориальном округе г. Архангельска по улице Озерной"
- Распоряжение от 13 октября 2021 г. № 4207р "О предоставлении разрешения на условно разрешенный вид использования земельного участка, расположенного в Северном территориальном округе г. Архангельска по улице Богового В.Г., об утверждении схемы расположения земельного участка"
- Распоряжение от 13 октября 2021 г. № 4204р "О предоставлении разрешения на отклонение от предельных параметров реконструкции объекта капитального строительства (индивидуальный жилой дом) на земельном участке, расположенном в Соломбальском территориальном округе г. Архангельска по улице Связистов"
- Распоряжение от 13 октября 2021 г. № 4209р "О предоставлении разрешения на отклонение от предельных параметров реконструкции объекта капитального строительства (индивидуальный жилой дом) на земельном участке, расположенном в Соломбальском территориальном округе г. Архангельска по улице Кузнечевской"
- Распоряжение от 13 октября 2021 г. № 4203р "О предоставлении разрешения на отклонение от предельных параметров разрешенного строительства объекта капитального строительства (среднеэтажный жилой дом) на земельном участке, расположенном в Соломбальском территориальном округе г. Архангельска по улице Пахтусова"
- Распоряжение от 13 октября 2021 г. № 4208р "О предоставлении разрешения на отклонение от предельных параметров реконструкции объекта капитального строительства (многоквартирный жилой дом), расположенного в территориальном округе Майская горка г. Архангельска по улице Луговой"
- Распоряжение от 13 октября 2021 г. № 4210р "О предоставлении разрешения на условно разрешенный вид использования земельных участков, расположенных в г. Архангельске, об утверждении схем расположения земельных участков"
- Распоряжение от 13 октября 2021 г. № 4202р "О предоставлении разрешения на условно разрешенный вид использования земельного участка, расположенного в Северном территориальном округе г. Архангельска по улице Ларионова С.Н., об утверждении схемы расположения земельного участка"
- Распоряжение от 13 октября 2021 г. № 4201р "О предоставлении разрешения на условно разрешенный вид использования земельного участка, расположенного в Северном территориальном округе г. Архангельска по улице Побережной, об утверждении схемы расположения земельного участка"
- Распоряжение от 13 октября 2021 г. № 4199р "О предоставлении разрешения на условно разрешенный вид использования земельных участков, расположенных в Исакогорском территориальном округе г. Архангельска по Третьей линии, об утверждении схемы расположения земельных участков"
- Распоряжение от 12 октября 2021 г. № 4184р "О предоставлении разрешения на отклонение от предельных параметров разрешенного строительства объекта капитального строительства (индивидуальный жилой дом) на земельном участке, расположенном в Исакогорском территориальном округе г. Архангельска по проспекту Северному"
- Распоряжение от 13 октября 2021 г. № 4205р "О предоставлении разрешения на условно разрешенный вид использования земельных участков, расположенных в г. Архангельске, об утверждении схемы расположения земельных участков"
- Распоряжение от 13 октября 2021 г. № 4200р "О предоставлении разрешения на условно разрешенный вид использования земельного участка, расположенного в территориальном округе Майская горка г. Архангельска по улице Первомайская"
- Распоряжение от 13 октября 2021 г. № 4227р "Об отказе в предоставлении разрешения на условно разрешенный вид использования земельного участка, расположенного в Северном территориальном округе г. Архангельска по улице Кировской"
- Распоряжение от 14 октября 2021 г. № 4243р "Об отказе в предоставлении разрешения на отклонение от предельных параметров разрешенного строительства объекта капитального строительства (четырёхэтажный многоквартирный жилой дом) на земельном участке, расположенном в территориальном округе Варавино-Фактория г. Архангельска по переулку 1-му Ленинградскому"
- Распоряжение от 13 октября 2021 г. № 4206р "О предоставлении разрешения на отклонение от предельных параметров разрешенного строительства объекта капитального строительства (индивидуальный жилой дом) на земельном участке, расположенного в Соломбальском территориальном округе г. Архангельска на территории КИЗ "Лето"
- Распоряжение от 21 сентября 2021 г. № 3847р "О предоставлении разрешения на условно разрешенный вид использования земельного участка, расположенного в Соломбальском территориальном округе г. Архангельска по улице Мостовой, об утверждении схемы расположения земельного участка"
- Распоряжение от 21 сентября 2021 г. № 3845р "О предоставлении разрешения на условно разрешенный вид использования земельного участка, расположенного в Маймаксанском территориальном округе г. Архангельска по улице Сибирской, 1-й проезд, в утверждении схемы расположения земельного участка"
- Распоряжение от 21 сентября 2021 г. № 3844р "О предоставлении разрешения на условно разрешенный вид использования земельного участка, расположенного в Соломбальском территориальном округе г. Архангельска по улице Челюскинцев, в утверждении схемы расположения земельного участка"
- Распоряжение от 21 сентября 2021 г. № 3843р "О предоставлении разрешения на условно разрешенный вид использования земельного участка, расположенного в Исакогорском территориальном округе г. Архангельска по улице Короткой, об утверждении схемы расположения земельного участка"
- Распоряжение от 21 сентября 2021 г. № 3842р "О предоставлении разрешения на условно разрешенный вид использования земельных участков, расположенных в г. Архангельске, об утверждении схем расположения земельных участков"
- Распоряжение от 21 сентября 2021 г. № 3840р "О предоставлении разрешение на условно разрешенный вид использования земельного участка, расположенного в территориальном округе Майская горка г. Архангельска по улице Кооперативной, в утверждении схемы расположения земельного участка"
- Распоряжение от 21 сентября 2021 г. № 3839р "О предоставлении разрешения на условно разрешенный вид использования земельных участков, расположенных в г. Архангельске"
- Распоряжение от 21 сентября 2021 г. № 3841р "О предоставлении разрешения на условно разрешенный вид использования земельных участков, расположенных в г. Архангельске, в утверждении схем расположения земельных участков"
- Распоряжение от 20 сентября 2021 г. № 3819р "Об отказе в предоставлении разрешения на отклонение от предельных параметров разрешенного строительства объекта капитального строительства (индивидуальный жилой дом) на земельном участке, расположенном в территориальном округе Майская горка г. Архангельска по улице Энтузиастов"
- Распоряжение от 20 сентября 2021 г. № 3820р "О предоставлении разрешения на условно разрешенный вид использования земельного участка, расположенного в Маймаксанском территориальном округе г. Архангельска по улице Победы, об утверждении схем расположения земельных участков"
- Распоряжение от 20 сентября 2021 г. № 3821р "О предоставлении разрешения на условно разрешенный вид использования земельного участка, расположенного в территориальном округе Варавино-Фактория г. Архангельска по улице Гражданской, в утверждении схемы расположения земельного участка"
- Распоряжение от 20 сентября 2021 г. № 3822р "О предоставлении разрешения на условно разрешенный вид использования земельных участков, расположенных в г. Архангельске, об утверждении схем расположения земельных участков"
- Распоряжение от 20 сентября 2021 г. № 3823р "О предоставлении разрешения на условно разрешенный вид использования земельного участка, расположенного в Октябрьском территориальном округе г. Архангельска по улице Аэропорт Кегостров, в утверждении схемы расположения земельного участка"
- Распоряжение от 20 сентября 2021 г. № 3824р "О предоставлении разрешения на условно разрешенный вид использования земельного участка, расположенного в территориальном округе Варавино-Фактория г. Архангельска по проспекту Ленинградскому"
- Распоряжение от 16 сентября 2021 г. № 3794р "Об отказе предоставлении разрешения на условно разрешенный вид использования земельного участка, расположенного в Северном территориальном округе г. Архангельска по улице Богового В.Г., об утверждении схемы расположения земельного участка"
- Распоряжение от 11 августа 2021 г. № 3292р "О предоставлении разрешения на отклонение от предельных параметров разрешенного строительства объекта капитального строительства (индивидуальный жилой дом) на земельном участке, расположенном в Соломбальском территориальном округе г. Архангельска по улице Новоземельской"
- Распоряжение от 11 августа 2021 г. № 3289р "О предоставлении разрешения на отклонение от предельных параметров разрешенного строительства объекта капитального строительства (индивидуальный жилой дом) на земельном участке, расположенном в территориальном округе Майская горка г. Архангельска по улице Полины Осипенко"
- Распоряжение от 11 августа 2021 г. № 3287р "О предоставлении разрешения на условно разрешенный вид использования земельных участков, расположенных в г. Архангельске, об утверждении схем расположения земельных участков"
- Распоряжение от 11 августа 2021 г. № 3285р "О предоставлении разрешения на условно разрешенный вид использования земельного участка, расположенного в Ломоносовском территориальном округе г. Архангельска по улице Тимме Я."
- Распоряжение от 11 августа 2021 г. № 3284р "О предоставлении разрешения на условно разрешенный вид использования земельного участка, расположенного в Октябрьском территориальном округе г. Архангельска по проспекту Троицкому"
- Распоряжение от 11 августа 2021 г. № 3293р "О предоставлении разрешения на условно разрешенный вид использования земельного участка, расположенного в территориальном округе Варавино-Фактория г. Архангельска по улице Воронина В.И."
- Распоряжение от 11 августа 2021 г. № 3294р "О предоставлении разрешения на условно разрешенный вид использования земельного участка, расположенного в Октябрьском территориальном округе г. Архангельска по проспекту Ломоносова"
- Распоряжение от 11 августа 2021 г. № 3295р "О предоставлении разрешения на условно разрешенный вид использования земельного участка, расположенного в Маймаксанском территориальном округе г. Архангельска по улице Сосновке, об утверждении схемы расположения земельного участка"
- Распоряжение от 11 августа 2021 г. № 3291р "О предоставлении разрешения на условно разрешенный вид использования земельного участка, расположенного в территориальном округе Майская горка г. Архангельска по улице Первомайской"
- Распоряжение от 11 августа 2021 г. № 3286р "О предоставлении разрешения на условно разрешенный вид использования земельного участка, расположенного в территориальном округе Варавино-Фактория г. Архангельска по проспекту Ленинградскому"
- Распоряжение от 11 августа 2021 г. № 3290р "О предоставлении разрешения на условно разрешенный вид использования земельных участков, расположенных в Октябрьском территориальном округе г. Архангельска на пересечении проспекта Обводный канал и проезда Сибиряковцев"
- Распоряжение от 11 августа 2021 г. № 3288р " О предоставлении разрешения на условно разрешенный вид использования земельного участка, расположенного в Соломбальском территориальном округе г. Архангельске по улице Терехина, об утверждении схемы расположения земельного участка"
- Распоряжение от 11 августа 2021 г. № 3296р "О предоставлении разрешения на условно разрешенный вид использования земельного участка, расположенного Исакогорском территориальном округе г. Архангельске по улице Дежнёвцев, об утверждении схемы расположения земельного участка"
- Распоряжение от 27 июля 2021 г. № 3061р "Об отказе предоставлении разрешения на условно разрешенный вид использования земельного участка, расположенного в территориальном округе Варавино-Фактория г. Архангельска по проспекту Ленинградскому, в утверждении схемы расположения земельного участка"
- Распоряжение от 23 июля 2021 г. № 3034р "О предоставлении разрешения на условно разрешенный вид использования земельного участка, расположенного в Исакогорском территориальном округе г. Архангельска по улице Озерной"
- Распоряжение от 27 июля 2021 г. № 3065р "О предоставлении разрешения на условно разрешенный вид использования земельного участка, расположенного в Маймаксанском территориальном округе г. Архангельска по улице Кольцевой, об утверждении схемы расположения земельного участка"
- Распоряжение от 27 июля 2021 г. № 3062р "О предоставлении разрешения на условно разрешенный вид использования земельного участка, расположенного в Северном территориальном округе г. Архангельска по улице Ларионова С.Н., об утверждении схемы расположения земельного участка"
- Распоряжение от 27 июля 2021 г. № 3060р "О предоставлении разрешения на условно разрешенный вид использования земельных участков, расположенных в г. Архангельске, об утверждении схем расположения земельных участков"
- Распоряжение от 23 июля 2021 г. № 3039р "О предоставлении разрешения на условно разрешенный вид использования земельного участка, расположенного в Соломбальском территориальном округе г. Архангельска по улице Челюскинцев"
- Распоряжение от 23 июля 2021 г. № 3038р "Об отказе в предоставлении разрешения на условно разрешенный вид использования земельного участка, расположенного в Октябрьском территориальном округе г. Архангельска по улице Логинова"
- Распоряжение от 23 июля 2021 г. № 3037р "Об отказе в предоставлении разрешения на отклонение от предельных параметров разрешенного строительства объекта капитального строительства (среднеэтажный жилой дом) на земельном участке, расположенном в Соломбальском территориальном округе г. Архангельска по улице Пахтусова"
- Распоряжение от 23 июня 2021 г. № 3035р "О предоставлении разрешения на условно разрешенный вид использования земельных участков, расположенных в г. Архангельске"
- Распоряжение от 23 июля 2021 г. № 3033р "О предоставлении разрешения на условно разрешенный вид использования земельного участка, расположенного в Исакогорском территориальном округе г. Архангельска по улице Рейдовой"
- Распоряжение от 23 июля 2021 г. № 3032р "О предоставлении разрешения на условно разрешенный вид использования земельного участка, расположенного в Северном территориальном округе г. Архангельска по улице Суздальцевой В.И."
- Распоряжение от 23 июля 2021 г. № 3031р "О предоставлении разрешения на отклонение от предельных параметров разрешенного строительства объекта капитального строительства (храм преподобного Сергия Радонежского г. Архангельск Архангельской и Холмогорской епархии Русской Православной Церкви (Московский патриархат) на земельных участках, расположенных в Ломоносовском территориальном округе г.Архангельска по проспекту Чумбарова-Лучинского"
- Распоряжение от 23 июля 2021 г. № 3030р "Об отказе в предоставлении разрешения на отклонение от предельных параметров разрешенного строительства объекта капитального строительства (индивидуальный домой дом) на земельном участке, расположенном в территориальном округе Майская горка г. Архангельска по улице Поселковой"
- Распоряжение от 15 июля 2021 г. № 2918р "О предоставлении разрешения на условно разрешенный вид использования земельного участка, расположенного в территориальном округе Варавино-Фактория г. Архангельска по улице Капитальной, об утверждении схемы расположения земельного участка"
- Распоряжение от 15 июля 2021 г. № 2917р "О предоставлении разрешения на условно разрешенный вид использования земельного участка, расположенного в поселке Турдеевск городского округа "Город Архангельск" Архангельской области по улице Турдеевской, об утверждении схемы расположения земельного участка"
- Распоряжение от 15 июля 2021 г. № 2916р "О предоставлении разрешения на условно разрешенный вид использования земельных участков, расположенных в Маймаксанском территориальном округе г. Архангельска по улице Сибирской, 1-й проезд, об утверждении схем расположения земельных участков"
- Распоряжение от 15 июля 2021 г. № 2900р "О предоставлении разрешения на условно разрешенный вид использования земельного участка, расположенного в территориальном округе Варавино-Фактория г. Архангельска по улице Капитальной, об утверждении схемы расположения земельного участка"
- Распоряжение от 15 июля 2021 г. № 2899р "О предоставлении разрешения на условно разрешенный вид использования земельных участков, расположенных в г. Архангельске, об утверждении схем расположения земельных участков"
- Распоряжение от 8 июля 2021 г. № 2816р "О предоставлении разрешения на отклонение от предельных параметров разрешенного строительства объекта капитального строительства (индивидуальный жилой дом) на земельном участке, расположенном в территориальном округе Майская горка г. Архангельска по улице Дружбы"
- Распоряжение от 8 июля 2021 г. № 2814р "О предоставлении разрешения на отклонение от предельных параметров разрешенного строительства объекта капитального строительства (индивидуальный жилой дом) на земельном участке, расположенном в территориальном округе Майская горка г. Архангельска по улице Красной Звезды"
- Распоряжение от 8 июля 2021 г. № 2806р "О предоставлении разрешения на условно разрешенный вид использования земельного участка с кадастровым номером 29:22:023008:3, расположенного в Соломбальском территориальном округе г. Архангельска"
- Распоряжение от 8 июля 2021 г. № 2805р "О предоставлении разрешения на отклонение от предельных параметров разрешенного строительства объекта капитального строительства (индивидуальный жилой дом) на земельном участке, расположенном в Соломбальском территориальном округе г.Архангельска на территории КИЗ Лето"
- Распоряжение от 8 июля 2021 г. № 2803р "Об отказе в предоставлении разрешения на условно разрешенный вид использования земельного участка, расположенного в Северном территориальном округе г. Архангельска по улице Кировской"
- Распоряжение от 8 июля 2021 г. № 2802р "О предоставлении разрешения на отклонение от предельных параметров разрешенного строительства объекта капитального строительства (индивидуальный жилой дом) на земельном участке, расположенном в Соломбальском территориальном округе г.Архангельска на территории КИЗ Лето"
- Распоряжение от 8 июля 2021 г. № 2801р "Об отказе в предоставлении разрешения на отклонение от предельных параметров разрешенного строительства объекта капитального строительства (индивидуальный жилой дом) на земельном участке, расположенном в Соломбальском территориальном округе г. Архангельска по улице Кузнечевской"
- Распоряжение от 8 июля 2021 г. № 2799р "О предоставлении разрешения на отклонение от предельных параметров разрешенного строительства объекта капитального строительства (индивидуальный жилой дом) на земельном участке, расположенном в территориальном округе Варавино-Фактория г. Архангельска на территории КИЗ Силикат 2-я линия"
- Распоряжение от 24 июня 2021 г. № 2579р "Об отказе в предоставлении разрешения на условно разрешенный вид использования земельных участков, расположенных в г. Архангельске, в утверждении схем расположения земельных участков"
- Распоряжение от 24 июня 2021 г. № 2578р "Об отказе в предоставлении разрешения на условно разрешенный вид использования земельного участка, расположенного в Маймаксанском территориальном округе г. Архангельска по улице Сибирской, 1-й проезд, в утверждении схемы расположения земельного участка"
- Распоряжение от 24 июня 2021 г. № 2577р "Об отказе в предоставлении разрешения на условно разрешенный вид использования земельного участка, расположенного в Октябрьском территориальном округе г. Архангельска по улице Аэропорт Кегостров, в утверждении схемы расположения земельного участка"
- Распоряжение от 24 июня 2021 г. № 2576р "Об отказе в предоставлении разрешения на условно разрешенный вид использования земельного участка, расположенного в территориальном округе Майская горка г. Архангельска по улице Кооперативной, в утверждении схемы расположения земельного участка"
- Распоряжение от 24 июня 2021 г. № 2575р "Об отказе в предоставлении разрешения на условно разрешенный вид использования земельного участка, расположенного в территориальном округе Варавино-Фактория г. Архангельска по улице Гражданской, в утверждении схемы расположения земельного участка"
- Распоряжение от 24 июня 2021 г. № 2574р "Об отказе в предоставлении разрешения на условно разрешенный вид использования земельного участка, расположенного в Соломбальском территориальном округе г. Архангельске по улице Челюскинцев, в утверждении схемы расположения земельного участка"
- Распоряжение от 24 июня 2021 г. № 2573р "Об отказе в предоставлении разрешения на условно разрешенный вид использования земельных участков, расположенных в г. Архангельске, в утверждении схем расположения земельных участков"
- Распоряжение от 24 июня 2021 г. № 2556р "Об отказе в предоставлении разрешения на условно разрешенный вид использования земельных участков, расположенных в Октябрьском территориальном округе г. Архангельска на пересечении проспекта Обводный канал и проезда Сибиряковцев"
- Распоряжение от 23 июня 2021 г. № 2514р "Об отказе в предоставлении разрешения на отклонение от предельных параметров разрешенного строительства объекта капитального строительства (индивидуальный жилой дом) на земельном участке, расположенном в территориальном округе Майская горка г. Архангельска по улице Полины Осипенко"
- Распоряжение от 23 июня 2021 г. № 2513р "Об отказе в предоставлении разрешения на условно разрешенный вид использования земельного участка, расположенного в территориальном округе Майская горка г. Архангельска по улице Первомайской"
- Распоряжение от 23 июня 2021 г. № 2512р "Об отказе в предоставлении разрешения на условно разрешенный вид использования земельного участка, расположенного в территориальном округе Варавино-Фактория г. Архангельска по проспекту Ленинградскому"
- Распоряжение от 23 июня 2021 г. № 2511р "Об отказе в предоставлении разрешения на отклонение от предельных параметров разрешенного строительства объекта капитального строительства (индивидуальный жилой дом) на земельном участке, расположенном в Соломбальском территориальном округе г. Архангельска по улице Новоземельской"
- Распоряжение от 16 июня 2021 г. № 2359р "О внесении изменения в распоряжение Главы городского округа "Город Архангельск" от 13 мая 2021 года № 1730р"
- Распоряжение от 9 июня 2021 г. № 2199р "О предоставлении разрешения на условно разрешенный вид использования земельного участка, расположенного в территориальном округе Варавино-Фактория г. Архангельска по улице Капитальной, об утверждении схемы расположения земельного участка"
- Распоряжение от 9 июня 2021 г. № 2198р "О предоставлении разрешения на условно разрешенный вид использования земельного участка, расположенного в Соломбальском территориальном округе г. Архангельска по улице Депутатской, об утверждении схемы расположения земельного участка"
- Распоряжение от 9 июня 2021 г. № 2197р "О предоставлении разрешения на условно разрешенный вид использования земельного участка, расположенного в г. Архангельске, об утверждении схемы расположения земельного участка"
- Распоряжение от 9 июня 2021 г. № 2196р "О предоставлении разрешения на условно разрешенный вид использования земельного участка, расположенного в Октябрьском территориальном округе г. Архангельска по улице Юбилейной, об утверждении схемы расположения земельного участка"
- Распоряжение от 9 июня 2021 г. № 2195р "О предоставлении разрешения на условно разрешенный вид использования земельного участка, расположенного в Маймаксанском территориальном округе г. Архангельска по улице Сибирской, 1-й проезд, об утверждении схемы расположения земельного участка"
- Распоряжение от 9 июня 2021 г. № 2194р "О предоставлении разрешения на условно разрешенный вид использования земельного участка, расположенного в Маймаксанском территориальном округе г. Архангельска по улице Сибирской, 1-й проезд, об утверждении схемы расположения земельного участка"
- Распоряжение от 8 июня 2021 г. № 2163р "О предоставлении разрешения на условно разрешенный вид использования земельного участка, расположенного в территориальном округе Майская горка г. Архангельска по проспекту Ленинградскому"
- Распоряжение от 8 июня 2021 г. № 2166р "О предоставлении разрешения на условно разрешенный вид использования земельного участка, расположенного в территориальном округе Майская горка г. Архангельска по проспекту Ленинградскому"
- Распоряжение от 8 июня 2021 г. № 2164р "О предоставлении разрешения на условно разрешенный вид использования земельного участка, расположенного в территориальном округе Майская горка г. Архангельска по проспекту Ленинградскому"
- Распоряжение от 8 июня 2021 г. № 2165р "О предоставлении разрешения на отклонение от предельных параметров разрешенного строительства объекта капитального строительства (индивидуальный жилой дом) на земельном участке, расположенном в территориальном округе Варавино-Фактория г. Архангельска на территории КИЗ Силикат 1-я линия"
- Распоряжение от 13 мая 2021 г. № 1738р "О предоставлении разрешения на условно разрешенный вид использования земельного участка, расположенного в Октябрьском территориальном округе г.Архангельска по проспекту Советских Космонавтов, об утверждении схемы расположения земельного участка"
- Распоряжение от 13 мая 2021 г. № 1732р "О предоставлении разрешения на условно разрешенный вид использования земельных участков, расположенных в г. Архангельске, об утверждении схем расположения земельных участков"
- Распоряжение от 13 мая 2021 г. № 1731р "О предоставлении разрешения на условно разрешенный вид использования земельного участка, расположенного в Соломбальском территориальном округе г.Архангельска по улице Маймаксанской, об утверждении схемы расположения земельного участка"
- Распоряжение от 13 мая 2021 г. № 1730р "О предоставлении разрешения на условно разрешенный вид использования земельного участка, расположенного в территориальном округе Майская горка г. Архангельска по улице Кооперативной"
- Распоряжение от 13 мая 2021 г. № 1729р "О предоставлении разрешения на условно разрешенный вид использования земельного участка, расположенного в Северном территориальном округе г. Архангельска по улице Ларионова С.Н., об утверждении схемы расположения земельного участка"
- Распоряжение от 13 мая 2021 г. № 1728р "О предоставлении разрешения на условно разрешенный вид использования земельного участка, расположенного в территориальном округе Варавино-Фактория г. Архангельска по переулку Конецгорскому, об утверждении схемы расположения земельного участка"
- Распоряжение от 11 мая 2021 г. № 1700р "О предоставлении разрешения на условно разрешенный вид использования земельного участка, расположенного в территориальном округе Варавино-Фактория г. Архангельска по проспекту Ленинградскому"
- Распоряжение от 11 мая 2021 г. № 1699р "О предоставлении разрешения на условно разрешенный вид использования земельного участка, расположенного в Октябрьском территориальном округе г. Архангельска по проспекту Троицкому"
- Распоряжение от 11 мая 2021 г. № 1698р "О предоставлении разрешения на отклонение от предельных параметров реконструкции объекта капитального строительства (индивидуальный жилой дом) на земельном участке, расположенном в Исакогорском территориальном округе г. Архангельска по улице Деповской"
- Распоряжение от 11 мая 2021 г. № 1697р "О предоставлении разрешения на отклонение от предельных параметров разрешенного строительства объекта капитального строительства (индивидуальный жилой дом) на земельном участке, расположенном в территориальном округе Варавино-Фактория г. Архангельска по переулку Конецгорскому"
- Распоряжение от 11 мая 2021 г. № 1696р "О предоставлении разрешения на отклонение от предельных параметров разрешенного строительства объекта капитального строительства (индивидуальный жилой дом) на земельном участке, расположенном в Соломбальском территориальном округе г. Архангельска на территории КИЗ Лето"
- Распоряжение от 4 мая 2021 г. № 1622р "Об установлении соответствия вида разрешенного использования земельного участка с кадастровым номером 29:22:040203:48"
- Распоряжение от 12 апреля 2021 г. № 1232р "О предоставлении разрешения на условно разрешенный вид использования земельного участка, расположенного в Маймаксанском территориальном округе г. Архангельска по улице Междуречье, об утверждении схемы расположения земельного участка"
- Распоряжение от 12 апреля 2021 г. № 1231р "О предоставлении разрешения на условно разрешенный вид использования земельного участка, расположенного в Северном территориальном округе г. Архангельска по улице Богового В.Г., об утверждении схемы расположения земельного участка"
- Распоряжение от 12 апреля 2021 г. № 1229р "О предоставлении разрешения на условно разрешенный вид использования земельного участка, расположенного в Соломбальском территориальном округе г. Архангельска по улице Леваневского, об утверждении схемы расположения земельного участка"
- Распоряжение от 9 апреля 2021 г. № 1225р "О предоставлении разрешения на условно разрешенный вид использования земельного участка, расположенного в территориальном округе Варавино-Фактория г. Архангельска по улице Тарасова А.П., об утверждении схемы расположения земельного участка"
- Распоряжение от 9 апреля 2021 г. № 1224р "О предоставлении разрешения на условно разрешенный вид использования земельного участка, расположенного в Северном территориальном округе г. Архангельска по улице Ларионова С.Н., об утверждении схемы расположения земельного участка"
- Распоряжение от 9 апреля 2021 г. № 1223р "О предоставлении разрешения на условно разрешенный вид использования земельного участка, расположенного в Северном территориальном округе г. Архангельска по улице Побережной, об утверждении схемы расположения земельного участка"
- Распоряжение от 9 апреля 2021 г. № 1222р "О предоставлении разрешения на условно разрешенный вид использования земельного участка, расположенного в Соломбальском территориальном округе г. Архангельска по улице Малой, об утверждении схемы расположения земельного участка"
- Распоряжение от 7 апреля 2021 г. № 1187р "Об отказе в предоставлении разрешения на условно разрешенный вид использования земельного участка, расположенного в Октябрьском территориальном округе г. Архангельска"
- Распоряжение от 7 апреля 2021 г. № 1186р "О предоставлении разрешения на условно разрешенный вид использования земельного участка с кадастровым номером 29:16:064702:3148, расположенного в поселке Талажский авиагородок муниципального образования "Город Архангельск""
- Распоряжение от 7 апреля 2021 г. № 1185 "Об отказе в предоставлении разрешения на условно разрешенный вид использования земельного участка, расположенного в Маймаксанском территориальном округе г. Архангельска по улице Менделеева"
- Распоряжение от 19 апреля 2021 г. № 1376р "Об установлении соответствия вида разрешенного использования земельного участка с кадастровым номером 29:22:022533:30"
- Распоряжение от 6 апреля 2021 г. № 1162р "О предоставлении разрешения на условно разрешенный вид использования земельных участков, расположенных в г. Архангельске"
- Распоряжение от 6 апреля 2021 г. № 1161р "О предоставлении разрешения на условно разрешенный вид использования земельного участка, расположенного в Ломоносовском территориальном округе г. Архангельска по улице Поморской, об утверждении схемы расположения земельного участка"
- Распоряжение от 6 апреля 2021 г. № 1160р "О предоставлении разрешения на условно разрешенный вид использования земельного участка, расположенного в Маймаксанском территориальном округе г. Архангельска по улице Гидролизной, об утверждении схемы расположения земельного участка"
- Распоряжение от 6 апреля 2021 г. № 1157р "О предоставлении разрешения на условно разрешенный вид использования земельного участка, расположенного в территориальном округе Варавино-Фактория г. Архангельска по улице Кононова И.Г., об утверждении схемы расположения земельного участка"
- Распоряжение от 6 апреля 2021 г. № 1156р "О предоставлении разрешения на условно разрешенный вид использования земельного участка, расположенного в Северном территориальном округе г. Архангельска по улице Побережной, об утверждении схемы расположения земельного участка"
- Распоряжение от 6 апреля 2021 г. № 1155р "О предоставлении разрешения на условно разрешенный вид использования земельного участка, расположенного в территориальном округе Майская горка г. Архангельска по улице Карпогорской, об утверждении схемы расположения земельного участка"
- Распоряжение от 1 апреля 2021 г. № 1115р "Об отказе в предоставлении разрешения на условно разрешенный вид использования земельного участка, расположенного в Ломоносовском территориальном округе г. Архангельска по улице Тимме Я."
- Распоряжение от 1 апреля 2021 г. № 1114р "Об отказе в предоставлении разрешения на условно разрешенный вид использования земельного участка, расположенного в территориальном округе Варавино-Фактория г. Архангельска по улице Воронина В.И."
- Распоряжение от 1 апреля 2021 г. № 1113р "О предоставлении разрешения на условно разрешенный вид использования земельного участка, расположенного в территориальном округе Варавино-Фактория г. Архангельска по проспекту Ленинградскому"
- Распоряжение от 1 апреля 2021 г. № 1112р "О предоставлении разрешения на отклонение от предельных параметров разрешенного строительства объекта капитального строительства (индивидуальный жилой дом) на земельном участке, расположенном в Исакогорском территориальном округе г. Архангельска, по улице Исток"
- Распоряжение от 1 апреля 2021 г. № 1111р "Об отказе в предоставлении разрешения на условно разрешенный вид использования земельного участка, расположенного в Октябрьском территориальном округе г. Архангельска"
- Распоряжение от 26 февраля 2021 г. № 618р "О предоставлении разрешения на условно разрешенный вид использования земельных участков, расположенных в г. Архангельске, об утверждении схем расположения земельных участков"
- Распоряжение от 26 февраля 2021 г. № 617р "О предоставлении разрешения на условно разрешенный вид использования земельного участка, расположенного в территориальном округе Варавино-Фактория г. Архангельска по улице Шкулева, об утверждении схемы расположения земельного участка"
- Распоряжение от 26 февраля 2021 г. № 616р "О предоставлении разрешения на условно разрешенный вид использования земельного участка, расположенного в Соломбальском территориальном округе г. Архангельска по улице Маймаксанской"
- Распоряжение от 26 февраля 2021 г. № 615р "О предоставлении разрешения на условно разрешенный вид использования земельного участка, расположенного в Соломбальском территориальном округе г. Архангельска по улице Маймаксанской"
- Распоряжение от 26 февраля 2021 г. № 614р "О предоставлении разрешения на условно разрешенный вид использования земельных участков, расположенных в г. Архангельске, об утверждении схем расположения земельных участков"
- Распоряжение от 26 февраля 2021 г. № 613р "О предоставлении разрешения на отклонение от предельных параметров разрешенного строительства объекта капитального строительства (садовый дом) на земельном участке, расположенном в территориальном округе Майская горка г. Архангельска, СНТ "Виченка" участок 110"
- Распоряжение от 26 февраля 2021 г. № 612р "О предоставлении разрешения на условно разрешенный вид использования земельных участков, расположенных в г. Архангельске, об утверждении схем расположения земельных участков"
- Распоряжение от 26 февраля 2021 г. № 600р "О предоставлении разрешения на отклонение от предельных параметров разрешенного строительства объекта капитального строительства (индивидуальный жилой дом) на земельном участке, расположенном в Соломбальском территориальном округе г. Архангельска на территории КИЗ Лето"
- Распоряжение от 26 февраля 2021 г. № 599р "О предоставлении разрешения на условно разрешенный вид использования земельных участков, расположенных в г. Архангельске"
- Распоряжение от 15 февраля 2021 г. № 495р "О предоставлении разрешения на условно разрешенный вид использования земельных участков, расположенных в г. Архангельске, об утверждении схем расположения земельных участков"
- Распоряжение от 8 февраля 2021 г. № 379р "Об установлении соответствия вида разрешенного использования земельных участков с кадастровыми номерами 29:22:040211:15 и 29:22:040211:123"
- Распоряжение от 10 февраля 2021 г. № 427р "О предоставлении разрешения на условно разрешенный вид использования земельного участка, расположенного в территориальном округе Варавино-Фактория г. Архангельска по улице Дорожной, об утверждении схемы расположения земельного участка"
- Распоряжение от 10 февраля 2021 г. № 426р "О предоставлении разрешения на условно разрешенный вид использования земельных участков, расположенных в Маймаксанском территориальном округе г. Архангельска по улице Сибирской, 1-й проезд, об утверждении схемы расположения земельного участка"
- Распоряжение от 10 февраля 2021 г. № 425р "О предоставлении разрешения на условно разрешенный вид использования земельного участка, расположенного в Соломбальском территориальном округе г. Архангельска по улице Южной, об утверждении схемы расположения земельного участка"
- Распоряжение от 10 февраля 2021 г. № 424р "О предоставлении разрешения на условно разрешенный вид использования земельного участка, расположенного в Соломбальском территориальном округе г. Архангельска по улице Маймаксанской, об утверждении схемы расположения земельного участка"
- Распоряжение от 10 февраля 2021 г. № 423р "О предоставлении разрешения на отклонение от предельных параметров разрешенного строительства объекта капитального строительства (индивидуальный жилой дом) на земельном участке, расположенном в Соломбальском территориальном округе г.Архангельска по улице Маймаксанской"
- Распоряжение от 10 февраля 2021 г. № 422р "Об отказе в предоставлении разрешения на условно разрешенный вид использования земельных участков, расположенных в Маймаксанском территориальном округе г. Архангельска по улице Сибирской, 1-й проезд, об утверждении схем расположения земельных участков"
- Распоряжение от 10 февраля 2021 г. № 421р "О предоставлении разрешения на условно разрешенный вид использования земельного участка, расположенного в Маймаксанском территориальном округе г. Архангельска по ул. Победы, д. 142, к. 1"
- Распоряжение от 10 февраля 2021 г. № 420р "О предоставлении разрешения на условно разрешенный вид использования земельного участка, расположенного в Маймаксанском территориальном округе г. Архангельска по улице Победы, 17, строение 1, об утверждении схемы расположения земельного участка"
- Распоряжение от 10 февраля 2021 г. № 419р "О предоставлении разрешения на условно разрешенный вид использования земельного участка, расположенного в Северном территориальном округе г. Архангельска по ул. Орджоникидзе, 24, корп. 2"
- Распоряжение от 10 февраля 2021 г. № 418р "О предоставлении разрешения на отклонение от предельных параметров разрешенного строительства объекта капитального строительства (индивидуальный жилой дом) на земельном участке, расположенном в Соломбальском территориальном округе г.Архангельска по улице Александра Петрова"
- Распоряжение от 10 февраля 2021 г. № 417р "Об отказе в предоставлении разрешения на условно разрешенный вид использования земельного участка, расположенного в Ломоносовском территориальном округе г. Архангельска по проспекту Ломоносова"
- Распоряжение от 26 декабря 2020 г. № 940р "О предоставлении разрешения на условно разрешенный вид использования земельных участков, расположенных в г. Архангельске, об утверждении схем расположения земельных участков"
- Распоряжение от 25 декабря 2020 г. № 863р "О предоставлении разрешения на условно разрешенный вид использования земельного участка, расположенного в Маймаксанском территориальном округе г.Архангельска по улице Повракульской, об утверждении схемы расположения земельного участка"
- Распоряжение от 25 декабря 2020 г. № 862р "О предоставлении разрешения на условно разрешенный вид использования земельного участка, расположенного в Цигломенском территориальном округе г.Архангельска по улице Первый рабочий квартал"
- Распоряжение от 25 декабря 2020 г. № 861р "О предоставлении разрешения на условно разрешенный вид использования земельного участка, расположенного в территориальном округе Варавино-Фактория г.Архангельска на территории КИЗ Силикат 1-я линия"
- Распоряжение от 25 декабря 2020 г. № 860р "О предоставлении разрешения на условно разрешенный вид использования земельного участка, расположенного в Северном территориальном округе г. Архангельска по ул. Орджоникидзе, 24, корп. 3"
- Распоряжение от 25 декабря 2020 г. № 859р "О предоставлении разрешения на условно разрешенный вид использования земельного участка, расположенного в территориальном округе Майская горка г.Архангельска по улице Трудовой, об утверждении схемы расположения земельного участка"
- Распоряжение от 25 декабря 2020 г. № 858р "О предоставлении разрешения на условно разрешенный вид использования земельного участка, расположенного в Северном территориальном округе г.Архангельска по 5-й линии, об утверждении схемы расположения земельного участка"
- Распоряжение от 25 декабря 2020 г. № 856р "О предоставлении разрешения на условно разрешенный вид использования земельного участка, расположенного в Северном территориальном округе г.Архангельска по улице Богового В.Г., об утверждении схемы расположения земельного участка"
- Распоряжение от 25 декабря 2020 г. № 857р "О предоставлении разрешения на условно разрешенный вид использования земельных участков, расположенных в Соломбальском территориальном округе г.Архангельска по улице Мезенской, об утверждении схемы расположения земельных участков"
- Распоряжение от 25 декабря 2020 г. № 855р "О предоставлении разрешения на условно разрешенный вид использования земельного участка, расположенного в территориальном округе Майская горка г.Архангельска по улице Кооперативной"
- Распоряжение от 25 декабря 2020 г. № 854р "О предоставлении разрешения на условно разрешенный вид использования земельного участка, расположенного в Северном территориальном округе г.Архангельска по улице Богового В.Г., об утверждении схемы расположения земельного участка"
- Распоряжение от 25 декабря 2020 г. № 853р №О предоставлении разрешения на условно разрешенный вид использования земельных участков, расположенных в Маймаксанском территориальном округе г.Архангельска по улице Усть-Кривяк, об утверждении схемы расположения земельного участка"
- Распоряжение от 25 декабря 2020 г. № 852р "О предоставлении разрешения на условно разрешенный вид использования земельного участка, расположенного в Соломбальском территориальном округе г.Архангельска по улице Суханова, об утверждении схемы расположения земельного участка"
- Распоряжение от 25 декабря 2020 г. № 851р "Об отказе в предоставлении разрешения на отклонение от предельных параметров разрешенного строительства объекта капитального строительства (многоквартирный жилой дом) на земельных участках, расположенных в Ломоносовском территориальном округе г. Архангельска по улице Красноармейской"
- Распоряжение от 11 декабря 2020 г. № 619р "О предоставлении разрешения на условно разрешенный вид использования земельного участка, расположенного в Северном территориальном округе г.Архангельска по улице Побережной, об утверждении схемы расположения земельного участка"
- Распоряжение от 24 ноября 2020 г. 185р "Об установлении соответствия вида разрешенного использования земельного участка с кадастровым номером 29:16:064501:231"
- Распоряжение от 9 декабря 2020 г. № 582р "О предоставлении разрешения на условно разрешенный вид использования земельных участков, расположенных в Маймаксанском территориальном округе г. Архангельска по улице Сибирской, 1-й проезд"
- Распоряжение от 9 декабря 2020 г. № 581р "О предоставлении разрешения на отклонение от предельных параметров разрешенного строительства объекта капитального строительства (садовый дом) на земельном участке, расположенном в территориальном округе Майская горка г.Архангельска, СНТ "Виченка" участок 56"
- Распоряжение от 9 декабря 2020 г. № 580р "О предоставлении разрешения на отклонение от предельных параметров реконструкции объекта капитального строительства (дом-интернат (пансионат) для престарелых и инвалидов) на земельном участке, расположенном в Северном территориальном округе г.Архангельска по улице Малиновского, 1"
- Распоряжение от 9 декабря 2020 г. № 579р "О предоставлении разрешения на условно разрешенный вид использования земельного участка, расположенного в г. Архангельске, Чёрная Курья 4-я линия"
- Распоряжение от 9 декабря 2020 г. № 578р "О предоставлении разрешения на отклонение от предельных параметров разрешенного строительства объекта капитального строительства (индивидуальный жилой дом) на земельном участке, расположенном в Маймаксанском территориальном округе г.Архангельска по улице Мудьюгской"
- Распоряжение от 9 декабря 2020 г. № 577р "О предоставлении разрешения на условно разрешенный вид использования земельных участков, расположенных в г. Архангельске, об утверждении схем расположения земельных участков"
- Распоряжение от 9 декабря 2020 г. № 576р "О предоставлении разрешения на условно разрешенный вид использования земельных участков, расположенных в г. Архангельске, об утверждении схем расположения земельных участков"
- Распоряжение от 9 декабря 2020 г. № 575р "О предоставлении разрешения на условно разрешенный вид использования земельных участков, расположенных в г. Архангельске, об утверждении схем расположения земельных участков"
- Распоряжение от 9 декабря 2020 г. № 574р "О предоставлении разрешения на отклонение от предельных параметров разрешенного строительства объекта капитального строительства (многоквартирный жилой дом) на земельных участках, расположенных в Октябрьском территориальном округе г. Архангельска по проспекту Ломоносова"
- Распоряжение от 9 декабря 2020 г. № 573р "О предоставлении разрешения на условно разрешенный вид использования земельных участков, расположенных в Соломбальском территориальном округе г.Архангельска по проспекту Никольскому"
- Распоряжение от 9 декабря 2020 г. № 572р "Об отказе в предоставлении разрешения на отклонение от предельных параметров разрешенного строительства объекта капитального строительства (магазин с помещениями делового назначения) на земельном участке, расположенном в территориальном округе Майская горка г.Архангельска по улице Дружбы"
- Распоряжение от 9 декабря 2020 г. № 571р "О предоставлении разрешения на условно разрешенный вид использования земельных участков, расположенных в г. Архангельске, об утверждении схем расположения земельных участков"
- Распоряжение от 9 декабря 2020 г. № 570р "Об отказе в предоставлении разрешения на условно разрешенный вид использования земельного участка, расположенного в Маймаксанском территориальном округе г.Архангельска по улице Кольцевой, в утверждении схемы расположения земельного участка"
- Распоряжение от 9 декабря 2020 г. № 569р "О предоставлении разрешения на условно разрешенный вид использования земельного участка, расположенного в Северном территориальном округе г.Архангельска по 5-ой линии"
- Распоряжение от 9 декабря 2020 г. № 568р "Об отказе в предоставлении разрешения на отклонение от предельных параметров реконструкции объекта капитального строительства (индивидуальный жилой дом) на земельном участке, расположенном в Маймаксанском территориальном округе г.Архангельска по улице Кольцевой"
- Распоряжение от 9 декабрь 2020 г. № 567р "Об отказе предоставлении разрешения на условно разрешенный вид использования земельного участка, расположенного в Ломоносовском территориальном округе г. Архангельска по улице Павла Усова, в утверждении схемы расположения земельного участка"
- Распоряжение от 9 декабря 2020 г. № 566р "О предоставлении разрешения на условно разрешенный вид использования земельного участка, расположенного в Северном территориальном округе г.Архангельска по улице Ларионова С.Н., об утверждении схемы расположения земельного участка"
- Распоряжение от 9 декабря 2020 г. № 565р "Об отказе в предоставлении разрешения на условно разрешенный вид использования земельного участка, расположенного в Октябрьском территориальном округе г.Архангельска по проспекту Дзержинского"
- Распоряжение от 9 декабря 2020 г. № 564р "Об отказе в предоставлении разрешения на отклонение от предельных параметров разрешенного строительства объекта капитального строительства (административное здание) на земельном участке, расположенном в Ломоносовском территориальном округе г.Архангельска по переулку Банковскому"
- Распоряжение от 9 декабря 2020 г. № 563р "О предоставлении разрешения на отклонение от предельных параметров разрешенного строительства объекта капитального строительства (индивидуальный жилой дом) на земельном участке, расположенном в Соломбальском территориальном округе г.Архангельска на территории КИЗ Лето"
- Распоряжение от 9 декабря 2020 г. № 562р "О предоставлении разрешения на отклонение от предельных параметров разрешенного строительства объекта капитального строительства (индивидуальный жилой дом) на земельном участке, расположенном в Соломбальском территориальном округе г. Архангельска на территории КИЗ Лето"
- Распоряжение от 23 октября 2020 г. № 3714р "О предоставлении разрешения на условно разрешенный вид использования земельного участка, расположенного в Маймаксанском территориальном округе г. Архангельска по улице Культуры, об утверждении схемы расположения земельного участка"
- Распоряжение от 23 октября 2020 г. № 3713р "О предоставлении разрешения на условно разрешенный вид использования земельного участка, расположенного в Исакогорском территориальном округе г. Архангельска по улице Локомотивная, 8, об утверждении схемы расположения земельного участка"
- Распоряжение от 22 октября 2020 г. № 3707р "О предоставлении разрешения на отклонение от предельных параметров разрешенного строительства объекта капитального строительства (многоквартирный жилой дом) на земельных участках, расположенных в Октябрьском территориальном округе г. Архангельска по проспекту Ломоносова"
- Распоряжение от 22 октября 2020 г. № 3706р "О предоставлении разрешения на условно разрешенный вид использования земельного участка, расположенного в территориальном округе Майская горка г. Архангельска по улице Танкистов, об утверждении схемы расположения земельного участка"
- Распоряжение от 22 октября 2020 г. № 3705р "Об отказе в предоставлении разрешения на условно разрешенный вид использования земельного участка, расположенного в г. Архангельске, Чёрная Курья 2-я линия"
- Распоряжение от 22 октября 2020 г. № 3704р "О предоставлении разрешения на условно разрешенный вид использования земельного участка, расположенного в Октябрьском территориальном округе г. Архангельска по улице Федота Шубина"
- Распоряжение от 22 октября 2020 г. № 3703р "О предоставлении разрешения на условно разрешенный вид использования земельного участка, расположенного в территориальном округе Майская горка г. Архангельска по проспекту Московскому"
- Распоряжение от 22 октября 2020 г. № 3702р "О предоставлении разрешения на условно разрешенный вид использования земельного участка, расположенного в Соломбальском территориальном округе г. Архангельска по улице Маймаксанской, об утверждении схемы расположения земельного участка"
- Распоряжение от 22 октября 2020 г. № 3701р "О предоставлении разрешения на условно разрешенный вид использования земельного участка, расположенного в Северном территориальном округе г.Архангельска по улице Побережной, об утверждении схемы расположения земельного участка"
- Распоряжение от 22 октября 2020 г. № 3700р "О предоставлении разрешения на условно разрешенный вид использования земельного участка, расположенного в Маймаксанском территориальном округе г. Архангельска по улице Сибирской, 1-й проезд, об утверждении схемы расположения земельного участка"
- Распоряжение от 22 октября 2020 г. № 3699р "О предоставлении разрешения на условно разрешенный вид использования земельного участка с кадастровым номером 29:22:023008:10, расположенного в Соломбальском территориальном округе г. Архангельска по улице Таймырской "
- Распоряжение от 22 октября 2020 г. № 3698р "О предоставлении разрешения на условно разрешенный вид использования земельного участка, расположенного в Соломбальском территориальном округе г. Архангельска по улице Маймаксанской, об утверждении схемы расположения земельного участка"
- Распоряжение от 23 октября 2020 г. № 3735р "О внесении изменения в распоряжение Главы муниципального образования "Город Архангельск" от 06.10.2020 № 3446р"
- Распоряжение от 6 октября 2020 г. № 3446р "О предоставлении разрешения на отклонение от предельных параметров разрешенного строительства объекта капитального строительства (индивидуальный жилой дом) на земельном участке, расположенном в территориальном округе Варавино-Фактория г. Архангельска на территории КИЗ Силикат 1-я линия"
- Распоряжение от 14 октября 2020 г. № 3559р "Об установлении соответствия вида разрешенного использования земельного участка с кадастровым номером 29:22:031003:30"
- Распоряжение от 6 октября 2020 г. № 3449р "О предоставлении разрешения на отклонение от предельных параметров разрешенного строительства объекта капитального строительства (малоэтажный жилой дом) на земельных участках, расположенных в Ломоносовском территориальном округе г. Архангельска по улице Романа Куликова"
- Распоряжение от 6 октября 2020 г. № 3448р "О предоставлении разрешения на условно разрешенный вид использования земельных участков, расположенных в Октябрьском территориальном округе г.Архангельска по улице Федота Шубина"
- Распоряжение от 6 октября 2020 г. № 3445р "О предоставлении разрешения на условно разрешенный вид использования земельного участка, расположенного в территориальном округе Варавино-Фактория г.Архангельска по проспекту Ленинградскому"
- Распоряжение от 6 октября 2020 г. № 3444р "О предоставлении разрешения на отклонение от предельных параметров разрешенного строительства объекта капитального строительства (индивидуальный жилой дом) на земельном участке, расположенном в Соломбальском территориальном округе г.Архангельска по улице Новоземельской"
- Распоряжение от 6 октября 2020 г. № 3443р "О предоставлении разрешения на условно разрешенный вид использования земельного участка, расположенного в Октябрьском территориальном округе г.Архангельска по Окружному шоссе"
- Распоряжение от 6 октября 2020 г. № 3442р "Об отказе в предоставлении разрешения на отклонение от предельных параметров разрешенного строительства объекта капитального строительства (малоэтажный жилой дом) на земельном участке, расположенном в Октябрьском территориальном округе г.Архангельска по улице Карла Маркса"
- Распоряжение от 6 октября 2020 г. № 3441р "О предоставлении разрешения на отклонение от предельных параметров разрешенного строительства объекта капитального строительства (индивидуальный жилой дом) на земельном участке, расположенном в территориальном округе Майская горка г.Архангельска по улице Первомайской"
- Распоряжение от 6 октября 2020 г. № 3440р "О предоставлении разрешения на отклонение от предельных параметров разрешенного строительства объекта капитального строительства (индивидуальный жилой дом) на земельном участке, расположенном в Маймаксанском территориальном округе г.Архангельска по улице Огородной"
- Распоряжение от 6 октября 2020 г. № 3439р "О предоставлении разрешения на отклонение от предельных параметров разрешенного строительства объекта капитального строительства (одноподъездный многоквартирный жилой дом) на земельном участке, расположенном в Ломоносовском территориальном округе г. Архангельска по улице Выучейского"
- Распоряжение от 6 октября 2020 г. № 3438р "Об отказе в предоставлении разрешения на отклонение от предельных параметров реконструкции объекта капитального строительства (здание автосалона с ремонтными мастерскими) на земельном участке, расположенном в Ломоносовском территориальном округе г. Архангельска по улице Смольный Буян"
- Распоряжение от 6 октября 2020 г. № 3437р "О предоставлении разрешения на отклонение от предельных параметров разрешенного строительства объекта капитального строительства (садовый дом) на земельном участке, расположенном в территориальном округе Майская горка г. Архангельска, СНТ "Виченка" участок 73"
- Распоряжение от 21 сентября 2020 г. № 3242р "Об установлении соответствия вида разрешенного использования земельных участков"
- Распоряжение от 10 сентября 2020 г. № 3108р "О предоставлении разрешения на отклонение от предельных параметров разрешенного строительства объекта капитального строительства (индивидуальный жилой дом) на земельном участке, расположенном в Соломбальском территориальном округе г. Архангельска по улице Прокашева"
- Распоряжение от 10 сентября 2020 г. № 3107р О предоставлении разрешения на условно разрешенный вид использования земельного участка, расположенного в Соломбальском территориальном округе г. Архангельска по переулку Красному, об утверждении схемы расположения земельного участка"
- Распоряжение от 10 сентября 2020 г. № 3106р "О предоставлении разрешения на отклонение от предельных параметров разрешенного строительства объекта капитального строительства (индивидуальный жилой дом) на земельном участке, расположенном в Соломбальском территориальном округе г. Архангельска по улице Бабушкина М.С."
- Распоряжение от 10 сентября 2020 г. № 3105р "Об отказе в предоставлении разрешения на условно разрешенный вид использования земельного участка, расположенного в Маймаксанском территориальном округе г. Архангельска по улице Победы"
- Распоряжение от 10 сентября 2020 г. № 3104р "Об отказе в предоставлении разрешения на условно разрешенный вид использования земельного участка, расположенного в Северном территориальном округе г. Архангельска по улице 5-я линия, в утверждении схемы расположения земельного участка"
- Распоряжение от 10 сентября 2020 г. № 3103р "Об отказе в предоставлении разрешения на отклонение от предельных параметров разрешенного строительства объекта капитального строительства (малоэтажный многоквартирный жилой дом) на земельных участках, расположенных в территориальном округе Варавино-Фактория г. Архангельска по переулку 1-му Ленинградскому"
- Распоряжение от 10 сентября 2020 г. № 3102р "О предоставлении разрешения на условно разрешенный вид использования земельного участка, расположенного в Маймаксанском территориальном округе г. Архангельска по улице Пионерской, об утверждении схемы расположения земельного участка"
- Распоряжение от 10 сентября 2020 г. № 3101р "О предоставлении разрешения на условно разрешенный вид использования земельного участка, расположенного в территориальном округе Варавино-Фактория г. Архангельска по проспекту Ленинградскому"
- Распоряжение от 10 сентября 2020 г. № 3100р "О предоставлении разрешения на условно разрешенный вид использования земельного участка, расположенного в территориальном округе Майская горка г. Архангельска по улице Емельяна Пугачева, об утверждении схемы расположения земельного участка"
- Распоряжение от 28 августа 2020 г. № 2971р "О предоставлении разрешения на отклонение от предельных параметров разрешенного объекта капитального строительства ("Многоквартирный жилой комплекс, ограниченный ул. Р. Куликова, ул. Урицкого и пр. Ломоносова в г. Архангельске (1,2 этап строительства)") на земельных участках, расположенных в Ломоносовском территориальном округе г. Архангельска"
- Распоряжение от 28 августа 2020 г. № 2970р "О предоставлении разрешения на отклонение от предельных параметров разрешенного объекта капитального строительства ("Многоквартирный жилой комплекс, ограниченный ул. Р. Куликова, ул. Урицкого и пр. Ломоносова в г. Архангельске (1,2 этап строительства)") на земельных участках, расположенных в Ломоносовском территориальном округе г. Архангельска"
- Распоряжение от 28 августа 2020 г. № 2969р "О предоставлении разрешения на отклонение от предельных параметров разрешенного объекта капитального строительства ("Многоквартирный жилой комплекс, ограниченный ул. Р. Куликова, ул. Урицкого и пр. Ломоносова в г. Архангельске (1,2 этап строительства)") на земельных участках, расположенных в Ломоносовском территориальном округе г. Архангельска"
- Распоряжение от 28 августа 2020 г. № 2968р "О предоставлении разрешения на отклонение от предельных параметров разрешенного объекта капитального строительства ("Многоквартирный жилой комплекс, ограниченный ул. Р. Куликова, ул. Урицкого и пр. Ломоносова в г. Архангельске (1,2 этап строительства)") на земельных участках, расположенных в Ломоносовском территориальном округе г. Архангельска "
- Распоряжение от 25 августа 2020 г. № 2887р "О предоставлении разрешения на отклонение от предельных параметров разрешенного объекта капитального строительства (среднеэтажный жилой дом) на земельном участке, расположенном в Соломбальском территориальном округе г. Архангельска по переулку Банному 1-му"
- Распоряжение от 25 августа 2020 г. № 2886р "О предоставлении разрешения на условно разрешенный вид использования земельных участков, расположенных в Октябрьском территориальном округе г. Архангельска по улице Логинова "
- Распоряжение от 25 августа 2020 г. № 2885р "О предоставлении разрешения на условно разрешенный вид использования земельного участка, расположенного в Исакогорском территориальном округе г. Архангельска по улице Вторая линия "
- Распоряжение от 25 августа 2020 г. № 2884р "О предоставлении разрешения на условно разрешенный вид использования земельного участка, расположенного в территориальном округе Варавино-Фактория г. Архангельска по проспекту Ленинградскому"
- Распоряжение от 25 августа 2020 г. № 2883р "О предоставлении разрешения на условно разрешенный вид использования земельного участка и объекта капитального строительства, расположенных в Ломоносовском территориальном округе г. Архангельска по улице Смольный Буян "
- Распоряжение от 25 августа 2020 г. № 2882р "О предоставлении разрешения на отклонение от предельных параметров разрешенного объекта капитального строительства (многоэтажный многоквартирный жилой дом) на земельном участке, расположенном в Соломбальском территориальном округе г.Архангельска по улице Советской"
- Распоряжение от 25 августа 2020 г. № 2881р "О предоставлении разрешения на отклонение от предельных параметров реконструкции объекта капитального строительства (индивидуальный жилой дом) на земельном участке, расположенном в Соломбальском территориальном округе г. Архангельска по улице Муромской"
- Распоряжение от 25 августа 2020 г. № 2880р "Об отказе в предоставлении разрешения на условно разрешенный вид использования земельного участка, расположенного в территориальном округе Варавино-Фактория г. Архангельска по улице Старожаровихинской, об утверждении схемы расположения земельного участка"
- Распоряжение от 25 августа 2020 г. № 2879р "Об отказе в предоставлении разрешения на условно разрешенный вид использования земельного участка, расположенного в Маймаксанском территориальном округе г. Архангельска СНТ "Масленица" участок 16"
- Распоряжение от 25 августа 2020 г. № 2878р "О предоставлении разрешения на условно разрешенный вид использования земельного участка, расположенного в Ломоносовском территориальном округе г. Архангельска по улице Серафимовича"
- Распоряжение от 25 августа 2020 г. № 2877р "О предоставлении разрешения на условно разрешенный вид использования земельного участка, расположенного в Ломоносовском территориальном округе г. Архангельска по улице Г. Суфтина"
- Распоряжение от 25 августа 2020 г. № 2876р "О предоставлении разрешения на условно разрешенный вид использования земельного участка, расположенного в Октябрьском территориальном округе г. Архангельска по улице Суворова"
- Распоряжение от 25 августа 2020 г. № 2875р "О предоставлении разрешения на условно разрешенный вид использования земельного участка, расположенного в Октябрьском территориальном округе г. Архангельска по улице Карельской "
- Распоряжение от 25 августа 2020 г. № 2874р "О предоставлении разрешения на условно разрешенный вид использования земельных участков, расположенных в Октябрьском территориальном округе г. Архангельска по улице Вологодской "
- Распоряжение от 25 августа 2020 г. № 2873р "О предоставлении разрешения на условно разрешенный вид использования земельного участка, расположенного в Соломбальском территориальном округе г. Архангельска по улице Челюскинцев"
- Распоряжение от от 21 июля 2020 г. № 2431р "О предоставлении разрешения на условно разрешенный вид использования земельного участка, расположенного в территориальном округе Майская горка г. Архангельска по ул. Кооперативной, об утверждении схемы расположения земельного участка"
- Распоряжение от от 21 июля 2020 г. № 2430р "О предоставлении разрешения на условно разрешенный вид использования земельного участка, расположенного в Северном территориальном округе г. Архангельска по ул. Ларионова"
- Распоряжение от 21 июля 2020 г. № 2429р "О предоставлении разрешения на условно разрешенный вид использования земельного участка, расположенного в Северном территориальном округе г. Архангельска по ул. Побережной, об утверждении схемы расположения земельного участка"
- Распоряжение от 21 июля 2020 г. № 2428р "О предоставлении разрешения на условно разрешенный вид использования земельного участка, расположенного в г. Архангельске, Чёрная Курья 4-я линия, об утверждении схемы расположения земельного участка"
- Распоряжение от 21 июля 2020 г. № 2427р "О предоставлении разрешения на отклонение от предельных параметров разрешенного строительства объекта капитального строительства (среднеэтажный жилой дом) на земельном участке, расположенном в Ломоносовском территориальном округе г. Архангельска по ул. Серафимовича"
- Распоряжение от 21 июля 2020 г. № 2426р "О предоставлении разрешения на отклонение от предельных параметров реконструкции объекта капитального строительства (объект розничной торговли) на земельном участке, расположенном в территориальном округе Майская горка г. Архангельска по проспекту Московскому, 45, корп. 2"
- Распоряжение от 21 июля 2020 г. № 2425р "Об отказе предоставлении разрешения на условно разрешенный вид использования земельного участка, расположенного в Ломоносовском территориальном округе г. Архангельска по проспекту Ленинградскому, 28, корп. 1, об утверждении схемы расположения земельного участка"
- Распоряжение от 21 июля 2020 г. № 2424р "Об отказе в предоставлении разрешения на отклонение от предельных параметров разрешенного строительства объекта капитального строительства (многоквартирный жилой дом) на земельном участке, расположенном в Ломоносовском территориальном округе г. Архангельска"
- Распоряжение от 21 июля 2020 г. № 2423р "О предоставлении разрешения на отклонение от предельных параметров разрешенного строительства объекта капитального строительства (многоквартирный жилой дом) на земельном участке, расположенном в Ломоносовском территориальном округе г. Архангельска по проспекту Новгородскому, 80"
- Распоряжение от 25 июня 2020 г. № 2077р "О предоставлении разрешения на отклонение от предельных параметров разрешенного строительства объекта капитального строительства (среднеэтажный жилой дом) на земельном участке, расположенном в Ломоносовском территориальном округе г. Архангельска по улице Володарского"
- Распоряжение от 25 июня 2020 г. № 2076р "О предоставлении разрешения на условно разрешенный вид использования земельных участков, расположенных в Ломоносовском территориальном округе г. Архангельска по проспекту Чумбарова - Лучинского"
- Распоряжение от 25 июня 2020 г. № 2075р "О предоставлении разрешения на отклонение от предельных параметров разрешенного строительства объекта капитального строительства (индивидуальный жилой дом) на земельном участке, расположенном в Соломбальском территориальном округе г. Архангельска по улице Маймаксанской, 94"
- Распоряжение от 25 июня 2020 г. № 2074р "Об отказе в предоставлении разрешения на условно разрешенный вид использования земельного участка, расположенного в Соломбальском территориальном округе г.Архангельска по улице Южной, 24, в утверждении схемы расположения земельного участка"
- Распоряжение от 25 июня 2020 г. № 2072р "Об отказе в предоставлении разрешения на условно разрешенный вид использования земельного участка, расположенного в Октябрьском территориальном округе г. Архангельска по проспекту Ломоносова, 200, корп. 2"
- Распоряжение от 25 июня 2020 г. № 2071р "О предоставлении разрешения на условно разрешенный вид использования земельных участков, расположенных в Маймаксанском территориальном округе г. Архангельска СТ "Красное""
- Распоряжение от 25 июня 2020 г. № 2070р "О предоставлении разрешения на условно разрешенный вид использования земельного участка, расположенного в Октябрьском территориальном округе г. Архангельска по проспекту Троицкому"
- Распоряжение от 25 июня 2020 г. № 2073р "Об отказе в предоставлении разрешения на условно разрешенный вид использования земельного участка, расположенного в Ломоносовском территориальном округе г. Архангельска по улице Павла Усова, в утверждении схемы расположения земельного участка"
- Распоряжение от 25 июня 2020 г. № 2069р "О предоставлении разрешения на условно разрешенный вид использования земельного участка, расположенного в Исакогорском территориальном округе г. Архангельска по улице Зеньковича"
- Распоряжение от 25 июня 2020 г. № 2067р "О предоставлении разрешения на условно разрешенный вид использования земельного участка, расположенного в Октябрьском территориальном округе г. Архангельска по Талажскому шоссе"
- Распоряжение от 25 июня 2020 г. № 2068р "О внесении изменений в распоряжения Главы муниципального образования "Город Архангельск" от 04.06.2020 № 1837р, от 04.06.2020 № 1838р"
- Распоряжение от 4 июня 2020 г. № 1838р "О предоставлении разрешения на условно разрешенный вид использования земельного участка, расположенного в территориальном округе Майская горка г. Архангельска по улице Ленина, об утверждении схемы расположения земельного участка"
- Распоряжение от 4 июня 2020 г. № 1837р О предоставлении разрешения на условно разрешенный вид использования земельного участка, расположенного в территориальном округе Майская горка г. Архангельска по улице Ленина, об утверждении схемы расположения земельного участка"
- Распоряжение от 4 июня 2020 г. № 1846р "О предоставлении разрешения на отклонение от предельных параметров разрешенного строительства объекта капитального строительства (детский сад на 220 мест) на земельных участках, расположенных в территориальном округе Варавино-Фактория г.Архангельска по улице Воронина"
- Распоряжение от 4 июня 2020 г. № 1845р "О предоставлении разрешения на отклонение от предельных параметров разрешенного объекта капитального строительства (лечебно-диагностический корпус ГБУЗ Архангельской области "Архангельская областная детская клиническая больница имени П.Г. Выжлецова") на земельном участке, расположенном в Ломоносовском территориальном округе г.Архангельска по проспекту Обводный канал"
- Распоряжение от 4 июня 2020 г. № 1844р "Об отказе в предоставлении разрешения на отклонение от предельных параметров реконструкции объекта капитального строительства (административное здание) на земельном участке, расположенном в Ломоносовском территориальном округе г.Архангельска по улице Стрелковой"
- Распоряжение от 4 июня 2020 г. № 1843р "О предоставлении разрешения на условно разрешенный вид использования земельного участка, расположенного в Северном территориальном округе г. Архангельска по улице Богового В.Г., об утверждении схемы расположения земельного участка"
- Распоряжение от 4 июня 2020 г. № 1842р "О предоставлении разрешения на условно разрешенный вид использования земельного участка, расположенного в Маймаксанском территориальном округе г. Архангельска по улице Набережной, об утверждении схемы расположения земельного участка"
- Распоряжение от 4 июня 2020 г. № 1841р "О предоставлении разрешения на условно разрешенный вид использования земельного участка, расположенного в территориальном округе Майская горка г. Архангельска по улице Танкистов, об утверждении схемы расположения земельного участка"
- Распоряжение от 4 июня 2020 г. № 1840р О предоставлении разрешения на условно разрешенный вид использования земельного участка, расположенного в Маймаксанском территориальном округе г. Архангельска СТ "Красное" участок 59, об утверждении схемы расположения земельного участка"
- Распоряжение от 4 июня 2020 г. № 1839р "О предоставлении разрешения на условно разрешенный вид использования земельного участка, расположенного в территориальном округе Майская горка г. Архангельска по улице Строительной, об утверждении схемы расположения земельного участка"
- Распоряжение от 4 июня 2020 г. № 1836р "О предоставлении разрешения на условно разрешенный вид использования земельного участка, расположенного в Соломбальском территориальном округе г. Архангельска по улице Сибирякова, об утверждении схемы расположения земельного участка"
- Распоряжение от 4 июня 2020 г. № 1835р "О предоставлении разрешения на условно разрешенный вид использования земельного участка, расположенного в Маймаксанском территориальном округе г. Архангельска СНТ "Масленица" участок 65, об утверждении схемы расположения земельного участка"
- Распоряжение от 4 июня 2020 г. № 1834р "О предоставлении разрешения на условно разрешенный вид использования земельного участка, расположенного в Маймаксанском территориальном округе г. Архангельска СНТ "Масленица" участок 69, об утверждении схемы расположения земельного участка"
- Распоряжение от 4 июня 2020 г. № 1833р "О предоставлении разрешения на отклонение от предельных параметров разрешенного строительства объекта капитального строительства (индивидуальный жилой дом) на земельном участке, расположенном в Исакогорском территориальном округе г.Архангельска по улице Исток"
- Распоряжение от 4 июня 2020 г. № 1832р "О предоставлении разрешения на отклонение от предельных параметров разрешенного строительства объекта капитального строительства (индивидуальный жилой дом) на земельном участке, расположенном в Исакогорском территориальном округе г.Архангельска по улице Короткой"
- Распоряжение от от 4 июня 2020 г. № 1831р "О предоставлении разрешения на условно разрешенный вид использования земельного участка, расположенного в Маймаксанском территориальном округе г. Архангельска по улице Ладожской, об утверждении схемы расположения земельного участка"
- Распоряжение от 4 июня 2020 г. № 1830р "О предоставлении разрешения на условно разрешенный вид использования земельного участка, расположенного в территориальном округе Майская горка г. Архангельска по улице Дачной, об утверждении схемы расположения земельного участка"
- Распоряжение от 4 июня 2020 г. № 1829р "О предоставлении разрешения на условно разрешенный вид использования земельного участка, расположенного в поселке Турдеевск муниципального образования "Город Архангельск" по улице Турдеевской, об утверждении схемы расположения земельного участка"
- Распоряжение от 4 июня 2020 г. № 1828р "О предоставлении разрешения на отклонение от предельных параметров разрешенного строительства объекта капитального строительства (индивидуальный жилой дом) на земельных участках, расположенных в территориальном округе Майская горка г.Архангельска по улице Федора Абрамова"
- Распоряжение от 4 июня 2020 г. № 1827р "О предоставлении разрешения на отклонение от предельных параметров реконструкции объекта капитального строительства (реконструкция здания кухни-столовой в части надстройки второго мансардного этажа и устройства скатной крыши) на земельном участке, расположенном в Октябрьском территориальном округе г.Архангельска по улице Суворова"
- Распоряжение от 4 июня 2020 г. № 1826р "О предоставлении разрешения на условно разрешенный вид использования земельного участка, расположенного в Исакогорском территориальном округе г. Архангельска по улице Рейдовой"
- Распоряжение от 4 июня 2020 г. № 1825р "О предоставлении разрешения на условно разрешенный вид использования земельного участка, расположенного в Маймаксанском территориальном округе г. Архангельска СНТ "Масленица" участок 26"
- Распоряжение от 3 июня 2020 г. № 1787р "Об отказе в предоставлении разрешения на отклонение от предельных параметров разрешенного строительства объекта капитального строительства (среднеэтажный жилой дом) на земельном участке, расположенном в Ломоносовском территориальном округе г.Архангельска по улице Володарского"
- Распоряжение от 13 мая 2020 г. № 1543р "О внесении изменения в распоряжение Главы муниципального образования "Город Архангельск" от 22.04.2020 № 1395р"
- Распоряжение от 22 апреля 2020 г. № 1401р "Об отказе в предоставлении разрешения на условно разрешенный вид использования земельного участка, расположенного в Ломоносовском территориальном округе г. Архангельска по проспекту Ломоносова"
- Распоряжение от 22 апреля 2020 г. № 1400р "О предоставлении разрешения на условно разрешенный вид использования земельного участка, расположенного в Маймаксанском территориальном округе г. Архангельска по улице Дальней, об утверждении схемы расположения земельного участка"
- Распоряжение от 22 апреля 2020 г. № 1399р "О предоставлении разрешения на отклонение от предельных параметров разрешенного строительства объекта капитального строительства (индивидуальный жилой дом) на земельном участке, расположенном в Исакогорском территориальном округе г.Архангельска по улице Тяговой"
- Распоряжение от 22 апреля 2020 г. № 1398р "Об отказе в предоставлении разрешения на отклонение от предельных параметров разрешенного строительства объекта капитального строительства (индивидуальный жилой дом) на земельном участке, расположенном в Маймаксанском территориальном округе г.Архангельска по улице Огородной"
- Распоряжение от 22 апреля 2020 г. № 1397р "Об отказе в предоставлении разрешения на отклонение от предельных параметров разрешенного строительства объекта капитального строительства (малоэтажный жилой дом) на земельном участке, расположенном в Октябрьском территориальном округе г.Архангельска по улице Карла Маркса"
- Распоряжение от 22 апреля 2020 г. № 1396р "Об отказе в предоставлении разрешения на отклонение от предельных параметров разрешенного строительства объекта капитального строительства (жилой архиерейский дом) на земельном участке, расположенном в Октябрьском территориальном округе г.Архангельска по улице Свободы"
- Распоряжение от 22 апреля 2020 г. № 1395р "Об отказе в предоставлении разрешения на отклонение от предельных параметров разрешенного строительства объекта капитального строительства (среднеэтажный жилой дом) на земельном участке, расположенном в Ломоносовском территориальном округе г.Архангельска по улице Володарского"
- Распоряжение от 22 апреля 2020 г. № 1394р "Об отказе в предоставлении разрешения на отклонение от предельных параметров разрешенного строительства объекта капитального строительства (индивидуальный жилой дом) на земельном участке, расположенном в Соломбальском территориальном округе г.Архангельска по улице Новоземельской"
- Распоряжение от 19 марта 2020 г. № 979р "О предоставлении разрешения на условно разрешенный вид использования земельного участка, расположенного в Маймаксанском территориальном округе г.Архангельска по улице Ивана Рябова"
- Распоряжение от 18 марта 2020 г. № 969р "О предоставлении разрешения на отклонение от предельных параметров разрешенного строительства объекта капитального строительства (режимный корпус на 300 мест ФКУ СИЗО-1 УФСИН России по Архангельской области) на земельном участке, расположенном в Октябрьском территориальном округе г. Архангельска по улице Попова"
- Распоряжение от 17 марта 2020 г. № 967р О предоставлении разрешения на условно разрешенный вид использования земельного участка, расположенного в Маймаксанском территориальном округе г. Архангельска по улице Междуречье переулок 3-й, об утверждении схемы расположения земельного участка"
- Распоряжение от 17 марта 2020 г. № 966р "О предоставлении разрешения на отклонение от предельных параметров разрешенного строительства объекта капитального строительства (индивидуальный жилой дом) на земельном участке, расположенном в Исакогорском территориальном округе г. Архангельска по ул. Клепача"
- Распоряжение от 17 марта 2020 г. № 965р "О предоставлении разрешения на условно разрешенный вид использования земельного участка, расположенного в территориальном округе Варавино-Фактория г. Архангельска по улице Пушкина, об утверждении схемы расположения земельного участка"
- Распоряжение от 17 марта 2020 г. № 964р "Об отказе в предоставлении разрешения на отклонение от предельных параметров разрешенного строительства объекта капитального строительства (среднеэтажный жилой дом) на земельном участке, расположенном в Соломбальском территориальном округе г. Архангельска по переулку Банному 1-му"
- Распоряжение от 17 марта 2020 г. № 963р "О предоставлении разрешения на отклонение от предельных параметров разрешенного строительства объекта капитального строительства (индивидуальный жилой дом) на земельном участке, расположенном в территориальном округе Варавино-Фактория г. Архангельска на территории КИЗ Силикат 2-я линия"
- Распоряжение от 17 марта 2020 г. № 962р "О предоставлении разрешения на условно разрешенный вид использования земельного участка, расположенного в территориальном округе Варавино-Фактория г. Архангельска на территории КИЗ Силикат 1-я линия, об утверждении схемы расположения земельного участка"
- Распоряжение от 17 марта 2020 г. № 961р "Об отказе в предоставлении разрешения на условно разрешенный вид использования земельного участка, расположенного в территориальном округе Майская горка г. Архангельска по улице Вельской, в утверждении схемы расположения земельного участка"
- Распоряжение от 17 марта 2020 г. № 960р "О предоставлении разрешения на условно разрешенный вид использования земельного участка, расположенного в Ломоносовском территориальном округе г. Архангельска по улице Касаткиной, об утверждении схемы расположения земельного участка"
- Распоряжение от 26 февраля 2020 г. № 725р "О предоставлении разрешения на условно разрешенный вид использования земельного участка, расположенного в Северном территориальном округе г. Архангельска по улице Побережной, об утверждении схемы расположения земельного участка"
- Распоряжение от 26 февраля 2020 г. № 721р "О предоставлении разрешения на условно разрешенный вид использования земельного участка, расположенного в Северном территориальном округе г. Архангельска по улице Побережной, об утверждении схемы расположения земельного участка"
- Распоряжение от 26 февраля 2020 г. № 713р О предоставлении разрешения на условно разрешенный вид использования земельного участка, расположенного в Цигломенском территориальном округе г. Архангельска по улице Комбинатовской"
- Распоряжение от 26 февраля 2020 г. № 712р "О предоставлении разрешения на условно разрешенный вид использования земельного участка, расположенного в Цигломенском территориальном округе г. Архангельска по улице Придорожной"
- Распоряжение от 26 февраля 2020 г. № 711р "О предоставлении разрешения на отклонение от предельных параметров разрешенного строительства объектов капитального строительства (объекты радиорелейной, сотовой и спутниковой связи) на земельном участке, расположенном в Октябрьском территориальном округе г. Архангельска по улице Аэропорт Кегостров"
- Распоряжение от 26 февраля 2020 г. № 710р "О предоставлении разрешения на отклонение от предельных параметров разрешенного строительства объекта капитального строительства (индивидуальный жилой дом) на земельном участке, расположенном в территориальном округе Майская горка г.Архангельска по улице Пинежской"
- Распоряжение от 26 февраля 2020 г. № 709р "О предоставлении разрешения на условно разрешенный вид использования земельного участка, расположенного в территориальном округе Варавино-Фактория г. Архангельска по улице Старожаровихинской"
- Распоряжение от 7 февраля 2020 г. № 463р "О предоставлении разрешения на отклонение от предельных параметров разрешенного строительства объекта капитального строительства (индивидуальный жилой дом) на земельном участке, расположенном в Маймаксанском территориальном округе г. Архангельска по улице Набережной"
- Распоряжение от 7 февраля 2020 г. № 462р "О предоставлении разрешения на отклонение от предельных параметров разрешенного строительства объекта капитального строительства (индивидуальный жилой дом) на земельном участке, расположенном в Исакогорском территориальном округе г. Архангельска на территории КИЗ Исакогорка"
- Распоряжение от 7 февраля 2020 г. № 461р "О предоставлении разрешения на отклонение от предельных параметров разрешенного строительства объекта капитального строительства (индивидуальный жилой дом) на земельном участке, расположенном в Маймаксанском территориальном округе г. Архангельска по улице Карбасной"
- Распоряжение от 7 февраля 2020 г. № 460р "О предоставлении разрешения на отклонение от предельных параметров разрешенного строительства объекта капитального строительства (индивидуальный жилой дом) на земельном участке с кадастровым номером 29:22:022205:22, расположенном в Соломбальском территориальном округе г. Архангельска"
- Распоряжение от 7 февраля 2020 г. № 459р "О предоставлении разрешения на отклонение от предельных параметров разрешенного строительства объекта капитального строительства (индивидуальный жилой дом) на земельном участке, расположенном в территориальном округе Варавино-Фактория г. Архангельска по улице Октябрьской"
- Распоряжение от 7 февраля 2020 г. № 458р "О предоставлении разрешения на отклонение от предельных параметров разрешенного строительства объекта капитального строительства (индивидуальный жилой дом) на земельном участке, расположенном в Цигломенском территориальном округе г. Архангельска по улице Первый рабочий квартал"
- Распоряжение от 7 февраля 2020 г. № 457р "О предоставлении разрешения на отклонение от предельных параметров реконструкции объекта капитального строительства (индивидуальный жилой дом) на земельном участке, расположенном в Соломбальском территориальном округе г. Архангельска по улице Гренландской"
- Распоряжение от 7 февраля 2020 г. № 455р "О предоставлении разрешения на отклонение от предельных параметров разрешенного строительства объекта капитального строительства (индивидуальный жилой дом) на земельном участке, расположенном в Северном территориальном округе г. Архангельска по улице Песочной"
- Распоряжение от 7 февраля 2020 г. № 456р "О предоставлении разрешения на отклонение от предельных параметров разрешенного строительства объекта капитального строительства (индивидуальный жилой дом) на земельном участке, расположенном в территориальном округе Варавино-Фактория г. Архангельска по переулку Лявлинскому"
- Распоряжение от 31 января 2020 г. № 312р "О предоставлении разрешения на отклонение от предельных параметров разрешенного строительства объекта капитального строительства (многоквартирный жилой дом) на земельных участках, расположенных в Ломоносовском территориальном округе г.Архангельска по ул. Володарского"
- Распоряжение от 23 января 2020 г. № 212р "О предоставлении разрешения на условно разрешенный вид использования земельного участка, расположенного в территориальном округе Варавино-Фактория г.Архангельска по улице Большой Юрасской, об утверждении схемы расположения земельного участка"
- Распоряжение от 23 января 2020 г. № 211р "О предоставлении разрешения на условно разрешенный вид использования земельного участка, расположенного в территориальном округе Варавино-Фактория г.Архангельска по улице Гражданской, об утверждении схемы расположения земельного участка"
- Распоряжение от 23 января 2020 г № 210р "Об отказе в предоставлении разрешения на отклонение от предельных параметров разрешенного строительства объекта капитального строительства (здания паркинга) на земельном участке, расположенном в Северном территориальном округе г.Архангельска по улице Малиновского"
- Распоряжение от от 23 января 2020 г. № 209р "Об отказе в предоставлении разрешения на условно разрешенный вид использования земельного участка, расположенного в Соломбальском территориальном округе г.Архангельска по улице Гренландской, в утверждении схемы расположения земельного участка"
- Распоряжение от 23 января 2020 г. № 208р "Об отказе в предоставлении разрешения на отклонение от предельных параметров разрешенного строительства объекта капитального строительства (многоквартирный жилой дом) на земельном участке, расположенном в территориальном округе Варавино-Фактория г.Архангельска по 1-му Ленинградскому переулку"
- Распоряжение от 23 января 2020 г. № 207р "О предоставлении разрешения на условно разрешенный вид использования земельного участка, расположенного в Маймаксанском территориальном округе г.Архангельска по улице Сибирской, об утверждении схемы расположения земельного участка"
- Распоряжение от 23 января 2020 г. № 206р "О предоставлении разрешения на условно разрешенный вид использования земельного участка, расположенного в Исакогорском территориальном округе г.Архангельска по улице Магистральной, об утверждении схемы расположения земельного участка"
- Распоряжение от 23 января 2020 г. № 205р "О предоставлении разрешения на условно разрешенный вид использования земельного участка, расположенного в Маймаксанском территориальном округе г.Архангельска по улице Кольцевой, об утверждении схемы расположения земельного участка"
- Распоряжение от 23 января 2020 г. № 203р "О предоставлении разрешения на условно разрешенный вид использования земельного участка, расположенного в Соломбальском территориальном округе г.Архангельска по улице Гренландской, об утверждении схемы расположения земельного участка"
- Распоряжение от 23 января 2020 г. № 202р "О предоставлении разрешения на условно разрешенный вид использования земельного участка, расположенного в Маймаксанском территориальном округе г.Архангельска по улице Междуречье, об утверждении схемы расположения земельного участка"
- Распоряжение от 23 января 2020 г. № 201р "О предоставлении разрешения на условно разрешенный вид использования земельного участка, расположенного в Маймаксанском территориальном округе г.Архангельска по улице Междуречье, об утверждении схемы расположения земельного участка"
- Распоряжение от 23 декабря 2019 г. № 4563р "О предоставлении разрешения на условно разрешенный вид использования земельного участка, расположенного в Соломбальском территориальном округе г. Архангельска по улице Леваневского, об утверждении схемы расположения земельного участка"
- Распоряжение от 23 декабря 2019 № 4562р "О предоставлении разрешения на условно разрешенный вид использования земельного участка, расположенного в Исакогорском территориальном округе г. Архангельска по улице Тупиковой, об утверждении схемы расположения земельного участка"
- Распоряжение от 20 декабря 2019 г. № 4541р "О предоставлении разрешения на условно разрешенный вид использования земельного участка, расположенного в Северном территориальном округе г.Архангельска по улице Богового В.Г., об утверждении схемы расположения земельного участка"
- Распоряжение от 20 декабря 2019 г. № 4540р "О предоставлении разрешения на условно разрешенный вид использования земельного участка, расположенного в Цигломенском территориальном округе г. Архангельска по улице Комбинатовской"
- Распоряжение от 20 декабря 2019 г. № 4539р "О предоставлении разрешения на условно разрешенный вид использования земельного участка, расположенного в Маймаксанском территориальном округе г. Архангельска по улице Сибирской"
- Распоряжение от 20 декабря 2019 г. № 4538р "О предоставлении разрешения на условно разрешенный вид использования земельного участка, расположенного в Северном территориальном округе г. Архангельска по улице Побережной"
- Распоряжение от 20 декабря 2019 г. № 4537р "Об отказе в предоставлении разрешения на условно разрешенный вид использования земельного участка, расположенного в территориальном округе Майская горка г. Архангельска по улице Дачной"
- Распоряжение от 20 декабря 2019 г. № 4536р "О предоставлении разрешения на отклонение от предельных параметров разрешенного строительства объекта капитального строительства (индивидуальный жилой дом) на земельном участке, расположенном в Соломбальском территориальном округе г. Архангельска по ул. Малой"
- Распоряжение от 20 декабря 2019 г. № 4535р "О предоставлении разрешения на отклонение от предельных параметров разрешенного строительства объекта капитального строительства (индивидуальный жилой дом) на земельном участке с кадастровым номером 29:22:040901:14, расположенном в Октябрьском территориальном округе г. Архангельска"
- Распоряжение от 19 ноября 2019г. № 4106р "Об установлении соответствия вида разрешенного использования земельного участка с кадастровым номером 29:22:060105:43"
- Распоряжение от 19 ноября 2019 г. № 4107р "О предоставлении разрешения на условно разрешенный вид использования земельного участка, расположенного в Ломоносовском территориальном округе г. Архангельска по улице Чапаева"
- Распоряжение от 19 ноября 2019 г. № 4105р "О предоставлении разрешения на условно разрешенный вид использования земельного участка, расположенного в Ломоносовском территориальном округе г. Архангельска по набережной Северной Двины, об утверждении схемы расположения земельного участка"
- Распоряжение от 18 ноября 2019 г. № 4093р "О предоставлении разрешения на условно разрешенный вид использования земельного участка, расположенного в территориальном округе Майская горка г. Архангельска по улице Первомайской"
- Распоряжение от 18 ноября 2019 г. № 4092р "О предоставлении разрешения на отклонение от предельных параметров разрешенного строительства индивидуального жилого дома на земельном участке, расположенном в территориальном округе Майская горка г. Архангельска о улице Красной Звезды"
- Распоряжение от 18 ноября 2019 г. № 4091р "О предоставлении разрешения на отклонения от предельных параметров реконструкции объекта капитального строительства (здание магазина) на земельном участке, расположенном в Исакогорском территориальном округе г. Архангельска по улице Локомотивной"
- Распоряжение от 15 ноября 2019 г. № 4077р "О предоставлении разрешения на условно разрешенный вид использования земельного участка, расположенного в Октябрьском территориальном округе г. Архангельска по улице Юбилейной, об утверждении схемы расположения земельного участка"
- Распоряжение от 15 ноября 2019 г. № 4076р "О предоставлении разрешения на условно разрешенный вид использования земельного участка, расположенного в Исакогорском территориальном округе г. Архангельска по улице Лесозаводской, об утверждении схемы расположения земельного участка"
- Распоряжение от 15 ноября 2019 г. № 4075р "О предоставлении разрешения на условно разрешенный вид использования земельного участка, расположенного в посёлке Боры муниципального образования "Город Архангельск" по улице Боры"
- Распоряжение от 15 ноября 2019 г. № 4074р "О предоставлении разрешения на условно разрешенный вид использования земельного участка, расположенного в Маймаксанском территориальном округе г. Архангельска по улице Кольцевой, об утверждении схемы расположения земельного участка"
- Распоряжение от 7 ноября 2019 г. № 3954р "Об отмене распоряжения Главы муниципального образования "Город Архангельск" от 28.10.2019 № 3789р"
- Распоряжение от 5 ноября 2019 г. № 3860р "О предоставлении разрешения на отклонения от предельных параметров реконструкции объекта капитального строительства (нежилые помещения) на земельном участке, расположенном в территориальном округе Майская горка г.Архангельска по ул. Дачной"
- Распоряжение от 5 ноября 2019 г. № 3862р "Об отказе в предоставлении разрешения на отклонение от предельных параметров разрешенного строительства многоэтажного многоквартирного жилого дома на земельном участке, расположенном в территориальном округе Майская горка г. Архангельска по улице Первомайской"
- Распоряжение от 1 ноября 2019 г. № 3845р "О предоставлении разрешения на отклонения от предельных параметров разрешенного строительства многоэтажного жилого дома со встроенно-пристроенным детским садом на земельном участке, расположенном в Соломбальском территориальном округе г.Архангельска по ул.Терехина"
- Распоряжение от 7 ноября 2019 г. № 3954р "Об отмене распоряжения Главы муниципального образования "Город Архангельск" от 28.10.2019 № 3789р"
- Распоряжение от 28 октября 2019 г. № 3789р "О предоставлении разрешения на условно разрешенный вид использования земельного участка, расположенного в Северном территориальном округе г.Архангельска по улице Богового В.Г., об утверждении схемы расположения земельного участка"
- Распоряжение от 28 октября 2019г. № 3787р "О предоставлении разрешения на условно разрешенный вид использования земельного участка, расположенного в Маймаксанском территориальном округе г.Архангельска по улице Дальней"
- Распоряжение от 28 октября 2019г. № 3794р "Об отказе в предоставлении разрешения на условно разрешенный вид использования земельного участка, расположенного в Соломбальском территориальном округе г.Архангельска по улице Мезенской, в утверждении схемы расположения земельного участка"
- Распоряжение от 28 октября 2019г. № 3788р "О предоставлении разрешения на условно разрешенный вид использования земельного участка, расположенного в территориальном округе Варавино-Фактория г.Архангельска по улице Кривоборской"
- Распоряжение от 28 октября 2019г. №3786р "О предоставлении разрешения на условно разрешенный вид использования земельного участка, расположенного в территориальном округе Майская горка г.Архангельска по улице Энтузиастов, об утверждении схемы расположения земельного участка"
- Распоряжение от 28 октября 2019г. № 3792р "Об отказе в предоставлении разрешения на условно разрешенный вид использования земельного участка, расположенного в Маймаксанском территориальном округе г.Архангельска по улице Междуречье, в утверждении схемы расположения земельного участка "
- Распоряжение от 28 октября 2019г. № 3793р "Об отказе в предоставлении разрешения на условно разрешенный вид использования земельного участка, расположенного в Северном территориальном округе г.Архангельска по улице Ларионова С.Н., в утверждении схемы расположения земельного участка"
- Распоряжение от 28 октября 2019г. № 3779р "Об отказе в предоставлении разрешения на условно разрешенный вид использования земельного участка, расположенного в Маймаксанском территориальном округе г.Архангельска по улице Кольцевой "
- Распоряжение от 28 октября 2019г. №3790р "О предоставлении разрешения на отклонения от предельных параметров разрешенного строительства объекта капитального строительства (производственная база) на земельном участке, расположенном в территориальном округе Майская горка г.Архангельска по улице Дачной"
- Распоряжение от 28 октября 2019г. №3791р "О предоставлении разрешения на отклонение от предельных параметров реконструкции индивидуального жилого дома на земельном участке, расположенном в территориальном округе Варавино-Фактория г.Архангельска по улице Октябрьской""
- Распоряжение от 25 октября 2019г. №3752р "Об установлении соответствия вида разрешенного использования земельного участка с кадастровым номером 29:22:050403:105"
- Распоряжение от 8 октября 2019г. № 3511р " О предоставлении разрешения на условно разрешенный вид использования земельного участка, расположенного в Ломоносовском территориальном округе г.Архангельска по просп. Советских космонавтов, об утверждении схемы расположения земельного участка"
- Распоряжение от 8 октября 2019г. № 3510р "О предоставлении разрешения на отклонения от предельных параметров разрешенного строительства индивидуального жилого дома на земельном участке, расположенном в Соломбальском территориальном округе г.Архангельска по ул. Малой"
- Распоряжение от 8 октября 2019г. № 3509р "Об отказе в предоставлении разрешения на условно разрешенный вид использования земельного участка, расположенного в Маймаксанском территориальном округе г. Архангельска по ул. Шестакова"
- Распоряжение от 8 октября 2019г. № 3508р "О предоставлении разрешения на условно разрешенный вид использования земельного участка, расположенного в Маймаксанском территориальном округе г.Архангельска по ул. Набережной "
- Распоряжение от 10 октября 2019г. № 3537р "О предоставлении разрешения на отклонения от предельных параметров разрешенного строительства многоэтажного жилого дома со встроенными помещениями административно-торгового назначения на нижних этажах и подземной автостоянкой на земельном участке, расположенном в Октябрьском территориальном округе г.Архангельска на пересечении просп. Новгородского и ул. Карла Маркса "
- Распоряжение от 26 сентября 2019 г. № 3363р "О предоставлении разрешения на условно разрешенный вид использования земельного участка, расположенного в Соломбальском территориальном округе г.Архангельска по улице Адмиралтейской, об утверждении схемы расположения земельного участка"
- Распоряжение от 26 сентября 2019 г. № 3362р "О предоставлении разрешения на условно разрешенный вид использования земельного участка, расположенного в Маймаксанском территориальном округе г.Архангельска по улице Сибирской, об утверждении схемы расположения земельного участка"
- Распоряжение от 26 сентября 2019 г. № 3348р "Об отказе предоставлении разрешения на отклонение от предельных параметров разрешенного строительства индивидуального жилого дома на земельном участке, расположенном в Северном территориальном округе г.Архангельска по улице Конзихинской"
- Распоряжение от 26 сентября 2019 г. № 3347р "Об отказе в предоставлении разрешения на условно разрешенный вид использования земельного участка, расположенного в Соломбальском территориальном округе г.Архангельска по улице Кучина А.С. "
- Распоряжение от 26 сентября 2019 г. № 3346р "О предоставлении разрешения на отклонение от предельных параметров реконструкции объекта капитального строительства (индивидуальный жилой дом) на земельном участке, расположенном в территориальном округе Варавино-Фактория г. Архангельска по улице Октябрьская"
- Распоряжение от 26 сентября 2019 г. № 3345р "Об отказе в предоставлении разрешения на условно разрешенный вид использования земельного участка, расположенного в территориальном округе Майская горка г.Архангельска по улице Энтузиастов"
- Распоряжение от 26 сентября 2019 г. № 3344р "Об отказе в предоставлении разрешения на отклонение от предельных параметров реконструкции объекта капитального строительства (индивидуальный жилой дом) на земельном участке, расположенном в территориальном округе Варавино-Фактория г.Архангельска по улице Складской"
- Распоряжение от 26 сентября 2019 г. № 3343р "Об отказе в предоставлении разрешения на отклонение от предельных параметров разрешенного строительства индивидуального жилого дома на земельном участке, расположенном в Соломбальском территориальном округе г.Архангельска по улице Линейной"
- Распоряжение от 26 сентября 2019 г. № 3342р "О предоставлении разрешения на отклонения от предельных параметров разрешенного строительства среднеэтажного жилого дома на земельном участке, расположенном в Соломбальском территориальном округе г.Архангельска по переулку Банный 1-й"
- Распоряжение от 26 сентября 2019 г. № 3341р "О предоставлении разрешения на отклонение от предельных параметров разрешенного строительства здания общественного назначения (предприятия общественного питания, торговли, офисные помещения) на земельном участке, расположенном в Октябрьском территориальном округе г. Архангельска по улице Нагорной"
- Распоряжение от 23 сентября 2019 № 3270р "Об отказе в предоставлении разрешения на условно разрешенный вид использования земельного участка, расположенного в Соломбальском территориальном округе г.Архангельска по улице Терехина "
- Распоряжение от 18 сентября 2019 г. № 3206р "Об отказе предоставлении разрешения на условно разрешенный вид использования земельного участка, расположенного в Маймаксанском территориальном округе г.Архангельска по улице Карбасной, об утверждении схемы расположения земельного участка"
- Распоряжение 18 сентября 2019 г. № 3205р "О предоставлении разрешения на отклонение от предельных параметров разрешенного строительства объекта капитального строительства (индивидуальный жилой дом) на земельном участке, расположенном в Соломбальском территориальном округе г.Архангельска на территории КИЗ Лето"
- Распоряжение от 18 сентября 2019 г. № 3200р "Об отказе в предоставлении разрешения на условно разрешенный вид использования земельных участков, расположенных в Ломоносовском территориальном округе г.Архангельска по проспекту Советских космонавтов"
- Распоряжение от 18 сентября 2019 г. № 3229р "О предоставлении разрешения на условно разрешенный вид использования земельного участка, расположенного в Северном территориальном округе г.Архангельска по улице Богового В.Г., об утверждении схемы расположения земельного участка"
- Распоряжение от 18 сентября 2019 г. № 3228р "О предоставлении разрешения на условно разрешенный вид использования земельного участка, расположенного в Северном территориальном округе г.Архангельска по улице Ларионова С.Н., об утверждении схемы расположения земельного участка"
- Распоряжение от 18 сентября 2019 г. № 3227р "О предоставлении разрешения на условно разрешенный вид использования земельного участка, расположенного в Маймаксанском территориальном округе г.Архангельска по улице Шестакова А.В., об утверждении схемы расположения земельного участка"
- Распоряжение от 18 сентября 2019 г. № 3226р "О предоставлении разрешения на условно разрешенный вид использования земельного участка, расположенного в Маймаксанском территориальном округе г.Архангельска по улице Лодемской, об утверждении схемы расположения земельного участка"
- Распоряжение от 18 сентября 2019 г. № 3225р "О предоставлении разрешения на условно разрешенный вид использования земельного участка, расположенного в территориальном округе Майская горка г.Архангельска по улице Танкистов, об утверждении схемы расположения земельного участка"
- Распоряжение от 18 сентября 2019 года "О предоставлении разрешения на условно разрешенный вид использования земельного участка, расположенного в Соломбальском территориальном округе г.Архангельска по улице Арктической, об утверждении схемы расположения земельного участка"
- Распоряжение от 29 июля 2019г. № 2508р "О предоставлении разрешения на условно разрешенный вид использования земельных участков, расположенных в территориальном округе Майская горка г.Архангельска по ул. Приречной"
- Распоряжение от 29 июля 2019г. № 2513р "О предоставлении разрешения на условно разрешенный вид использования земельного участка, расположенного в Исакогорском территориальном округе г.Архангельска по ул. Привокзальной, об утверждении схемы расположения земельного участка"
- Распоряжение от 29 июля 2019г. № 2507р "О предоставлении разрешения на отклонение от предельных параметров разрешенного строительства объекта капитального строительства (индивидуальный жилой дом) на земельном участке, расположенном в территориальном округе Майская горка г.Архангельска по улице Пинежской"
- Распоряжение от 29 июля 2019г. № 2505р "О предоставлении разрешения на отклонение от предельных параметров разрешенного строительства многоэтажного многоквартирного жилого дома на земельном участке, расположенном в территориальном округе Майская горка г. Архангельска по улице Первомайской"
- Распоряжение от 29 июля 2019г. № 2514р "О предоставлении разрешения на условно разрешенный вид использования земельного участка, расположенного в территориальном округе Майская горка г.Архангельска по улице Первомайской, об утверждении схемы расположения земельного участка"
- Распоряжение от 29 июля 2019г. № 2509р "О предоставлении разрешения на отклонение от предельных параметров разрешенного строительства садового дома на земельном участке, расположенном в территориальном округе Варавино-Фактория г.Архангельска на территории садоводческого некоммерческого товарищества Локомотив"
- Распоряжение от 29 июля 2019г. № 2515р "О предоставлении разрешения на условно разрешенный вид использования земельных участков, расположенных в Цигломенском территориальном округе г.Архангельска по ул. Комбинатовской"
- Распоряжение от 29 июля 2019г. № 2512р "О предоставлении разрешения на отклонение от предельных параметров разрешенного строительства объекта капитального строительства (индивидуальный жилой дом) на земельном участке, расположенном в Соломбальском территориальном округе г.Архангельска на территории КИЗ Лето"
- Распоряжение от 29 июля 2019г. № 2511р "О предоставлении разрешения на отклонение от предельных параметров разрешенного строительства объекта капитального строительства (индивидуальный жилой дом) на земельном участке, расположенном в Соломбальском территориальном округе г.Архангельска на территории КИЗ Лето"
- Распоряжение от 29 июля 2019г. № 2510р "О предоставлении разрешения на условно разрешенный вид использования земельного участка, расположенного в Октябрьском территориальном округе г.Архангельска по улице Гайдара"
- Распоряжение от 29 июля 2019 г. №2506р "О предоставлении разрешения на отклонения от предельных параметров реконструкции объекта капитального строительства (административное здание) на земельном участке, расположенном в Ломоносовском территориальном округе г.Архангельска по переулку Банковскому"
- Распоряжение от 29 июля 2019г. № 2516р "О предоставлении разрешения на условно разрешенный вид использования земельного участка, расположенного в Северном территориальном округе г.Архангельска на пересечении ул. 40 -летия Великой Победы и ул. Партизанской, об утверждении схемы расположения земельного участка"
- Распоряжение от 29 июля 2019г. № 2517р "О предоставлении разрешения на отклонения от предельных параметров разрешенного строительства объекта капитального строительства (комплекс пожарного депо и базы ОГУ "Архангельская служба спасения" в жилом районе Майская горка г.Архангельска) на земельном участке, расположенном в территориальном округе Майская горка г.Архангельска на пересечении ул. Стрелковой и ул. Октябрят"
- Распоряжение от 3 июля 2019 г. № 2132р "Об отказе в предоставлении разрешения на условно разрешенный вид использования земельного участка, расположенного в Исакогорском территориальном округе г. Архангельска по улице Адмирала Макарова"
- Распоряжение от 3 июля 2019 г. № 2131р "Об отказе в предоставлении разрешения на условно разрешенный вид использования земельного участка, расположенного в Соломбальском территориальном округе г. Архангельска по переулку Красному"
- Распоряжение от 3 июля 2019 г. № 2130р "Об отказе в предоставлении разрешения на условно разрешенный вид использования земельного участка, расположенного в Маймаксанском территориальном округе г. Архангельска по улице Междуречье переулок 3-й, в утверждении схемы расположения земельного участка"
- Распоряжение от 3 июля 2019 г. № 2129р "Об отказе в предоставлении разрешения на условно разрешенный вид использования земельного участка, расположенного в посёлке Боры муниципального образования "Город Архангельск" по улице Боры"
- Распоряжение от 3 июля 2019 г. № 2128р "Об отказе в предоставлении муниципальной услуги по вопросу предоставления разрешения на условно разрешенный вид использования земельного участка, расположенного в территориальном округе Варавино-Фактория г.Архангельска по улице Большая Юрасская, в утверждении схемы расположения земельного участка"
- Распоряжение от 3 июля 2019 г. № 2127р "Об отказе в предоставлении разрешения на условно разрешенный вид использования земельного участка, расположенного в Соломбальском территориальном округе г. Архангельска по улице Леваневского, в утверждении схемы расположения земельного участка"
- Распоряжение от 3 июля 2019 г. № 2126р "Об отказе в предоставлении разрешения на условно разрешенный вид использования земельного участка, расположенного в Маймаксанском территориальном округе г. Архангельска по улице Междуречье, в утверждении схемы расположения земельного участка"
- Распоряжение от 3 июля 2019 г. № 2125р "О предоставлении разрешения на отклонение от предельных параметров разрешенного строительства объекта капитального строительства (здание спортивно-оздоровительного центра) на земельном участке, расположенном в территориальном округе Майская горка г. Архангельска по улице Чкалова"
- Распоряжение от 3 июля 2019 г. № 2124р "О предоставлении разрешения на отклонение от предельных параметров разрешенного строительства объекта капитального строительства (индивидуальный жилой дом) на земельном участке, расположенном в Соломбальском территориальном округе г. Архангельска на территории КИЗ Лето"
- Распоряжение от 3 июля 2019 г. № 2123р "О предоставлении разрешения на отклонение от предельных параметров разрешенного строительства индивидуального жилого дома на земельном участке, расположенном в территориальном округе Варавино-Фактория г. Архангельска по улице Красносельской"
- Распоряжение от 28 июня 2019 г. № 2061р "Об отказе в предоставлении разрешения на условно разрешенный вид использования земельного участка, расположенного в Северном территориальном округе г. Архангельска по улице Побережной, в утверждении схемы расположения земельного участка"
- Распоряжение от от 28 июня 2019 г. № 2060р "Об отказе в предоставлении разрешения на условно разрешенный вид использования земельного участка, расположенного в Северном территориальном округе г. Архангельска по улице Побережной, в утверждении схемы расположения земельного участка"
- Распоряжение от 26 июня 2019 г. № 2026р "О предоставлении разрешения на отклонения от предельных параметров площади земельного участка, расположенного в Октябрьском территориальном округе г. Архангельска по ул. Шубина"
- Распоряжение от 26 июня 2019 г. № 2025р "Об отказе в предоставлении разрешения на отклонения от предельных параметров реконструкции объекта капитального строительства (индивидуальный жилой дом) на земельном участке, расположенном в Северном территориальном округе г .Архангельска по переулку Красному"
- Распоряжение от 26 июня 2019 г. № 2024р "О предоставлении разрешения на условно разрешенный вид использования земельного участка, расположенного в Северном территориальном округе г. Архангельска по ул. Ильича"
- Распоряжение от 26 июня 2019 г. № 2023р "Об отказе в предоставлении разрешения на условно разрешенный вид использования земельного участка, расположенного в Маймаксанском территориальном округе г. Архангельска по улице Шестакова"
- Распоряжение от 26 июня 2019 г. № 2022р "Об отказе в предоставлении разрешения на условно разрешенный вид использования земельного участка, расположенного в территориальном округе Варавино-Фактория г. Архангельска по улице Кривоборской"
- Распоряжение от 26 июня 2019 г. № 2021р "Об отказе в предоставлении разрешения на условно разрешенный вид использования земельного участка, расположенного в территориальном округе Варавино-Фактория г. Архангельска по улице Кривоборской"
- Распоряжение от 26 июня 2019 г. № 2020р "Об отказе в предоставлении разрешения на отклонения от предельных параметров разрешенного строительства объектов капитального строительства (здания технического обслуживания и ремонта транспортных средств) на земельных участках, расположенных в Октябрьском территориальном округе г. Архангельска по улице Гайдара"
- Распоряжение от 26 июня 2019 г. № 2019р "О предоставлении разрешения на отклонения от предельных параметров разрешенного строительства индивидуального жилого дома на земельном участке, расположенном в Цигломенском территориальном округе г. Архангельска по улице Первый рабочий квартал"
- Распоряжение от 5 июня 2019 г. № 1760р "О предоставлении разрешения на отклонения от предельных параметров разрешенного строительства малоэтажного многоквартирного жилого дома на земельном участке, расположенном в территориальном округе Варавино-Фактория г. Архангельска по переулку 2-му Ленинградскому "
- Распоряжение от 5 июня 2019 г. № 1759р "Об отказе в предоставлении разрешения на отклонения от предельных параметров разрешенного строительства малоэтажного многоквартирного жилого дома на земельном участке, расположенном в территориальном округе Варавино-Фактория г. Архангельска по переулку 1-му Ленинградскому"
- Распоряжение от 5 июня 2019 г. № 1758р "Об отказе в предоставлении разрешения на условно разрешенный вид использования земельного участка, расположенного в территориальном округе Майская горка г. Архангельска по ул. Ленина"
- Распоряжение от 5 июня 2019 г. № 1757р "О предоставлении разрешения на отклонение от предельных параметров разрешенного строительства индивидуального жилого дома, на земельном участке, расположенном в Исакогорском территориальном округе г. Архангельска по ул.Тупиковой"
- Распоряжение от 5 июня 2019 г. № 1756р "О предоставлении разрешения на отклонение от предельных параметров разрешенного строительства индивидуального жилого дома на земельном участке, расположенном в Соломбальском территориальном округе г. Архангельска по ул. Маймаксанской "
- Распоряжение от 5 июня 2019 г. № 1755р "О предоставлении разрешения на отклонения от предельных параметров разрешенного строительства объекта капитального строительства, предназначенного для оказания гражданам медицинской помощи (здравоохранение) на земельном участке, расположенном в Маймаксанском территориальном округе г. Архангельска по ул. Мудьюгской "
- Распоряжение от 5 июня 2019 г. № 1754р "О предоставлении разрешения на отклонение от предельных параметров разрешенного строительства индивидуального жилого дома на земельном участке, расположенном в территориальном округе Варавино-Фактория г. Архангельска по ул. Красносельской"
- Распоряжение от 5 июня 2019 г. № 1753р "О предоставлении разрешения на отклонение от предельных параметров разрешенного строительства объекта капитального строительства (гаражи индивидуального транспорта) на земельном участке, расположенном в Ломоносовском территориальном округе г. Архангельска по ул. Суфтина 1-й проезд"
- Распоряжение от 5 июня 2019 г. № 1752р "О предоставлении разрешения на отклонения от предельных параметров разрешенного строительства индивидуального жилого дома, на земельном участке, расположенном в Соломбальском территориальном округе г. Архангельска по ул.Адмиралтейской"
- Распоряжение от 28 мая 2019 г. № 1643р "О предоставлении разрешения на отклонения от предельных параметров разрешенного строительства объекта капитального строительства на земельных участках, расположенных в Ломоносовском территориальном округе г. Архангельска по пр.Ломоносова"
- Распоряжение от 28 мая 2019 г. № 1642р "О предоставлении разрешения на отклонения от предельных параметров разрешенного строительства объекта капитального строительства на земельных участках, расположенных в Октябрьском территориальном округе г.Архангельска по ул. Логинова"
- Распоряжение от 20 мая 2019 г. № 1523р О предоставлении разрешения на отклонения от предельных параметров разрешенного строительства объекта капитального строительства на земельном участке, расположенном в Ломоносовском территориальном округе г. Архангельска по ул. Урицкого"
- Распоряжение от 17 мая 2019г. № 1516р "Об установлении соответствия вида разрешенного использования земельного участка с кадастровым номером 29:22:050518:45"
- Распоряжение от 7 мая 2019 г. № 1333р "Об отказе в предоставлении разрешения на условно разрешенный вид использования земельного участка, расположенного в Исакогорском территориальном округе г. Архангельска по ул. Привокзальной, в утверждении схемы расположения земельного участка"
- Распоряжение от 7 мая 2019 г. № 1336р "О предоставлении разрешения на условно разрешенный вид использования земельного участка, расположенного в территориальном округе Майская горка г. Архангельска по проспекту Ленинградскому, об утверждении схемы расположения земельного участка"
- Распоряжение от 7 мая 2019 г. № 1332р "О предоставлении разрешения на условно разрешенный вид использования земельного участка, расположенного в территориальном округе Майская горка г. Архангельска по ул. Дачной, об утверждении схемы расположения земельного участка"
- Распоряжение от 6 мая 2019 г. № 1323р "О предоставлении разрешения на условно разрешенный вид использования земельного участка, расположенного в Северном территориальном округе г .Архангельска по ул.40-летия Великой Победы, об утверждении схемы расположения земельного участка"
- Распоряжение от 6 мая 2019 г. № 1325р "О предоставлении разрешения на условно разрешенный вид использования земельного участка, расположенного в Исакогорском территориальном округе г. Архангельска по ул. Пограничной"
- Распоряжение от 6 мая 2019 г. № 1324р "Об отказе в предоставлении разрешения на условно разрешенный вид использования земельного участка, расположенного в Соломбальском территориальном округе г. Архангельска по ул. Маяковского (между ул. Георгия Иванова и ул. Смолокурова)"
- Распоряжение от 6 мая 2019 г. № 1322р "Об отказе в предоставлении разрешения на условно разрешенный вид использования земельного участка, расположенного в Исакогорском территориальном округе г. Архангельска по ул. Караванной, в утверждении схемы расположения земельного участка"
- Распоряжение от 7 мая 2019 г. № 1331р "Об отказе в предоставлении разрешения на условно разрешенный вид использования земельного участка, расположенного в Маймаксанском территориальном округе г. Архангельска по ул. Боровой"
- Распоряжение от 7 мая 2019 г. № 1333р "Об отказе в предоставлении разрешения на условно разрешенный вид использования земельного участка, расположенного в Исакогорском территориальном округе г. Архангельска по ул. Привокзальной, в утверждении схемы расположения земельного участка"
- Распоряжение от 7 мая 2019 г. № 1334р "О предоставлении разрешения на отклонения от предельных параметров разрешенного строительства индивидуального жилого дома на земельном участке, расположенном в Ломоносовском территориальном округе г. Архангельска по ул. Вельской"
- Распоряжение от 7 мая 2019 г. № 1335р "Об отказе в предоставлении разрешения на условно разрешенный вид использования земельного участка, расположенного в Ломоносовском территориальном округе г. Архангельска по набережной Северной Двины, в утверждении схемы расположения земельного участка"
- Распоряжение от 24 апреля 2019 г. № 1220р "О предоставлении разрешения на условно разрешенный вид использования земельного участка, расположенного в Ломоносовском территориальном округе г. Архангельска по ул. Октябрят"
- Распоряжение от 24 апреля 2019 г. № 1219р "О предоставлении разрешения на отклонение от предельных параметров разрешенного строительства многофункционального здания с жилым комплексом на земельном участке, расположенном в территориальном округе Майская горка г. Архангельска на пересечении проспекта Московского и улицы Прокопия Галушина"
- Распоряжение от 24 апреля 2019 г. № 1218р "Об отказе в предоставлении разрешения на условно разрешенный вид использования земельного участка, расположенного в Маймаксанском территориальном округе г. Архангельска по ул. Юности"
- Распоряжение от 24 апреля 2019 г. № 1217р "О предоставлении разрешения на отклонения от предельных параметров разрешенного строительства малоэтажного жилого дома на земельном участке, расположенном в Ломоносовском территориальном округе г. Архангельска по ул. Романа Куликова"
- Распоряжение от 24 апреля 2019 г. № 1216р "О предоставлении разрешения на отклонения от предельных параметров реконструкции объекта капитального строительства на земельных участках с кадастровыми номерами 29:22:050502:32, 29:22:050502:33, расположенных в Ломоносовском территориальном округе г. Архангельска по проспекту Новгородскому"
- Распоряжение от 24 апреля 2019 г. № 1215р "О предоставлении разрешения на отклонение от предельных параметров реконструкции объекта капитального строительства на земельном участке с кадастровым номером 29:22:040718:61, расположенном в Октябрьском территориальном округе г. Архангельска по ул. Суворова, 17, строение 2"
- Распоряжение от 24 апреля 2019 г. № 1214р "О предоставлении разрешения на отклонения от предельных параметров разрешенного строительства многоэтажного многоквартирного жилого дома на земельных участках, расположенных в Октябрьском территориальном округе г. Архангельска по просп. Троицкому"
- Распоряжение от 24 апреля 2019 г. № 1213р "О предоставлении разрешения на условно разрешенный вид использования земельного участка, расположенного в Ломоносовском территориальном округе г. Архангельска по ул. Стрелковой, 8-й проезд"
- Распоряжение от 9 апреля 2019 г. № 1018р "О предоставлении разрешения на отклонение от предельных параметров площади земельного участка, расположенного в Цигломенском территориальном округе г.Архангельска по ул. Комбинатовской"
- Распоряжение от 9 апреля 2019 г. № 1017р "О предоставлении разрешения на условно разрешенный вид использования земельного участка, расположенного в Ломоносовском территориальном округе г. Архангельска по ул. Чапаева"
- Распоряжение от 9 апреля 2019 г. № 1016р "О предоставлении разрешения на условно разрешенный вид использования земельного участка, расположенного в территориальном округе Майская горка г. Архангельска по ул. Дачной"
- Распоряжение от 9 апреля 2019 г. № 1015р "О предоставлении разрешения на отклонения от предельных параметров разрешенного строительства объекта капитального строительства (пристройка многоэтажной жилой секции к жилому дому по ул. Карпогорской, 12, корп. 2) на земельном участке, расположенном в территориальном округе Майская горка г. Архангельска по ул. Карпогорской"
- Распоряжение от 9 апреля 2019 г. № 1014р "Об отказе в предоставлении разрешения на отклонение от предельных параметров разрешенного строительства здания общественного назначения (предприятие общественного питания, торговли, офисные помещения) на земельном участке, расположенном в Октябрьском территориальном округе г. Архангельска по ул. Нагорной"
- Распоряжение от 9 апреля 2019 г. № 1013р "О предоставлении разрешения на отклонения от предельных параметров разрешенного строительства многоэтажного многоквартирного жилого дома на земельном участке, расположенном в Ломоносовском территориальном округе г.Архангельска по ул. Володарского"
- Распоряжение от 9 апреля 2019 г. № 1012р "О предоставлении разрешения на отклонение от предельных параметров разрешенного строительства индивидуального жилого дома на земельном участке, расположенном в территориальном округе Майская горка г.Архангельска по ул. Деревообделочников"
- Распоряжение от 9 апреля 2019 г. № 1011р "О предоставлении разрешения на отклонения от предельных параметров разрешенного строительства многоэтажного многоквартирного жилого дома на земельном участке, расположенном в территориальном округе Майская горка г. Архангельска по ул. Первомайской"
- Распоряжение от 9 апреля 2019 г. № 1010р "О предоставлении разрешения на условно разрешенный вид использования земельного участка, расположенного в Ломоносовском территориальном округе г. Архангельска по ул. Романа Куликова"
- Распоряжение от 22 февраля 2019г. № 491р "Об отказе в предоставлении разрешения на условно разрешенный вид использования земельного участка, расположенного в территориальном округе Майская горка г. Архангельска по просп. Ленинградскому- ул. Овощной"
- Распоряжение от 20 февраля 2019 г. № 477р "О предоставлении разрешения на отклонение от предельных параметров разрешенного строительства объекта капитального строительства (трансформаторная подстанция) на земельном участке, расположенном в территориальном округе Майская горка по ул. Карпогорской"
- Распоряжение от 20 февраля 2019г. №475р "Об отказе в предоставлении разрешения на условно разрешенный вид использования земельного участка, расположенного в Маймаксанском территориальном округе г. Архангельска по ул. Победы"
- Распоряжение от 20 февраля 2019г. № 476р "О предоставлении разрешения на условно разрешенный вид использования земельного участка, расположенного в Ломоносовском территориальном округе г. Архангельска по ул. Октябрят"
- Распоряжение от 20 февраля 2019г. №478р "О предоставлении разрешения на отклонения от предельных параметров разрешенного строительства многоэтажного жилого дома со встроенно-пристроенным детским садом на земельном участке, расположенном в Соломбальском территориальном округе г.Архангельска по ул. Терехина"
- Распоряжение от 15 февраля 2019 г. № 397р "О предоставлении разрешения на отклонения от предельных параметров разрешенного строительства объекта капитального строительства (многоэтажный жилой дом) на земельном участке, расположенном в Ломоносовском территориальном округе г. Архангельска по ул.Выучейского"
- Распоряжение от 13 февраля 2019 г. № 369р "О предоставлении разрешения на условно разрешенный вид использования земельного участка, расположенного в Исакогорском территориальном округе г.Архангельска по ул. Третья линия"
- Распоряжение от 13 февраля 2019 г. № 368р "О предоставлении разрешения на отклонение от предельных параметров разрешенного строительства объекта торговли (торговый центр) на земельном участке, расположенном в Ломоносовском территориальном округе г. Архангельска по пр. Московскому - ул. Павла Усова"
- Распоряжение от 13 февраля 2019 г. № 367р "Об отказе в предоставлении разрешения на условно разрешенный вид использования земельного участка, расположенного в Ломоносовском территориальном округе г.Архангельска по проспекту Чумбарова-Лучинского"
- Распоряжение от 13 февраля 2019 г. № 366р "Об отказе предоставлении разрешения на условно разрешенный вид использования земельного участка, расположенного в территориальном округе Варавино-Фактория г. Архангельска по ул. Старожаровихинской"
- Распоряжение от 13 февраля 2019 г. № 365р "Об отказе в предоставлении разрешения на условно разрешенный вид использования земельного участка, расположенного в Маймаксанском территориальном округе г. Архангельска по ул. Сибирской"
- Распоряжение от 13 февраля 2019 г. № 364р "О предоставлении разрешения на отклонение от предельных параметров разрешенного строительства объекта капитального строительства, на земельном участке с кадастровым номером 29:16:064702:54, расположенном в поселке Талажский авиагородок муниципального образования "Город Архангельск""
- Распоряжение от 13 февраля 2019 г. № 363р "Об отказе в предоставлении разрешения на условно разрешенный вид использования земельного участка с кадастровым номером 29:22:012502:212, расположенного в Маймаксанском территориальном округе г. Архангельска"
- Распоряжение от 13 февраля 2019 г. № 362р "Об отказе в предоставлении разрешения на отклонение от предельных параметров разрешенного строительства объекта капитального строительства (пристройка к зданию полузаглубленного двухуровневого паркинга для легковых автомобилей с подсобными помещениями) на земельном участке, расположенном в Октябрьском территориальном округе г. Архангельска по проспекту Ломоносова"
- Распоряжение от 13 февраля 2019 г.. № 361р "О предоставлении разрешения на отклонение от предельных параметров разрешенного строительства объекта капитального строительства (жилой дом со встроенными помещениями общественного назначения) на земельном участке, расположенном в Ломоносовском территориальном округе г. Архангельска по улице Поморской"
- Распоряжение от 13 февраля 2019 г. № 360р "Об отказе в предоставлении разрешения на условно разрешенный вид использования земельного участка с кадастровым номером 29:22:012502:213, расположенного в Маймаксанском территориальном округе г. Архангельска"
- Распоряжение от 13 февраля 2019 г. № 359р "О предоставлении разрешения на условно разрешенный вид использования земельного участка, расположенного в территориальном округе Майская горка г.Архангельска по ул. Лермонтова"
- Распоряжение от 13 февраля 2019 г. № 358р "Об отказе в предоставлении разрешения на условно разрешенный вид использования земельного участка с кадастровым номером 29:22:070810:118, расположенного в территориальном округе Варавино-Фактория г.Архангельска"
- Распоряжение от 13 февраля 2019 г. № 357р "О предоставлении разрешения на условно разрешенный вид использования земельного участка, расположенного в Маймаксанском территориальном округе г. Архангельска по ул. Шестакова"
- Распоряжение от 8 февраля 2019 г. № 298р "Об отмене распоряжения Главы муниципального образования "Город Архангельск" от 24.12.2018 № 3853р"
- Распоряжение от 1 февраля 2019 г.. № 233р "Об отмене распоряжения Главы муниципального образования "Город Архангельск" от 09.03.2016 № 501р, об установлении соответствия вида разрешенного использования земельного участка с кадастровым номером 29:22:071304:107"
- Распоряжение от 1 февраля 2019 г. № 231р "Об отмене распоряжения Главы муниципального образования "Город Архангельск" от 09.03.2016 № 500р, об установлении соответствия вида разрешенного использования земельного участка с кадастровым номером 29:22:071401:17 "
- Распоряжение от 1 февраля 2019 г. № 232р "Об отмене распоряжения Главы муниципального образования "Город Архангельск" от 09.03.2016 № 499р, об установлении соответствия вида разрешенного использования земельного участка с кадастровым номером 29:22:071304:125 "
- Распоряжение от 24 декабря 2018 г. № 3857р "О предоставлении разрешения на отклонения от предельных параметров разрешенного строительства многоквартирного жилого дома на земельном участке, расположенном в территориальном округе Майская горка г.Архангельска по улице Первомайской"
- Распоряжение от 24 декабря 2018г. № 3861р "Об отказе в предоставлении разрешения на условно разрешенный вид использования земельного участка и объекта капитального строительства, расположенных в Ломоносовском территориальном округе г.Архангельска по ул. Романа Куликова"
- Распоряжение от 24 декабря 2018 г. № 3860р "О предоставлении разрешения на условно разрешенный вид использования земельного участка, расположенного в Ломоносовском территориальном округе г.Архангельска по ул. Стрелковой"
- Распоряжение от 24 декабря 2018 г. № 3858р "О предоставлении разрешения на условно разрешенный вид использования земельного участка, расположенного в Маймаксанском территориальном округе г.Архангельска по ул. Шестакова"
- Распоряжение от 24 декабря 2018 г. № 3856р "О предоставлении разрешения на условно разрешенный вид использования земельного участка, расположенного в территориальном округе Майская горка г.Архангельска по ул. Ленина"
- Распоряжение от 24 декабря 2018 г. № 3863р "Об отказе в предоставлении разрешения на условно разрешенный вид использования земельного участка, расположенного в Северном территориальном округе г.Архангельска по ул. Партизанской"
- Распоряжение от 24 декабря 2018 г. № 3862р "О предоставлении разрешения на условно разрешенный вид использования земельного участка, расположенного в территориальном округе Майская горка г.Архангельска по ул. Лермонтова"
- Распоряжение от 24 декабря 2018 г. № 3853р "О предоставлении разрешения на условно разрешенный вид использования земельного участка, расположенного в Исакогорском территориальном округе г.Архангельска по ул. Пограничной"
- Распоряжение от 24 декабря 2018 г. № 3859р "Об отказе в предоставлении разрешения на отклонение от предельных параметров разрешенного строительства многоквартирного жилого дома на земельном участке, расположенном в территориальном округе Варавино-Фактория г.Архангельска по 2-му Ленинградскому переулку"
- Распоряжение от 24 декабря 2018 г. № 3854р "Об отказе в предоставлении разрешения на условно разрешенный вид использования земельного участка, расположенного в Маймаксанском территориальном округе г.Архангельска по ул. Юности"
- Распоряжение от 24 декабря 2018 г. № 3864р "О предоставлении разрешения на условно разрешенный вид использования земельного участка, расположенного в Октябрьском территориальном округе г.Архангельска по наб. Северной Двины"
- Распоряжение от 24 декабря 2018 г. № 3865р "О предоставлении разрешения на отклонения от предельных параметров разрешенного строительства здания магазина на земельных участках, расположенных в Ломоносовском территориальном округе г. Архангельска по пр.Московскому"
- Распоряжение от 24 декабря 2018 г. № 3866р "Об отказе в предоставлении разрешения на отклонение от предельных параметров разрешенного строительства девятиэтажного многоквартирного жилого дома на земельных участках, расположенных в Октябрьском территориальном округе г.Архангельска по ул.Гагарина"
- Распоряжение от 24 декабря 2018 г. № 3855р О предоставлении разрешения на условно разрешенный вид использования земельного участка, расположенного в территориальном округе Варавино-Фактория г.Архангельска по ул. Русанова"
- Распоряжение от 17 декабря 2018г. № 3750р "О предоставлении разрешения на отклонение от предельных параметров разрешенного строительства многоэтажного многоквартирного жилого дома на земельном участке, расположенном в территориальном округе Майская горка г. Архангельска по ул.Дачной"
- Распоряжение от от 17 декабря 2018г. № 3749р "О предоставлении разрешения на отклонения от предельных параметров разрешенного строительства малоэтажного многоквартирного жилого дома на земельных участках, расположенных в Ломоносовском территориальном округе г.Архангельска по улице Володарского"
- Распоряжение от 17 декабря 2018г. № 3748р "Об отказе в предоставлении разрешения на условно разрешенный вид использования земельного участка, расположенного в территориальном округе Варавино-Фактория г.Архангельска по ул. Мостостроителей"
- Распоряжение от 17 декабря 2018 г. № 3747р "О предоставлении разрешения на отклонения от предельных параметров реконструкции здания бани (пристройка входного узла) на земельном участке, расположенном в Северном территориальном округе г.Архангельска по ул. Кировской"
- Распоряжение от 17 декабря 2018 г. № 3746р "Об отказе в предоставлении разрешения на условно разрешенный вид использования земельного участка, расположенного в Соломбальском территориальном округе г.Архангельска по ул. Маяковского (между ул.Г.Иванова и ул.Смолокурова) "
- Распоряжение от 27 ноября 2018г. № 3469р "Об отказе в предоставлении разрешения на условно разрешенный вид использования земельного участка, расположенного в территориальном округе Майская горка г.Архангельска по ул. Ленина"
- Распоряжение от 27 ноября 2018г. № 3467р "О предоставлении разрешения на отклонения от предельных параметров разрешенного строительства объекта капитального строительства (ангар) на земельном участке, расположенном в Исакогорском территориальном округе г. Архангельска по улице Рейдовой"
- Распоряжение от 27 ноября 2018г. № 3468р "О предоставлении разрешения на отклонения от предельных параметров разрешенного строительства индивидуального жилого дома на земельном участке, расположенном в Соломбальском территориальном округе г. Архангельска по КИЗ "Лето"
- Распоряжение от 27 ноября 2018г. № 3468р О предоставлении разрешения на отклонения от предельных параметров разрешенного строительства индивидуального жилого дома на земельном участке, расположенном в Соломбальском территориальном округе г. Архангельска по КИЗ "Лето"
- Распоряжение от 2 ноября 2018 г. № 3237р "О предоставлении разрешения на отклонения от предельных параметров разрешенного строительства объекта торговли (торговый центр) на земельном участке, расположенном в Ломоносовском территориальном округе г. Архангельска по ул. Павла Усова"
- Распоряжение от 2 ноября 2018 г. № 3245р "Об отказе в предоставлении разрешения на условно разрешенный вид использования земельного участка, расположенного в территориальном округе Майская горка г.Архангельска по ул. Энтузиастов"
- Распоряжение от 23 октября 2018 г. № 3159р "О предоставлении разрешения на отклонения от предельных параметров разрешенного строительства объектов капитального строительства на земельном участке, расположенном в территориальном округе Варавино-Фактория г.Архангельска по ул.Дачной"
- Распоряжение от 23 октября 2018 г. № 3158р "Об отказе в предоставлении разрешения на условно разрешенный вид использования земельного участка, расположенного в Ломоносовском территориальном округе г.Архангельска по ул.Красноармейской"
- Распоряжение от 23 октября 2018 г. № 3149р "Об отказе в предоставлении разрешения на отклонения от предельных параметров разрешенного строительства торгово-административного здания на земельном участке, расположенном в Октябрьском территориальном округе г. Архангельска по проспекту Ломоносова"
- Распоряжение от 23 октября 2018 г. № 3151р "О предоставлении разрешения на отклонения от предельных параметров разрешенного строительства здания магазина на земельных участках, расположенных в Ломоносовском территориальном округе г. Архангельска по пр.Московскому"
- Распоряжение от 23 октября 2018 г. № 3156р "Об отказе в предоставлении разрешения на отклонения от предельных параметров разрешенного строительства девятиэтажного многоквартирного жилого дома на земельных участках, расположенных в Октябрьском территориальном округе г.Архангельска по ул.Гагарина"
- Распоряжение от 23 октября 2018 г. № 3148р "О предоставлении разрешения на условно разрешенный вид использования земельного участка, расположенного в Ломоносовском территориальном округе г.Архангельска по ул. Павла Усова"
- Распоряжение от 23 октября 2018 г. № 3152р "О предоставлении разрешения на условно разрешенный вид использования земельного участка, расположенного в территориальном округе Варавино-Фактория г.Архангельска по ул. Никитова"
- Распоряжение от 23 октября 2018 г. № 3157р "О предоставлении разрешения на условно разрешенный вид использования земельного участка, расположенного в территориальном округе Майская горка г.Архангельска по ул. Овощной"
- Распоряжение от 23 октября 2018 г. № 3150р "О предоставлении разрешения на отклонения от предельных параметров разрешенного строительства здания фондохранилища на земельном участке, расположенном в Ломоносовском территориальном округе г. Архангельска по проспекту Троицкому, между улицей Поморской и Театральным переулком"
- Распоряжение от 15 октября 2018 г. № 3050р "О предоставлении разрешения на отклонения от предельных параметров реконструкции объекта капитального строительства (пристройка к основному зданию по ул. Павла Усова, 6, корп. 1) на земельном участке, расположенном в Ломоносовском территориальном округе г.Архангельска по улице Павла Усова"
- Распоряжение от 12 октября 2018 г. № 3022р "О предоставлении разрешения на условно разрешенный вид использования земельного участка, расположенного в Ломоносовском территориальном округе г.Архангельска по улице Октябрят"
- Распоряжение от 12 октября 2018г. № 3025р "О предоставлении разрешения на отклонения от предельных параметров разрешенного строительства многоквартирного жилого дома на земельном участке, расположенном в территориальном округе Майская горка г.Архангельска по улице Первомайской"
- Распоряжение от 12 октября 2018 г. № 3020р "О предоставлении разрешения на отклонения от предельных параметров разрешенного строительства индивидуального жилого дома на земельном участке, расположенном в территориальном округе Майская горка г.Архангельска по улице Красной Звезды"
- Распоряжение от 12 октября 2018 г. № 3024р "Об отказе в предоставлении разрешения на условно разрешенный вид использования земельного участка, расположенного в Цигломенском территориальном округе г.Архангельска по улице Севстрой"
- Распоряжение от 12 октября 2018 г. № 3019р "О предоставлении разрешения на условно разрешенный вид использования земельного участка, расположенного в Маймаксанском территориальном округе г.Архангельска по улице Кольцевой"
- Распоряжение от 12 октября 2018 г. № 3018р "Об отказе в предоставлении разрешения на условно разрешенный вид использования земельного участка, расположенного в Октябрьском территориальном округе г.Архангельска по проспекту Дзержинского"
- Распоряжение от 12 октября 2018 г. № 3021р "О предоставлении разрешения на отклонение от предельных параметров разрешенного строительства объекта капитального строительства (объект розничной торговли) на земельном участке, расположенном в Северном территориальном округе г.Архангельска по улице Кутузова"
- Распоряжение от 12 октября 2018 г. № 3023р "О предоставлении разрешения на условно разрешенный вид использования земельного участка, расположенного в Ломоносовском территориальном округе г.Архангельска по улице Володарского"
- Распоряжение от 27 июля 2018 г. № 2169р "О предоставлении разрешения на условно разрешенный вид использования земельного участка и объекта капитального строительства, расположенных в Ломоносовском территориальном округе г.Архангельска по ул.Стрелковой"
- Распоряжение от 27 июля 2018 г. № 2170р "О предоставлении разрешения на отклонения от предельных параметров реконструкции административно-складского комплекса на земельном участке, расположенном в Ломоносовском территориальном округе г.Архангельска по проспекту Московскому"
- Распоряжение от 27 июля 2018 г. № 2172р "О предоставлении разрешения на отклонения от предельных параметров разрешенного строительства объекта капитального строительства (физкультурно-оздоровительный комплекс) на земельном участке, расположенном в территориальном округе Майская горка г.Архангельска по ул.Карпогорской"
- Распоряжение от 27 июля 2018 г. № 2171р "О предоставлении разрешения на отклонение от предельных параметров реконструкции здания столовой на земельном участке, расположенном в территориальном округе Майская горка г.Архангельска по ул.Ленина"
- Распоряжение от 11 сентября 2018г. № 2612р "О предоставлении разрешения на отклонения от предельных параметров разрешенного строительства здания фондохранилища на земельном участке, расположенном в Ломоносовском территориальном округе г. Архангельска по проспекту Троицкому, между улицей Поморской и Театральным переулком"
- Распоряжение от 11 сентября 2018г. № 2611р "О предоставлении разрешения на отклонение от предельных параметров реконструкции индивидуального жилого дома на земельном участке, расположенном в Соломбальском территориальном округе г.Архангельска по улице Корабельной"
- Распоряжение от 11 сентября 2018г. № 2610р "О предоставлении разрешения на отклонение от предельных параметров разрешенного строительства малоэтажного многоквартирного жилого дома на земельном участке, расположенном в Соломбальском территориальном округе г.Архангельска по ул.Маяковского"
- Распоряжение от 11 сентября 2018г. № 2609р "О предоставлении разрешения на отклонение от предельных параметров реконструкции объекта гостиничного обслуживания на земельном участке, расположенном в Октябрьском территориальном округе г.Архангельска по ул. Садовой"
- Распоряжение от 11 сентября 2018 г. № 2621р "Об отказе в предоставлении разрешения на отклонения от предельных параметров реконструкции здания бани на земельном участке, расположенном в Северном территориальном округе г.Архангельска по ул. Кировской"
- Распоряжение от 11 сентября 2018г. № 2607р Об отказе в предоставлении разрешения на отклонения от предельных параметров разрешенного строительства здания общественного назначения (предприятия общественного питания, торговли, офисные помещения) на земельном участке, расположенном в Октябрьском территориальном округе г.Архангельска по ул. Нагорной
- Распоряжение от 11 сентября 2018г. № 2608р "О предоставлении разрешения на условно разрешенный вид использования земельного участка, расположенного в территориальном округе Майская горка г.Архангельска по улице Дружбы "
- Распоряжение от 20 июля 2018г. № 2126р "Об установлении соответствия вида разрешенного использования земельного участка с кадастровым номером 29:22:060403:77"
- Распоряжение от 18 июля 2018 г. № 2095р "О предоставлении разрешения на отклонения от предельных параметров разрешенного строительства объекта капитального строительства (здание торгового назначения, пристроенное к зданиям по адресу: г. Архангельск, Окружное шоссе, 13 и Окружное шоссе, 13, строение 1) на земельных участках, расположенных в Октябрьском территориальном округе г.Архангельска по Окружному шоссе"
- Распоряжение от 18 июля 2018 г. № 2099р "О предоставлении разрешения на отклонения от предельных параметров разрешенного строительства объекта капитального строительства (пристройка к основному зданию учебно-производственного назначения) на земельных участках, расположенных в Ломоносовском территориальном округе г.Архангельска по ул.Розы Люксембург"
- Распоряжение от 18 июля 2018 г. № 2100р "Об отказе в предоставлении разрешения на условно разрешенный вид использования земельного участка, расположенного в территориальном округе Майская горка г.Архангельска по ул.Ленина"
- Распоряжение от 18 июля 2018 г. № 2098р "О предоставлении разрешения на условно разрешенный вид использования земельного участка, расположенного в Октябрьском территориальном округе г.Архангельска по ул.Комсомольской"
- Распоряжение от 18 июля 2018 г. № 2097р "О предоставлении разрешения на отклонение от предельных параметров реконструкции индивидуального жилого дома на земельном участке, расположенном в территориальном округе Майская горка г.Архангельска по ул.Гоголя"
- Распоряжение от 18 июля 2018 г. № 2096р "О предоставлении разрешений на условно разрешенный вид использования земельного участка, расположенного в Маймаксанском территориальном округе г.Архангельска по ул.Кольцевой, на отклонение от предельных параметров"
- Распоряжение от 17 июля 2018 г. № 2075р "О предоставлении разрешения на условно разрешенный вид использования земельного участка, расположенного в Октябрьском территориальном округе г.Архангельска по ул.Садовой"
- Распоряжение от 4 июля 2018 г. № 1970р "Об отказе в предоставлении разрешения на условно разрешенный вид использования земельного участка, расположенного в Октябрьском территориальном округе г.Архангельска по проспекту Ломоносова"
- Распоряжение от 4 июля 2018 г. № 1969р "Об отказе в предоставлении разрешения на отклонение от предельных параметров разрешенного строительства многоэтажного жилого дома на земельном участке, расположенном в Ломоносовском территориальном округе г.Архангельска по ул.Выучейского"
- Распоряжение от 4 июля 2018 г. № 1968р "Об отказе в предоставлении разрешения на отклонения от предельных параметров разрешенного строительства малоэтажного многоквартирного жилого дома на земельном участке, расположенном в Соломбальском территориальном округе г.Архангельска по ул.Маяковского"
- Распоряжение от 4 июля 2018 г. № 1967р "О предоставлении разрешения на условно разрешенный вид использования земельного участка, расположенного в Ломоносовском территориальном округе г.Архангельска по набережной Северной Двины"
- Распоряжение от 4 июля 2018 г. № 1966р "Об отказе в предоставлении разрешений на условно разрешенный вид использования земельного участка, расположенного в Маймаксанском территориальном округе г.Архангельска по ул.Кузьмина, на отклонение от предельных параметров"
- Распоряжение от 4 июля 2018 г. № 1965р "О предоставлении разрешения на отклонения от предельных параметров разрешенного строительства объекта капитального строительства "9-10 этажный жилой дом с коммерческим комплексом по ул.Воскресенской" на земельных участках, расположенных в Ломоносовском территориальном округе г.Архангельска в границах ул.Воскресенской – ул.Карла Либкнехта – пр.Советских Космонавтов"
- Распоряжение от 4 июля 2018 г. № 1964р "О предоставлении разрешения на отклонения от предельных параметров разрешенного строительства общественного здания торгово-развлекательного назначения (1-я очередь) на земельном участке, расположенном в Ломоносовском территориальном округе г.Архангельска по ул. 23-й Гвардейской дивизии (между ул. Тимме и ул. Шабалина)"
- Распоряжение от 4 июля 2018 г. № 1962р "О предоставлении разрешения на условно разрешенный вид использования земельных участков, расположенных в Ломоносовском территориальном округе г.Архангельска в границах ул.Воскресенской – ул.Карла Либкнехта – пр.Советских Космонавтов"
- Распоряжение от 08 июня 2018 г. №1781р "О предостапвлении разрешения на условно разрешенный вид использованияч земельного участка, расположенного в Исакогорском территориальном округе г.Архангельска по ул.Вторая линия"
- Распоряжение от 08 июня 2018 г. №1780р "О предоставлении разрешения на условно разрешенный вид использования земельного участка, расположенного в Ломоносовском территориальном округе г.Архангельска по ул.Володарского"
- Распоряжение от 08 июня 2018 г. №1778р "О предоставлени разрешения на отклонения от предельных параметров разрешенного строительства здания Арбитражного суда Архангельской области на земельном участке, расположенном в Ломоносовском территориальном округе г.Архангельска по проспекту Ломоносова"
- Распоряжение от 08 июня 2018 г. №1777р "Об отказе в предоставлении разрешения на отклонения от предельных параметров разрешенного строительства жилого дома церковного притча на земельном участке, расположенном в территориальном округе Варавино-Фактория г.Архангельска по проспекту Ленинградскому"
- Распоряжение от 08 июня 2018 г. № 1779р "О предоставлении разрешения на отклонение от предельных параметров разрешенного строительства многоэтажного многоквартирного жилого дома с помещениями общественного назначения на земельных участках, расположенных в Октябрьском территориальном округе г.Архангельска по ул.Садовой - пр.Обводный канал "
- Распоряжение от 05 июня 2018 г. № 1739р "О предоставлении разрешения на условно разрешенный вид использования земельного участка, расположенного в Ломоносовском территориальном округе г.Архангельска по проспекту Новгородскому"
- Распоряжение от 05 июня 2018г. № 1739р "О предоставлении разрешения на отклонение от предельных параметров разрешенного строительства объектов гаражного назначения (гаражные боксы) на земельном участке, расположенном в Ломоносовском территориальном округе г.Архангельска по пр. Дзержинского"
- Распоряжение от 01 июня 2018г. № 1677р "Об установлении соответствия вида разрешенного использования земельного участка с кадастровым номером 29:22:060410:32"
- Распоряжение от 01 июня 2018г. № 1676р "Об установлении соответствия вида разрешенного использования земельного участка с кадастровым номером 29:22:040723:31"
- Распоряжение от 25 мая 2018 г. № 1588р "Об отказе в предоставлении разрешения на отклонение от предельных параметров разрешенного строительства здания общественного назначения (предприятия общественного питания, торговли, офисные помещения) на земельном участке, расположенном в Октябрьском территориальном округе г.Архангельска по ул.Нагорной"
- Распоряжение от 25 мая 2018 г. № 1587р "О предоставлении разрешения на отклонения от предельных параметров разрешенного строительства среднеэтажного жилого дома на земельном участке, расположенном в Октябрьском территориальном округе г.Архангельска по ул.Вологодской"
- Распоряжение от 25 мая 2018 г. № 1586р "О предоставлении разрешения на условно разрешенный вид использования земельного участка, объектов капитального строительства, расположенных в Ломоносовском территориальном округе г.Архангельска по пр. Дзержинского"
- Распоряжение от 22 мая 2018 г. № 1528р "О предоставлении разрешения на условно разрешенный вид использования земельного участка, расположенного в Цигломенском территориальном округе г.Архангельска по ул.Зеленец"
- Распоряжение от 22 мая № 1527р "О предоставлении разрешения на отклонения от предельных параметров разрешенного строительства объекта капитального строительства на земельных участках, расположенных в Ломоносовском территориальном округе г.Архангельска по ул.Выучейского"
- Распоряжение от 22 мая 2018 г. № 1526р "Об отказе в предоставлении разрешения на отклонения от предельных параметров разрешенного строительства многоэтажного жилого дома с помещениями административно-торгового назначения на земельном участке, расположенном в территориальном округе Варавино-Фактория г.Архангельска по проспекту Ленинградскому"
- Распоряжение от 03 мая 2018 г. № 1338р "О предоставлении разрешения на условно разрешенный вид использования земельного участка, расположенного в Исакогорском территориальном округе г.Архангельска по ул.Исток"
- Распоряжение от 03 мая 2018 г. № 1335р "О предоставлении разрешения на условно разрешенный вид использования земельного участка, расположенного в территориальном округе Варавино-Фактория г.Архангельска по проспекту Ленинградскому"
- Распоряжение от 03 мая 2018 г. № 1336р "О предоставлении разрешения на отклонения от предельных параметров разрешенного строительства спортивного центра со встроенной автостоянкой и офисными помещениями на земельном участке, расположенном в Ломоносовском территориальном округе г.Архангельска по ул.Володарского"
- Распоряжение от от 03 мая 2018 г. № 1333р "О предоставлении разрешений на условно разрешенный вид использования земельного участка с кадастровым номером 29:22:010507:491, расположенного в Маймаксанском территориальном округе г.Архангельска, на отклонение от предельных параметров"
- Распоряжение от 03 мая 2018 г. № 1332р "О предоставлении разрешения на отклонение от предельных параметров разрешенного строительства объекта капитального строительства на земельных участках с кадастровыми номерами 29:22:023011:19, 29:22:023011:20, расположенных в Соломбальском территориальном округе г.Архангельска по проспекту Никольскому"
- Распоряжение от 03 мая 2018 г. № 1331р "О предоставлении разрешения на условно разрешенный вид использования земельного участка, расположенного в территориальном округе Майская горка г.Архангельска по ул. Прокопия Галушина"
- Распоряжение от 03 мая 2018 г. № 1334р "О предоставлении разрешения на отклонения от предельных параметров разрешенного строительства малоэтажного многоквартирного жилого дома на земельном участке, расположенном в Соломбальском территориальном округе г.Архангельска по ул.Адмиралтейской"
- Распоряжение от 25 апреля 2018 г. № 1272р "О предоставлении разрешения на отклонения от предельных параметров разрешенного строительства объектов для хранения индивидуальных автотранспортных средств на земельном участке, расположенном в Соломбальском территориальном округе г.Архангельска по ул.Челюскинцев"
- Распоряжение от 18 апреля 2018 г. № 1190р "О предоставлении разрешения на условно разрешенный вид использования земельного участка, расположенного в Маймаксанском территориальном округе г.Архангельска по ул.Емецкой"
- Распоряжение от 18 апреля 2018 г. № 1189р "О предоставлении разрешения на условно разрешенный вид использования земельного участка с кадастровым номером 29:22:010507:493, расположенного в Маймаксанском территориальном округе г.Архангельска"
- Распоряжение от 18 апреля 2018 г. № 1193р "Об отказе в предоставлении разрешения на условно разрешенный вид использования земельного участка с кадастровым номером 29:22:010507:491, расположенного в Маймаксанском территориальном округе г.Архангельска"
- Распоряжение от 18 апреля 2018 г. № 1192р "Об отказе в предоставлении разрешения на условно разрешенный вид использования земельного участка, расположенного в территориальном округе Майская горка г.Архангельска по ул.Ленина"
- Распоряжение от 18 апреля 2018 г. № 1191р "Об отказе в предоставлении разрешения на условно разрешенный вид использования земельного участка, расположенного в территориальном округе Майская горка г.Архангельска по ул.Ленина"
- Распоряжение от 16 апреля 2018 г. № 1167р "Об отказе в предоставлении разрешения на отклонения от предельных параметров разрешенного строительства многоэтажного многоквартирного жилого дома на земельных участках, расположенных в Октябрьском территориальном округе г.Архангельска по ул.Гагарина"
- Распоряжение от 11 апреля 2018 г. № 1069р "Об отказе в предоставлении разрешения на условно разрешенный вид использования земельного участка, расположенного в территориальном округе Майская горка г.Архангельска по пр.Ленинградскому"
- Распоряжение от 11 апреля 2018 г. № 1068р "О предоставлении разрешения на отклонения от предельных параметров разрешенного строительства среднеэтажного жилого дома на земельном участке, расположенном в Октябрьском территориальном округе г.Архангельска по ул.Вологодской"
- Распоряжение от 11 апреля 2018 г. № 1067р "О предоставлении разрешения на отклонения от предельных параметров разрешенного строительства малоэтажного жилого дома помещениями общественного назначения на первом этаже на земельном участке, расположенном в Ломоносовском территориальном округе г.Архангельска по ул.Поморской"
- Распоряжение от 14 марта 2018 г. № 783р " О внесении изменения в распоряжение Главы муниципального образования "Город Архангельск" от 27.02.2018 № 708р"
- Распоряжение от 27 февраля 2018 г. № 708р "Об установлении соответствия вида разрешенного использования земельного участка с кадастровым номером 29:22:060403:122"
- Распоряжение от 21 марта 2018 г. № 851р "О предоставлении разрешения на условно разрешенный вид использования земельного участка, расположенного в Ломоносовском территориальном округе г. Архангельска по проспекту Московскому"
- Распоряжение от 02 марта 2018 г. №728р "О предоставлении разрешения на отклонения от предельных параметров разрешенного строительства многоэтажного жилого дома со встроенно-пристроенным детским садом на земельном участке, расположенном в Соломбальском территориальном округе г.Архангельска по ул.Терехина"
- Распоряжение от 02 марта 2018 г. №727р "О предоставлении разрешения на условно разрешенный вид использования земельного участка, расположенного в Октябрьском территориальном округе г.Архангельска по Окружному шоссе"
- Распоряжение от 16 февраля 2018 г. № 623р "О предоставлении разрешения на условно разрешенный вид использования земельного участка, расположенного в Исакогорском территориальном округе г.Архангельска по ул.Доковской"
- Распоряжение от 16 февраля 2018 г. № 622р "О предоставлении разрешения на условно разрешенный вид использования земельного участка, расположенного в территориальном округе Майская горка г.Архангельска по улице Кузнечная, д.1"
- Распоряжение от 05 февраля 2018 г. №396р "Об отказе в предоставлении разрешения на отклонения от предельных параметров разрешенного строительства многоэтажного жилого дома с помещениями административно-торгового назначения на земельном участке, расположенном в территориальном округе Варавино-Фактория г.Архангельска по проспекту Ленинградскому"
- Распоряжение от 02 февраля 2018 г. №381р "Об отказе в предоставлении разрешения на отклонения от предельных параметров разрешенного строительства малоэтажного многоквартирного жилого дома на земельном участке, расположенном в Соломбальском территориальном округе г.Архангельска по ул.Маяковского"
- Распоряжение от 02 февраля 2018 г. №380р ""О предоставлении разрешения на отклонение от предельных параметров разрешенного строительства объекта капитального строительства на земельном участке с кадастровым номером 26:16:201001:227, расположенном в Цигломенском территориальном округе г.Архангельска"
- Распоряжение от 02 февраля 2018г. № 383р "О предоставлении разрешения на условно разрешенный вид использования земельного участка, расположенного в Маймаксанском территориальном округе г.Архангельска по ул.Гидролизной"
- Распоряжение от 02 февраля 2018 г. № 382р "О предоставлении разрешения на условно разрешенный вид использования земельного участка, расположенного в Ломоносовском территориальном округе г.Архангельска по ул.Розы Люксембург"
- Распоряжение от 02 февраля 2018 г. № 379р "О предоставлении разрешения на отклонения от предельных параметров разрешенного строительства объекта торговли на земельном участке, расположенном в Октябрьском территориальном округе г.Архангельска по ул.Нагорной"
- Распоряжение от 02 февраля 2018г. № 378р "О предоставлении разрешения на отклонения от предельных параметров разрешенного строительства общественного здания торгово-развлекательного назначения (1 очередь строительства) на земельном участке, расположенном в Ломоносовском территориальном округе г.Архангельска по ул.23-й Гвардейской дивизии (между ул.Тимме и ул.Шабалина)"
- Распоряжение от 02 февраля 2018г. № 376р "О предоставлении разрешение на условно разрешенный вид использования земельного участка с кадастровым номером 29:16:200801:370, расположенного в Цигломенском территориальном округе г.Архангельска"
- Распоряжение от 12 января 2018 г. №65р "О предоставлении разрешения на условно разрешенный вид использования земельного участка, расположенного в территориальном округе Майская горка г.Архангельска по проспекту Ленинградскому"
- Распоряжение от 28 декабря 2017 г. № 4025р "О предоставлении разрешения на отклонения от предельных параметров разрешенного строительства объекта для хранения индивидуальных автотранспортных средств (многоярусный паркинг для хранения легковых автомобилей) на земельном участке, расположенном в Соломбальском территориальном округе г.Архангельска по ул.Челюскинцев"
- Распоряжение от 20 декабря 2017 г. №3936р "Об отказе в предоставлении разрешения на условно разрешенный вид использования земельного участка, расположенного в территориальном округе Майская горка г.Архангельска по ул.Полины Осипенко"
- Распоряжение от 28 ноября 2017 г. № 3640р "О предоставлении разрешения на условно разрешенный вид использования земельного участкас кадастровым номером 29:22:060703:57, расположенного в территориальном округе Майская горка г.Архангельска"
- Распоряжение от 28 ноября 2017 г. № 3636р "О предоставлении разрешения на условно разрешенный вид использования земельного участка с кадастровым номером 29:22:010507:485, расположенного в Маймаксанском территориальном округе г.Архангельска"
- Распоряжение от 28 ноября 2017 г. № 3635р "О предоставлении разрешения на условно разрешенный вид использования земельного участка с кадастровым номером 29:22:010507:488, расположенного в Маймаксанском территориальном округе г.Архангельска"
- Распоряжение от 28 ноября 2017 г. № 3633р "Об отказе в предоставлении разрешения на отклонения от предельных параметров реконструкции административного здания на земельном участке, расположенном в Ломоносовском территориальном округе г.Архангельска по проспекту Московскому"
- Распоряжение от 28 ноября 2017 г. № 3634р "О предоставлении разрешения на условно разрешенный вид использования объекта капитального строительства, расположенного в территориальном округе Майская горка г.Архангельска по ул.Ленина, д. 23"
- Распоряжение от 28 ноября 2017 № 3628р "О предоставлении разрешения на отклонение от предельных параметров разрешенного строительства здания материально-технического центра на земельном участке, расположенном в Ломоносовском территориальном округе г.Архангельска по пр.Ленинградскому"
- Распоряжение от 28 ноября 2017 г. № 3639р "Об отказе в предоставлении разрешения на отклонения от предельных параметров разрешенного строительства среднеэтажного жилого дома с помещениями общественного назначения (первая очередь строительства-блок "Б") на земельном участке, расположенном в Соломбальском территориальном округе г.Архангельска по ул. Розмыслова"
- Распоряжение от 22 ноября 2017 г. № 3537р "О предоставлении разрешения на отклонение от предельных параметров реконструкции объекта капитального строительства на земельном участке, расположенном в Северном территориальном округе г.Архангельска по ул.Кировская, д.17, корп.1"
- Распоряжение от 13 ноября 2017 г. №3431р "О внесении изменения в распоряжение Главы муниципального образования "Город Архангельск" от 06.04.2016 № 802р"
- Распоряжение от 13 ноября 2017 г. № 3430р "О предоставлении разрешения на условно разрешенный вид использования земельного участка и объекта капитального строительства, расположенных в Октябрьском территориальном округе г.Архангельска по проезду Сибиряковцев"
- Распоряжение от от 31 октября 2017 г. № 3339р "О предоставлении разрешения на условно разрешенный вид использования земельного участка, расположенного в территориальном округе Варавино-Фактория г.Архангельска по проспекту Ленинградскому"
- Распоряжение от 27 октября 2017 г. №3310р "О предоставлении разрешения на отклонения от предельных параметров разрешенного строительства объекта капитального строительства на земельных участках, расположенных в Октябрьском территориальном округе г.Архангельска по ул.Комсомольской"
- Распоряжение от 27 октября 2017 г. №3309р Об отказе в предоставлении разрешения на условно разрешенный вид использования земельного участка с кадастровым номером 29:22:070703:26, расположенного в территориальном округе Варавино-Фактория г.Архангельска"
- Распоряжение от 27 октября 2017 г. №3308р "Об отказе в предоставлении разрешения на условно разрешенный вид использования земельного участка, расположенного в Маймаксанском территориальном округе г.Архангельска по ул.Кузьмина Н.Н."
- Распоряжение от 27 октября 2017 г. №3305р "Об отказе в предоставлении разрешения на условно разрешенный вид использования земельного участка с кадастровым номером 29:16:064702:77, расположенного в поселке Талажский авиагородок муниципального образования "Город Архангельск"
- Распоряжение от 27 октября 2017 г. №3304р "Об отказе в предоставлении разрешения на условно разрешенный вид использования земельного участка с кадастровым номером 29:16:064702:76, расположенного в поселке Талажский авиагородок муниципального образования "Город Архангельск"
- Распоряжение от 27 октября 2017 г. № 3311р "Об отказе в предоставлении разрешения на условно разрешенный вид использования земельного участка, расположенного в Исакогорском территориальном округе г.Архангельска по ул.Третья линия"
- Распоряжение от от 27 октября 2017 г. № 3306р № "Об отказе в предоставлении разрешений на условно разрешенный вид использования земельного участка, расположенного в Октябрьском территориальном округе г.Архангельска по проспекту Советских космонавтов, на отклонение от предельных параметров"
- Распоряжение от 27 октября 2017 г. № 3307р "О предоставлении разрешения на отклонения от предельных параметров реконструкции объекта капитального строительства на земельном участке, расположенном в Октябрьском территориальном округе г.Архангельска по проспекту Обводный канал"
- Распоряжение от 16 октября 2017 г. № 3152р "О предоставлении разрешения на условно разрешенный вид использования земельного участка, расположенного в Октябрьском территориальном округе г.Архангельска на пересечении проспекта Обводный канал и проезда Сибиряковцев"
- Распоряжение от 16 октября 2017г. № 3151р "Об отказе в предоставлении разрешения на условно разрешенный вид использования земельного участка, расположенного в Исакогорском территориальном округе г.Архангельска по ул.Дрейера"
- Распоряжение от 16 октября 2017 г. №3150р "О предоставлении разрешения на отклонение от предельных параметров реконструкции объекта капитального строительства на земельном участке, расположенном в Ломоносовском территориальном округе г.Архангельска по проспекту Чумбарова-Лучинского"
- Распоряжение от 16 октября 2017 г. №3153р "Об отказе в предоставлении разрешения на условно разрешенный вид использования земельного участка, расположенного в территориальном округе Майская горка г.Архангельска по ул.Энтузиастов"
- Распоряжение от 16 октября 2017 г. №3154р "О предоставлении разрешения на отклонения от предельных параметров разрешенного строительства малоэтажного жилого дома с помещениями общественного назначения на первом этаже на земельном участке, расположенном в Ломоносовском территориальном округе г.Архангельска по ул.Поморской"
- Распоряжение от 04 октября 2017г. № 3050р "О предоставлении разрешения на условно разрешенный вид использования земельного участка, расположенного в территориальном округе Варавино-Фактория г.Архангельска по ул.Силикатчиков"
- Распоряжение от 04 октября 2017 г. №3052р "Об отказе в предоставлении разрешения на условно разрешенный вид использования земельного участка, расположенного в Маймаксанском территориальном округе г.Архангельска по ул.Гидролизной"
- Распоряжение от 04 октября 2017 г. №3051р ""Об отказе в предоставлении разрешения на условно разрешенный вид использования земельного участка, расположенного в территориальном округе Майская горка г.Архангельска по ул.Прибрежной, на отклонениям от предельных параметров"
- Распоряжение от 21 сентября 2017 г. №2936р " Об отказе в предоставлении разрешения на отклонения от предельных параметров реконструкции объекта капитального строительства на земельном участке, расположенном в Ломоносовском территориальном округе г.Архангельска по ул.Володарского"
- Распоряжение от 21 сентября 2017 г. №2939р "Об отказе в предоставлении разрешений на условно разрешенный вид использования земельного участка, расположенного в территориальном округе Варавино-Фактория г.Архангельска по ул.Кривоборской, на отклонение от предельных параметров"
- Распоряжение от 21 сентября 2017 г. №2938р "Об отказе в предоставлении разрешения на условно разрешенный вид использования земельного участка, расположенного в территориальном округе Майская горка г.Архангельска по проспекту Ленинградскому"
- Распоряжение от 21 сентября 2017 г. №2937р "Об отказе в предоставлении разрешения на отклонение от предельных параметров реконструкции объекта капитального строительства на земельном участке, расположенном в Соломбальском территориальном округе г.Архангельска по ул.Кемской"
- Распоряжение от 22 сенетября 2017 г. №2949р "О предоставлении разрешения на отклонения от предельных параметров разрешенного строительства объекта капитального строительства на земельных участках, расположенных в Ломоносовском территориальном округе г.Архангельска по ул. Урицкого"
- Распоряжение от 22 сентября 2017 г. №2953р "О предоставлении разрешения на отклонения от предельных параметров реконструкции объекта капитального строительства на земельном участке, расположенном в Соломбальском территориальном округе г.Архангельска по проспекту Никольскому"
- Распоряжение от 21 сентября 2017 г. №2906р "Об отказе в предоставлении разрешения на условно разрешенный вид использования земельного участка с кадастровым номером 29:16:201001:233, расположенного в Цигломенском территориальном округе г.Архангельска"
- Распоряжение от 21 сентября 2017 г. №2910р "Об отказе в предоставлении разрешения на условно разрешенный вид использования земельных участков с кадастровыми номерами 29:16:201001:237, 29:16:201001:241, расположенных в Цигломенском территориальном округе г.Архангельска"
- Распоряжение от 21 сентября 2017 г. №2908р "Об отказа в предоставлении разрешения на условно разрешенный вид использования земельного участка с кадастровым номером 29:16:201001:236, расположенного в Цигломенском территориальном округе г.Архангельска"
- Распоряжение от 21 сентября 2017 г. №2905р "Об отказе в предоставлении разрешения на условно разрешенный вид использования земельного участка с кадастровым номером 29:16:201001:242, расположенного в Цигломенском территориальном округе г.Архангельска"
- Распоряжение от 21 сентября 2017 г. №2912р "Об отказе в предоставлении разрешения на условно разрешенный вид использования земельных участков с кадастровыми номерами 29:16:201001:245, 29:16:201001:244, расположенных в Цигломенском территориальном округе г.Архангельска"
- Распоряжение от 21 сентября 2017 г. №2907р "Об отказе в предоставлении разрешения на условно разрешенный вид использования земельных участков с кадастровыми номерами 29:16:201001:243, 29:16:201001:246, расположенных в Цигломенском территориальном округе г.Архангельска"
- Распоряжение от 21 сентября 2017 г. №2909р "Об отказе в предоставлении разрешения на условно разрешенный вид использования земельных участков с кадастровыми номерами 29:16:201001:255, 29:16:201001:31, расположенных в Цигломенском территориальном округе г.Архангельска"
- Распоряжение от 21 сентября 2017 г. №2911р "Об отказе в предоставлении разрешения на условно разрешенный вид использования земельных участков с кадастровыми номерами 29:16:201001:238, 29:16:201001:239, 29:16:201001:240 расположенных в Цигломенском территориальном округе г.Архангельска"
- Распоряжение от 21 сентября 2017 г. №2913р "О предоставлении разрешения на отклонения от предельных параметров разрешенного строительства индивидуального жилого дома на земельном участке, расположенном в Исакогорском территориальном округе г.Архангельска по ул.Дорожников"
- Распоряжение от 21 сентября 2017 г. № 2915р "О предоставлении разрешения на условно разрешенный вид использования земельного участка, расположенного в территориальном округе Майская горка г.Архангельска по ул.Дачной"
- Распоряжение от 21 сентября 2017г. №2914р "О предоставлении разрешения на условно разрешенный вид использования земельного участка, расположенного в территориальном округе Майская горка г.Архангельска по ул.Ленина"
- Распоряжение от 12 сентября 2017г. № 2834р "Об отказе в предоставлении разрешения на условно разрешенный вид использования земельного участка, расположенного в территориальном округе Варавино-Фактория г.Архангельска по ул.Октябрьской"
- Распоряжение от 12 сентября 2017г. №2833р "О предоставлении разрешения на условно разрешенный вид использования земельного участка, расположенного в Октябрьском территориальном округе г.Архангельска по Талажскому шоссе"
- Распоряжение от 12 сентября 2017г. № 2832р "Об отказе в предоставлении разрешения на условно разрешенный вид использования земельного участка, расположенного в Октябрьском территориальном округе г.Архангельска по ул.Нагорной"
- Распоряжение от 12 сентября 2017г. № 2831р "Об отказе в предоставлении разрешения на отклонения от предельных параметров реконструкции объекта капитального строительства на земельном участке, расположенном в Ломоносовском территориальном округе г.Архангельска по улице Серафимовича"
- Распоряжение от 01 сентября 2017г. № 2751р "О предоставлении разрешения на условно разрешенный вид использования земельного участка, расположенного в Ломоносовском территориальном округе г.Архангельска по ул.Смольный Буян, и о признании утратившим силу распоряжения Главы муниципального образования "Город Архангельск" от 21.08.2017 г. №2592р"
- Распоряжение от 31 августа 2017г. № 2718р "Об отказе в предоставлении разрешения на отклонения от предельных параметров реконструкции административного здания на земельном участке, расположенном в Ломоносовском территориальном округе г.Архангельска по проспекту Московскому"
- Распоряжение от 31 августа 2017г. № 2717р "Об отказе в предоставлении разрешения на условно разрешенный вид использования земельного участка, расположенного в Цигломенском территориальном округе г.Архангельска по ул.Севстрой"
- Распоряжение от 31 августа 2017 г. № 2716р "Об отказе в предоставлении разрешений на условно разрешенный вид использования земельного участка с кадастровым номером 29:22:022534:353, расположенного в Соломбальском территориальном округе г.Архангельска по ул.Георгия Иванова, на отклонения от предельных параметров"
- Распоряжение от 31 августа 2017г. № 2715р "Об отказе в предоставлении разрешений на условно разрешенный вид использования земельного участка с кадастровым номером 29:22:022534:355, расположенного в Соломбальском территориальном округе г.Архангельска по ул.Георгия Иванова, на отклонения от предельных параметров"
- Распоряжение от 31 августа 2017г. № 2714р "Об отказе в предоставлении разрешений на условно разрешенный вид использования земельного участка с кадастровым номером 29:22:022534:354, расположенного в Соломбальском территориальном округе г.Архангельска по ул.Георгия Иванова, на отклонения от предельных параметров"
- Распоряжение от 31 августа 2017г. № 2713р "Об отказе в предоставлении разрешений на условно разрешенный вид использования земельного участка с кадастровым номером 29:22:022534:356, расположенного в Соломбальском территориальном округе г.Архангельска по ул.Георгия Иванова, на отклонения от предельных параметров"
- Распоряжение от 25 августа 2017 г. № 2644р "Об отказе в предоставлении разрешения на отклонения от предельных параметров разрешенного строительства малоэтажного жилого дома с помещениями общественного назначения на первом этаже на земельном участке, расположенном в Ломоносовском территориальном округе г.Архангельска по ул.Поморской"
- Распоряжение от 25 августа 2017 г. №2640р "Об отказе в предоставлении разрешения на условно разрешенный вид использования земельного участка, расположенного в Соломбальском территориальном округе г.Архангельска по проспекту Никольскому"
- Распоряжение от 25 августа 2017 г. № 2643р "Об отказе в предоставлении разрешения на условно разрешенный вид использования земельного участка, расположенного в Цигломенском территориальном округе г.Архангельска по ул.Лочехина"
- Распоряжение от 22 августа 2017 г. № 2611р "Об отказе в предоставлении разрешения на отклонения от предельных параметров разрешенного строительства объекта розничной торговли на земельном участке, расположенном в Октябрьском территориальном округе г.Архангельска по ул.Нагорной"
- Распоряжение от 22 августа 2017 г. № 2610р "Об отказе в предоставлении разрешения на отклонение от предельных параметров реконструкции полузаглубленного двухуровневого паркинга легковых автомобилей с подсобными помещениями на земельном участке, расположенном в Октябрьском территориальном округе г.Архангельска по проспекту Ломоносова"
- Распоряжение от 21 августа 2017 г. № 2596р "О предоставлении разрешения на условно разрешенный вид использования земельного участка, расположенного в Ломоносовском территориальном округе г.Архангельска по набережной Северной Двины"
- Распоряжение от 15 августа 2017 г. №2538р "О предоставлении разрешения на отклонения от предельных параметров разрешенного строительства торгово-административного здания на земельном участке, расположенном в Октябрьском территориальном округе г. Архангельска по проспекту Ломоносова"
- Распоряжение от 15 августа 2017 г. № 2532р "О предоставлении разрешения на отклонения от предельных параметров разрешенного строительства объекта капитального строительства на земельном участке, расположенном в территориальном округе Майская горка г.Архангельска, на пересечении проспекта Московского и ул.Прокопия Галушина"
- Распоряжение от 14 августа 2017 г. № 2519р "О предоставлении разрешения на отклонение от предельных параметров реконструкции объекта капитального строительства на земельном участке, расположенном в Ломоносовском территориальном округе г.Архангельска по пр.Чумбарова-Лучинского"
- Распоряжение от 14 августа 2017 г. № 2522р "Об отказе в предоставлении разрешения на отклонения от предельных параметров разрешенного строительства объекта розничной торговли на земельном участке, расположенном в Октябрьском территориальном округе г.Архангельска по ул.Нагорной"
- Распоряжение от 14 августа 2017 г. №2520р "Об отказе в предоставлении разрешения на условно разрешенный вид использования земельного участка, расположенного в Соломбальском территориальном округе г.Архангельска по ул.Терехина"
- Распоряжение от 14 августа 2017 г. №2518р "О предоставлении разрешения на отклонение от предельных параметров реконструкции объекта капитального строительства на земельном участке, расположенном в территориальном округе Майская горка г.Архангельска по ул.Овощной"
- Распоряжение от 14 августа 2017 г. №2521р "О предоставлении разрешения на отклонения от предельных параметров разрешенного строительства многоэтажного жилого дома на земельном участке, расположенном в Ломоносовском территориальном округе г.Архангельска по ул.Серафимовича"
- Распоряжение от 10 августа 2017 г. №2494р "Об отказе в предоставлении разрешения на отклонения от предельных параметров разрешенного строительства многоэтажного многоквартирного жилого дома на земельных участках, расположенных в Октябрьском территориальном округе г.Архангельска по ул.Гагарина"
- Распоряжение от 02 августа 2017 г. №2429р "Об отказе в предоставлении разрешения на отклонения от предельных параметров разрешенного строительства многоэтажного жилого дома с помещениями административно-торгового назначения на земельном участке, расположенном в территориальном округе Варавино-Фактория г.Архангельска по проспекту Ленинградскому"
- Распоряжение от 02 августа 2017 г. №2428р "О предоставлении разрешения на отклонение от предельных параметров разрешенного строительства административного здания на земельном участке, расположенном в Октябрьском территориальном округе г. Архангельска по ул. Комсомольской"
- Распоряжение от 27 июля 2017 г. №2367р "Об отказе в предоставлении разрешений на условно разрешенный вид использования земельного участка, расположенного в Ломоносовском территориальном округе г.Архангельска по проспекту Новгородскому, на отклонения от предельных параметров "
- Распоряжение от 27 июля 2017 г. №2374р "Об отказе в предоставлении разрешения на отклонение от предельных параметров разрешенного строительства административного здания на земельном участке, расположенном в Ломоносовском территориальном округе г.Архангельска по ул. Котласской"
- Распоряжение от 27 июля 2017 г. №2375р "О предоставлении разрешения на отклонение от предельных параметров разрешенного строительства объекта капитального строительства на земельном участке, расположенном в Цигломенском территориальном округе г.Архангельска по ул.Куйбышева"
- Распоряжение от 27 июля 2017 г. №2376р "Об отказе в редоставлении разрешения на отклонение от предельных параметров разрешенного строительства объекта капитального строительства на земельном участке, расположенном в территориальном округе Майская горка г. Архангельска, на пересечении ул.Папанина и ул.Холмогорская"
- Распоряжение от 27 июля 2017 г. №2378р "О предоставлении разрешения на условно разрешенный вид использования земельных участков, расположенных в Соломбальском территориальном округе г.Архангельска по ул.Маяковского"
- Распоряжение от 27 июля 2017 г. №2368р "Об отказе в предоставлении разрешения на условно разрешенный вид использования земельного участка, расположенного в территориальном округе Майская горка г.Архангельска по ул.Ленина"
- Распоряжение от 27 июля 2017 г. №2369р "О предоставлении разрешения на отклонения от предельных параметров разрешенного строительства двухэтажного здания гаража индивидуального транспорта на земельном участке, расположенном в территориальном округе Майская горка г.Архангельска по ул.Карпогорской "
- Распоряжение от 27 июля 2017 г. №2370р "Об отказе в предоставлении разрешения на условно разрешенный вид использования земельного участка, расположенного в территориальном округе Варавино-Фактория г.Архангельска по ул.Октябрьской"
- Распоряжение от 27 июля 2017 г. №2371р "О предоставлении разрешения на условно разрешенный вид использования земельного участка, расположенного в Ломоносовском территориальном округе г.Архангельска по проспекту Чумбарова-Лучинского"
- Распоряжение от 27 июля 2017 г. № 2372р "О предоставлении разрешения на условно разрешенный вид использования земельного участка, расположенного в Соломбальском территориальном округе г. Архангельска по Мосееву острову"
- Распоряжение от от 19 июля 2017 г. № 2281р "Об отказе в предоставлении разрешений на условно разрешенный вид использования земельного участка, расположенного в территориальном округе Майская горка г.Архангельска по ул.Строительной, на отклонения от предельных параметров"
- Распоряжение от 12 июля 2017г. № 2234р "Об отказе в предоставлении разрешения на условно разрешенный вид использования земельного участка, расположенного в Октябрьском территориальном округе г. Архангельск по пр. Дзержинского"
- Распоряжение от 12 июля 2017г. № 2243р "Об отказе в предоставлении разрешения на условно разрешенный вид использования земельного участка, расположенного в Маймаксанском территориальном округе г. Архангельска по ул.Торговой"
- Распоряжение от 12 июля 2017г. № 2242р "Об отказе в предоставлении разрешения на условно разрешенный вид использования земельного участка, расположенного в Соломбальском территориальном округе г. Архангельска по ул. Корабельной"
- Распоряжение от 12 июля 2017г. № 2241р "О предоставлении разрешения на отклонение от предельных параметров разрешенного строительства трансформаторной подстанции на земельном участке, расположенном в Исакогорском территориальном округе г. Архангельска по ул. Зеньковича"
- Распоряжение от 12 июля 2017г. № 2240р "Об отказе в предоставлении разрешений на условно разрешенный вид использования земельного участка, расположенного в территориальном округе Майская горка г.Архангельска по ул.Калинина, на отклонение от предельных параметров"
- Распоряжение от 12 июля 2017г. № 2239р "Об отказе в предоставлении разрешений на условно разрешенный вид использования земельного участка, расположенного в Соломбальском территориальном округе г.Архангельска по ул.Валявкина, на отклонения от предельных параметров"
- Распоряжение от 12 июля 2017 г. № 2238р "Об отказе в предоставлении разрешений на условно разрешенный вид использования земельного участка, расположенного в территориальном округе Майская горка г.Архангельска по ул.Российской, на отклонение от предельных параметров"
- Распоряжение от 12 июля 2017г. № 2237р "Об отказе в предоставлении разрешений на условно разрешенный вид использования земельного участка, расположенного в Ломоносовском территориальном округе г.Архангельска по ул.Серафимовича, на отклонение от предельных параметров"
- Распоряжение от 12 июля 2017 г. № 2236р "Об отказе в предоставлении разрешений на условно разрешенный вид использования земельного участка, расположенного в территориальном округе Варавино-Фактория г.Архангельска по ул.Капитальной, на отклонение от предельных параметров"
- Распоряжение от 12 июля 2017р № 2233р "Об отказе в предоставлении разрешения на условно разрешенный вид использования земельного участка, расположенного в Октябрьском территориальном округе г.Архангельска по ул.Воскресенской"
- Распоряжение от от 12 июля 2017г. № 2232р "Об отказе в предоставлении разрешения на условно разрешенный вид использования земельного участка, расположенного в территориальном округе Майская горка г.Архангельска по ул.Прибрежной"
- Распоряжение от 12 июля 2017г. № 2231р "Об отказе в предоставлении разрешений на условно разрешенный вид использования земельного участка, расположенного в Исакогорском территориальном округе г. Архангельска по ул.Клепача, на отклонение от предельных параметров"
- Распоряжение от 12 июля 2017г. № 2230р " Об отказе в предоставлении разрешений на условно разрешенный вид использования земельного участка, расположенного в территориальном округе Майская горка г. Архангельска по ул.Танкистов, на отклонение от предельных параметров"
- Распоряжение от 12 июля 2017г. № 2229р "Об отказе в предоставлении разрешения на условно разрешенный вид использования земельного участка, расположенного в Маймаксанском территориальном округе г. Архангельска по ул. Юности"
- Распоряжение от 12 июля 2017 г. № 2228р "Об отказе в предоставлении разрешения на условно разрешенный вид использования земельного участка, расположенного по адресу: г. Архангельск, Ломоносовский территориальный округ по ул. Стрелковой, 8-й проезд"
- Распоряжение от 12 июля 2017г. № 2227р "О предоставлении разрешения на условно разрешенный вид использования земельного участка, расположенного в территориальном округе Майская горка г.Архангельска по ул.Дачной"
- Распоряжение от 30 июня 2017г. № 2101р "Об отказе в предоставлении разрешения на условно разрешенный вид использования земельного участка, расположенного в Соломбальском территориальном округе г.Архангельска по ул.Челюскинцев"
- Распоряжение от 30 июня 2017 г. № 2102р "Об отказе в предоставлении разрешений на условно разрешенный вид использования земельного участка, расположенного в Маймаксанском территориальном округе г.Архангельска по ул.Победы"
- Распоряжение от 30 июня 2017г. № 2100р "О предоставлении разрешения на условно разрешенный вид использования земельного участка с кадастровым номером, расположенного в Северном территориальном округе г.Архангельска по ул.Малиновского"
- Распоряжение от 30 июня 2017 г. № 2103р "Об отказе в предоставлении разрешения на условно разрешенный вид использования земельного участка, расположенного в Ломоносовском территориальном округе г.Архангельска по ул.Володарского"
- Распоряжение от 30 июня 2017г. № 2099р "О предоставлении разрешения на отклонение от предельных параметров разрешенного строительства объекта капитального строительства на земельном участке, расположенном в Соломбальском территориальном округе г.Архангельска по ул.Розмыслова"
- Распоряжение от 26 июня 2017 г. № 2015р "Об отказе в предоставлении разрешения на отклонения от предельных параметров разрешенного строительства объекта розничной торговли со встроенными помещениями бытового обслуживания на земельном участке, расположенном в территориальном округе Варавино-Фактория г.Архангельска по ул.Октябрьской"
- Распоряжение от 26 июня 2017 г. № 2014р "О предоставлении разрешения на отклонения от предельных параметров разрешенного строительства административного здания на земельном участке, расположенном в Соломбальском территориальном округе г.Архангельска на пересечении ул.Маяковского и ул.Новоземельской"
- Распоряжение от 26 июня 2017 г. №2013р "Об отказе в предоставлении разрешения на отклонение от предельных параметров разрешенного строительства объекта капитального строительства на земельных участках, расположенных в Ломоносовском территориальном округе г.Архангельска, в границах проспекта Советских космонавтов – улицы Поморской – проспекта Новгородского – улицы Карла Либкнехта"
- Распоряжение от 20 июня 2017 г. №1942р "О предоставлении разрешения на отклонения от предельных параметров реконструкции здания магазина на земельном участке, расположенном в территориальном округе Майская горка г.Архангельска по ул.Калинина"
- Распоряжение от 20 июня 2017 г. №1943р "Об отказе в предоставлении разрешения на условно разрешенный вид использования земельного участка с кадастровым номером 29:22:060701:314, расположенного в территориальном округе Майская горка г.Архангельска"
- Распоряжение от 20 июня 2017 г. №1944р "О предоставлении разрешения на отклонение от предельных параметров разрешенного строительства здания производственного гаража на земельном участке, расположенном в Октябрьском территориальном округе г.Архангельска по Первому проезду (Кузнечихинский промузел)"
- Распоряжение от 20 июня 2017 г. №1945р "Об отказе в предоставлении разрешения на условно разрешенный вид использования земельного участка, расположенного в Исакогорском территориальном округе г.Архангельска по ул.Третья линия"
- Распоряжение от 20 июня 2017 г. №1946р "О предоставлении разрешения на отклонение от предельных параметров реконструкции индивидуального жилого дома на земельном участке, расположенном в территориальном округе Майская горка г.Архангельска по ул.Российской"
- Распоряжение от 20 июня 2017 г. №1948р "О предоставлении разрешения на отклонения от предельных параметров разрешенного строительства многоэтажного жилого дома на земельном участке, расположенном в Ломоносовском территориальном округе г.Архангельска по ул.Серафимовича"
- Распоряжение от 20 июня 2017 г. №1947р "О предоставлении разрешения на условно разрешенный вид использования земельного участка, расположенного в Исакогорском территориальном округе г.Архангельска по ул.Доковской"
- Распоряжение от 13 июня 2017 г. № 1874р "О предоставлении разрешения на отклонения от предельных параметров разрешенного строительства многоэтажного жилого дома на земельном участке, расположенном в Октябрьском территориальном округе г.Архангельска по проспекту Новгородскому"
- Распоряжение от 06 июня 2017 г. № 1798р "О предоставлении разрешения на отклонение от предельных параметров разрешенного строительства многоэтажного жилого дома на земельных участках, расположенных в Октябрьском территориальном округе г.Архангельска по ул.Гайдара"
- Распоряжение от 06 июня 2017 года №1795р "О предоставлении разрешения на условно разрешенный вид использования земельного участка, расположенного в Ломоносовском территориальном округе г.Архангельска по ул.Октябрят"
- Распоряжение от 06 июня 2017 г. № 1796р "О предоставлении разрешения на отклонения от предельных параметров разрешенного строительства многоэтажного жилого дома с помещениями общественного назначения и автомобильным паркингом на земельном участке, расположенном в Ломоносовском территориальном округе г.Архангельска в границах ул.Выучейского и пр.Ломоносова"
- Распоряжение от 06 июня 2017 г. №1797р "Об отказе в предоставлении разрешения на отклонение от предельных параметров разрешенного строительства объекта капитального строительства на земельном участке, расположенном в Северном территориальном округе г.Архангельска по ул.Титова"
- Распоряжение от 31 мая 2017 г. № 1704р "Об отказе в предоставлении разрешения на условно разрешенный вид использования земельного участка, расположенного в октябрьском территориальном округе г.Архангельска по пр.Обводный канал"
- Распоряжение от 01 июня 2017 г. №1731р "Об отказе в предоставлении разрешения на отклонение от предельных параметров разрешенного строительства индивидуального жилого дома на земельном участке, расположенном в Маймаксанском территориальном округе г.Архангельска по ул.Ладожской"
- Распоряжение от 30 мая 2017г. № 1698р "О предоставлении разрешения на условно разрешенный вид использования земельного участка, расположенного в территориальном округе Варавино-Фактория г.Архангельска по пр. Ленинградскому"
- Распоряжение от 16 мая 2017 г. №1585р "Об отказе в предоставлении разрешения на отклонения от предельных параметров разрешенного строительства многоэтажного многоквартирного жилого дома на земельных участках, расположенных в Октябрьском территориальном округе г.Архангельска по ул.Гагарина"
- Распоряжение от 16 мая 2017г. № 1559р "О предоставлении разрешения на условно разрешенный вид использования земельного участка, расположенного в Соломбальском территориальном округе г.Архангельска по ул.Челюскинцев"
- Распоряжение от 16 мая 2017 г. №1557р "О предоставлении разрешения на отклонения от предельных параметров разрешенного строительства малоэтажного многоквартирного жилого дома на земельных участках, расположенных в территориальном округе Варавино-Фактория г.Архангельска по пер. 1-й Ленинградский"
- Распоряжение от 16 мая 2017г. № 1558р "Об отказе в предоставлении разрешения на отклонения от предельных параметров разрешенного строительства двухэтажного здания гаража индивидуального транспорта на земельном участке, расположенном в территориальном округе Майская горка г.Архангельска по ул.Карпогорской"
- Распоряжение от 16 мая 2017 г. №1560р "О предоставлении разрешения на условно разрешенный вид использования земельного участка, расположенного в территориальном округе Майская горка г.Архангельска по ул.Донской"
- Распоряжение от 16 мая 2017 г. № 1562р "О предоставлении разрешения на условно разрешенный вид использования земельного участка, расположенного в территориальном округе Майская горка г.Архангельска по ул.Красной Звезды"
- Распоряжение от 16 мая 2017 г. №1563р "Об отказе в предоставлении разрешения на отклонения от предельных параметров разрешенного строительства среднеэтажного жилого дома с помещениями общественного назначения (первая очередь строительства - блок "Б") на земельном участке, расположенном в Соломбальском территориальном округе г.Архангельска по ул.Розмыслова"
- Распоряжение от 16 мая 2017 г. №1561р "О предоставлении разрешения на условно разрешенный вид использования земельного участка, расположенного в территориальном округе Майская горка г.Архангельска по ул.Поселковой"
- Распоряжение от 05 мая 2017 г. № 1465р "О предоставлении разрешения на отклонения от предельных параметров реконструкции объекта капитального строительства на земельном участке, расположенном в Соломбальском территориальном округе г.Архангельска по ул.Красных партизан"
- Распоряжение от 05 мая 2017 г. №1468р "О предоставлении разрешения на отклонение от предельных параметров разрешенного строительства малоэтажного многоквартирного жилого дома на земельном участке, расположенном в Соломбальском территориальном округе г. Архангельска по ул.Беломорской"
- Распоряжение от 02 мая 2017 г. №1421р "О предоставлении разрешения на условно разрешенный вид использования земельного участка, расположенного в Исакогорском территориальном округе г.Архангельска по ул.Адмирала Макарова"
- Распоряжение от 02 мая 2017 г. №1420р "О предоставлении разрешения на условно разрешенный вид использования земельного участка, расположенного в территориальном округе Варавино-Фактория г.Архангельска по ул.Кривоборской"
- Распоряжение от 27 апреля 2017 г. № 1379р "Об отказе в предоставлении разрешения на отклонения от предельных параметров разрешенного строительства объекта розничной торговли на земельных участках, расположенных в Ломоносовском территориальном округе г. Архангельска по пр.Московскому"
- Распоряжение от 26 апреля 2017г. № 1349р "О предоставлении разрешения на условно разрешенный вид использования земельного участка, расположенного в Октябрьском территориальном округе г.Архангельска по ул. Гайдара"
- Распоряжение от 26 апреля 2017 г. № 1347р "Об отказе в предоставлении разрешения на отклонения от предельных параметров разрешенного строительства объекта капитального строительства на земельном участке, расположенном в Ломоносовском территориальном округе г.Архангельска по проспекту Ломоносова"
- Распоряжение от 26 апреля 2017г. № 1346р "О предоставлении разрешения на отклонение от предельных параметров разрешенного строительства здания гаражей на земельном участке, расположенном в Соломбальском территориальном округе г.Архангельска по ул.Усть-Двинской"
- Распоряжение от 26 апреля 2017г. № 1345р "О предоставлении разрешения на отклонение от предельных параметров разрешенного строительства здания гаражей на земельном участке, расположенном в Соломбальском территориальном округе г.Архангельска по ул.Усть-Двинской"
- Распоряжение от 25 апреля 2017 г. № 1337р "О предоставлении разрешения на условно разрешенный вид использования земельного участка, расположенного в Соломбальском территориальном округе г. Архангельска по проспекту Никольскому"
- Распоряжение от 25 апреля 2017 г. № 1314р " Об отказе в предоставлении разрешения на отклонения от предельных параметров разрешенного строительства многоэтажного жилого дома на земельном участке, расположенном в Соломбальском территориальном округе г.Архангельска по пр.Никольскому"
- Распоржение от 25 апреля 2017 г. № 1336р " Об отказе в предоставлении разрешений на условно разрешенный вид использования земельного участка, расположенного в территориальном округе Варавино-Фактория г.Архангельска по ул.Кривоборской, на отклонение от предельных параметров"
- Распоряжение от 25 апреля 2017 г. № 1338р "О предоставлении разрешения на отклонения от предельных параметров разрешенного строительства малоэтажного многоквартирного жилого дома на земельном участке, расположенном в Соломбальском территориальном округе г.Архангельска по ул.Маяковского"
- Распоряжение от 25 апреля 2017 г. № 1317р "Об отказе в предоставлении разрешения на отклонения от предельных параметров разрешенного строительства многоэтажного жилого дома с помещениями общественного назначения и автомобильным паркингом на земельном участке, расположенном в Ломоносовском территориальном округе г.Архангельска в границах ул.Выучейского и пр.Ломоносова"
- Распоряжение от 25 апреля 2017 г. № 1316р "Об отказе в предоставлении разрешения на отклонения от предельных параметров разрешенного строительства здания технического обслуживания и ремонта транспортных средств на земельном участке, расположенном в Октябрьском территориальном округе г.Архангельска по Талажскому шоссе"
- Распоряжение от 17 апреля 2017 г. № 1231р "О предоставлении разрешения на отклонения от предельных параметров разрешенного строительства здания торгового комплекса на земельных участках, расположенных в Соломбальском территориальном округе г.Архангельска по ул.Советской (между ул.Маяковского и ул.Терехина)"
- Распоряжение от 04 апреля 2017г. № 1064р " О предоставлении разрешения на отклонение от предельных параметров реконструкции объекта капитального строительства на земельном участке, расположенном в территориальном округе Майская горка г.Архангельска по ул.Лермонтова, д.23, стр.16"
- Распоряжение от 29 марта 2017 г. № 903р "Об отказе в предоставлении разрешения на отклонения от предельных параметров разрешенного строительства объекта капитального строительства на земельных участках, расположенных в территориальном округе Майская горка г.Архангельска по пр.Московскому"
- Распоряжение от 29 марта 2017 г. № 901р "О предоставлении разрешения на условно разрешенный вид использования земельного участка, расположенного в Ломоносовском территориальном округе г.Архангельска, на пересечении проспекта Советских космонавтов и ул. Володарского"
- Распоряжение от 17 марта 2017г. № 644р "О предоставлении разрешения на отклонения от предельных параметров разрешенного строительства многоэтажного жилого дома со встроенно-пристроенными помещениями общественного назначения на земельных участках, расположенных в Октябрьском территориальном округе г.Архангельска на пересечении ул. Воскресенской и пр.Ломоносова"
- Распоряжение от 24 марта 2017 г. № 803р "О предоставлении разрешения на отклонения от предельных параметров разрешенного строительства многоэтажного жилого дома на земельном участке, расположенном в территориальном округе Варавино-Фактория г.Архангельска по пр.Ленинградскому"
- Распоряжение от 24 марта 2017 г. № 802р "О предоставлении разрешения на отклонение от предельных параметров разрешенного строительства объекта капитального строительства на земельном участке, расположенном в территориальном округе Майская горка г.Архангельска по пр.Московскому - ул.Карпогорской"
- Распоряжение от 24 марта 2017г. № 718р "О предоставлении разрешения на отклонение от предельных параметров реконструкции объекта капитального строительства на земельном участке, расположенном в Соломбальском территориальном округе г. Архангельска по пр. Никольскому"
- Распоряжение от 24 марта 2017 г. № 717р "О предоставлении разрешения на условно разрешенный вид использования земельного участка, расположенного в Исакогорском территориальном округе г.Архангельска по ул. Вторая линия"
- Распоряжение от 24 марта 2017г. № 716р "Об отказе в предоставлении муниципальной услуги по вопросу о предоставлении разрешения на отклонения от предельных параметров разрешенного строительства здания торгового комплекса на земельных участках, расположенных в Соломбальском территориальном округе г.Архангельска по ул.Советской (между ул.Маяковского и ул.Терехина)"
- Распоряжение от 16 марта 2017 г. №633р "О предоставлении разрешения на отклонение от предельных параметров разрешенного строительства индивидуального жилого дома на земельном участке, расположенном в Исакогорском территориальном округе г.Архангельска по ул.Дорожников"
- Распоряжение от 16 марта 2017 г. №631р "О предоставлении разрешения на отклонение от предельных параметров разрешенного строительства объекта капитального строительства на земельном участке, расположенном в Маймаксанском территориальном округе г.Архангельска по ул. Ладожской "
- Распоряжение от 16 марта 2017 г. №636р "О предоставлении разрешения на условно разрешенный вид использования земельного участка, расположенного в территориальном округе Майская горка г.Архангельска по ул.Некрасова "
- Распоряжение от 16 марта 2017 г. №635р "О предоставлении разрешения на условно разрешенный вид использования земельного участка, расположенного в территориальном округе Варавино-Фактория г.Архангельска по ул.Заливной"
- Распоряжение от 16 марта 2017г. № 638р "О предоставлении разрешения на отклонение от предельных параметров реконструкции административного здания (бизнес-центр) на земельном участке, расположенном в Октябрьском территориальном округе г. Архангельска по ул.Вологодской"
- Распоряжение от 16 марта 2017 г. № 637р "Об отказе в предоставлении разрешения на отклонение от предельных параметров разрешенного строительства здания материально-технического центра на земельном участке, расположенном в Ломоносовском территориальном округе г.Архангельска по пр.Ленинградскому"
- Распоряжение от 16 марта 2017г. № 634р "Об отказе в предоставлении разрешения на отклонения от предельных параметров разрешенного строительства административного здания на земельном участке, расположенном в Соломбальском территориальном округе г.Архангельска на пересечении ул.Маяковского и ул.Новоземельской"
- Распоряжение от 16 марта 2017 г. № 632р "Об отказе в предоставлении разрешения на условно разрешенный вид использования земельного участка, расположенного в Северном территориальном округе г.Архангельска по ул.Химиков"
- Распоряжение от16 марта 2017г. № 626р "О предоставлении разрешения на отклонение от предельных параметров разрешенного строительства здания торгового комплекса на земельных участках, расположенных в Соломбальском территориальном округе г.Архангельска по ул.Советской (между ул.Маяковского и ул.Терехина)"
- Распоряжение от 27 февраля 2017 г. №464р "Об отказе в предоставлении разрешения на отклонения от предельных параметров разрешенного строительства многоэтажного многоквартирного жилого дома на земельных участках, расположенных в Октябрьском территориальном округе г.Архангельска по ул.Гагарина"
- Распоряжение от 20 февраля 2017 г. №390р "О предоставлении разрешения на отклонение от предельных параметров разрешенного строительства объекта капитального строительства на земельном участке, расположенном в Северном территориальном округе г.Архангельска по ул.Песочной"
- Распоряжение от 20 февраля 2017 г. №414р "Об отказе в предоставлении разрешения на отклонения от предельных параметров разрешенного строительства малоэтажного многоквартирного жилого дома на земельном участке, расположенном в Соломбальском территориальном округе г.Архангельска по ул. Маяковского"
- Распоряжение от 20 февраля 2017г. №391р "О предоставлении разрешения на отклонение от предельных параметров разрешенного строительства индивидуального жилого дома на земельном участке, расположенном в Исакогорском территориальном округе г.Архангельска по Лахтинскому шоссе"
- Распоряжение от 20 февраля 2017 г. №385р "Об отказе в предоставлении разрешения на отклонения от предельных параметров разрешенного строительства среднеэтажного жилого дома с помещениями общественного назначения (первая очередь строительства-блок "Б") на земельном участке, расположенном в Соломбальскои территориальном округе г.Архангельска по ул.Розмыслова"
- Распоряжение от 20 февраля 2017 г. №384р "О предоставлении разрешения на отклонения от предельных параметров реконструкции здания магазина-кафетерия на земельном участке, расположенном в Северном территориальном округе г.Архангельска по ул. Красных маршалов"
- Распоряжение от 20 февраля 2017 г. №413р "О предоставлении разрешения на отклонения от предельных параметров разрешенного строительства здания физкультурно-оздоровительного назначения на земельном участке, расположенном в Маймаксанском территориальном округе г.Архангельска на пересечении ул.Юности и ул.Менделеева"
- Распоряжение от 20 февраля 2017 г. №387р "О предоставлении разрешения на условно разрешенный вид использования земельного участка, расположенного в Маймаксанском территориальном округе г.Архангельска на пересечении ул.Юности и ул.Менделеева"
- Распоряжение от 20 февраля 2017 г. №386р "О предоставлении разрешения на условно разрешенный вид использования земельного участка, расположенного в Маймаксанском территориальном округе г.Архангельска по ул.Инессы Арманд"
- Распоряжение от 14 февраля 2017 г. № 335р "О предоставлении разрешения на отклонения от предельных параметров разрешенного строительства общеобразовательного учреждения на земельных участках, расположенных в Исакогорском территориальном округе г. Архангельска по ул.Центральной"
- Распоряжение от 06 февраля 2017 г. №277р "О предоставлении разрешения на отклонение от предельных параметров разрешенного строительства многоэтажного жилого дома со встроенными помещениями административного назначения на земельном участке, расположенном в Ломоносовском территориальном округе г.Архангельска по проспекту Ломоносова"
- Распоряжение от 02 февраля 2017 г. №257р "О предоставлении разрешения на отклонения от предельных параметров разрешенного строительства двух среднеэтажных жилых домов на земельном участке, расположенном в Соломбальском территориальном округе г.Архангельска по проспекту Никольскому"
- Распоряжение от 02 февраля 2017 г. №252р "Об отказе в предоставлении разрешения на отклонения от предельных параметров разрешенного строительства среднеэтажного жилого дома со встроенными помещениями общественного назначения на земельном участке, расположенном в Ломоносовском территориальном округе г.Архангельска по ул.Володарского, 36, корп. 1"
- Распоряжение от 02 февраля 2017 г. №251р "О предоставлении разрешения на отклонение от предельных параметров разрешенного строительства индивидуального жилого дома на земельном участке, расположенном в Цигломенском территориальном округе г.Архангельска по ул.Первый рабочий квартал"
- Распоряжение от от 02 февраля 2017 г. № 249р "Об отказе в предоставлении разрешения на отклонения от предельных параметров разрешенного строительства здания торгового комплекса на земельных участках, расположенных в Соломбальском территориальном округе г.Архангельска по ул.Советской (между ул.Маяковского и ул.Терехина)
- Распоряжение от от 02 февраля 2017 г. № 250р "О предоставлении разрешения на отклонения от предельных параметров разрешенного строительства здания торгового комплекса на земельных участках, расположенных в Соломбальском территориальном округе г.Архангельска по ул.Советской (между ул.Маяковского и ул.Терехина)"
- Распоряжение от 02 февраля 2017г. № 256р "О предоставлении разрешения на условно разрешенный вид использования земельного участка, расположенного в Ломоносовском территориальном округе г.Архангельска по пр.Московскому - ул.Смольный буян"
- Распоряжение от 02 февраля 2017г. № 255р "Об отказе в предоставлении разрешений на условно разрешенный вид использования земельного участка, расположенного в Ломоносовском территориальном округе г.Архангельска по ул.Серафимовича, на отклонение от предельных параметров"
- Распоряжение от 02 февраля 2017г. № 254р "Об отказе в предоставлении разрешения на условно разрешенный вид использования земельного участка, расположенного в Октябрьском территориальном округе г.Архангельска по пр.Дзержинского"
- Распоряжение от 02 февраля 2017г. № 248р "О предоставлении разрешения на условно разрешенный вид использования земельного участка, расположенного в территориальном округе Майская горка г.Архангельска по ул.Карпогорской"
- Распоряжение от 02 февраля 2017г. № 253р "О предоставлении разрешения на условно разрешенный вид использования земельного участка, расположенного в Маймаксанском территориальном округе г.Архангельска по ул.Фрунзе"
- Распоряжение от 03 февраля 2017г. № 258р "Об отказе в предоставлении разрешений на условно разрешенный вид использования земельного участка, расположенного в Исакогорском территориальном округе г.Архангельска по ул.Магистральной, на отклонение от предельных параметров"
- Распоряжение от 31 января 2017г. №197р "О предоставлении разрешения на условно разрешенный вид использования земельного участка, расположенного в территориальном округе Майская горка г.Архангельска по ул.Энтузиастов"
- Распоряжение от 31 января 2017г. №198р "О предоставлении разрешения на отклонение от предельных параметров разрешенного строительства индивидуального жилого дома на земельном участке, расположенном в Соломбальском территориальном округе г.Архангельска, на пересечении ул.Михайловой Т.П. и ул.Литейной"
- Распоряжение от 31 января 2017г. № 202р "Об отказе в предоставлении разрешения на отклонения от предельных параметров разрешенного строительства среднеэтажного жилого дома на земельных участках, расположенных в Ломоносовском территориальном округе г.Архангельска, на пересечении пр.Советских космонавтов и ул.Володарского"
- Распоряжение от 31 января 2017г. №203р "Об отказе в предоставлении разрешения на условно разрешенныйвид использования земельного участка, расположенного по адресу: г. Архангельск, Ломоносовский территориальный округ по ул. Стрелковой, 8-й проезд "
- Распоряжение от 31 январь 2017г. № 208р "О предоставлении разрешения на отклонение от предельных параметров разрешенного строительства опоры для размещения оборудования связи на земельном участке, расположенном в Исакогорском территориальном округег. Архангельска по ул.Пограничной"
- Распоряжение от 31 января 2017г. № 209р "О предоставлении разрешения на условно разрешенный вид использования земельного участка, расположенного в территориальном округе Майская горка г.Архангельска по ул.Карпогорской"
- Распоряжение от 31 января 2017 г. № 207р "Об отказе в предоставлении разрешения на условно разрешенный вид использования земельного участка, расположенного в Исакогорском территориальном округе г.Архангельска по ул.Дрейера"
- Распоряжение от 31 января 2017г. № 204р "Об отказе в предоставлении разрешения на условно разрешенный вид использования земельного участка, расположенного по адресу: г. Архангельск, Октябрьский территориальный округ по Чёрной Курье, 2-й линии"
- Распоряжение от 31 января 2017г. № 206р "Об отказе в предоставлении разрешений на условно разрешенный вид использования земельного участка, расположенного в Октябрьском территориальном округе г.Архангельска по Талажскому шоссе, на отклонение от предельных параметров"
- Распоряжение от 31 января 2017г. № 205р "О предоставлении разрешения на условно разрешенный вид использования земельного участка, расположенного в территориальном округе Майская горка г.Архангельска по ул.Ленина"
- Распоряжение от 18 января 2017г. № 110р "О предоставлении разрешения на отклонение от предельных параметров разрешенного строительства объекта для обеспечения внутреннего правопорядка, расположенного в Исакогорском территориальном округе г.Архангельска по Лахтинскому шоссе"
- Распоряжение от 18 января 2017г. № 102р "Об отказе в предоставлении разрешений на условно разрешенный вид использования земельного участка, расположенного в Октябрьском территориальном округе г.Архангельска по ул.Воскресенской, на отклонение от предельных параметров"
- Распоряжение от 18 января 2017 г. № 96р "Об отказе в предоставлении разрешений на условно разрешенный вид использования земельного участка, расположенного в территориальном округе Майская горка г.Архангельска по ул.Калинина, на отклонение от предельных параметров"
- Распоряжение от 18 января 2017 г. № 109р "О предоставлении разрешения на условно разрешенный вид использования земельного участка, расположенного в Маймаксанском территориальном округе г.Архангельска по ул.Лесотехнической"
- Распоряжение от 18 января 2017 г. № 94р " Об отказе в предоставлении разрешения на условно разрешенный вид использования земельного участка, расположенного в Северном территориальном округе г.Архангельска по ул.Нижняя Повракульская"
- Распоряжение от 18 января 2017г. № 108р "Об отказе в предоставлении разрешения на условно разрешенный вид использования земельного участка, расположенного в территориальном округе Варавино-Фактория г.Архангельска по ул.Старожаровихинской"
- Распоряжение от 18 января 2017 г. № 95р "О предоставлении разрешений на условно разрешенный вид использования земельного участка, расположенного в территориальном округе Майская горка г.Архангельска по ул.Уральской, на отклонение от предельных параметров"
- Распоряжение от 18 января 2017г. № 97р "О предоставлении разрешения на условно разрешенный вид использования земельного участка, расположенного в Маймаксанском территориальном округе г.Архангельска по ул.Причальной, на отклонение от предельных параметров"
- Распоряжение от 18 января 2017 года №99р "Об отказе в предоставлении разрешения на условно разрешенный вид использования земельного участка, расположенного по адресу:г. Архангельск, Ломоносовский территориальный округпо ул. Стрелковой, 8-й проезд "
- Распоряжение от 18 января 2017 года №98р "Об отказе в предоставлении разрешения на условно разрешенный вид использования земельного участка, расположенного по адресу: г. Архангельск, Соломбальский территориальный округпо ул. Пахтусова
- Распоряжение от 18 января 2017 года №101р "Об отказе в предоставлении разрешений на условно разрешенный вид использования земельного участка, расположенного в территориальном округе Майская горка г.Архангельска по ул.Танкистов, на отклонение от предельных параметров"
- Распоряжение от 18 января 2017 года №100р "Об отказе в предоставлении разрешений на условно разрешенный вид использования земельного участка, расположенного в территориальном округе Майская горка г.Архангельска по ул.Российской, на отклонение от предельных параметров"
- Распоряжение от 29 декабря 2016 г. № 3989р "Об отказе в предоставлении разрешения на отклонения от предельных параметров реконструкции объекта капитального строительства на земельном участке, расположенном в Соломбальском территориальном округе г.Архангельск по ул.Красных партизан"
- Распоряжение от 29 декабря 2016 г. № 3988р "О предоставлении разрешения на отклонения от предельных параметров разрешенного строительства административного здания, расположенного в Ломоносовском территориальном округе г.Архангельска по ул.Урицкого"
- Распоряжение от 29 декабря 2016г. № 3987р "О предоставлении разрешения на отклонение от предельных параметров разрешенного строительства объекта капитального строительства на земельных участках, расположенных в Ломоносовском территориальном округе г.Архангельска, на пересечении просп. Советских космонавтов и ул.Володарского"
- Распоряжение от 29 декабря 2016г. № 3930р "Об отказе в предоставлении разрешения на отклонения от предельных параметров разрешенного строительства здания технического обслуживания и ремонта транспортных средств на земельном участке, расположенном в Октябрьском территориальном округе г.Архангельска по Талажскому шоссе"
- Распоряжение от 29 декабря 2016 г. № 3994р "О предоставлении разрешения на отклонения от предельных параметров разрешенного строительства здания розничной торговли на земельном участке, расположенном в территориальном округе Майская горка г.Архангельска по просп.Московскому"
- Распоряжение от 21 декабря 2016 г. №3802р "О предоставлении разрешения на условно разрешенный вид использования земельного участка, расположенного по адресу: г.Архангельск, территориальный округ Варавино-Фактория, ул.Большая Юрасская, 9 "
- Распоряжение от 21 декабря 2016 г. №3800р "О предоставлении разрешения на условно разрешенный вид использования земельного участка, расположенного в Маймаксанском территориальном округе г.Архангельска, ул.Сибирская, 4"
- Распоряжение от 21 декабря 2016 г. №3801р "О предоставлении разрешения на условно разрешенный вид использования земельного участка, расположенного по адресу: г. Архангельск, территориальный округ Майская горка, ул.Российская, д.4 "
- Распоряжение от 21 декабря 2016 г. №3799р "О предоставлении разрешения на условно разрешенный вид использования земельного участка, расположенного по адресу: г. Архангельск, территориальный округ Майская горка по ул.Овощной "
- Распоряжение от 21 декабря 2016 г. №3798р "Об отказе в предоставлении разрешения на условно разрешенный вид использования земельного участка, расположенного по адресу: . Архангельск, Октябрьский территориальный округ по ул. Гайдара "
- Распоряжение от 21 декабря 2016 г. № 3779р "О предоставлении разрешения на отклонения от предельных параметров разрешенного строительства объекта розничной торговли на земельном участке, расположенном в территориальном округе Варавино-Фактория г.Архангельска по просп.Ленинградскому"
- Распоряжение от 20 декабря 2016 г. № 3714р "О предоставлении разрешения на отклонения от предельных параметров реконструкции объекта капитального строительства на земельном участке, расположенном в Октябрьском территориальном округе г.Архангельска по ул.Вологодской, 43"
- Распоряжение от 15 декабря 2016 г. №3673р "О предоставлении разрешения на отклонения от предельных параметров разрешенного строительства многоэтажного жилого дома на земельном участке, расположенном в Октябрьском территориальном округе г.Архангельска, в границах пр-кта Ломоносова и ул.Гайдара"
- Распоряжение от 14 декабря 2016 г. №3622р "О предоставлении разрешения на отклонение от предельных параметров разрешенного строительства индивидуального жилого дома на земельном участке с кадастровым номером 29:16:201001:257, расположенном в Цигломенском территориальном округе г.Архангельска "
- Распоряжение от 14 декабря 2016 г. №3637р О предоставлении разрешения на условно разрешенный вид использования земельного участка с кадастровым номером 29:16:200501:863 ""
- Распоряжение от 14 декабря 2016г. №3639р "О предоставлении разрешения на условно разрешенный вид использования земельного участка с кадастровым номером 29:16:200501:861 "
- Распоряжение от 14 декабря 2016 г. №3640р "О предоставлении разрешения на условно разрешенный вид использования земельного участка с кадастровым номером 29:16:200501:866 "
- Распоряжение от 14 декабря 2016г. №3631р "О предоставлении разрешения на условно разрешенный вид использования земельного участка с кадастровым номером 29:16:200501:867 "
- Распоряжение от 14 декабря 2016г. №3622р "О предоставлении разрешения на условно разрешенный вид использования земельного участка с кадастровым номером 29:16:200501:868 "
- Распоряжение от 14 декабря 2016г. №3633р "О предоставлении разрешения на условно разрешенный вид использования земельного участка с кадастровым номером 29:16:200501:860 "
- Распоряжение от 14 декабря 2016 г. №3634р "О предоставлении разрешения на условно разрешенный вид использования земельного участка с кадастровым номером 29:16:200501:864 "
- Расоряжение от 14 декабря 2016г. №3635р "О предоставлении разрешения на условно разрешенный вид использования земельного участка с кадастровым номером 29:16:200501:865 "
- Распоряжение от 14 декабря 2016г. №3636р "О предоставлении разрешения на условно разрешенный вид использования земельного участка с кадастровым номером 29:16:200501:862 "
- Распоряжение от 14 декабря 2016 г. №3638р "О предоставлении разрешения на условно разрешенныйвид использования земельного участка с кадастровым номером 29:16:200501:869 "
- Распоряжение от 14 декабря 2016 г. №3628р "О предоставлении разрешения на отклонение от предельных параметров разрешенного строительства многоэтажного жилого дома со встроенными помещениями административного назначения на земельном участке, расположенном в Ломоносовском территориальном округе г.Архангельска по просп.Ломоносова"
- Распоряжение от 14 декабря 2016 г. №3623р "Об отказе в предоставлении разрешения на отклонения от предельных параметров разрешенного строительства объекта капитального строительства на земельном участке, расположенном в Соломбальском территориальном округе г. Архангельска по ул. Михайловой Т.П., 14"
- Распоряжение от 16 декабря 2016 г. № 3694р "Об отказе в предоставлении разрешения на отклонения от предельных параметров разрешенного строительства здания гаражей на земельном участке, расположенном в Соломбальском территориальном округе г.Архангельска по ул.Усть-Двинской"
- Распоряжение от 16 декабря 2016 г. № 3692р " Об отказе в предоставлении разрешения на отклонения от предельных параметров разрешенного строительства здания гаражей на земельном участке, расположенном в Соломбальском территориальном округе г.Архангельска по ул.Усть-Двинской"
- Распоряжение от 16 декабря 2016 г. № 3695р "Об отказе в предоставлении разрешения на отклонения от предельных параметров разрешенного строительства административного здания на земельных участках, расположенных в Октябрьском территориальном округе г.Архангельска по ул.Садовой"
- Распоряжение от 16 декабря 2016 г. № 3696р "Об отказе в предоставлении разрешения на отклонения от предельных параметров разрешенного строительства объекта капитального строительства на земельном участке, расположенном в Октябрьском территориальном округе г.Архангельска по ул.Нагорной"
- Распоряжение от 16 декабря 2016 г. № 3697р "О предоставлении разрешения на отклонение от предельных параметров разрешенного строительства объекта капитального строительства на земельном участке, расположенном в Ломоносовском территориальном округе г.Архангельска по просп.Ленинградскому, 6, корп.1"
- Распоряжение от 16 декабря 2016г. № 3707р "Об отказе в предоставлении разрешения на отклонение от предельных параметров разрешенного строительства объекта розничной торговли на земельном участке, расположенном в Октябрьском территориальном округе г.Архангельска по ул.Береговой"
- Распоряжение от 08 декабря 2016г. № 3553р "Об отказе в предоставлении разрешения на отклонение от предельных параметров реконструкции административного здания на земельном участке, расположенном в Октябрьском территориальном округе"
- Распоряжением от 08 декабря 2016г. №3550р "О предоставлении разрешения на условно разрешенный вид использования земельного участка, расположенного в территориальном округе Майская горка г.Архангельска по ул.Лермонтова, 23, стр.13"
- Распоряжение от 08 декабря 2016г. № 3552р "О предоставлении разрешения на отклонение от предельных параметров разрешенного строительства объекта бытового обслуживания (баня) на земельном участке, расположенном в Маймаксанском территориальном округе г.Архангельска по ул.Мудьюгской"
- Распоряжение от 02 декабря 2016 г. № 3496р "О предоставлении разрешения на условно разрешенный вид использования земельного участка с кадастровым номером 29:16:200501:859"
- Распоряжение от 02 декабря 2016 г. № 3497р "О предоставлении разрешения на отклонение от предельных параметров разрешенного строительства индивидуального жилого дома на земельном участке, расположенном в Соломбальском территориальном округе г. Архангельска по проспекту Никольскому, дом 41, корпус 1"
- Распоряжение от 25 ноября 2016 г. № 3360р "О предоставлении разрешения на условно разрешенный вид использования земельного участка, расположенного в территориальном округе Варавино-Фактория г.Архангельска по ул. Зеленой"
- Распоряжение от 25 ноября 2016 г. № 3361р "Об отказе в предоставлении разрешения на условно разрешенный вид использования земельного участка, расположенного в территориальном округе Майская горка г.Архангельска по ул. Некрасова"
- Распоряжение от 30 ноября 2016 года № 3416р "Об отказе в предоставлении разрешения на условно разрешенный вид использования земельного участка, расположенного в Маймаксанском территориальном округе г.Архангельска на пересечении ул.Юности и ул.Менделеева"
- Распоряжение от 30 ноября 2016 г. № 3415р "Об отказе в предоставлении разрешения на отклонение от предельных параметров разрешенного строительства торгово-административного здания на земельном участке, расположенном в Октябрьском территориальном округе г. Архангельска по пр. Ломоносова"
- Распоряжение от 30 ноября 2016г. №3414р "Об отказе в предоставлении разрешения на отклонение от предельных параметров разрешенного строительства объекта капитального строительства на земельном участке, расположенном в Исакогорском территориальном округе г.Архангельска по ул.Магистральной"
- Распоряжение от 25 ноября 2016г. №3359р "О предоставлении разрешения на условно разрешенный вид использования земельного участка, расположенного в территориальном округе Майская горка г.Архангельска по ул.Лермонтова, 23, стр.19"
- Распоряжение от 25 ноября 2016г. № 3358р "О предоставлении разрешения на условно разрешенный вид использования земельного участка и объекта капитального строительства, расположенных в Маймаксанском территориальном округе г.Архангельска по ул.Гидролизной,12"
- Распоряжение от 25 ноября 2016г. №3357р "О предоставлении разрешения на условно разрешенный вид использования земельного участка, расположенного в Ломоносовском территориальном округе г.Архангельска по наб.Северной Двины (между ул.Иоанна Кронштадского и ул.Парижской коммуны)"
- Распоряжение от 25 ноября 2016г. №3356р "Об отказе в предоставлении разрешения на условно разрешенный вид использования земельного участка, расположенного в Октябрьском территориальном округе г.Архангельска по ул.Воскресенской"
- Распоряжнение от 25 ноября 2016г. №3355р "Об отказе в предоставлении разрешения на отклонение от предельных параметров разрешенного строительства объекта капитального строительства на земельном участке, расположенном в Соломбальском территориальном округе г.Архангельска на пересечении ул.Кедрова и ул.Ярославской"
- Распоряжение от 15 ноября 2016 г. № 3266р "Об отказе в предоставлении разрешения на отклонение от предельных параметров разрешенного строительства индивидуального жилого дома на земельном участке, расположенном в Соломбальском территориальном округе г.Архангельска, на пересечении ул.Михайловой Т.П. и ул.Литейной"
- Распоряжение от 10 ноября 2016 г. № 3212р "О предоставлении разрешения на условно разрешенный вид использования земельного участка, расположенного в территориальном округе Майская горка г.Архангельска по ул.Лесопильщиков"
- Распоряжение от 10 ноября 2016 г. № 3213р "О предоставлении разрешения на отклонения от предельных параметров земельного участка и объекта капитального строительства на земельном участке, расположенном в Соломбальском территориальном округе г.Архангельска по ул.Краснофлотской"
- Распоряжение от 10 ноября 2016 г. № 3211р "О предоставлении разрешения на отклонения от предельных параметров разрешенного строительства многоэтажного жилого дома со встроенными помещениями общественного назначения на земельных участках, расположенных в территориальном округе Майская горка г. Архангельска по ул. Дачной"
- Распоряжение от 26 октября 2016 г. № 3070р "О предоставлении разрешения на условно разрешенный вид использования земельного участка, расположенного в территориальном округе Майская горка г. Архангельска по ул.Садовой поляне"
- Распоряжение от 26 октября 2016 г. № 3079р "Об отказе в предоставлении разрешения на отклонение от предельных параметров разрешенного строительства малоэтажного многоквартирного жилого дома на земельном участке, расположенном в Соломбальском территориальном округе г. Архангельска по ул. Беломорской"
- Распоряжение от 28 октября 2016 г. № 3101р "Об отказе в предоставлении разрешения на отклонение от предельных параметров разрешенного строительства объекта розничной торговли на земельном участке, расположенном в Ломоносовском территориальном округе г.Архангельска,на пересечении просп.Московского и ул.Смольный буян"
- Распоряжение от 26 октября 2016 г. № 3069р "О предоставлении разрешения на отклонения от предельных параметров разрешенного строительства индивидуального жилого дома на земельном участке, расположенном в Цигломенском территориальном округе г.Архангельска по ул.Придорожной"
- Распоряжение от 26 октября 2016 г.№ 3078р "Об отказе в предоставлении разрешения на отклонения от предельных параметров разрешенного строительства объекта капитального строительства на земельном участке, расположенном в Маймаксанском территориальном округе г.Архангельска по ул.Школьной,106"
- Распоряжение от 26 октября 2016 г. № 3077р "О предоставлении разрешения на условно разрешенный вид использования земельного участка, расположенного в Ломоносовском территориальном округе г.Архангельска по ул. Воскресенской – наб. Северной Двины – по восточной границе отвода Морской администрации порта Архангельск – по р. Северная Двина"
- Распоряжение от 26 октября 2016 г. № 3076р "О предоставлении разрешения на отклонение от предельных параметров разрешенного строительства административного здания на земельном участке, расположенном в Октябрьском территориальном округе г.Архангельска по ул.Комсомольской"
- Распоряжение от 18 октября 2016 г. № 2979р "О предоставлении разрешения на условно разрешенный вид использования земельного участка, расположенного в Октябрьском территориальном округе г.Архангельска по ул.Гайдара"
- Распоряжение от 18 октября 2016 г. № 2978р "О предоставлении разрешения на условно разрешенный вид использования земельного участка, расположенного в Октябрьском территориальном округе г.Архангельска по ул.Гайдара"
- Распоряжение от 12 октября 2016 г. № 2909р "О предоставлении разрешения на условно разрешенный вид использования земельного участка, расположенного в Октябрьском территориальном округе г.Архангельск по ул.Гайдара,61, корпус1"
- Распоряжение от 12 октября 2016 г. № 2910р " О предоставлении разрешения на условно разрешенный вид использования земельного участка, расположенного в Октябрьский территориальном округе г.Архангельска по ул. Аэропорт Кегостров"
- Распоряжение от 12 октября 2016 г. № 2916р "О предоставлении разрешения на условно разрешенный вид использования земельного участка, расположенного в Соломбальском территориальном округе г.Архангельска по ул. Маймаксанской"
- Распоряжение от 12 октября 2016 г. № 2917р "Об отказе в предоставлении разрешения на условно разрешенный вид использования земельного участка, расположенного в Цигломенском территориальном округе г.Архангельска по ул. Лочехина"
- Распоряжение от 12 октября 2016 г. №2918р "О предоставлении разрешения на отклонения от предельных параметров реконструкции объекта капитального строительства на земельном участке, расположенном в Октябрьском территориальном округе г.Архангельска по ул.Вологодской, 43"
- Распоряжение от 12 октября 2016 г. № 2919р "Об отказе в предоставлении разрешения на условно разрешенный вид использования земельного участка, расположенного в Маймаксанском территориальном округе г.Архангельска по ул.Победы"
- Распоряжение от 25 августа 2016 г. № 2374р "Об отказе в предоставлении разрешения на условно разрешенный вид использования земельного участка, расположенного в Исакогорском территориальном округе г.Архангельска по ул.Дрейера"
- Распоряжение от 05 октября 2016 г. № 2848р "О предоставлении разрешения на условно разрешенный вид использования земельного участка, расположенного в Октябрьском территориальном округе г.Архангельска по ул.Нагорной"
- Распоряжение от 05 октября 2016 г. № 2847р "О предоставлении разрешения на отклонение от предельных параметров разрешенного строительства объекта капитального строительства на земельном участке, расположенном в Соломбальском территориальном округе г.Архангельска по ул. Маяковского, д. 15"
- Распоряжение от 04 октября 2016 г. № 2833р "О внесении изменений в распоряжение Главы муниципального образования "Город Архангельск" от 25.08.2016 № 2374р"
- Распоряжение от 04 октября 2016 г. № 2838р "О внесении изменений в распоряжение Главы муниципального образования "Город Архангельск" от 23.09.2016г. № 2715р"
- Распоряжение от 04 октября 2016 г. № 2832р "О предоставлении разрешения на отклонение от предельных параметров разрешенного строительства объекта капитального строительства на земельных участках, расположенных в территориальном округе Майская горка г.Архангельска по пр.Московскому"
- Распоряжение от от 23 сентября 2016 г. № 2721р "Об отказе в предоставлении разрешения на отклонение от предельных параметров разрешенного строительства среднеэтажного жилого дома на земельном участке, расположенном в Соломбальском территориальном округе г. Архангельска по Банному переулку 1-му"
- Распоряжение от от 26 сентября 2016 г. № 2739р "О предоставлении разрешения на отклонения от предельных параметров разрешенного строительства многоэтажного жилого дома со встроенными помещениями административно-торгового назначения на нижних этажах и с подземной автостоянкой на земельном участке, расположенном в Октябрьском территориальном округе г.Архангельска, на пересечении пр.Новгородского и ул.Карла Маркса"
- Распоряжение от от 23 сентября 2016 г. № 2718р " Об отказе в предоставлении разрешения на отклонения от предельных параметров разрешенного строительства многоэтажного жилого дома на земельном участке, расположенном в территориальном округе Варавино-Фактория г. Архангельска по пр.Ленинградскому"
- Распоряжение от от 23 сентября 2016 г. № 2719р "Об отказе в предоставлении разрешения на условно разрешенный вид использования земельного участка, расположенного в Маймаксанском территориальном округе г.Архангельска по ул.Сибирской"
- Распоряжение от 23 сентября 2016 г. № 2720р "Об отказе в предоставлении разрешений на отклонения от предельных параметров земельного участка и объекта капитального строительства на земельном участке, расположенном в Соломбальском территориальном округе г. Архангельска по ул. Беломорской"
- Распоряжение от 13 сентября 2016 г. № 2596р "Об отказе в предоставлении разрешения на условно разрешенный вид использования земельного участка, расположенного в территориальном округе Варавино-Фактория г. Архангельска по ул. Капитальной, и предоставлении разрешения на отклонение от предельных параметров"
- Распоряжение от 13 сентября 2016 г. № 2595р "Об отказе в предоставлении разрешения на условно разрешенный вид использования земельного участка, расположенного в Соломбальском территориальном округе г. Архангельска по ул. Валявкина, и предоставлении разрешения на отклонение от предельных параметров"
- Распоряжение от 15 сентября 2016 г. № 2618р "Об отказе в предоставлении разрешения на условно разрешенный вид использования земельного участка, расположенного в Ломоносовском территориальном округе г. Архангельска по ул. Серафимовича, и предоставлении разрешения на отклонение от предельных параметров "
- Распоряжение от 13 сентября 2016 г. № 2600р "Об отказе в предоставлении разрешения на условно разрешенный вид использования земельного участка, расположенного в Соломбальском территориальном округе г. Архангельска по ул. Челюскинцев"
- Распоряжение от 23 сентября 2016 г. №2716р "О предоставлении разрешения на условно разрешенный вид использования земельного участка, расположенного в Соломбальском территориальном округе г.Архангельска по ул.Розмыслова"
- Распоряжение от 23 сентября 2016г. № 2715р "О предоставлении разрешения на отклонения от предельных параметров разрешенного строительства торгового комплекса на земельных участках, расположенных в Соломбальском территориальном округе г.Архангельска по пр.Никольскому"
- Распоряжение от 23 сентября 2016г. №2717р "Об отказе в предоставлении разрешения на отклонения от предельных параметров разрешенного строительства административного здания на земельном участке, расположенном в Октябрьском территориальном округе г.Архангельска по ул.Комсомольской"
- Распоряжение от 13 сентября 2016 г. № 2599р "Об отказе в предоставлении разрешения на условно разрешенный вид использования земельного участка с кадастровым номером 29:22:060701:311, расположенного в территориальном округе Майская горка г.Архангельска"
- Распоряжение от 13 сентября 2016 г. № 2588р "Об отказе в предоставлении разрешения на условно разрешенный вид использования земельного участка, расположенного в Соломбальском территориальном округе г. Архангельск по ул. Корабельной"
- Распоряжение от 13 сентября 2016 г. № 2587р "Об отказе в предоставлении разрешения на условно разрешенный вид использования земельного участка, расположенного в Маймаксанском территориальном округе г.Архангельска по ул.Юности"
- Распоряжение от 13 сентября 2016г. № 2589р "Об отказе в предоставлении разрешения на условно разрешенный вид использования земельного участка, расположенного в Исакогорском территориальном округе г.Архангельска по ул.Клепача"
- Распоряжение от 13 сентября 2016г. № 2597р "Об отказе в предоставлении разрешения на условно разрешенный вид использования земельного участка, расположенного в территориальном округе Майская горка г.Архангельска по ул.Строительной"
- Распоряжение от 13 сентября 2016г. №2599р "Об отказе в предоставлении разрешения на условно разрешенный вид использования земельного участка, расположенного в Ломоносовском территориальном округе г.Архангельска по ул.Володарского"
- Распоряжение от 25 августа 2016 г. № 2372р "Об отказе в предоставлении разрешения на отклонение от предельных параметров реконструкции здания административного назначения на земельном участке, расположенном в Северном территориальном округе г. Архангельска по ул. Кировской"
- Распоряжение от 25 августа 2016 г. № 2380р "Об отказе в предоставлении разрешения на условно разрешенный вид использования земельного участка, расположенного в территориальном округе Майская горка г.Архангельска по ул.Прибрежной"
- Распоряжение от 25 августа 2016 г. № 2379р Об отказе в предоставлении разрешения на условно разрешенный вид использования земельного участка, расположенного в Маймаксанском территориальном округе г.Архангельска по ул.Победы"
- Распоряжение от 25 августа 2016 г. № 2378р "Об отказе в предоставлении разрешения на условно разрешенный вид использования земельного участка, расположенного в Исакогорском территориальном округе г.Архангельска по ул.Магистральной"
- Распоряжение от 25 августа 2016 г. № 2375р "О предоставлении разрешения на отклонения от предельных параметров реконструкции объекта капитального строительства на земельном участке, расположенном в Соломбальском территориальном округе г. Архангельск по ул. Красных партизан"
- Распоряжение от 25 августа 2016 г. № 2377р "Об отказе в предоставлении разрешения на условно разрешенный вид использования земельного участка, расположенного в Цигломенском территориальном округе г. Архангельска по ул.Водоемной"
- Распоряжение от от 25 августа 2016 г. № 2373р "О предоставлении разрешения на отклонение от предельных параметров разрешенного строительства жилого дома на земельном участке, расположенном в территориальном округе Майская горка г.Архангельска по ул.Ленина"
- Распоряжение от 25 августа 2016 г. № 2382р "О предоставлении разрешения на условно разрешенный вид использования объекта капитального строительства, расположенного в территориальном округе Майская горка г. Архангельск по ул.Первомайской, 32"
- Распоряжение от 25 августа 2016 г. № 2381р "Об отказе в предоставлении разрешения на условно разрешенный вид использования земельного участка, расположенного в Маймаксанском территориальном округе г.Архангельска по ул.Торговой"
- Распоряжение отот 25 августа 2016 г. № 2376р "О предоставлении разрешения на отклонения от предельных параметров разрешенного строительства среднеэтажного жилого дома на земельных участках, расположенных в Ломоносовском территориальном округе г. Архангельска, на пересечении просп. Советских космонавтов и ул. Володарского"
- Распоряжение от от 23 августа 2016 г. № 2334р "О предоставлении разрешения на отклонение от предельных параметров разрешенного строительства объекта капитального строительства на земельных участках, расположенных в территориальном округе Варавино-Фактория г. Архангельска по переулку 2-й Ленинградский"
- Распоряжение от 23 августа 2016 г. № 2332р "О предоставлении разрешения на отклонение от предельных параметров разрешенного строительства объекта капитального строительства на земельном участке, расположенном в территориальном округе Варавино-Фактория г. Архангельска по переулку 2-й Ленинградский"
- Распоряжение от 23 августа 2016 г. № 2333р "О предоставлении разрешения на отклонение от предельных параметров разрешенного строительства объекта капитального строительства на земельном участке, расположенном в территориальном округе Варавино-Фактория г. Архангельска по переулку 2-й Ленинградский"
- Распоряжение от 23 августа 2016 г. № 2331р "О предоставлении разрешения на отклонение от предельных параметров разрешенного строительства объекта капитального строительства на земельном участке, расположенном в территориальном округе Варавино-Фактория г. Архангельска по переулку 2-й Ленинградский"
- Распоряжение от 23 августа 2016 г. № 2330р "Об отказе в предоставлении разрешения на условно разрешенный вид использования земельного участка, расположенного в Ломоносовском территориальном округе г. Архангельска по ул. Котласской"
- Распоряжение от 23 августа 2016 г. № 2336р "Об отказе в предоставлении разрешения на условно разрешенный вид использования земельного участка, расположенного в Октябрьском территориальном округе г.Архангельска по Талажскому шоссе"
- Распоряжение от 23 августа 2016 г. № 2335р "Об отказе в предоставлении разрешения на отклонения от предельных параметров реконструкции здания магазина на земельном участке, расположенном в территориальном округе Майская горка г.Архангельска по ул.Калинина"
- Распоряжение от 08 августа 2016 г. № 2178р "О предоставлении разрешения на условно разрешенный вид использования земельного участка, расположенного в Ломоносовском территориальном округе г.Архангельска по ул.Воскресенской"
- Распоряжение от 02 августа 2016 г. № 2129р "О предоставлении разрешений на условно разрешенный вид использования земельного участка, расположенного в территориальном округе Майская горка г. Архангельска по ул. Первомайской, и предоставления разрешения на отклонение от предельных параметров разрешенного строительства"
- Распоряжение от 01 августа 2016 г. № 2112р "О предоставлении разрешения на отклонение от предельных параметров разрешенного строительства индивидуального жилого дома на земельном участке с кадастровым номером 29:22:020901:35, расположенном в Соломбальском территориальном округе г. Архангельска, КИЗ "Лето"
- Распоряжение от 01 августа 2016 г. № 2111р " О предоставлении разрешения на отклонения от предельных параметров разрешенного строительства индивидуального жилого дома на земельном участке, расположенном в Маймаксанском территориальном округе г.Архангельска по ул.Сибирской"
- Распоряжение от 28 июля 2016 г. № 2087р "Об отказе в предоставлении разрешения на условно разрешенный вид использования земельного участка, расположенного в Соломбальском территориальном округе г. Архангельск по ул. Советской"
- Распоряжение от 28 июля 2016 г. № 2088р "О предоставлении разрешения на отклонения от предельных параметров разрешенного строительства многоэтажного жилого дома со встроенными помещениями административного назначения на земельном участке, расположенном в Ломоносовском территориальном округе г. Архангельска по просп.Ломоносова"
- Распоряжение от 01 августа 2016 г. № 2113р "О предоставлении разрешения на отклонения от предельных параметров разрешенного строительства многоэтажного жилого дома с помещениями административного назначения и подземной автостоянкой на земельном участке, расположенном в Ломоносовском территориальном округе г. Архангельска ул. Карла Либкнехта"
- Распоряжение от 28 июля 2016 г. № 2086р "Об отказе в предоставлении разрешения на отклонения от предельных параметров разрешенного строительства индивидуального жилого дома на земельном участке, расположенном в территориальном округе Майская горка г. Архангельска по ул. Овощной"
- Распоряжение от 01 августа 2016 г. № 2108р "О предоставлении разрешения на отклонения от предельных параметров разрешенного строительства торгового комплекса на земельных участках, расположенных в Соломбальском территориальном округе г.Архангельска по пр.Никольскому"
- Распоряжение от 28 июля 2016 г. № 2085р "Об отказе в предоставлении разрешения на отклонение от предельных параметров разрешенного строительства жилого дома на земельном участке, расположенном в территориальном округе Майская горка г. Архангельска по ул. Дачной"
- Распоряжение от 01 августа 2016 г. № 2110р "Об отказе в предоставлении разрешения на отклонения от предельных параметров разрешенного строительства административного здания, расположенного в Ломоносовском территориальном округе г.Архангельска по ул.Урицкого"
- Распоряжение от 02 августа 2016 г. № 2136р "О предоставлении разрешения на отклонения от предельных параметров разрешенного строительства здания пассажирского павильона, расположенного в Ломоносовском территориальном округе г.Архангельска по набережной Северной Двины"
- Распоряжение от 28 июля 2016 г. № 2084р "Об отказе в предоставлении разрешения на отклонения от предельных параметров реконструкции объекта бытового обслуживания на земельном участке, расположенном в Октябрьском территориальном округе г.Архангельска по проезду Приорова"
- Распоряжение от 28 июля 2016 г. № 2084р "Об отказе в предоставлении разрешения на условно разрешенный вид использования земельного участка, расположенного в Маймаксанском территориальном округе г.Архангельск по ул.Лодемской"
- Распоряжение от 07 июля 2016 г.№ 1866р "Об отказе в предоставлении разрешения на отклонение от предельных параметров реконструкции объекта капитального строительства на земельном участке, расположенных в Соломбальском территориальном округе г.Архангельска по пр.Никольскому"
- Распоряжение от 07 июля 2016 г. № 1864р "Об отказе в предоставлении разрешения на отклонения от предельных параметров разрешенного строительства административного здания на земельном участке, расположенном в Октябрьском территориальном округе г.Архангельска по ул.Комсомольской"
- Распоряжение от 07 июля 2016 г. № 1863р "Об отказе в предоставлении разрешения на отклонение от предельных параметров разрешенного строительства объекта капитального строительства на земельном участке, расположенном в территориальном округе Майская горка г.Архангельска по пр.Московскому"
- Распоряжение от 07 июля 2016 г. № 1865р "О предоставлении разрешения на отклонение от предельных параметров разрешенного строительства объекта розничной торговли на земельном участке, расположенном в Октябрьском территориальном округе г.Архангельска по ул.Береговой"
- Распоряжение от 23 июня 2016 г. № 1746р "О предоставлении разрешения на отклонения от предельных параметров разрешенного строительства объекта розничной торговли на земельных участках, расположенных в территориальном округе Майская горка г.Архангельска по ул.Дачной"
- Расплоряжение от 23 июня 2016 г. № 1752р "О предоставлении разрешения на отклонения от предельных параметров разрешенного строительства объекта розничной торговли на земельном участке, расположенном в Октябрьском территориальном округе г. Архангельска на пересечении ул.Садовой и пр.Новгородского"
- Распоряжение от 23 июня 2016 г. № 1763р "Об отказе в предоставлении разрешения на отклонения от предельных параметров разрешенного строительства многоэтажного жилого дома со встроенно-пристроенными помещениями общественного назначения на земельном участке, расположенном в Октябрьском территориальном округе г. Архангельска по ул. Воскресенской"
- Распоряжение от 23 июня 2016 г. № 1751р "О предоставлении разрешения на отклонение от предельных параметров разрешенного строительства индивидуального жилого дома на земельном участке, расположенном в Соломбальском территориальном округе г. Архангельска по ул. Соломбальской"
- Распоряжение от 23 июня 2016 г. № 1765р "Об отказе в предоставлении разрешения на условно разрешенный вид использования земельного участка, расположенного в территориальном округе Варавино-Фактория г. Архангельска по ул. Красносельской"
- Распоряжение от 23 июня 2016 г. № 1753р "О предоставлении разрешения на отклонения от предельных параметров разрешенного строительства многоэтажного жилого дома на земельном участке, расположенном в Ломоносовском территориальном округе г. Архангельска по пр.Ленинградскому"
- Распоряжение от 23 июня 2016 г. № 1750р "Об отказе в предоставлении разрешения на условно разрешенный вид использования земельного участка, расположенного в территориальном округе Майская горка г. Архангельска по ул. Некрасова"
- Распоряжение от 23 июня 2016 г. № 1747р "Об отказе в предоставлении разрешения на отклонение от предельных параметров разрешенного строительства малоэтажного многоквартирного жилого дома на земельном участке, расположенном в Соломбальском территориальном округе г. Архангельска по ул. Беломорской"
- Распоряжение от 23 июня 2016 г. № 1748р "Об отказе в предоставлении разрешения на отклонения от предельных параметров разрешенного строительства малоэтажного многоквартирного жилого дома на земельном участке, расположенном в Соломбальском территориальном округе г. Архангельска по ул. Маяковского"
- Распоряжение от 23 июня 2016 г. № 1749р "О предоставлении разрешения на отклонение от предельных параметров разрешенного строительства индивидуального жилого дома на земельном участке, расположенном в Маймаксанском территориальном округе г. Архангельска по ул. Ягодной"
- Распоряжение от 20 июня 2016 г. № 1724р "О предоставлении разрешения на условно разрешенный вид использования земельных участков, расположенных в Цигломенском территориальном округе г. Архангельск по ул. Севстрой"
- Распоряжение от 23 мая 2016 г. № 1331р " О предоставлении разрешения на отклонения от предельных параметров объекта разрешенного строительства среднеэтажного жилого дома с помещениями общественного назначения на первом этаже на земельных участках, расположенных в Ломоносовском территориальном округе г. Архангельска в границах пр.Новгородского и ул.Володарского"
- Распоряжение от 16 июня 2016 г. № 1697р "О предоставлении разрешения на отклонения от предельных параметров разрешенного строительства здания культурно-делового центра на земельном участке, расположенном в Ломоносовском территориальном округе г.Архангельска на пересечении пр.Троицкого и ул.Поморской"
- Распоряжение от 16 июня 2016 г. № 1696р " Об отказе в предоставлении разрешения на отклонение от предельных параметров разрешенного строительства объекта розничной торговли на земельном участке, расположенном в территориальном округе Варавино-Фактория г.Архангельска на пересечении пр.Ленинградского и ул.Октябрьской"
- Распоряжение от 16 июня 2016 г. № 1695р "Об отказе в предоставлении разрешения на отклонения от предельных параметров разрешенного строительства торгово-административного здания на земельном участке, расположенном в Октябрьском территориальном округе г. Архангельска по пр. Ломоносова"
- Распоряжение от 16 июня 2016 г. № 1699р " Об отказе в предоставлении муниципальной услуги "Предоставление разрешения на отклонения от предельных параметров разрешенного строительства многоэтажного жилого дома с помещениями административно-торгового назначения на земельном участке, расположенном в территориальном округе Варавино-Фактория г. Архангельска по пр.Ленинградскому"
- Распоряжение от 16 июня 2016 г. № 1698р "Об отказе в предоставлении разрешения на отклонение от предельных параметров разрешенного строительства среднеэтажного жилого дома на земельном участке, расположенном в Соломбальском территориальном округе г. Архангельска по Банному переулку 1-му"
- Распоряжение от 09 июня 2016 г. № 1632р "О предоставлении разрешения на отклонение от предельных параметров разрешенного строительства индивидуального жилого дома на земельном участке, расположенном в территориальном округе Варавино-Фактория г. Архангельска по ул. Зеленой"
- Распоряжение от 07 июня 2016 г. № 1617р " О предоставлении разрешения на отклонения от предельных параметров разрешенного строительства многоэтажного жилого дома на земельном участке, расположенном в территориальном округе Варавино-Фактория г. Архангельска по пр.Ленинградскому"
- Распоряжение от 07 июня 2016 г. № 1618р "О предоставлении разрешения на отклонения от предельных параметров разрешенного строительства индивидуального жилого дома на земельном участке, расположенном в Соломбальском территориальном округе г. Архангельска по пр. Никольскому, 41, корп. 1"
- Распоряжение от 09 июня 2016 г. № 1631р "О предоставлении разрешения на отклонения от предельных параметров разрешенного строительства многоэтажного жилого дома со встроенно-пристроенными помещениями общественного назначения на земельных участках, расположенных в Октябрьском территориальном округе г. Архангельска, в границах ул. Свободы и пр. Ломоносова"
- Распоряжение от 25 мая 2016 г. № 1438р "Об отказе в предоставлении муниципальной услуги по вопросу предоставления разрешения на отклонения от предельных параметров разрешенного строительства многоэтажного жилого дома со встроенно-пристроенными помещениями общественного назначения на земельных участках, расположенных в Октябрьском территориальном округе г. Архангельска в границах ул. Свободы и пр. Ломоносова"
- Распоряжение от 07 июня 2016 г. № 1601р "О предоставлении разрешения на условно разрешенный вид использования земельного участка, расположенного в Октябрьском территориальном округе г. Архангельск по пр.Ломоносова"
- Распоряжение от 03 июня 2016 г. № 1588р "Об отказе в предоставлении разрешения на отклонения от предельных параметров реконструкции здания магазина на земельном участке, расположенном в территориальном округе Майская горка г. Архангельска по ул.Калинина"
- Распоряжение от 03 июня 2016 г. № 1595р "О предоставлении разрешения на условно разрешенный вид использования земельного участка, расположенного в Ломоносовском территориальном округе г. Архангельска по пр. Московскому"
- Распоряжение от 03 июня 2016 г, № 1587р "О предоставлении разрешения на условно разрешенный вид использования земельного участка, расположенного в Ломоносовском территориальном округе г. Архангельска по пр.Московскому"
- Распоряжение от 23 мая 2016 г. № 1326р "Об отказе в предоставлении разрешения на условно разрешенный вид использования земельного участка с кадастровым номером 29:22:071901:66, расположенного в территориальном округе Варавино-Фактория г. Архангельска, СОТ "Лотос", участок № 14"
- Распоряжение от 23 мая 2016 г. № 1333р "О предоставлении разрешения на отклонение от предельных параметров разрешенного строительства индивидуального жилого дома на земельном участке, расположенном в Соломбальском территориальном округе г. Архангельска по ул. Соломбальской"
- Распоряжение от 23 мая 2016 г. № 1336р "О предоставлении разрешения на отклонение от предельных параметров разрешенного строительства индивидуального жилого дома на земельном участке, расположенном в Северном территориальном округе г. Архангельска по ул.Песочной"
- Распоряжение от 23 мая 2016 г. № 1334р "Об отказе в предоставлении разрешения на отклонение от предельных параметров разрешенного строительства индивидуального жилого дома на земельном участке, расположенном в Маймаксанский территориальном округе г. Архангельска по ул. Победы"
- Распоряжение от 23 мая 2016 г. № 1332р "О предоставлении разрешения на отклонение от предельных параметров разрешенного строительства индивидуального жилого дома на земельном участке, расположенном в Маймаксанском территориальном округе г. Архангельска по ул. Карбасной
- Распоряжение от 23 мая 2016 г. № 1323р "Об отказе в предоставлении разрешения на отклонения от предельных параметров разрешенного строительства многоэтажного жилого дома с помещениями административного назначения и подземной автостоянкой на земельном участке, расположенном в Ломоносовском территориальном округе г. Архангельска ул. Карла Либкнехта"
- Распоряжение от 23 мая 2016 г. № 1335р "О предоставлении разрешения на условно разрешенный вид использования земельного участка, расположенного в Соломбальском территориальном округе г. Архангельска по ул. Маяковского"
- Распоряжение от 23 мая 2016 г. № 1325р "О предоставлении разрешения на отклонения от предельных параметров разрешенного строительства многоэтажного жилого дома с помещениями общественного назначения на нижних этажах на земельных участках, расположенных в территориальном округе Майская горка г. Архангельска по ул. Овощной"
- Распоряжение от 23 мая 2016 г. № 1324р "Об отказе в предоставлении разрешения на условно разрешенный вид использования земельного участка, расположенного в МаймаксанскомОб отказе в предоставлении разрешения на условно разрешенный вид использования земельного участка, расположенного в Маймаксанском территориальном округе г. Архангельска по ул. Победы"
- Распоряжение от 23 мая 2016 г. № 1327р "Об отказе в предоставлении разрешения на отклонение от предельных параметров разрешенного строительства объекта капитального строительства на земельном участке, расположенном в территориальном округе Майская горка г. Архангельска по пр. Московскому"
- Распоряжение от 23 мая 2016 г. № 1328р "Об отказе в предоставлении разрешения на условно разрешенный вид использования земельного участка, расположенного в территориальном округе Варавино-Фактория г. Архангельск по ул. Белогорской"
- Распоряжение от 23 мая 2016 г. № 1130р "О предоставлении разрешения на условно разрешенный вид использования земельного участка, расположенного в Ломоносовском территориальном округе г. Архангельска по ул. Павла Усова"
- Распоряжение от 26 апреля 2016 г. № 1054р " Об отказе в предоставлении разрешения на отклонения от предельных параметров разрешенного строительства многоэтажного жилого дома на земельном участке, расположенном в Ломоносовском территориальном округе г. Архангельска по пр.Ленинградскому"
- Распоряжение от 28 апреля 2016 г. № 1083р "Об отказе в предоставлении разрешения на отклонения от предельных параметров разрешенного строительства многоэтажного жилого дома на земельном участке, расположенном в Ломоносовском территориальном округе г. Архангельска, на пересечении пр. Ломоносова и ул. Северодвинской"
- Распоряжение от 26 апреля 2016 г. № 1050р "Об отказе в предоставлении разрешения на условно разрешенный вид использования земельного участка, расположенного в Ломоносовском территориальном округе г. Архангельск по пр. Ленинградскому"
- Распоряжение от 19 апреля 2016 г. № 963р "Об отказе в предоставлении муниципальной услуги по вопросу о предоставлении разрешения на условно разрешенный вид использования земельного участка, расположенного в Ломоносовском территориальном округе г. Архангельск на пересечении пр. Троицкого и ул. Поморской"
- Распоряжение от 19 апреля 2016 г. № 962р "О предоставлении разрешения на условно разрешенный вид использования земельного участка с кадастровым номером 29:22:040301:31, расположенного в Октябрьском территориальном округе г.Архангельск"
- Распоряжение от 19 апреля 2016 г. № 960р "Об отказе в предоставлении разрешения на условно разрешенный вид использования земельного участка, расположенного в Октябрьском территориальном округе г. Архангельска по ул. Шубина"
- Распоряжение от 19 апреля 2016 г. № 959р "Об отказе в предоставлении разрешения на отклонение от предельных параметров разрешенного строительства объекта капитального строительства на земельном участке, расположенном в Октябрьском территориальном округе г.Архангельска по ул.Гагарина"
- Распоряжение от 19 апреля 2016 г. № 961р "О предоставлении разрешения на условно разрешенный вид использования земельного участка, расположенного в Ломоносовском территориальном округе г. Архангельск по пр.Чумбарова-Лучинского"
- Распоряжение от 15 апреля 2016 г. № 925р "Об отказе в предоставлении разрешений на условно разрешенный вид использования земельного участка, расположенного в территориальном округе Варавино-Фактория г. Архангельска по ул. А.П. Тарасова, и на отклонение от предельных параметров разрешенного строительства"
- Распоряжение от 15 апреля 2016 г. № 919р "О предоставлении разрешений на условно разрешенный вид использования земельного участка, расположенного в территориальном округе Майская горка г. Архангельска по ул. Дачной, и разрешения на отклонение от предельных параметров разрешенного строительства""
- Распоряжение от15 апреля 2016 г. № 918р "Об отказе в предоставлении разрешений на условно разрешенный вид использования земельного участка, расположенного в Соломбальском территориальном округе г.Архангельска по ул.Георгия Иванова, и на отклонение от предельных параметров разрешенного строительства"
- Распоряжение от 15 апреля 2016 г. № 923р "Об отказе в предоставлении разрешений на условно разрешенный вид использования земельного участка, расположенного в Соломбальском территориальном округе г.Архангельска по ул.Георгия Иванова, и на отклонение от предельных параметров разрешенного строительства"
- Распоряжение от 15 апреля 2016 г. № 922р "Об отказе в предоставлении разрешений на условно разрешенный вид использования земельного участка, расположенного в Соломбальском территориальном округе г.Архангельска по ул.Георгия Иванова, и на отклонение от предельных параметров разрешенного строительства"
- Распоряжение от 15 апреля 2016 г. № 924р "О предоставлении разрешения на условно разрешенный вид использования земельного участка, расположенного в Маймаксанском территориальном округе г. Архангельска по ул. Кольцевой"
- Распоряжение от 20 апреля 2016 г. № 983р "О предоставлении разрешения на отклонение от предельных параметров разрешенного строительства индивидуального жилого дома на земельном участке с кадастровым номером 29:22:081510:30"
- Распоряжение от 20 апреля 2016 г. № 983р "О предоставлении разрешения на отклонение от предельных параметров разрешенного строительства индивидуального жилого дома на земельном участке с кадастровым номером 29:22:081510:30""
- Распоряжение от 15 апреля 2016 г. № 926р "О предоставлении разрешений на условно разрешенный вид использования земельного участка, расположенного в Маймаксанском территориальном округе г. Архангельска по ул. Менделеева, и на отклонение от предельных параметров разрешенного строительства"
- Распоряжение от 20 апреля 2016 г. № 979р "Об отказе в предоставлении разрешений на условно разрешенный вид использования земельного участка, расположенного в Соломбальском территориальном округе г. Архангельска по ул. Георгия Иванова, и на отклонение от предельных параметров разрешенного строительства"
- Распоряжение от 20 апреля 2016 г. № 978р "О предоставлении разрешений на условно разрешенный вид использования земельного участка, расположенного в территориальном округе Варавино-Фактория г. Архангельска по ул. Воронина В.И., и на отклонение от предельных параметров разрешенного строительства"
- Распоряжение от 15 апреля 2016 г. № 921р "О предоставлении разрешения на отклонения от предельных параметров реконструкции здания магазина на земельном участке, расположенном в Ломоносовском территориальном округе г. Архангельска по ул. Вельской"
- Распоряжение от 15 апреля 2016 г. № 920р "Об отказе в предоставлении разрешения на условно разрешенный вид использования земельного участка, расположенного в Октябрьском территориальном округе г. Архангельска по пр. Дзержинского"
- Распоряжение от 06 апреля 2016 г. № 802р "О предоставлении разрешения на отклонения от предельных параметров разрешенного строительства объекта капитального строительства многоэтажного многоквартирного жилого дома со встроенными помещениями общественного назначения и подземной стоянкой на земельных участках, расположенных в Ломоносовском территориальном округе г.Архангельска по ул.Серафимовича"
- Распоряжение от 08 апреля 2016 г. № 838р "Об отказе в предоставлении разрешения на условно разрешенный вид использования земельного участка, расположенного в территориальном округе Майская горка г. Архангельска по ул. Строительной, и разрешения на отклонение от предельных параметров разрешенного строительства"
- Распоряжение от 06 апреля 2016 г. № 818р "О предоставлении разрешения на условно разрешенный вид использования земельного участка, расположенного в Ломоносовском территориальном округе г. Архангельска по ул. Поморской"
- Распоряжение от 06 апреля 2016 г. № 816р "Об отказе в предоставлении разрешения на условно разрешенный вид использования земельного участка, расположенного в Маймаксанском территориальном округе г. Архангельска по ул. Юности"
- Распоряжение от 06 апреля 2016 г. № 812р "Об отказе в предоставлении разрешений на условно разрешенный вид использования земельного участка, расположенного в Октябрьском территориальном округе г. Архангельска по пр. Советских космонавтов, и на отклонение от предельных параметров разрешенного строительства"
- Распоряжение от 06 апреля 2016 г. № 817р "Об отказе в предоставлении разрешения на условно разрешенный вид использования земельного участка, расположенного в территориальном округе Майская горка г. Архангельска по ул. Некрасова"
- Распоряжение от 06 апреля 2016 г. № 811р "Об отказе в предоставлении разрешения на условно разрешенный вид использования земельного участка, расположенного в территориальном округе Майская горка г. Архангельска по ул. Первомайской"
- Распоряжение от 06 апреля 2016 г. № 819р "Об отказе в предоставлении разрешений на условно разрешенный вид использования земельного участка, расположенного в территориальном округе Майская горка г. Архангельска по ул. Энтузиастов, и на отклонение от предельных параметров разрешенного строительства"
- Распоряжение от 05 апреля 2016 г. № 785р "О предоставлении разрешения на условно разрешенный вид использования земельного участка, расположенного в территориальном округе Майская горка г. Архангельска по ул. Первомайской, 32"
- Распоряжение от 06 апреля 2016 г. № 810р "Об отказе в предоставлении разрешения на условно разрешенный вид использования земельного участка, расположенного в Октябрьском территориальном округе г. Архангельска по пр. Дзержинского"
- Распоряжение от 06 апреля 2016 г. № 810 "Об отказе в предоставлении разрешения на условно разрешенный вид использования земельного участка, расположенного в Октябрьском территориальном округе г. Архангельска по пр. Дзержинского"
- Распоряжение от 06 апреля 2016 г. № 809р "О предоставлении разрешения на отклонения от предельных параметров разрешенного строительства здания культурно-делового центра на земельном участке, расположенном в Ломоносовском территориальном округе г.Архангельска на пересечении пр.Троицкого и ул.Поморской"
- Распоряжение от 06 апреля 2016 г. № 808р "О предоставлении разрешения на отклонение от предельных параметров разрешенного строительства объекта капитального строительства на земельном участке, расположенном в территориальном округе Майская горка г.Архангельска по ул. Лермонтова"
- Распоряжение от 06 апреля 2016 г. № 807р "Об отказе в предоставлении разрешения на отклонения от предельных параметров реконструкции здания магазина на земельном участке, расположенном в территориальном округе Майская горка г.Архангельска по ул. Калинина"
- Распоряжение от 06 апреля 2016 г. № 806р "О предоставлении разрешения на отклонение от предельных параметров разрешенного строительства администратмвного здания на земельном участке, расположенном в Ломоносовком территориальном округе г.Архангельска по ул. Красноармейской"
- Распоряжение от 06 апреля 2016 г. № 805р "Об отказе в предоставлении разрешения на отклонения от предельных параметров разрешенного строительства здания пассажирского павильона, расположенного в Ломоносовском территориальном округе г. Архангельска"
- Распоряжение от 06 апреля 2016 г. № 804р "О предоставлении разрешения на условно разрешенный вид использования земельного участка, расположенного в Соломбальском территориальном округе г. Архангельска по ул. Маймаксанской"
- Распоряжение от 06 апреля 2016 г. № 803р "Об отказе в предоставлении разрешения на условно разрешенный вид использования земельного участка, расположенного в Соломбальском территориальном округе г. Архангельска по ул. Корабельной"
- Распоряжение от 06 апреля 2016 г. № 801р "О предоставлении разрешения на условно разрешенный вид использования земельного участка, расположенного в территориальном округе Майская горка г. Архангельска по ул. Чкалова"
- Распоряжение от 18 марта 2016 г. № 589р "О предоставлении разрешения на условно разрешенный вид использования земельного участка, расположенного в Ломоносовском территориальном округе г. Архангельск по пр. Ленинградскому"
- Распоряжение от 18 марта 2016 г. № 586р "О предоставлении разрешения на условно разрешенный вид использования земельного участка, расположенного в Ломоносовском территориальном округе г. Архангельск по пр. Новгородскому"
- Распоряжение от 16 марта 2016 г. № 575р "Об отказе в предоставлении разрешения на отклонение от предельных параметров реконструкции здания магазина, расположенного в Северном территориальном округе г. Архангельска по ул. Красных маршалов "
- Распоряжение от 16 марта 2016 г. № 574р "Об отказе в предоставлении разрешения на отклонения от предельных параметров реконструкции объекта капитального строительства на земельном участке, расположенном в Соломбальском территориальном округе г. Архангельск по ул. Красных партизан"
- Распоряжение от 09 марта 2016 г. № 501р "О предоставлении разрешения на условно разрешенный вид использования земельного участка, расположенного в территориальном округе Варавино-Фактория г. Архангельска по ул. Революции"
- Распоряжение от 09 марта 2016 г. № 500 "О предоставлении разрешения на условно разрешенный вид использования земельного участка, расположенного в территориальном округе Варавино-Фактория г. Архангельска по ул. Революции, дом 1, строение 2"
- Распоряжение от 09 марта 2016 г. № 499р "О предоставлении разрешения на условно разрешенный вид использования земельного участка, расположенного в территориальном округе Варавино-Фактория г. Архангельска по ул. Революции"
- Распоряжение от 01 марта 2016 г. № 425р "Об отказе в предоставлении разрешения на условно разрешенный вид использования объекта капитального строительства, расположенного в Соломбальском территориальном округе г. Архангельска по ул. Советской, д.7, стр.4"
- Распоряжение от 12 февраля 2016 г. № 282р "О предоставлении разрешения на условно разрешенный вид использования земельного участка, расположенного в Октябрьском территориальном округе г. Архангельска по Талажскому шоссе"
- Распоряжение от 12 февраля 2016 г. № 280р "Об отказе в предоставлении муниципальной услуги по вопросу о предоставлении разрешения на отклонения от предельных парметров разрешенного строительства административного здания, расположенного в Ломоносовском территориальном округе г. Архангельска по ул. Урицкого"
- Распоряжение от 12 февраля 2016 г. № 279р "Об отказе в предоставлении разрешения на отклонение от предельных параметров разрешенного строительства административного здания на земельном участке, расположенном в Октябрьском территориальном округе г. Архангельска по ул. Вологодской"
- Распоряжение от 12 февраля 2016 г. № 281р "О предоставлении разрешения на отклонение от предельных параметров разрешенного строительства индивидуального жилого дома на земельном участке, расположенном в территориальном округе Варавино-Фактория г.Архангельска по пр.Ленинградскому"
- Распоряжение от 02 февраля 2016 г. № 162р "Об отказе в предоставлении разрешения на отклонения от предельных параметров реконструкции объекта капитального строительства индивидуального жилого дома на земельном участке, расположенном в Ломоносовском территориальном округе г.Архангельска по ул.Новоквартальной, 11"
- Распоряжение от 02 февраля 2016 г. № 160р "Об отказе в предоставлении разрешения на отклонения от предельных параметров объекта разрешенного строительства среднеэтажного жилого дома с помещениями общественного назначения на первом этаже на земельных участках, расположенных в Ломоносовском территориальном округе г. Архангельска, в границах пр.Новгородского и ул.Володарского"
- Распоряжение от 02 февраля 2016 г. № 163р "Об отказе в предоставлении разрешения на отклонения от предельных параметров реконструкции здания магазина на земельном участке, расположенном в Северном территориальном округе г. Архангельска по ул. Ильича"
- Распоряжение от 02 февраля 2016 г. № 161р "Об отказе в предоставлении разрешения на условно разрешенный вид использования земельного участка, расположенного в Ломоносовском территориальном округе г. Архангельск по ул. Павла Усова"
- Распоряжение от 02 февраля 2016 г. № 159р "Об отказе в предоставлении разрешения на отклонения от предельных параметров разрешенного строительства объекта розничной торговли на земельном участке, расположенном в территориальном округе Майская горка г. Архангельска по ул. Чкалова"
- Распоряжение от 30 декабря 2015 г. № 537р "Об отказе в предоставлении разрешения на отклонения от предельных параметров разрешенного строительства многоэтажного жилого дома с помещениями общественного назначения на нижних этажах на земельных участках, расположенных в территориальном округе Майская горка г. Архангельска по ул. Овощной"
- Распоряжение от 30 декабря 2015 г. № 536р "Об отказе в предоставлении разрешения на условно разрешенный вид использования земельного участка, расположенного в территориальном округе Варавино-Фактория г. Архангельска по ул. Кривоборской (южнее залива Шапкурья)"
- Распоряжение от 25 декабря 2015 г. № 427р "Об отказе в предоставлении разрешения на отклонение от предельных параметров разрешенного строительства индивидуального жилого дома на земельном участке, расположенном в территориальном округе Майская горка г.Архангельска по ул.Лесопильщиков"
- Распоряжение от 25 декабря 2015 г. № 425р "О предоставлении разрешения на отклонения от предельных параметров разрешенного строительства индивидуального жилого дома на земельном участке, расположенном в Соломбальском территориальном округе г.Архангельска по ул. Беломорской"
- Распоряжение от 25 декабря 2015 г. № 420р "Об отказе в предоставлении разрешения на отклонения от предельных параметров разрешенного строительства многоэтажного жилого дома на земельном участке, расположенном в Ломоносовском территориальном округе г.Архангельска по пр.Ленинградскому"
- Распоряжение от 25 декабря 2015 г. № 424р "Об отказе в предоставлении разрешения на условно разрешенный вид использования земельного участка, расположенного в Ломоносовском территориальном округе г. Архангельска по пр.Обводный канал, д. 8, корп. 6"
- Распоряжение от 25 декабря 2015 г. № 421р "Об отказе в предоставлении разрешения на отклонения от предельных параметров разрешенного строительства многоэтажного жилого дома с помещениями административно–торгового назначения на земельном участке, расположенном в территориальном округе Варавино-Фактория г. Архангельска по пр.Ленинградскому, 285"
- Распоряжение от 25 декабря 2015 г. № 423р "Об отказе в предоставлении разрешения на отклонения от предельных параметров разрешенного строительства многоэтажного жилого дома со встроенными помещениями общественного назначения и подземной автостоянкой на земельном участке, расположенном в Октябрьском территориальном округе г.Архангельска по наб.Северной Двины"
- Распоряжение от 30 декабря 2015 г. № 535р "Об отказе в предоставлении разрешения на отклонения от предельных параметров разрешенного строительства здания пассажирского павильона, расположенного в Ломоносовском территориальном округе г. Архангельска по набережной Северной Двины"
- Распоряжение от 30 декабря 2015 г. № 538р "Об отказе в предоставлении муниципальной услуги по вопросу предоставления разрешения на условно разрешенный вид использования земельного участка, расположенного в Ломоносовском территориальном округе г. Архангельска по пр. Московскому"
- Распоряжение от 24 декабря 2015 г. № 329р "Об отказе в предоставлении разрешения на условно разрешенный вид использования земельного участка, расположенного в территориальном округе Майская горка г. Архангельска по ул. Карпогорской"
- Распоряжение от 25 декабря 2015 г. № 426р "О предоставлении разрешения на отклонения от предельных параметров разрешенного строительства трансформаторной подстанции на земельном участке, расположенном в Исакогорском территориальном округе г. Архангельска по ул. Зеньковича"
- Распоряжение от 25 декабря 2015 г. № 419р "О предоставлении разрешения на отклонения от предельных параметров разрешенного строительства здания гаража и административного здания на земельном участке, расположенном в Исакогорском территориальном округе г. Архангельска по ул. Зеньковича"
- Распоряжение от 24 декабря 2015 г. № 311р "Об отказе в предоставлении разрешения на отклонения от предельных параметров разрешенного строительства объекта торговли, расположенного в Октябрьском территориальном округе г. Архангельска по ул. Воскресенской"
- Распоряжение от 24 декабря 2015 г. № 313р "О предоставлении разрешения на отклонения от предельных параметров разрешенного строительства здания магазина на земельном участке, расположенном в территориальном округе Майская горка г. Архангельска по ул. Стрелковой"
- Распоряжение от 21 декабря 2015 года № 282р "Об отказе в предоставлении разрешения на отклонение от предельных параметров разрешенного строительства административного здания на земельном участке, расположенном в Ломоносовском территориальном округе г. Архангельска по ул. Красноармейской"
- Распоряжение от 21 декабря 2015 г. № 284р "Об отказе в предоставлении разрешения на отклонения от предельных параметров реконструкции здания магазина на земельном участке, расположенном в территориальном округе Майская горка г. Архангельск по ул. Калинина"
- Распоряжение от 21 декабря 2015 г. № 279р "О предоставлении разрешения на отклонения от предельных параметров разрешенного строительства объекта капитального строительства, расположенного в Исакогорском территориальном округе г. Архангельска по ул. Дежневцев"
- Распоряжение от 21 декабря 2015 г. № 278р "Об отказе в предоставлении разрешения на отклонения от предельных параметров разрешенного строительства многоэтажного жилого дома на земельных участках, расположенных в Соломбальском территориальном округе г. Архангельска по пр.Никольскому"
- Распоряжение от 21 декабря 2015 № 283р "О предоставлении разрешения на отклонения от предельных параметров разрешенного строительства многоэтажного жилого дома на земельных участках, расположенных в Ломоносовском территориальном округе г. Архангельска по пр.Советских космонавтов"
- Распоряжение от 15 декабря 2015 г. № 212р "О предоставлении разрешения на отклонения от предельных параметров разрешенного строительства административного здания, расположенного на земельном участке в Октябрьском территориальном округе г. Архангельска по проезду Приорова"
- Распоряжение от 01 декабря 2015 г. № 3522р "Об отказе в предоставлении разрешения на отклонения от предельных параметров разрешенного строительства административного здания, расположенного в Ломоносовском территориальном округе г. Архангельска по ул. Урицкого"
- Распоряжение от 27 ноября 2015г. № 3495р "О предоставлении разрешения на условно разрешенный вид использования земельного участка, расположенного в Соломбальском территориальном округе г. Архангельска по ул. Маймаксанской"
- Распоряжение от 27 ноября 2015 г. № 3494р "Об отказе в предоставлении разрешения на отклонения от предельных параметров разрешенного строительства многоэтажного жилого дома на земельном участке, расположенном в Ломоносовском территориальном округе г. Архангельска на пересечении пр.Ломоносова и ул.Северодвинской"
- Распоряжение от 27 ноября 2015 г. № 3493р "О предоставлении разрешения на отклонение от предельных параметров разрешенного строительства индивидуального жилого дома на земельном участке, расположенном в Маймаксанском территориальном округе г.Архангельска по ул. Сибирской"
- Распоряжение от 23 ноября 2015 г. № 3438р "О предоставлении разрешения на условно разрешенный вид использования земельного участка, расположенного в Октябрьском территориальном округе г.Архангельска по ул.Карла Маркса"
- Распоряжение от 23 ноября 2015 г. № 3432р "О предоставлении разрешения на отклонение от предельных параметров разрешенного строительства индивидуального жилого дома на земельном участке с кадастровым номером 29:22:020801:42, расположенном в Соломбальском территориальном округе г. Архангельска, КИЗ "Лето"
- Распоряжение от 23 ноября 2015 г. № 3430р "О предоставлении разрешения на условно разрешенный вид использования земельного участка, расположенного в Октябрьском территориальном округе г. Архангельска, на пересечении пр. Обводный канал и проезда Сибиряковцев"
- Распоряжение от 23 ноября 2015 г. № 3445р "Об отказе в предоставлении разрешения на условно разрешенный вид использования земельных участков, расположенных в Ломоносовском территориальном округе г. Архангшельска по пр. Ленинградскому"
- Распоряжение от 23 ноября 2015 г. № 3439р "О предоставлении разрешения на отклонения от предельных параметров разрешенного строительства административного здания, расположенного на земельных участках в Соломбальском территориальном округе г. Архангельска по ул. Беломорской флотилии"
- Распоряжение от 23 ноября 2015 г. № 3431р "О предоставлении разрешения на условно разрешенный вид использования земельного участка, расположенного в Октябрьском территориальном округе г. Архангельска, на пересечении пр. Новгородского и ул. Свободы"
- Распоряжение от 09 ноября 2015 г. № 3299р "О предоставлении разрешения на условно разрешенный вид использования земельных участков, расположенных в Соломбальском территориальном округе г. Архангельска по ул.Краснофлотской"
- Распоряжение от 09 ноября 2015 г. № 3306р "О предоставлении разрешения на отклонения от предельных параметров разрешенного строительства среднеэтажного жилого дома на земельных участках, расположенных в Соломбальском территориальном округе г.Архангельска по ул.Краснофлотской"
- Распоряжение от 03 ноября 2015 г. № 3255р "О предоставлении разрешения на отклонения от предельных параметров разрешенного строительства объекта капитального строительства на земельном участке, расположенном в Ломоносовском территориальном округе г. Архангельска по ул. Серафимовича"
- Распоряжение от 03 ноября 2015 г. № 3254р "О предоставлении разрешения на отклонение от предельных параметров разрешенного строительства гаражей на земельном участке, расположенном в территориаьном округе Майская горка г. Архангельска по ул. Ленина"
- Распоряжение от 03 ноября 2015 г. № 3252р "Об отказе в предоставлении разрешения на отклонения от предельных параметров разрешенного строительства здания фондохранилища, расположенного в Ломоносовском территориальном округе г. Архангельска по пр. Троицкому, между ул. Поморской и Театральным переулком"
- Распоряжение от 03 ноября 2015 г. № 3259р "Об отказе в предоставлении разрешения на условно разрешенный вид использования земельного участка, расположенного в Ломоносовском территориальном округе г. Архангельска по ул. Павла Усова"
- Распоряжение от 26 октября 2015 г. № 3197р " Об отказе в предоставлении разрешения на отклонения от предельных параметров разрешенного строительства многоэтажного жилого дома на земельном участке, расположенном в Ломоносовском территориальном округе г.Архангельска по пр.Ленинградскому"
- Распоряжение от 15 октября 2015 г. № 3071р "Об отказе в предоставлении разрешения на условно разрешенный вид использования земельного участка и объекта капитального строительства, расположенных в территориальном округе Майская горка г. Архангельска по пр. Ленинградскому"
- Распоряжение от 12 октября 2015 г. № 3022р "Об отказе в предоставлении разрешения на отклонение от предельных параметров разрешенного строительства здания гаражей на земельном участке, расположенном в Северном территориальном округе г. Архангельска по ул. Кировской"
- Распоряжение от 07 октября 2015 г. № 2990р "О предоставлении разрешения на отклонения от предельных параметров разрешенного строительства объекта капитального строительства на земельном участке, расположенном в Октябрьском территориальном округе г. Архангельска по ул. Нагорной"
- Распоряжение от 06 октября 2015 г. № 2982р "О предоставлении разрешения на отклонения от предельных параметров разрешенного строительства торгово-административного здания на земельном участке, расположенном в Северном территориальном округе г. Архангельска, на пересечении ул. Красных маршалов и ул. Партизанской"
- Распоряжение от 06 октября 2015 г. № 2981р "О предоставлении разрешения на условно разрешенный вид использования земельных участков, расположенных в Октябрьском территориальном округе г. Архангельска по ул. Гагарина"
- Распоряжение от 06 октября 2015 г. № 2980р "О предоставлении разрешения на отклонения от предельных параметров разрешенного строительства объекта розничной торговли (здания магазина) на земельном участке, расположенном в территориальном округе Майская горка г. Архангельска по пр. Московскому"
- Распоряжение от 06 октября 2015 г. № 2969р "Об отказе в предоставлении разрешения на отклонение от предельных параметров разрешенного строительства объекта капитального строительства на земельном участке, расположенном в Ломоносовском территориальном округе г. Архангельска по ул. Серафимовича"
- Распоряжение от 06 октября 2015 г. № 2983р "О предоставлении разрешения на условно разрешенный вид использования земельного участка с кадастровым номером 29:22:070801:20, расположенного в территориальном округе Варавино-Фактория г. Архангельска (СОТ "Малинка", участок № 159а)"
- Распоряжение от 05 октября 2015 г. № 2947р "О внесении изменений в распоряжение мэра города от 24.07.2015 № 2202р"
- Распоряжение от 01 октября 2015 г. № 2933р "Об отказе в предоставлении разрешения на отклонения от предельных параметров разрешенного строительства многоэтажного жилого дома на земельных участках, расположенных в Ломоносовском территориальном округе г. Архангельска по пр.Советских космонавтов"
- Распоряжение от 01 октября 2015 г. № 2934р "О предоставлении разрешения на отклонение от предельных параметров разрешенного строительства индивидуального жилого дома на земельном участке, расположенном в Маймаксанском территориальном округе г.Архангельска по ул.Боровой"
- Распоряжение от 01 октября 2015 г. № 2935р "Об отказе в предоставлении разрешения на отклонения от предельных параметров разрешенного строительства многоэтажного жилого дома на земельных участках, расположенных в территориальном округе Майская горка г. Архангельска по ул. Дачной"
- Распоряжение от 05 октября 2015 г. № 2952р "О предоставлении разрешения на отклонения от предельных параметров разрешенного строительства здания гаражных боксов на земельном участке, расположенном в Северном территориальном округе г. Архангельска по ул. Мичурина"
- Распоряжение от 05 октября 2015 г. № 2951р "О предоставлении разрешения на отклонения от предельных параметров разрешенного строительства предприятия общественного питания (кафе) на земельном участке, расположенном в территориальном округе Майская горка г. Архангельска по пр. Ленинградскому"
- Распоряжение от 01 октября 2015 г. №2936р "Об отказе в предоставлении разрешения на отклонение от предельнх параметров разрешенного строительства административного и производственного здания на земельном участке, расположенном в территориальном округе Варавино-Фактория г.Архангельска по ул. Дачной"
- Распоряжение от 01 октября 2015 г. № 2937р "Об отказе в предоставлении разрешения на отклонения от предельных параметров реконструкции объекта капитального строительствана земельном участке, расположенном в территориальном округе Майская горка г.Архангельска по ул. Красной Звезды, 3, строение 2"
- Распоряжение от 07 сентября 2015 г. № 2699р "О предоставлении разрешения на отклонение от предельных параметров разрешенного строительства среднеэтажного жилого дома на земельном участке, расположенном в Соломбальском территориальном округе г. Архангельска по Банному переулку 1-му"
- Распоряжение от 02 сентября 2015 г. № 2660р "Об отказе в предоставлении разрешения на отклонения от предельных параметров объекта разрешенного строительства среднеэтажного жилого дома с помещениями общественного назначения на первом этаже на земельных участках, расположенных в Ломоносовском территориальном округе г. Архангельска, в границах пр. Новгородского и ул. Володарского"
- Распоряжение от 02 сентября 2015 г. № 2657р "О предоставлении разрешения на отклонение от предельных параметров разрешенного строительства здания общественного назначения на земельном участке, расположенном в Ломоносовском территориальном округе г. Архангельска по ул. Тимме"
- Распоряжение от 02 сентября 2015 г. № 2656р "О предоставлении разрешения на отклонение от предельных параметров разрешенного строительства объекта общественного питания со встроенными помещениями административного назначения на земельном участке, расположенном в Ломоносовском территориальном округе г. Архангельска по ул. Парижской коммуны".
- Распоряжение от 02 сентября 2015 г. № 2658р "Об отказе в предоставлении разрешения на отклонения от предельных параметров реконструкции здания магазина на земельном участке, расположенном в Северном территориальном округе г. Арханггельска по ул. Ильича"
- Распоряжение от 02 сентября 2015 г. № 2659р "Об отказе в предоставлении разрешения на отклонение от предельных параметров реконструкции здания, расположенного в Соломбальском территориальном округе г. Архангельска по пр. Никольскому"
- Распоряжение от 28 августа 2015 г. № 2612р "Об отказе в предоставлении разрешения на отклонение от предельных параметров разрешенного строительства здания общественного назначения на земельном участке, расположенном в Ломоносовском территориальном округе г. Архангельска по ул.Рабочей"
- Распоряжение от 28 августа 2015 г. № 2608р "О предоставлении разрешения на отклонения от предельных параметров разрешенного строительства объекта розничной торговли со встроенными помещениями бытового обслуживания на земельном участке, расположенном в территориальном округе Варавино-Фактория г. Архангельска по ул. Октябрьской"
- Распоряжение от 28 августа 2015 г. № 2605р "О предоставлении разрешения на отклонение от предельных параметров разрешенного строительства административного здания со встроенными помещениями торгового назначения на земельном участке, расположенном в Октябрьском территориальном округе г. Архангельска по ул.Гагарина"
- Распоряжение от 28 августа 2015 г. № 2607р "О предоставлении разрешения на отклонения от предельных параметров разрешенного строительства многоэтажного жилого дома на земельном участке, расположенном в территориальном округе Майская горка г.Архангельска по ул.Дачной"
- Распоряжение от 28 августа 2015 г. № 2606р "О предоставлении разрешения на отклонение от предельных параметров разрешенного строительства индивидуального жилого дома на земельном участке с кадастровым номером 29:22:020435:65, расположенном в Соломбальском территориальном округе г. Архангельска"
- Распоряжение от 21 августа 2015 г. № 2537р "Об отказе в предоставлении разрешения на отклонения от предельных параметров разрешенного строительства здания торгового комплекса на земельном участке, расположенном в территориальном округе Майская горка г. Архангельск по ул. Чкалова"
- Распоряжение мэра города от 21 августа 2015 г. № 2536р "О предоставлении разрешения на отклонения от предельных параметров реконструкции здания общественного назначения (комплексного обслуживания) на земельных участках, расположенных в Октябрьском территориальном округе г. Архангельск, пл. 60-летия Октября, 3"
- Распоряжение от 20 августа 2015 г. № 2519р "Об отказе в предоставлении разрешения на отклонения от предельных параметров разрешенного строительства здания фондохранилища, расположенного в Ломоносовском территориальном округе г. Архангельска по пр. Троицкому, между ул. Поморская и Театральным переулком"
- Распоряжение от 20 августа 2015г. № 2518р "Об отказе в предоставлении разрешения на отклонения от предельных параметров разрешенного строительства здания магазина с помещениями кафе на земельном участке, расположенном в Исакогорском территориальном округе г. Архангельска по Лахтинскому шоссе"
- Распоряжение от 18 августа 2015 г. № 2479р " Об отказе в предоставлении разрешения на условно разрешенный вид использования земельного участка, расположенного в Соломбальском территориальном округе г. Архангельска по наб. Георгия Седова"
- Распоряжение от 18 августа 2015 г. № 2485р "О внесении изменений в распоряжение мэра города от 30.06.2015 № 2013р"
- Распоряжение от 18 августа 2015 г. № 2483р " О предоставлении разрешения на отклонения от предельных параметров разрешенного строительства многоквартирного жилого дома с помещениями общественного назначения на земельном участке, расположенном в территориальном округе Майская горка г. Архангельска по ул. Овощной"
- Распоряжение от 18 августа 2015 г. № 2481р "О предоставлении разрешения на отклонения от предельных параметров реконструкции объекта капитального строительства на земельном участке, расположенном в Ломоносовском территориальном округе г. Архангельска по пр. Новгородскому, 96"
- Распоряжение от 18 августа 2015 г. № 2482р "О предоставлении разрешения на отклонения от предельных параметров разрешенного строительства многоэтажного жилого дома на земельном участке, расположенном в Октябрьском территориальном округе г. Архангельска по ул. Садовой – пр. Обводный канал"
- Распоряжение от 18 августа 2015 г. № 2484р "О предоставлении разрешения на отклонения от предельных параметров разрешенного строительства многоэтажного жилого дома на земельном участке, расположенном в Октябрьском территориальном округе г. Архангельска по ул. Садовой – пр. Обводный канал"
- Распоряжение от 03 августа 2015 г. № 2309р "О предоставлении разрешения на условно разрешенный вид использования земельного участка, расположенного в Северном территориальном округе г. Архангельска на берегу реки Кузнечиха"
- Распоряжение от 03 августа 2015 г. № 2308р "О предоставлении разрешения на отклонения от предельных параметров разрешенного строительства индивидуального жилого дома на земельном участке, расположенном в территориальном округе Варавино-Фактория г. Архангельска по ул. Воронина, 22, корп. 1"
- Распоряжение от 03 августа 2015 г. № 2307р " О предоставлении разрешения на отклонения от предельных параметров разрешенного строительства многоэтажного многоквартирного жилого дома на земельном участке, расположенном в территориальном округе Майская горка г. Архангельска по ул. Карпогорской"
- Распоряжение от 03 августа 2015 г. № 2306р "О предоставлении разрешения на отклонения от предельных параметров разрешенного строительства административного здания с помещениями торговли и общественного питания, расположенного на земельном участке в Октябрьском территориальном округе г. Архангельска, на пересечении ул. Воскресенской и пр. Новгородский"
- Распоряжение 03 августа 2015 г. № 2305р "О предоставлении разрешения на отклонения от предельных параметров разрешенного строительства храма на земельном участке, расположенном в Соломбальском территориальном округе г. Архангельска, на пересечении ул. Адмиралтейской и пр. Никольского"
- Распоряжение от 03 августа 2015 г. № 2304р "О предоставлении разрешения на отклонение от предельных параметров разрешенного строительства объекта здравоохранения, физической культуры и спорта на земельном участке, расположенном в Ломоносовском территориальном округе г. Архангельска по пр. Ломоносова"
- Распоряжение от 03 августа 2015 г. № 2303р "О предоставлении разрешения на отклонения от предельных параметров разрешенного строительства здания административного назначения на земельном участке, расположенном в Соломбальском территориальном округе г. Архангельска по пр. Никольскому"
- Распоряжение от 03 августа 2015 г. № 2301р "Об отказе в предоставлении разрешения на отклонение от предельных параметров разрешенного строительства малоэтажного жилого дома с помещениями общественного назначения на первом этаже на земельном участке, расположенном в Ломоносовском территориальном округе г. Архангельска по ул. Поморской"
- Распоряжение от 29 июля 2015 г. № 2267р "О предоставлении разрешения на отклонения от предельных параметров разрешенного строительства многоэтажного жилого дома на земельном учакстке, расположенном в Соломбальском территориальном округе г. Архангелска по пр. Никольскому"
- Распоряжение от 24 июля 2015 г. № 2204р "О предоставлении разрешения на условно разрешенный вид использования земельного участка, расположенного в территориальном округе Варавино-Фактория г. Архангельска по пр. Ленинградскому"
- Распоряжение от 24 июля 2015 г. № 2205р "О предоставлении разрешения на условно разрешенный вид использования земельного участка, расположенного в территориальном округе Варавино-Фактория г. Архангельска по пр. Ленинградскому"
- Распоряжение от 24 июля 2015 г. № 2207р "Об отказе в предоставлении разрешения на условно разрешенный вид использования земельного участка, расположенного в территориальном округе Майская горка г. Архангельска по ул. Карпогорской"
- Распоряжение от 24 июля 2015 г. № 2206р "О предоставлении разрешения на отклонения от предельных параметров разрешенного строительства объекта общественного питания со встроенными помещениями административного назначения на земельном участке, расположенном в Ломоносовском территориальном округе г. Архангельска по ул. Парижской коммуны"
- Распоряжение от 24 июля 2015 г. № 2202р "О предоставлении разрешения на отклонения от предельных параметров разрешенного строительства многоэтажного многоквартирного жилого дома на земельном участке, расположенном в территориальном округе Майская горка г. Архангельска по ул. Рабочей, 19"
- Распоряжение от 21 июля 2015 г. № 2155р "Об отказе в предоставлении разрешения на условно разрешенный вид использования земельного участка, расположенного в Октябрьском территориальном округе г. Архангельска по ул. Карла Маркса"
- Распоряжение от 17 июля 2015 г. № 2149р "О предоставлении разрешения на отклонения от предельных параметров разрешенного строительства здания пристройки (сценическо-зрительного комплекса) к основному зданию театра кукол и реконструкции здания театра, расположенных на земельных участках в Ломоносовском территориальном округе г. Архангельска по пр. Троицкому"
- Распоряжение от 17 июля 2015 г. № 2142р "Об отказе в предоставлении разрешения на отклонения от предельных параметров реконструкции объекта капитального строительства одноэтажного жилого дома на земельном участке, расположенном в Ломоносовском территориальном округе г. Архангельска по ул. Красноармейской, д. 12, корп.1"
- Распоряжение от 17 июля 2015 г. № 2151р "О предоставлении разрешения на отклонение от предельных параметров разрешенного строительства индивидуального жилого дома на земельном участке с кадастровым номером 29:16:201001:184, расположенном в Цигломенском территориальном округе г. Архангельска"
- Распоряжение от 17 июля 2015 г. № 2150р "Об отказе в предоставлении разрешения на отклонения от предельных параметров разрешенного строительства среднеэтажного жилого дома с помещениями общественного назначения на первом этаже на земельных участках, расположенных в Ломоносовском территориальном округе г. Архангельска, в границах пр. Новгородского и ул. Володарского"
- Распоряжение от 17 июля 2015 г. № 2146р "О предоставлении разрешения на условно разрешенный вид использования земельного участка, расположенного в Соломбальском территориальном округе г. Архангельска по ул. Красных партизан"
- Распоряжение от 17 июля 2015 г. № 2143р "Об отказе в предоставлении разрешения на отклонения от предельных параметров разрешенного строительства многоэтажного жилого дома на земельном участке, расположенном в территориальном округе Майская горка г. Архангельска по ул. Дачной"
- Распоряжение от 07 июля 2015 № 2071р "О предоставлении разрешения на условно разрешенный вид использования земельных участков с кадастровыми номерами 29:16:200801:77, 29:16:200801:78, 29:16:200801:79, 29:16:200801:80, 29:16:200801:81, 29:16:200801:82, 29:16:200801:83, 29:16:200801:84, 29:16:200801:85, 29:16:200801:86, 29:16:200801:87, 29:16:200801:219"
- Распоряжение от 30 июня 2015 г. № 2011р "О предоставлении разрешения на условно разрешенный вид использования земельного участка и объекта капитального строительства, расположенных в Октябрьском территориальном округе г. Архангельска по ул. Вологодской"
- Распоряжение от 30 июня 2015 г. № 2015р "Об отказе в предоставлении разрешения на отклонение от предельных параметров разрешенного строительства здания общественного назначения на земельном участке, расположенном в Ломоносовском территориальном округе г. Архангельска по ул. Тимме"
- Распоряжение от 30 июня 2015 г. № 2016р " Об отказе в предоставлении разрешения на отклонения от предельных параметров разрешенного строительства многоквартирного жилого дома с помещениями общественного назначения на земельном участке, расположенном в территориальном округе Майская горка г. Архангельска по ул. Овощной"
- Распоряжение от 30 июня 2015 г. № 2014р "Об отказе в предоставлении разрешения на отклонение от предельных параметров реконструкции объекта капитального строительства на земельном участке, расположенном в Ломоносовском территориальном округе г. Архангельска по пр. Новгородскому, 96"
- Распоряжение от 30 июня 2015 г. № 2013р "О предоставлении разрешения на отклонения от предельных параметров разрешенного строительства малоэтажного многоквартирного жилого дома на земельных участках, расположенных в территориальном округе Варавино-Фактория г. Архангельска по 1-му Ленинградскому переулку"
- Распоряжение от 30 июня 2015 г. № 2012 "О предоставлении разрешения на отклонение от предельных параметров разрешенного строительства индивидуального жилого дома на земельном участке с кадастровым номером 29:22:030401:18, расположенном в Северном территориальном округе г. Архангельска"
- Распоряжение от 29 июня 2015 г. № 2005р "Об отказе в предоставлении разрешения на отклонения от предельных параметров разрешенного строительства здания магазина на земельном участке, расположенном в территориальном округе Майская горка г. Архангельска по ул. Стрелковой"
- Распоряжение от 29 июня 2015 г. № 2004р "Об отказе в предоставлении разрешения на отклонения от предельных параметров разрешенного строительства здания общественного назначения на земельном участке, расположенном в территориальном округе Майская горка г. Архангельска по ул. Ленина"
- Распоряжение от 29 июня 2015 г. № 2003р "Об отказе в предоставлении разрешения на отклонения от предельных параметров разрешенного строительства храма на земельном участке, расположенном в Соломбальском территориальном округе г. Архангельска на пересечении ул. Адмиралтейской и пр. Никольского"
- Распоряжение от 29 июня 2015 г. № 2002р "Об отказе в предоставлении разрешения на условно разрешенный вид использования земельного участка, расположенного в Октябрьском территориальном округе г. Архангельска по ул. Шубина, 8"
- Распоряжение от 29 июня 2015 г. № 2001р "О предоставлении разрешения на условно разрешенный вид использования земельного участка, расположенного в Ломоносовском территориальном округе г. Архангельска по пр.Ленинградскому"
- Распоряжение от 29 июня 2015г. № 2000р "Об отказе в предоставлении разрешения на условно разрешенный вид использования земельного участка, расположенного в Ломоносовском территориальном округе г. Архангельска по ул. Шабалина, 18"
- Распоряжение от 29 июня 2015 г. № 1999р "О предоставлении разрешения на отклонения от предельных параметров разрешенного строительства объекта розничной торговли на земельном участке, расположенном в территориальном округе Майская горка по ул. Карпогорской"
- Распоряжение от 30 июня 2015 г. № 2010р "О предоставлении разрешения на отклонения от предельных параметров объекта разрешенного строительства среднеэтажного жилого дома со встроенными помещениями общественного назначения на земельном участке, расположенном в Ломоносовском территориальном округе г. Архангельска на пересечении пр. Советских космонавтов и ул. Володарского"
- Распоряжение от 18 июля 2015 г. № 1873р "О предоставлении разрешения на отклонения от предельных параметров разрешенного строительства малоэтажного жилого дома на земельном участке, расположенном в Ломоносовском территориальном округе г. Архангельска по ул. Розы Люксембург"
- Распоряжение от 17 июня 2015 г. № 1852р "Об отказе в предоставлении разрешения на отклонение от предельных параметров разрешенного строительства объекта капитального строительства на земельном участке, расположенном в Ломоносовском территориальном округе г. Архангельска по ул. Павла Усова"
- Распоряжение от 17 июня 2015 г. № 1854р "Об отказе в предоставлении разрешения на отклонения от предельных параметров объекта разрешенного строительства многоэтажного жилого дома со встроенно-пристроенными помещениями общественного назначения, расположенного на земельных участках в Октябрьском территориальном округе г. Архангельска, на пересечении ул. Карла Маркса и пр. Новгородского"
- Распоряжение от 17 июня 2015 г. № 1850р "Об отказе в предоставлении разрешения на отклонения от предельных параметров разрешенного строительства здания магазина с помещениями кафе на земельном участке, расположенном в Исакогорском территориальном округе г. Архангельска по Лахтинскому шоссе"
- Распоряжение от 17 июня 2015 г. № 1849р "Об отказе в предоставлении разрешения на условно разрешенный вид использования земельного участка с кадастровым номером 29:22:060406:2202, расположенного в территориальном округе Майская горка г. Архангельска по ул. Российской"
- Распоряжение от 17 июня 2015 г. № 1848р "Об отказе в предоставлении разрешения на отклонения от предельных параметров разрешенного строительства объекта капитального строительства на земельном участке, расположенном в Октябрьском территориальном округе г. Архангельска по ул. Нагорной"
- Распоряжение от 17 июня 2015 г. № 1847р "Об отказе в предоставлении разрешения на условно разрешенный вид использования земельного участка, расположенного в Октябрьском территориальном округе г. Архангельска по Первому проезду (Кузнечихинский промузел)"
- Распоряжение от 17 июня 2015 г. № 1846р "О предоставлении разрешения на отклонения от предельных параметров разрешенного строительства объекта розничной торговли на земельном участке, расположенном в Ломоносовском территориальном округе г. Архангельска по ул. Тимме"
- Распоряжение от 17 июня 2015 г. № 1845р "О предоставлении разрешения на отклонение от предельных параметров реконструкции здания магазина, расположенного в Северном территориальном округе г. Архангельска по ул. Красных маршалов"
- Распоряжение от 02 июня 2015 г. № 1685р "О предоставлении разрешения на отклонение от предельных параметров разрешенного строительства индивидуального жилого дома на земельном участке с кадастровым номером 29:22:020901:27, расположенном в Соломбальском территориальном округе г. Архангельска, КИЗ "Лето"
- Распоряжение от 02 июня 2015г. № 1689р "О предоставлении разрешения на условно разрешенный вид использования земельного участка, расположенного в территориальном округе Майская горка г. Архангельска по ул. Донской"
- Распоряжение от 02 июня 2015 г. № 1690р "Об отказе в предоставлении разрешения на отклонения от предельных параметров реконструкции жилого дома на земельном участке, расположенном в Соломбальском территориальном округе г. Архангельска по ул. Кучина, 18"
- Распоряжение от 21 мая 2015 г. № 1582р "О предоставлении разрешения на отклонение от предельных параметров разрешенного строительства индивидуального жилого дома на земельном участке с кадастровым 29:22:022205:1, расположенном в Соломбальском территориальном округе г. Архангельска"
- Распоряжение от 21 мая 2015 г. № 1584р "О предоставлении разрешения на отклонения от предельных параметров разрешенного строительства среднеэтажного многоквартирного жилого дома на земельном участке, расположенном в территориальном округе Варавино-Фактория г. Архангельска по ул. Силикатчиков"
- Распоряжение от 21 мая 2015 г. № 1581р "Об отказе в предоставлении разрешения на отклонение от предельных параметров разрешенного строительства среднеэтажного жилого дома на земельном участке, расположенном в Соломбальском территориальном округе г. Архангельска по Банному переулку 1-му"
- Распоряжение от 27 мая 2015 г. № 1631р "Об отказе в предоставлении муниципальной услуги по вопросу предоставления разрешения на отклонения от предельных параметров разрешенного строительства объекта бытового обслуживания на земельном участке, расположенном в Соломбальском территориальном округе г. Архангельска по набережной Георгия Седова"
- Распоряжение от 21 мая 2015 г. № 1585р "Об отказе в предоставлении разрешения на условно разрешенный вид использования земельного участка, расположенного в Октябрьском территориальном округе г. Архангельска по ул. Садовой"
- Распоряжение от 21 мая 2015 г. № 1587р "Об отказе в предоставлении разрешения на отклонения от предельных параметров разрешенного строительства административного здания с помещениями торговли и общественного питания, расположенного на земельном участке в Октябрьском территориальном округе г. Архангельска, на пересечении ул. оскресенской и пр. Новгородского"
- Распоряжение от 21 мая 2015 г. № 1583р "Об отказе в предоставлении разрешения на отклонение от предельных параметров разрешенного строительства объекта на земельных участках, расположенных в Соломбальском территориальном округе г. Архангельска по ул. Краснофлотской и наб. Г. Седова"
- Распоряжение от 21 мая 2015 г. № 1586р "Об отказе в предоставлении разрешения на отклонение от предельных параметров разрешенного строительства здания на земельном участке, расположенном в Ломоносовском территориальном округе г. Архангельска по ул. Павла Усова"
- Распоряжение от 21 мая 2015 г. № 1580р "Об отказе в предоставлении разрешения на отклонения от предельных параметров разрешенного строительства здания пристройки (сценическо-зрительного комплекса) к основному зданию театра кукол и реконструкции здания театра, расположенных на земельных участках в Ломоносовском территориальном округе г. Архангельска"
- Распоряжение от 15 мая 2015 г. № 1530р "Об отказе в предоставлении разрешения на отклонения от предельных параметров объекта разрешенного строительства многоэтажного жилого дома со встроенно-пристроенными помещениями общественного назначения на земельных участках, расположенных в Октябрьском территориальном округе г. Архангельска, на пересечении ул. Воскресенской и пр. Ломоносова"
- Распоряжение от 08 мая 2015 г. № 1426р "Об отказе в предоставлении разрешения на отклонения от предельных параметров разрешенногго строительства здания общественного назначения на земельном участке, расположенном в Ломоносовском территориальном округе г. Архангельска по ул. Рабочей"
- Распоряжение от 08 мая 2015 г. № 1419р "Об отказе в предоставлении разрешения на отклонение от предельных параметров разрешенного строительства объекта здравоохранения, физической культуры и спорта на земельном участке, расположенном в Ломоносовском территориальном округе г. Архангельска по пр. Ломоносова"
- Распоряжение от 08 мая 2015 г. № 1418р "Об отказе в предоставлении разрешения на отклонения от предельных параметров разрешенного строительства здания торгового комплекса на земельном участке, расположенном в территориальном округе Майская горка г. Архангельска по ул. Чкалова"
- Распоряжение от 08 мая 2015 г. № 1417р "О предоставлении разрешения на отклонения от предельных параметров разрешенного строительства объекта розничной торговли на земельном участке, расположенном в территориальном округе Майская горка г. Архангельска по ул. Дружбы"
- Распоряжение от 29 апреля 2015 г. № 1300р "Об отказе в предоставлении разрешения на отклонения от предельных параметров разрешенного строительства многоэтажного жилого дома со встроенно-пристроенными помещениями общественного назначения на земельных участках, расположенных в Октябрьском территориальном округе г. Архангельска в границах ул. Свободы и пр. Ломоносова"
- Распоряжение от 29 апреля 2015 г. № 1301р "О предоставлении разрешения на отклоненияот предельных параметров разрешенного строительства индивидуального жилого дома на земельном участке с кадастровым номером 29:16:201001:209, расположенном в Цигломенском территориальном округе г. Архангельска"
- Распоряжение от 29 апреля 2015 г. № 1299р "Об отказе в предоставлении разрешения на условно разрешенный вид использования земельного участка, расположенного в Ломоносовском территориальном округе г. Архангельска по ул. Павла Усова"
- Распоряжение от 10 апреля 2015 г. № 1122р "О предоставлении разрешения на условно разрешенный вил использования земельного участка, расположенного в территориальном округе Майская горка г. Архангельска по ул. Карпогорской"
- Распоряжение от 10 апреля 2015 г. № 1125р "Об отказе в предоставлении разрешения на отклонение от предельных параметров разрешенного строительства здания магазина на земельном участке, расположенном в территориальном округе Майская горка г. Архангельска по ул. Калинина"
- Распоряжение от 10 апреля 2015 г. № 1105р "Об отказе в предоставлении разрешения на условно разрешенный вид использования земельного участка, расположенного в территориальном округе Майская горка г. Архангельска по ул. Кооперативной"
- Распоряжение от 10 апреля 2015 г. № 1120р "Об отказе в предоставлении разрешения на отклонения от предельных параметров разрешенного строительства здания общественного назначения на земельном участке, расположенном в Ломоносовском территориальном округе г. Архангельска по ул. Тимме"
- Распоряжение от 10 апреля 2015 г. № 1117р "Об отказе в предоставлении разрешения на отклонение от предельных параметров реконструкции малоэтажного жилого дома на земельном участке, расположенном в Соломбальском территориальном округе г. Архангельска по ул. Ярославской"
- Распоряжение от 10 апреля 2015 г. № 1118р "О предоставлении разрешения на условно разрешенный вид использования земельного участка с кадастровым номером 29:22:041020:39, расположенного в Октябрьском территориальном округе г. Архангельска по ул. Береговой, 25, корп. 1"
- Распоряжение от 19 марта 2015 г. № 795р "Об отмене распоряжения мэра города Архангельска от 11.12.2014 № 446р "О предоставлении разрешения на отклонения от предельных параметров объекта разрешенного строительства многоэтажного жилого дома со встроенно-пристроенными помещениями общественного назначения, расположенного на земельных участка в Октябрьском территориальном округе г. Архангельска, на пересечении ул. Карла Маркса и пр. Новгородского"
- Распоряжение от 31 марта 2015 г. № 925р "Об отказе в предоставлении разрешения на отклонения от предельных параметров разрешенного строительства объекта капитального строительства на земельном участке, расположенном в Октябрьском территориальном округе г. Архангельска по ул. Нагорной"
- Распоряжение от 31 марта 2015 г. № 924р "О предоставлении разрешения на условно разрешенный вид использования земельного участка, расположенного в территориальном округе Майская горка г. Архангельска по ул. Ленина"
- Распоряжение от 25 марта 2015 г. № 875р "О предоставлении разрешения на отклонения от предельных параметров объекта капитального строительства многоэтажного жилого дома на земельном участке, расположенном в Ломоносовском территориальном округе г. Архангельска по пр. Чумбарова-Лучинского, 15, корп. 1"
- Распоряжение от 26 марта 2015 г. № 881р ""Об отказе в предоставлении разрешения на отклонения от предельных параметров разрешенного строительства объекта розничной торговли на земельном участке, расположенном в Ломоносовском территориальном округе г. Архангельска по ул. Тимме"
- Распоряжение от 26 марта 2015 г. № 878р "О предоставлении разрешения на отклонения отпредельных параметров разрешенного строительства здания кафе с магазином-кулинарией на земельном участке в Соломбальском территориальном округе г. Архангельска по пр. Никольскому"
- Распоряжение от 26 марта 2015 г. № 884р "Об отказе в предоставлении разрешения на условно разрешенный вид использования земельного участка, расположенного в Октябрьском территориальном округе г. Архангельска по пр. Троицкому"
- Распоряжение от 26 марта 2015 г. № 883р "Об отказе в предоставлении разрешения на условно разрешенный вид использования земельного участка, расположенного в Исакогорском территориальном округе г. Архангельска по ул. Пирсовой"
- Распоряжение от 26 марта 2015 г. № 882р "Об отказе в предоставлении разрешения на отклонение от предельных параметров разрешенного строительства объекта капитального строительства на земельном участке, расположенном в Ломоносовском территориальном округе г. Архангельска по ул. Павла Усова"
- Распоряжение от 26 марта 2015 г. № 880р "О предоставлении разрешения на отклонения от предельных параметров разрешенного строительства объекта капитального строительства на земельном участке, расположенном в территориальном округе Майская горка г. Архангельска по ул. Галушина"
- Распоряжение от 26 марта 2015 г. № 879р "О предоставлении разрешения на отклонения от предельных параметров разрешенного строительства административного здания на земельном участке, расположенном в Ломоносовском территориальном округе г. Архангельска по пр. Ломоносова"
- Располряжение от 12 марта 2015 года № 714р "Об отказе в предоставлении разрешения на отклонение от предельных параметров разрешенного строительства здания магазина розничной торговли на земельном участке, расположенном в Ломоносовском территориальном округе г. Архангельска, на пересечении пр. Московского и ул. Смольный Буян!
- Распоряжение от 12 марта 2015 года № 713р "Об отказе в предоставлении разрешения условно разрешенный вид использования земельного участка, расположенного в Октябрьском территориальном округе г. Архангельска по Первому проезду (Кузнечихинский промузел)"
- Распоряжение от 12 марта 2015 года № 712р "О предоставлении разрешения на отклонения от предельных параметров разрешенного строительства здания магазина на земельном участке, расположенном в Северном территориальном округе г. Архангельска по ул. Малиновского"
- Распоряжение от 26 февраля 2015 г. № 505р "Об отказе в предоставлении разрешения на отклонение от предельных параметров разрешенного строительства административного здания на земельном участке, расположенном в территориальном округе Майская горка г. Архангельска по ул. Минская"
- Распоряжение от 26 февраля 2015 г. № 506 р "Об отказе в предоставлении разрешения на отклонения от предельных параметров разрешенного строительства среднеэтажного многоквартирного жилого дома на земельном участке, расположенном в территориальном округе Варавино-Фактория г. Архангельска по ул. Силикатчиков"
- Распоряжение мэра от 26 февраля 2015 г. № 503р "О предоставлении разрешения на отклонение от предельных параметров реконструкции объектов капитального строительства на земельном участке, расположенном в пос. Лесная речка муниципального образования "Город Архангельск", Лахтинское шоссе, д. 98; д. 98, корп.1; д. 98, строение 1"
- Распоряжение от 26 февраля 2015 г. № 504р "Об отказе в предоставлении разрешения на отклонение от предельных параметров реконструкции объекта капитального строительства, расположенного в Ломоносовском территориальном округе г. Архангельска по ул. Поморской"
- Распоряжение от 09 февраля 2015 г. № 286р "О предоставлении разрешения на отклонения от предельных параметров реконструкции малоэтажного жилого дома на земельном участке, расположенном в Соломбальском территориальном округе г. Архангельска по ул. Ярославской"
- Распоряжение от 09 февраля 2015 г. № 285р "О предоставлении разрешения на отклонение от предельных параметров разрешенного строительства индивидуального жилого дома на земельном участке с кадастровым номером 29:16:201001:76, расположенном в Цигломенском территориальном округе г. Архангельска"
- Распоряжение от 09 февраля 2015 г. № 284р "Об отказе в предоставлении разрешения на условно разрешенный вид использования земельного участка, расположенного в Маймаксанском территориальном округе г. Архангельска по ул. Сибирской"
- Распоряжение от 09 февраля 2015 г. № 283р "Об отказе в предоставлении разрешения на условно разрешенный вид использования земельного участка, расположенного в Маймаксанском территриальном округе г. Архангельска по ул. Сибирской"
- Распоряжение от 09 февраля 2015 г. № 282р "Об отказе в предоставлении разрешения на отклонение от предельных параметров разрешенного строительства индивидуального жилого дома на земельном участке, расположенном в территориальном округе Майская горка г. Архангельска по ул. Серова"
- Распоряжение от 09 февраля 2015 г. № 281р "Об отказе в предоставлении разрешения на отклонение от предельных параметров разрешенного строительства индивидуального жилого дома на земельном участке, расположенном в Соломбальском территориальном округе г. Архангельска по ул. Беломорской"
- Распоряжение от 09 февраля 2015 г. № 280р "Об отказе в предоставлении разрешения на отклонения от предельных параметров разрешенного строительства среднеэтажного жилого дома с помещениями общественного назначения (первая очередь строительства - блок секция "Б") на земельном участке, расположенном в Соломбальском территориальном округе г. Архангельска по ул. Розмыслова"
- Распоряжение от 09 февраля 2015 г. № 278р "О предоставлении разрешения на отклонения от предельных параметров разрешенного строительства многоэтажного жилого дома со встроенными помещениями общественного назначения (4-я очередь строительства) на земельных участках, расположенных в Октябрьском территориальном округе г. Архангельска, на пересечении пр. Обводный канал и ул. Логинова"
- Распоряжение от 09 февраля 2015 г. № 288р "О предоставлении разрешения отклонения от предельных параметров разрешенного строительства здания кафе с центром бытового обслуживания населения на земельном участке,расположенном в Соломбальском территориальном округе г. Архангельска, на пересечении улиц Г. Иванова и Маякоского"
- Распоряжение от 09 февраля 2015 г. № 287р "О предоставлении разрешения на отклонение от предельных параметров разрешенного строительства здания торгового центра на земельном участке, расположенном в Маймаксанском территориальном округе г. Архангельска по ул. Вельможного"
- Распоряжение от 09 февраля 2015 г. № 289р "Об отказе в предоставлении разрешения на отклонение от предельных параметров разрешенного строительства здания на земельном участке, расположенном в Ломоносовском территориальном округе г. Архангельска по ул. Павла Усова"
- Распоряжение от 09 февраля 2015 г. № 277р "О предоставлении разрешения на отклонения от предельных параметров объекта разрешенного строительства среднеэтажного жилого дома со встроенными помещениями общественного назначения на земельном участке, расположенном в Ломоносовском территориальном округе г. Архангельска, на пересечении пр. Советских космонавтов и ул. Володарского"
- Распоряжение от 04 февраля 2015 г. № 219р "О предоставлении разрешения на условно разрешенные виды использования земельного участка, расположенного в Октябрьском территориальном округе г. Архангельска по проезду Сибиряковцев, д.1, корп. 1"
- Распоряжение от 22 января 2015 г. № 81 р "Об отказе в предоставлении разрешения на отклонение от предельных параметров разрешенного строительства индивидуального жилого дома на земельном участке, расположенном в Маймаксанском территориальном округе г. Архангельска по ул. Юности"
- Распоряжение от 22 января 2015 г. № 82р "О предоставлении разрешения на отклонения от предельных параметров разрешенного строительства многоэтажного жилого дома на земельном участке, расположенном в Октябрьском территориальном округе г. Архангельска, на пересечении пр. Ломоносова и ул. Логинова"
- Распоряжение от 26 января 2015 г. № 106р "Об отказе в предоставлении разрешения на отклонение от предельных параметров разрешенного строительства малоэтажного жилого дома на земельном участке, расположенном в Ломоносовском территориальном округе г. Архангельска по ул. Розы Люксембург"
- Распоряжение от 23 января 2015 г. № 91р "О предоставлении разрешения на отклонения от предельных параметров разрешенного строительства здания торгового комплекса на земельном участке, расположенном в Ломоносовском территориальном округе г. Архангельска по ул. Касаткиной"
- Распоряжение от 22 января 2015 г. № 83р "О предоставлении разрешения на отклонение от предельных параметров разрешенного строительства склада на земельном участке, расположенном в Октябрьском территориальном округе г. Архангельска по Окружному шоссе".
- Распоряжение от 22 января 2015 г. № 80р "Об отказе в предоставлении разрешения на отклонения от предельных параметров разрешенного строительства здания общественного назначения, расположенного в Ломоносовском территориальном округе г. Архангельска по ул. Тимме"
- Распоряжение от 22 января 2015 г. № 79р "Об отказе в предоставлении разрешения на условно разрешенный вид использования земельного участка, расположенного в территориальном округе Майская горка г. Архангельска по ул. Карпогорской"
- Распоряжение от 22 января 2015 г. № 78р "Об отказе в предоставлении разрешения на условно разрешенный вид использования земельного участка, расположенного в Исакогорском территориальном округе г. Архангельска по ул. Дрейера"
- Распоряжение от 31 декабря 2014 г. № 4725р "О предоставлении разрешения на условно разрешенный вид использования земельного участка, расположенного в Соломбальском территориальном округе г. Архангельска по наб.Георгия Седова"
- Распоряжение от 31 декабря 2014 г. №4725р "О предоставлении разрешения на условно разрешенный вид использования земельного участка, расположенного в Соломбальском территориальном округе г. Архангельска по наб.Георгия Седова"
- Распоряжение от 24 декабря 2014 г. № 4604р "О предоставлении разрешения на условно разрешенный вид использования земельных участков, расположенных в Октябрьском территориальном округе г. Архангельска по пр. Троицкому - ул. Суворова"
- Распоряжение от 19 декабря 2014 № 4565р "Об отказе в предоставлении разрешения на отклонения от предельных параметров разрешенного строительства здания фондохранилища, расположенного в Ломоносовском территориальном округе г. Архангельска по пр. Троицкому, между ул. Поморской и Театральным переулком"
- Распоряжение от 19 декабря 2014 г. № 4575р "О предоставлении разрешения на отклонения от предельных параметров разрешенного строительства общественно-административного комплекса на земельном участке, расположенном в территориальном округе Варавино-Фактория г. Архангельска, на пересечении пр. Ленинградского и ул. Папанина"
- Распоряжение от 19 декабря 2014 г. № 4575р "О предоставлении разрешения на отклонения от предельных параметров разрешенного строительства общественно-административного комплекса на земельном участке, расположенном в территориальном округе Варавино-Фактория г. Архангельска, на пересечении пр. Ленинградского и ул. Папанина"
- Распоряжение от 19 декабря 2014 г. № 4574р "Об отказе в предоставлении разрешения на отклонение от предельных параметров разрешенного строительства здания сервисного центра по обслуживанию легковых автомобилей на земельном участке, расположенном в территориальном округе Майская горка г. Архангельска, на пересечении ул. стрелковой и ул. Октябрят"
- Распоряжение от 19 декабря 2014 г. № 4572р "О предоставлении разрешения на условно разрешенный вид использования земельного участка, расположенного в поселке Талажский авиагородок" муниципального образования "Город Архангельск"
- Распоряжение от 19 декабря 2014 г. № 4571р "О предоставлении разрешения на отклонения от предельных параметров реконструкции объекта капитального строительства, расположенного в Ломоносовском территориальном округе г. Архангельска по ул.Учительской"
- Распоряжение от 19 декабря 2014 г. № 4573р "О предоставлении разрешения на условно разрешенный вид использования земельного участка, расположенного в Октябрьском территориальном округе г. Архангельскапо пр. Дзержинского"
- Распоряжение от 11 декабря 2014г. № 4446р "О предоставлении разрешения на отклонения от предельных параметров объекта разрешенного строительства многоэтажного жилого дома со встроенно-пристроенными помещениями общественного назначения, расположенного на земельных участках в Октябрьском территориальном округе г. Архангельска, на персечении ул. Карла Маркса и пр. Новгородского"
- Распоряжение от 11 декабря 2014 г. № 4439р "О предоставлении разрешения на отклонения от предельных параметров объекта разрешенного строительства многоэтажного жилого дома со встроенно-пристроенными помещениями общественного назначения на земельных участках, расположенных в Октябрьском территориальном округе г. Архангельска, на пересечении ул. Воскресенской и пр. Ломонсова"
- Распоряжение от 11 декабря 2014 г. № 4445р "Об отказе в предоставлении разрешения на отклонение от предельных параметров реконструкции здания, расположенного в Соломбальском территориальном округе г. Архангельска по пр. Никольскому"
- Распоряжение от 11 декабря 2014 г. № 4441р "Об отказе в предоставлении разрешения на отклонения от предельных параметров разрешенного строительства здания кафе с центром бытового обслуживания населения на земельных участках, расположенных в Соломбальском территориальном округе г. Архангельска, на пересечении улиц Г. Иванова и Маяковского"
- Распоряжение от 11 декабря 2014 г. № 4442р "О предоставлении разрешения на условно-разрешенный вид использования земельного участка, расположенного в территориальном округе Майская горка г. Архангельска по ул. Чкалова"
- Распоряжение от 11 декабря 2014 г. № 4443р "О предоставлении разрешения на отклонение от предельных параметров разрешенного строительства здания магазина на земельном участке, расположенном в Северном территориальном округе г. Архангельска по ул. Малиновского"
- Распоряжение от 18 ноября 2014 г. № 4052р "О предоставлении разрешения на отклонение от предельных параметров разрешенного строительства индивидуального жилого дома на земельном участке, расположенном в Цигломенском территориальном округе г. Архангельска по ул. Цигломенской"
- Распоряжение от 18 ноября 2014 г. № 4051р "О предоставлении разрешения на отклонение от предельных параметров разрешенного строительства индивидуального жилого дома на земельном участке, расположенном в территориальном округе Майская горка по ул. Пинежской"
- Распоряжение от 18 ноября 2014 г. № 4053р "Опредоставлении разрешения на отклонение от предельных параметров разрешенного строительства индивидуального жилого дома на земельных участках, расположенных в территориальном округе Майская горка г. Архангельска по ул. Ленина"
- Распоряжение мэра от 19 ноября 2014 г. № 4118р "О предоставлении разрешения на отклонения от предельных параметров разрешенного строительства многоэтажного жилого дома со встроенными помещениями административного назначения (вторая очередь) на земельных участках, расположенных в Ломоносовском территориальном округе г. Архангельска по ул. Володарского (между пр. Ломоносова и пр. Новгородским)"
- Распоряжение от 18 ноября 2014 г. № 4056р "Об отказе в предоставлении разрешения на отклонение от предельных параметров разрешенного строительства здания торгового центра на земельном участке, расположенном в Маймаксанском территориальном округе г. Архангельска по ул. Вельможного"
- Распоряжение от 18 ноября 2014 г. № 4055р "Об отказе в предоставлении разрешения на условно разрешенный вид использования земельного участка, расположенного в Соломбальском территориальном округе г. Архангельска по пр. Никольскому"
- Распоряжение от 18 ноября 2014 г. № 4054р "О предоставлении разрешения на отклонение от предельных параметров разрешенного строительства административного здания на земельном участке, расположенном в Октябрьском территориальном округе г. Архангельска по проезду Приорова Н.Н."
- Распоряжение от 13 ноября 2014 г. № 4004р "О предоставлении разрешения на отклонение от предельных параметров разрешенного строительства административного здания со встроенными помещениями торгового назначения на земельном участке, расположенном в Октябрьском территориальном округе г. Архангельска по ул. Гагарина"
- Распоряжение от 11 ноября 2014 г. № 3969р "О предоставлении разрешения на условно разрешенный вид использования земельного участка, расположенного в Ломоносовском территориальном округе г. Архангельска по пр. Ленинградскому"
- Распоряжение от 11 ноября 2014 г. № 3970р "Об отказе в предоставлении разрешения на условно разрешенный вид использования земельного участка, расположенного в Исакогорском территориальном округе г. Архангельска по ул. Нахимова"
- Распоряжение от 11 ноября 2014 г. № 3972р "Об отказе в предоставлении разрешения на отклонение от предельных параметров разрешенного строительства здания торгового центра на земельном участке, расположенном в Исакогорском территориальном округе г. Архангельска по ул. Нахимова"
- Распоряжение от 11 ноября 2014 г. № 3972р "Об отказе в предоставлении разрешения на отклонение от предельных параметров разрешенного строительства здания торгового центра на земельном участке, расположенном в Исакогорском территориальном округе г. Архангельска по ул. Нахимова"
- Распоряжение от 11 ноября 2014 г. № 3973р "О предоставлении разрешения на отклонения от предельных параметров разрешенного строительства сблокированных объектов капитального строительства на земельном участке, расположенном в Ломоносовском территориальном округе г. Архангельска по ул. Парижской коммуны"
- Распоряжение от 30 октября 2014 г. № 3833р "О предоставлении разрешения на отклонение от предельных параметров разрешенного строительства объекта оптовой и розничной торговли на земельном участке, расположенном в Северном территориальном округе г. Архангельска по ул. Партизанской"
- Распоряжение от 30 2014 г.№ 3835р "О предоставлении разрешения на условно разрешенный вид использования земельного участка, расположенного в Октябрьском территориальном округе г. Архангельска по ул. Самойло"
- Рапоряжение от 30 октября 201ё4 г. № 3836р "О предоставлении разрешения на условно разрешенный вид использования земельного участка, расположенного в Ломоносовском территориальном округе г. Архангельска по пр. Московскому"
- Распоряжение от 30 октября 2014 г. № 3837р "О предоставлении разрешения на условно разрешенный вид использования земельного участка, расположенного в Октябрьском территориальном округе г. Архангельска по пр. Обводный канал"
- Распоряжение от 30 октября 2014 г. №3838р "Об отказе в предоставлении разрешения на условно разрешенный вид использования земельного участка, расположенного в территориальном округе Майская горка г. Архангельска по ул. Пинежской"
- Распоряжение от 30 октября 2014 г. № 3834р "О предоставлении разрешения на отклонения от предельных параметров реконструкции здания, расположенного в Соломбальском территориальном округе г. Архангельска по пр. Никольскому"
- Распоряжение от 30 октября 2014 г. № 3839р "Об отказе в предоставлении разрешения на условно разрешенный вид использования земельного участка, расположенного в Октябрьском территориальном округе г. Архангельска по пр. Дзержинского"
- Распоряжение от 30 октября 2014 г. № 3840р "Об отказе в предоставлении муниципальной услуги по вопросу предоставления разрешения на отклонение от предельных параметров разрешенного строительства многоквартирного жилого дома со встроенными помещениями общественного назначения на земельном участке, расположенном в Октябрьском территориальном округе г. Архангельска по ул. Суворова"
- Распоряжение от 30 октября 2014 г. № 3832р "О предоставлении разрешения на отклонение от предельных параметров объектов разрешенного строительства на земельных участках в Ломоносовском территориальном округе г. Архангельска по ул. Романа Куликова"
- Распоряжение от 23 октября 2014 г. № 3720р "Об отказе в предоставлении разрешения на отклонение от предельных параметров разрешенного строительства здания магазина на земельном участке, расположенном в Северном территориальном округе г. Архангельска по ул. Малиновского"
- Распоряжение от 23 октября 2014 г. № 3720р "Об отказе в предоставлении разрешения на отклонение от предельных параметров разрешенного строительства здания магазина на земельном участке, расположенном в Северном территориальном округе г. Архангельска по ул. Малиновского"
- Распоряжение от 23 октября 2014 г. № 3719р "Об отказе в предоставлении разрешения на условно разрешенный вид использования земельного участка, расположенного в Северном территориальном округе г. Архангельска по ул. Малиновского - ул. Партизанской"
- Распоряжение от 23 октября 2014 г. № 3719р "Об отказе в предоставлении разрешения на условно разрешенный вид использования земельного участка, расположенного в Северном территориальном округе г. Архангельска по ул. Малиновского - ул. Партизанской"
- Распоряжение от 23 октября 2014 г. № 3718р "Об отказе в предоставлении разрешения на условно разрешенный вид использования земельного участка, расположенного в Маймаксанском территориальном округе г. Архангельска по ул. Вельможного"
- Распоряжение от 23 октября 2014 г. № 3718р "Об отказе в предоставлении разрешения на условно разрешенный вид использования земельного участка, расположенного в Маймаксанском территориальном округе г. Архангельска по ул. Вельможного"
- Распоряжение от 23 октября 2014 г. № 3716р "О предоставлении разрешения на отклонение от предельных параметров разрешенного строительства индивидуального жилого дома на земельном участке с кадастровым номером 29:16:201001:116, расположенном в Цигломенском территориальном округе г. Архангельска"
- Распоряжение от 23 октября 2014 г. № 3717р "О предоставлении разрешений: на условно равзрешенный вид использования земельного участка, расположенного в Соломбальском территориальном округе г. Архангельска по ул. Ярославской и на отклонения от предельных параметров разрешенного объекта капитального строительства"
- Распоряжениеот 15 октября 2014 г. № 3573р "О предоставлении разрешения на отклонения от предельных параметров разрешенного строительства малоэтажного жилого дома на земельном участке, расположенном в Соломбальском территориальном округе г. Архангельска по ул. Беломорской"
- Распоряжение от 10 октября 2014 г. № 3535р "Об отказе в предоставлении разрешения на условно разрешенный вид использования земельного участка, расположенного в Ломоносовском территориальном округе г. Архангельска по ул. Северодвинской"
- Распоряжение от 10 октября 2014 г. № 3534р "Об отказе в предоставлении разрешения на условно разрешенный вид использования земельного участка, расположенного в Ломоносовском территориальном округе г. Архангельска по ул. Северодвинской"
- Распоряжение от 10 октября 2014 г. № 3530р "О предоставлении разрешения на отклонение от предельных параметров разрешенного строительства индивидуального жилого дома на земельном участке, расположенном в Маймаксанском территориальном округе г. Архангельска по ул. Карбасной"
- Распоряжение от 10 октября 2014 г. № 3533р "Об отказе в предоставлении разрешения на условно разрешенный вид использования земельного участка, расположенного в Октябрьском территориальном округе г. Архангельска по ул. Комсомольской"
- Распоряжение от 10 октября 2014 г. № 3533р "Об отказе в предоставлении разрешения на условно разрешенный вид использования земельного участка, расположенного в Октябрьском территориальном округе г. Архангельска по ул. Комсомольской"
- Распоряжение от 10 октября 2014 г. № 3532р "Об отказе в предоставлении разрешения на отклонение от предельных параметров разрешенного строительства здания магазина на земельном участке, расположенном в Ломоносовском территориальном округе г. Архангельска, на пересечении пр. Московскогои ул. Смольный Буян"
- Распоряжение от 10 октября 2014 г. № 3532р "Об отказе в предоставлении разрешения на отклонение от предельных параметров разрешенного строительства здания магазина на земельном участке, расположенном в Ломоносовском территориальном округе г. Архангельска, на пересечении пр. Московскогои ул. Смольный Буян"
- Распоряжение от 10 октября 2014 г. № 3552р "О предоставлении разрешения на отклонение от предельных параметров разрешенного строительства административного здания на земельном участке, расположенном в Ломоносовском территориальном округе г. Архангельска по пр. Чумбарова-Лучинского"
- Распоряжение от 10 октября 2014 г. № 3552р "О предоставлении разрешения на отклонение от предельных параметров разрешенного строительства административного здания на земельном участке, расположенном в Ломоносовском территориальном округе г. Архангельска по пр. Чумбарова-Лучинского"
- Распоряжение от 10 октября 2014 г. № 3536р "Об отказе в предоставлении разрешения о предоставлении разрешения на условно разрешенный вид использования земельного участка, расположенного в территориальном округе Майская горка г. Архангельска по ул. Галушина"
- Распоряжение от 10 октября 2014 г. № 3537р "Об отказе в предоставлении разрешения на условно разрешенный вид использования земельного участка, расположенного в территориальном округе Варавино-Фактория г. Архангельска по пр. Ленинградскому"
- Распоряжение от 10 октября 2014 г. № 3531р "О предоставлении разрешения на отклонение от предельных параметров разрешенного строительства магазина на земельном участке, расположенном а Маймаксанском территориальном округе г. Архангельска по ул. Победы"
- Распоряжение от 07 октября 2014 № 3481р "Об отказе в предоставлении разрешения на отклонение от предельных параметров разрешенного строительства малоэтажного жилого дома с помещениями общественного назначения на первом этаже на земельном участке, расположенном в Ломоносовском территориальном округе г. Архангельска по ул. Поморской"
- Распоряжение от 07 октября 2014 г. № 3477р "Об отказе в предоставлении разрешения на отклонение от предельных параметров разрешенного строительства малоэтажного жилого дома на земельном участке, расположенном в Ломоносовском территориальном округе г. Архангельска по ул. Розы Люксембург"
- Распоряжение от 07 октября 2014 г. № 3479р "О предоставлении разрешения на отклонения от предельных параметров разрешенного строительства здания торгового центра на земельном участке в Исакогорском территориальном округе г. Архангельска, на пересечении ул. Магистральной и ул. Партизанской"
- Распоряжение от 07 октября 2014 г. № 3479р "О предоставлении разрешения на отклонения от предельных параметров разрешенного строительства здания торгового центра на земельном участке в Исакогорском территориальном округе г. Архангельска, на пересечении ул. Магистральной и ул. Партизанской"
- Распоряжение от 07 октября 2014 г. № 3456р "О предоставлении разрешения на условно разрешенный вид использования земельного участка, расположенного в Ломоносовском территориальном округе г. Архангельска по ул. Суфтина"
- Распоряжение от 07 октября 2014 г. № 3456р "О предоставлении разрешения на условно разрешенный вид использования земельного участка, расположенного в Ломоносовском территориальном округе г. Архангельска по ул. Суфтина"
- Распоряжение от 30 сентября 2014 г. № 3376р "О предоставлении разрешения на отклонение от предельных параметров разрешенного строительства индивидуального жилого дома на земельных участках, расположенных в территориальном округе г. Архангельска по ул. Ленина
- Распоряжение от 30 сентября 2014 г. № 3377р "Об отказе в предоставлении разрешения на условно разрешенный вид использования земельного участка, расположенного в Маймаксанском территориальном округе г. Архангельска по ул. Юности, 3
- Распоряжение от 30 сентября 2014 г. № 3375р "О предоставлении разрешения на отклонение от предельных параметров разрешенного строительства индивидуального жилого дома на земельном участке, расположенном в Маймаксанском территориальном округе г. Архангельска по ул. Огородной"
- Распоряжение от 30 сентября 2014 г. № 3374р "О предоставлении разрешения на отклонения от предельных параметров разрешенного строительства здания автомойки автомобилей на земельный участках, расположенных в Соломбальском территориальном округе г. Архангельска"
- Распоряжение от 26 сентября 2014 г. № 3310р "О предоставлении разрешения на отклонения от предельных параметров объекта разрешенного строительства на земельном участке в территориальном округе Майская горка г. Архангельска по ул. Луговой"
- Распоряжение от 26 сентября 2014 г. № 3309р "О предоставлении разрешения на отклонение от предельных параметров разрешенного строительства индивидуального жилого дома на земельном участке, расположенном в Октябрьском территорильном округе г. Архангельска по Чёрной Курье, 4-й линии"
- Распоряжение от 26 сентября 2014 г. № 3308р "О предоставлении разрешения на отклонение от предельных параметров разрешенного строительства комплекса многоэтажных жилых домов со встроенно-пристроенными помещениями общественного назначения на земельном участке, расположенном в территориальном округе г. Архангельска по ул. Стрелковой"
- Распоряжение от 26 сентября 2014 г. № 3306р "О предоставлении разрешения на отклонение от предельных параметров разрешенного строительства индивидуального жилого дома на земельном участке, расположенном в Маймаксанском территориальном округе г. Архангельска по ул. Карбасной, участок № 115"
- Распоряжение от 26 сентября 2014 г. № 3305р "О предоставлении разрешения на отклонения от предельных параметров разрешенного строительства здания техно-торгового центра на земельных участках, расположенных в Ломоносовском территориальном округе г. Архангельска по пр. Обводный канал"
- Распоряжение от 26 сентября 2014 г. № 3305р "О предоставлении разрешения на отклонения от предельных параметров разрешенного строительства здания техно-торгового центра на земельных участках, расположенных в Ломоносовском территориальном округе г. Архангельска по пр. Обводный канал"
- Распоряжение от 26 сентября 2014 г. № 3307р "О предоставлении разрешения на отклонения от предельных параметров разрешенного строительства административного здания со встроенными помещениями производственного и торгового назначения на земельном участке, расположенном в Октябрьском территориальном округе г. Архангельска по ул. Гагарина"
- Распоряжение от 26 сентября 2014 г. № 3307р "О предоставлении разрешения на отклонения от предельных параметров разрешенного строительства административного здания со встроенными помещениями производственного и торгового назначения на земельном участке, расположенном в Октябрьском территориальном округе г. Архангельска по ул. Гагарина"
- Распоряжение от 26 сентября 2014 г. № 3304р "Об отказе в предоставлении разрешения на условно разрешенный вид использования земельного участка, расположенного в Октябрьском территориальном округе г. Архангельска по наб. Северной Двины, д. 140, корп. 1"
- Распоряжение от 26 сентября 2014 г. № 3304р "Об отказе в предоставлении разрешения на условно разрешенный вид использования земельного участка, расположенного в Октябрьском территориальном округе г. Архангельска по наб. Северной Двины, д. 140, корп. 1"
- Распоряжение от 03 сентября 2014 г. № 2813р "О предоставлении разрешения на отклонения от предельных параметров разрешенного строительства административного здания на земельных участках, расположенных в Соломбальском территориальном округе г. Архангельска по пр. Никольскому"
- Распоряжение от 03 сентября 2014 г. № 2813р "О предоставлении разрешения на отклонения от предельных параметров разрешенного строительства административного здания на земельных участках, расположенных в Соломбальском территориальном округе г. Архангельска по пр. Никольскому"
- Распоряжение от 03 сентября 2014 г. № 2812р "Об отказе в предоставлении разрешения на условно разрешенный вид использования земельного участка, расположенного в Соломбальском территориальном округе г. Архангельска по ул. Краснофлотской"
- Распоряжение от 02 сентября 2014 г. № 2797р "О предоставлении разрешения на условно разрешенный вид использования земельного участка, расположенного в Октябрьском территориальном округе г. Архангельска по ул. Тимме"
- Распоряжение от 02 сентября 2014 г. № 2797р "О предоставлении разрешения на условно разрешенный вид использования земельного участка, расположенного в Октябрьском территориальном округе г. Архангельска по ул. Тимме"
- Распоряжение от 01 сентября 2014 г. № 2793р "О предоставлении разрешения на отклонения от предельных параметров разрешенного строительства торгово-развлекательного центра на земельных участках, расположенных в территориальном округе Майская горка г. Архангельска по пр. Ленинградскому"
- Распоряжение от 01 сентября 2014 г. № 2793р "О предоставлении разрешения на отклонения от предельных параметров разрешенного строительства торгово-развлекательного центра на земельных участках, расположенных в территориальном округе Майская горка г. Архангельска по пр. Ленинградскому"
- Распоряжение от 01 сентября 2014 г. № 2794р "Об отказе в предоставлении разрешения на отклонения от предельных параметров разрешщенного строительства здания кафе со встроенными офисными помещениями на земельном участке, расположенном в Октябрьском территориальном округе г. Архангельска по пр. Троицкому"
- Распоряжение от 01 сентября 2014 г. № 2788р "Об отказе в предоставлении разрешения на условно разрешенный вид использования земельного участка, расположенного в Октябрьском территориальном округе г. Архангельска по Талажскому шоссе"
- Распоряжение от 01 сентября 2014 г. № 2790р "О предоставлении разрешения на отклонения от предельных параметров разрешенного строительства на земельных участках в Ломоносовском территориальном округе г. Архангельска по ул. Романа Куликова"
- Распоряжение от 01 сентября 2014 г. № 2792р "О предоставлении разрешения на отклонение от предельных параметров разрешенного строительства индивидуального жилого дома на земельном участке, расположенном в Октябрьском территориальном округе г. Архангельска по Чёрной Курье, 4-й линии"
- Распоряжение от 01 сентября 2014 г. № 2791р "О предоставлении разрешения на отклонение от предельных параметров разрешенного строительства индивидуального жилого дома на земельном участке, расположенном в Цигломенском территориальном округе г. Архангельска по ул. Цигломенской"
- Распоряжение от 29 августа 2014 г. № 2765р "О предоставлении разрешений на условно разрешенный вид использования земельного участка, расположенного в Ломоносовском территориальном округе г. Архангельска по ул. Серафимовича и на отклонение от предельных параметров объекта разрешенного строительства"
- Распоряжение от 29 августа 2014 г. № 2769р "Об отказе в предоставлении разрешения на отклонения от предельных параметров разрешенного строительства объекта розничной торговли на земельном участке, рпасположенном в территориальном окрге Майская горка г. Архангельска по ул. Дружбы"
- Распоряжение от 29 августа 2014 г. № 2767р "Об отказе в предоставлении разрешения на условно разрешенный вид использования земельного участка, расположенного в поселке Талажский авиагородок муниципального образования "Город Архангельск"
- Распоряжение от 29 августа 2014 г. № 2766р "Об отказе в предоставлении разрешения на условно разрешенный вид использования земельного участка, расположенного в Октябрьском территориальном округе г. Архангельска по ул. Самойло"
- Распоряжение от 15 августа 2014 г. № 2542р "Об отказе в предоставлении разрешения на условно разрешенный вид использования земельного участка, расположенного в Северном территориальном округе г. Архангельска по ул. Мостовой"
- Распоряжение от 15 августа 2014 г. № 2540р "О предоставлении разрешения на условно разрешенный вид использования земельного участка, расположенного в Октябрьском территориальном округе г. Архангельска по. пр. Обводный канал"
- Р аспоряжение от 15 августа 2014 г. № 2539р "Об отказе в предоставлении разрешения на отклонение от предельных параметров разрешенного строительства малоэтажного жилого дома с помещениями общественного назначения на первом этаже на земельном участке, расположенном в Ломоносовском территориальном округе г. Архангельска по ул. Поморской"
- Распоряжение от 05 августа 2014 г. № 2541р "О предоставлении разрешения на условно разрешенный вид использования земельного участка, расположенного в территориальном округе Варавино-Фактория г. Архангельска по 2-му Ленинградскому переулку"
- Распоряжение от 29 июля 2014 г. № 2367р "О предоставлении разрешения на отклонения от предельных параметров разрешенного строительства многоэтажного жилого дома со встроенными помещениями общественного назначения на земельном участке, расположенном в Ломоносовском территориальном округе г. Архангельска по ул. Урицкого"
- Распоряжение от 17 июля 2014 г. № 2237р "О предоставлении разрешения на отклонения от предельных параметров разрешенного строительства универсального магазина с объектами бытового обслуживания на земельном участке, расположенном в Соломбальском территориальном округе г. Архангельска на пересечении улиц Советская и Прокашева"
- Распоряжение от 17 июля 2014 г. № 2239р "О предоставлении разрешения на отклонение от предельных параметров разрешенного строительства здания кафе с магазином-кулинарией на земельном участке в Соломбальском территориальном округе г. Архангельска по пр. Никольскому"
- Распоряжение от 17 июля 2014 г. № 2234р "О предоставлении разрешения на отклонение от предельных параметров разрешенного строительства авторемонтных боксов на земельном участке, расположенном в Октябрьском территориальном округе г. Архангельска по ул. Нагорной"
- Распоряжение от 17 июля 2014 г. № 2236р "О предоставлении разрешения на отклонение от предельных параметров разрешенного строительства здания торгового центра на земельном участке в Исакогорском территориальном округе г. Архангельска на пересечении ул. Магистральной и ул. Привокзальной"
- Распоряжение от 17 июля 2014 г. № 2238р "О предоставлении разрешения на отклонение от предельных параметров разрешенного строительства индивидуального жилого дома на земельном участке, расположенном в Соломбальском территориальном округе г. Архангельска по ул. Розмыслова"
- Распоряжение от 17 июля 2014 г. № 2235р "О предоставлении разрешения на отклонение от предельных параметров разрешенного строительства индивидуального жилого дома на земельном участке, расположенном в Цигломенском территориальном округе г. Архангельска по Второму рабочему кварталу"
- Распоряжение от 17 июля 2014 г. № 2241р "Об отказе в предоставлении разрешения на отклонения от предельных параметров разрешенного строительства среднеэтажного жилого дома на земельном участке, расположенном в Соломбальском территориальном округе г. Архангельска по ул. Краснофлотской"
- Распоряжение от 17 июля 2014 г. № 2240р "О разрешении на отклонения от предельных параметров разрешенного строительства многоэтажного жилого дома с помещениями административно-торгового назначения на земельном участке, расположенном в Ломоносовском территориальном округе г. Архангельска по ул. Поморской"
- Распоряжение от 09 июля 2014 г. 2014 г. № 2171р "Об отказе в предоставлении разрешения на условно разрешенный вид использования земельного участка, расположенного в Ломоносовском территориальном округе г. Архангельска пр. Ленинградскому"
- Распоряжение от 09 июля 2014 г. 2014 г. № 2145р "О предоставлении разрешения на отклонения от предельных параметров разрешенного строительства здания пристройки общественного назначения к существующему нежилому зданию и реконструкции здания административно-торгового назначения на земельных участках, расположенных в Ломоносовском территориальном округе г. Архангельска по пр. Ломоносова"
- Распоряжение от 09 июля 2014 г. № 2143р "Об отказе в предоставлении разрешения на условно разрешенный вид использования земельного участка, расположенного в территориальном округе Варавино-Фактория г. Архангельска по пр. Ленинградскому"
- Распоряжение от 09 июля 2014 г. № 2144р "Об отказе в предоставлении муниципальной услуги по вопросу предоставления разрешения на отклонения от предельных параметров разрешенного строительства среднеэтажного жилого дома на земельном участке, расположенном в Ломоносовском территорильном округе г. Архангельска по ул. Серафимовича"
- Распоряжение от 09 июля 2014 г. № 2146р "О предоставлении разрешения на отклонение от предельных параметров разрешенного строительства индивидуального жилого дома на земельном участке, расположенном в Маймаксанском территориальном округе г. Архангельска по ул. Карбасной"
- Распоряжение от 30 июня 2014 г. № 2055р "О предоставлении разрешения на отклонения от предельных параметров разрешенного строительства административного здания, расположенного в Октябрьском территориальном округе г. Архангельска по пр. Троицкому"
- Распоряжение от 30 июня 2014 г. № 2053р "Об отказе в предоставлении разрешения на условно разрешенный вид использования земельного участка, расположенного в Соломбальском территориальном округе г. Архангельска по ул. Краснофлотской"
- Распоряжение от 30 июня 2014 г. № 2054р "О предоставлении разрешений на условно разрешенный вид использования земельного участка и на отклонения от предельных параметров разрешенного строительства объектов капитального строительства, расположенных в Октябрьском территориальном округе г. Архангельска по ул. Садовой"
- Распоряжение от 23 июня 2014 г. № 1983р "О предоставлении разрешений на отклонения от предельных параметров разрешенного строительства комплекса многоэтажных жилых домов со встроенно-пристроенными помещениям общественного назначения на земельных участках, расположенных в территориальном округе Майская горка г. Архангельска по ул. Стрелковой"
- Распоряжение от 23 июня 2014 № 1972р "Об отказе в предоставлении разрешения на условно разрешенный вид использования земельного участка, расположенного в территориальном округе Варавино-Фактория г. Архангельска по пр. Ленинградскому"
- Распоряжение от 23 июня 2014 г. № 1975р "Об отказе в предоставлении разрешения на отклонения от предельных параметров разрешенного строительства многоэтажного административного здания с торговыми помещениями на нижних этажах в Ломоносовском территориальном округе г. Архангельска по ул. Урицкого"
- Распоряжение от 23 июня 2014 г. № 1974р "Об отказе в предоставлении разрешения на отклонения от предельных параметров разрешенного строительства здания общественного назначения на земельном участке, расположенном в территориальном округе Майская горка г. Архангельска по ул. Ленина"
- Распоряжение от 23 июня 2014 г. № 1973р "Об отказе в предоставлении разрешения на условно разрешенный вид использования земельного участка, расположенного в территориальном округе Майская горка г. Архангельска по ул. Осипенко"
- Распоряжение от 23 июня 2014г. № 1971р "О предоставлении разрешения на отклонения от предельных параметров разрешенного строительства здания общественного назначения, расположенного в Ломоносовском территориальном округе г. Архангельска, на пересечении ул. Поморской и пр. Новгородского"
- Распоряжение от 23 мая 2014 г. № 1637р "Об отказе в предоставлении разрешения на условно разрешенный вид использования земельного участка, расположенного в территориальном округе Майская горка г. Архангельска по ул. Минской"
- Распоряжение от 05 июня 2014г. № 1781р "О предоставлении разрешения на условно разрешенный вид использования земельного участка, расположенного в Маймаксанском территориальном округе г. Архангельска по ул. Менделеева"
- Распоряжение от 05 июня 2014 г. № 1778р "Об отказе и предоставлении разрешений на отклонения от предельных параметров разрешенного строительства объекта торговли, расположенного в Ломоносовском территориальном округе г. Архангельска по ул. Павла Усова"
- Распоряжение от 29 мая 2014 г. № 1712р "О предоставлении разрешения на отклонение от предельных параметров разрешенного строительства административного здания на земельных участках, расположенных в Соломбальском территориальном округе г. Архангельска по пр. Никольскому"
- Распоряжение от 29 мая 2014 г. № 1711р "Об отказе в предоставлении разрешения на отклонения от предельных параметров реконструкции объекта капитального строительства на земельном участке, расположенном в Ломоносовском территориальном округе г. Архангельска по ул. Новоквартальной"
- Распоряжение от 29 мая 2014 г. № 1710р "О предоставлении разрешения на отклонение от предельных параметров разрешенного строительства здания магазина на земельном участке, расположенном в Ломоносовском территориальном округе г. Архангельска по ул. Тимме"
- Распоряжение от 29 мая 2014 года № 1709р "О предоставлении разрешения на отклонение от предельных параметров разрешенного строительства здания магазина на земельном участке, расположенном в Маймаксанском территориальном округе г. Архангельска по ул. Школьной"
- Распоряжение от 29 мая 2014 г. № 1708р "Об отказе в предоставлении разрешения на условно-разрешенный вид использования земельного участка, расположенного в территориальном округе Майская горка г. Архангельска по ул. Чкалова"
- Распоряжение от 29 мая 2014 г. № 1707р "Об отказе в предоставлении разрешения на условно разрешенный вид использования земельного участка, расположенного в Ломоносовском территориальном округе г. Архангельска по ул. Павла Усова"
- Распоряжение от 29 мая 2014 г. № 1706р "Об отказе в предоставлении разрешения на отклонения от предельных параметров разрешенного строительства объекта розничной торговли на земельном участке, расположенном в территориальном округе Майская горка г. Архангельска по ул. Дружбы"
- Распоряжение от 29 мая 2014 г. № 1704р "О предоставлении разрешения на отклонения от предельных параметров разрешенного строительства среднеэтажного жилого дома на земельном участке, расположенном в территориальном округе Варавино-Фактория г. Архангельска, на пересечении пр. Ленинградского и 1-го Ленинградского переулка"
- Распоряжение от 29 мая 2014 г. № 1703р № "О предоставлении разрешения на условно разрешенный вид использования земельного участка, расположенного в Маймаксанском территориальном округе г. Архангельска по ул. Менделеева"
- Распоряжение от 23 мая 2014 г. № 1634р "О предоставлении разрешения на условно разрешенный вид использования земельного участка, расположенного в территориальном округе Майская горка г. Архангельска по пр. Ленинградскому"
- Распоряжение от 23 мая 2014 г. № 1636р "Об отказе в предоставлении разрешения на отклонения от предельных параметров разрешенного строительства многофункционального комплекса торгово-складского назначения на земельном участке, расположенном в территориальном округе Майская горка г. Архангельска по Окружному шоссе"
- Распоряжение от 23 мая 2014 г. № 1639р "О предоставлении разрешений на отклонения от предельных параметров реконструкции здания торгового центра с помещениями общественного питания, расположенного на земельном участке в Октябрьском территориальном округе г. Архангельска по ул. Тимме"
- Распоряжение от 23 мая 2014 г. № 1638р "Об отказе в предоставлении разрешения на отклонения от предельных параметров разрешенного строительства здания мойки автомобилей на земельных участках, расположенных в Соломбальском территориальном округе г. Архангельска по ул. Советской"
- Распоряжение от 20 мая 2014 г. № 1606р "Об отказе в предоставлении разрешения на отклонение от предельных параметров разрешенного строительства административного здания на земельном участке, расположенном в Октябрьском территориальном округе г. Архангельска по проезду Приорова Н.Н."
- Распоряжение от 19 мая 2014 г. № 1554р "Об отказе в предоставлении разрешения на отклонение от предельных параметров разрешенного строительства здания продовольственного магазина на земельном участке, расположенном в Исакогорском территориальнои округе г. Архангельска по ул. Магистральной"
- Распоряжение от 19 мая 2014 г. № 1553р "Об отказе в предоставлении разрешения на отклонение от предельных параметров разрешенного строительства авторемонтных боксов на земельном участке, расположенном в Октябрьском территориальном округе г. Архангельска по ул. Нагорной"
- Распоряжение от 19 мая 2014 г. № 1546р "О предоставлении разрешения на отклонения от предельных параметров разрешенного строительства здания технического обслуживания и ремонта транспортных средств, машин и оборудования на земельном участке, расположенном в Октябрьском территориальном округе г. Архангельска по ул. Гайдара"
- Распоряжение от 19 мая 2014 г. № 1552р "Об отказе в предоставлении разрешения на отклонения от предельных параметров разрешенного строительства здания пристройки общественного назначения к существующему нежилому зданию и реконструкции здания административно-торгового назначения на земельных участках, расположенных в Ломоносовском территориальном округе г. Архангельска по пр. Ломоносова"
- Распоряжение от 19 мая 2014 г. № 1551р "Об отказе в предоставлении разрешения на отклонения от предельных параметров разрешенного строительства здания техно-торгового центра на земельных участках, расположенных в Ломоносовском территориальном округе г. Архангельска по пр. Обводный канал"
- Распоряжение от 19 мая 2014 г. № 1548р "О предоставлении разрешения на отклонения от предельных параметров разрешенного строительства административного здания на земельном участке, расположенном в Октябрьском территориальном округе г. Архангельска по ул. Вологодской"
- Распоряжение от 19 мая 2014 г. № 1558р "Об отказе в предоставлении разрешения на отклонения от предельных параметров разрешенного строительства здания кафе со встроенными офисными помещениями на земельном участке, расположенном в Октябрьском территориальном округе г. Архангельск по пр. Троицкому"
- Распоряжение от 19 мая 2014 г. № 1547р "О предоставлении разрешения на отклонение от предельных параметров разрешенного строительства здания автомагазина с открытой автостоянкой на земельном участке в Ломоносовском территориальном округе г. Архангельска по пр. Московскому"
- Распоряжение от 19 мая 2014 года № 1559р "О предоставлении разрешения на отклонения от предельных параметров разрешенного строительства малоэтажного жилого дома на земельном участке, расположенном в Ломоносовском территориальном округе г. Архангельска по пр. Новгородскому, 96"
- Распоряжение от 19 мая 2014 г. № 1550р "Об отказе в предоставлении разрешения на отклонения от предельных параметров разрешенного строительства многоэтажного жилого дома со встроенными помещениями общественного назначения на земельном участке, расположенном в Ломоносовском территориальном округе г. Архангельска по ул. Урицкого"
- Распоряжение от 19 мая 2014 г. № 1549р "О предоставлении разрешения на отклонения от предельных параметров разрешенного строительства многоэтажного жилого дома со встроенными помещениями общественного назначения на земельных участках, расположенных в Октябрьском территоральном округе г. Архангельска по ул. Логинова"
- Распряжения от 29 апреля 2014 г. № 1318р "Об отказе в предоставлении разрешения на отклонение от предельных параметров разрешенного строительства среднеэтажного жилого дома на земельном участке, расположенном в Соломбальском территориальном округе г. Архангельска по Банному переулку 1-му"
- Распоряжение от 29 апреля 2014 г. № 1319р "Об отказе в предоставлении муниципальной услуги по вопросу предоставления разрешения на отклонения от предельных параметров объекта капитального строительства на земельном участке, расположенном в Ломоносовском территориальном округе г. Архангельска по пр. Ломоносова"
- Распоряжение от 29 апреля 2014 г. № 1307р "О предоставлении разрешения на условно разрешенный вид использования земельного участка, расположенного в Ломоносовском территориальном округе г. Архангельска по ул. Розы Люксембург и о предоставлении разрешения на отклонение от предельных параметров разрешенного строительства малоэтажного жилого дома"
- Распоряжение от 25 апреля 2014 г. № 1269р "О предоставлении разрешения на отклонение от предельных параметров разрешенного строительства индивидуального жилого дома на земельном участке с кадастровым номером 29:16:201001:75, расположенном в Цигломенском территориальном округе г. Архангельска"
- Распоряжение от 25 апреля 2014 г. № 1268р "О предоставлении разрешения на отклонение от предельных параметров разрешенного строительства индивидуального жилого дома на земельном участке с кадастровым номером 29:22:081604:169, расположенном в Исакогорском территориальном округе г. Архангельска, КИЗ "Собор"
- Распоряжение от 08 апреля 2014 г. № 1058р "Об отказе в предоставлении разрешения на отклонение от предельных параметров реконструкции объекта капитального строительства индивидуального жилого дома на земельном участке, расположенном в территориальном округе г. Архангельска по пр. Ленинградскому, 284"
- Распоряжение от 08 апреля 2014 г. № 1057р "Об отказе в предоставлении разрешения на отклонения от предельных параметров разрешенного строительства многоэтажного жилого дома на земельном участке, расположенном в Ломоносовском территориальном округе г. Архангельска по пр. Новгородскому"
- Распоряжение от 08 апреля 2014 г. № 1056р "О предоставлении разрешения на отклонения от предельных параметров разрешенного строительства многоэтажного жилого дома со встроенными помещениями общественного назначения на земельных участках, расположенных в Октябрьском территориальном округе г. Архангельска по ул. Логинова"
- Распоряжение от 26 марта 2014 г. № 805р "О предоставлении разрешения на отклонения от предельных параметров разрешенного строительства торгово-административного здания на земельных участках, расположенных в Ломоносовском территориальном округе г. Архангельска по ул. Урицкого"
- Распоряжение от 26 марта 2014 г. № 807р "Об отказе в предоставлении разрешения на отклонение от предельных параметров разрешенного строительства административного здания на земельных участках, расположенных в Соломбальском территориальном округе г. Архангельск по пр. Никольскому"
- Распоряжение от 26 марта 2014 г. № 800р "О предоставлении разрешения на отклонение от предельных параметров разрешенного строительства здания Синагоги на земельном участке, расположенном в Октябрьском территориальном округе г. Архангельска по ул. Гайдара"
- Распоряжение от 26 марта 2014 г. № 803р "О предоставлении разрешения на отклонения от предельных параметров разрешенного строительства здания оптовой базы со встроенными помещениями административного назначения на земельном участке, расположенном в Октябрьском территориальном округе г. Архангельска по проезду Сибиряковцев"
- Распоряжение от 26 марта 2014 г. № 814р "О предоставлении разрешения на условно разрешенный вид использования земельного участка, расположенного в Ломоносовском территориальном округе г. Архангельска по пр. Дзержинского"
- Распоряжение от 02 апреля 2014 г. № 892р "О предоставлении разрешения на отклонения от предельных параметров разрешенного строительства здания административно-общественного назначения на земельном участке, расположенном в Ломоносовском территориальном округе г. Архангельска по пр. Московскому"
- Распоряжение от 02 апреля 2014 г. № 890р "О предоставлении разрешения на отклонение от предельных параметров разрешенного строительства здания административно-торгового назначения на земельном участке, расположенном в Соломбальском территориальном округе г. Архангельска по пр. Никольскому"
- Распоряжение от 02 апреля 2014 г. № 891р "О предоставлении разрешения на отклонение от предельных параметров разрешенного строительства индивидуального житлого дома на земельном участке, расположенном в Соломбальском территориальном округе г. Архангельска по ул. Новоземельской, 34"
- Распоряжение от 26 марат 2014 г. № 804р "О предоставлении разрешений на отклонения от предельных параметров разрешенного строительства многоэтажного жилого дома со встроенно-пристроенными помещениями административно-торгового назначения на земельных участках, расположенных в Октябрьском террриториальном округе г.Архангельска на пересечении ул. Самойло и ул. Гагарина"
- Распоряжение от 26 марта 2014 г. № 816р "Об отказе в предоставлении разрешения на условно разрешенный вид использования земельного участка, расположенного в территориальном округе Варавино-Фактория г. Архангельска по пр. Ленинградскому, вдоль реки Северной Двины, в районе ул. Русанова"
- Распоряжение от 26 марта 2014 г. № 815р "О предоставлении распоряжения на условно разрешенный вид использования земельного участка, расположенного в Соломбальском территориальном округе г. Архангельска по ул. Смолокурова, и о предоставлении разрешения на отклонения от предельных параметров разрешенного строительства малоэтажного жилого дома"
- Распоряжение от 26 марта 2014 г. № 806р "О предоставлении разрешения на отклонение от предельных параметров разрешенного строительства многоквартирного жилого дома на земельном участке в Соломбальском территориальном округе г. Архангельска по ул. Мещерского"
- Распоряжение от 26 марта 2014 г. № 802р "О предоставлении разрешения на отклонение от предельных параметрова разрешенного строительства многоквартирного жилого дома со встроенными помещениями общественного назначения на земельном участке, расположенном в Октябрьском территориальном округе г. Архангельска по ул. Суворова"
- Распоряжение от 26 марта 2014 г. № 801р "О предоставлении разрешения на отклонение от предельных параметров разрешенного строительства на земельном участке, расположенном в Октябрьском территориальном округе г. Архангельска по ул. Свободы"
- Распоряжение от 17 марта 2014 г. № 676р "О предоставлении разрешения на отклонение от предельных параметров разрешенного строительства среднеэтажного жилого дома на земельном участке с кадастровым номером 29:16:064702:78"
- Распоряжение от 17 марта 2014 г. № 673р "О предоставлении разрешения на условно разрешенный вид использования земельного участка, расположенного в территориальном округе г. Архангельска по ул. Воронина, 18, корп. 1"
- Распоряжение от 17 марта 2014 г. № 672р "О предоставлении разрешения на условно разрешенный вид использования земельного участка, расположенного в Ломоносовском территориальном округе г. Архангельска по пр. Обводный канал, 10, корп. 2"
- Распоряжение от 17 марта 2014 г. № 674р "О предоставлении разрешения на отклонение от предельных параметров разрешенного строительства многоэтажного жилого дома с подземной автостоянкой на земельном участке, расположенном в Октябрьском территориальном округе г. Архангельска по ул. Вологодской
- Распоряжение от 17.03.2014 № 675р "О предоставлении разрешения на отклонения от предельных параметров разрешенного строительства административно-торгового здания, расположенного на земельном участке в Ломоносовском территориальном округе г. Архангельска по пр. Чумбарова-Лучинского"
- Распоряжение от 17.03.2014 г. № 671р "О предоставлении разрешения на условно-разрешенный вид использования земельного участка, расположенного в Ломоносовском территориальном округе г. Архангельска по ул. Павла Усова"
- Распоряжение от 12 марта 2014 г. № 621р "О предоставлении разрешения на отклонение от предельных параметров разрешенного строительства индивидуального жилого дома на земельном участке, расположенном в Северном территориальном округе г. Архангельска по ул. Песочной, 17"
- Распоряжение от 12 марта 2014 г. № 622р "О предоставлении разрешения на отклонение от прдельных параметров разрешенного строительства индивидуального жилого дома на земельном участке, расположенном в Маймаксанском территориальном округе г. Архангельска, в районе ул. Кольцевой
- Распоряжение от 12 марта 2014 г. № 623р "О предоставлении разрешения на отклонения от предельных параметров разрешенного строительства здания Синагоги на земельном участке, расположенном в Октябрьском территориальном округе г. Архангельска по ул. Гайдара"
- Распоряжение от 03 марта 2014 г. № 545р "Об отказе в предоставлении разрешения на отклонение от предельных параметров разрешенного строительства административно-торгового здания на земельном участке, расположенном в Ломоносовском территориальном округе г. Архангельска по ул. Розы Люксембург"
- Распоряжение от 03 марта 2014 г. № 546р "Об отказе в предоставлении разрешения на отклонения от предельных параметров разрешенного строительства многоэтажного жилого дома со встроенно-пристроенными помещениями общественного назначения на земельном участке, расположенном в территориальном округе Майская горка г. Архангельска по ул. Стрелковой"
- Распоряжение от 03 марта 2014 г. № 544р "О предоставлении разрешения на отклонение от предельных параметров разрешенного строительства индивидуального жилого дома на земельном участке, расположенном в Октябрьском территорильном округе г. Архангельска по Чёрной Курье, 1-й линии"
- Распоряжение от 26 февраля 2014г. № 482р "О предоставлении разрешения на отклонения от предельных параметров разрешенного строительства малоэтажного жилого дома на земельном участке, расположенном в Исакогорском территорильном округе г. Архангельскм по ул. Зеньковича"
- Распоряжение от 26 февраля 2014 г. № 478р "О предоставлении разрешения на отклонение от предельных параметров разрешенного строительства индивидуального жилого дома на земельном участке, расположенном в Октябрьском территориальном округе г. Архангельска по Чёрной Курье, 1-й линии"
- Распоряжение от 26 февраля 2014 г. № 479р "О предоставлении разрешения на отклонение от предельных параметров разрешенного строительства индивидуального жилого дома на земельном участке, расположенном в Октябрьском территориальном округе г. Архангельска по Чёрной Курье, 4-й линии"
- Распоряжение от 26 февраля 2014 г. №480р "О предоставлении разрешения на отклонение от предельных параметров разрешенного строительства индивидуального жилого дома на земельном участке, расположенном в Октябрьском территориальном округе г. Архангельска по Чёрной Курье, 4-й линии"
- Распоряжение от 26 февраля 2014 г. № 481р "О предоставлении разрешения на отклонения от предельных параметров разрешенного строительства здания многоуровневой автостоянки для хранения легковых автомобилей со встроенными помещениями административного назначения на земельном участке, расположенном в Ломоносовском территориальном округе г. Архангельска по ул. Вельской"
- Распоряжение от 26 февраля 2014 г. № 477р "О предоставлении разрешения на отклонение от предельных параметров разрешенного строительства здания административно-торгового назначения на земельном участке, расположенном в Ломоносовском территориальном округе г. Архангельска по ул. Тимме"
- Распоряжение от 26 февраля 2014 г. № 476р "О предоставлении разрешения на отклонения от предельных параметров разрешенного строительства многофункционального здания с помещениями общественного назначения, расположенного на земельных участках в Октябрьском территориальном округе г. Архангельска по пр. Троицкому - ул. Суворова"
- Распоряжение от 07 февраля 2014 г. № 327 р "О предоставлении разрешения на условно разрешенный вид использования земельного участка, расположенного в Октябрьском территориальном округе г. Архангельска по ул. Вологодской и о предоставлении разрешения на отклонение от предельных параметров разрешенного строительства многоэтажного жилого дома с подземной автостоянкой"
- Распоряжение от 07 февраля 2014 г. № 328р "О предоставлении разрешения на отклонения от предельных параметров разрешенного строительства жилого комплекса со встроенно-пристроенными помещениями административно-офисного назначения и автостоянкой на земельных участках, расположенных в Ломоносовском территориальном округе г. Архангельска по наб. Северной Двины"
- Распоряжение от 31 января 2014 г. № 265р "О предоставлении разрешений на отклонения от предельных параметров разрешенного строительства группы многоэтажных жилых домов со встроенно-пристроенными помещениями общественного назначения (3 очередь строительства) на земельных участках, расположенных в территориальном округе Майская горка г. Архангельска по ул. Карпогорской"
- Распоряжение от 31 января 2014 г. № 263р "О предоставлении разрешения на условно разрешенный вид использования земельного участка, расположенного в Октябрьском территориальном округе г. Архангельска по ул. Гайдара"
- Распоряжение от 31 января 2014 г. № 266р "О предоставлении разрешения на отклонение от предельных параметров разрешенного строительства жилого дома со встроенно-пристроенными помещениями административно-офисного назначения и автостоянкой на земельных участках, расположенных в Ломоносовском территориальном округе г. Архангельска по наб Северной Двины"
- Распоряжение от 31 января 2014 года № 262р "Об отказе в предоставлении разрешения на отклонения от предельных параметров разрешенного строительства административного здания со встроенными помещениями производственного и торгового назначения на земельном участке, расположенном в Октябрьском территориальном округе г. Архангельска по ул. Гагарина"
- Распоряжение от 31 января 2014 года № 264р "О предоставлении разрешения на условно разрешенный вид использования земельного участка, расположенного в территориальном округе Варавино-Фактория"
- Распоряжение от 27 января 2014 г. № 165р "О предоставлении разрешения на отклонение от предельных параметров разрешенного строительства объекта здравоохранения, физической культуры и спорта на земельном участке, расположенном в Ломоносовском территориальном округе г. Архангельска по пр. Ломоносова"
- Распоряжение от 27 января 2014 г. № 162р "Об отказе в предоставлении разрешения на условно разрешенный вид использования земельного участка, расположенного в Соломбальском территориальном округе г. Архангельска по ул. Краснофлотской"
- Распоряжение от 27 января 2014 г. № 161р "О предоставлении разрешения на условно разрешенный вид использования земельных участков, расположенных в Соломбальском территориальном округе г. Архангельска по ул. Краснофлотской"
- Распоряжение от 27 января 2014 г. № 166р "О предоставлении разрешения на условно разрешенный вид использования земельного участка, расположенного в территориальном округе Майская горка г. Архангельска по ул. Лермонтова"
- Распоряжение от 27 января 2014 г. № 163р "Об отказе в предоставлении разрешения на условно разрешенный вид использования земельного участка и объекта капитального строительства, расположенных в территориальном округе Майская горка по ул. Лермонтова, 23, строение 20"
- Распоряжение от 27 января 2014 г. № 164р "О предоставлении разрешения на отклонение от предельных параметров разрешенного строительства многоквартирного жилого дома со встроенными помещениями общественного назначения на земельном участке, расположенном в Октябрьском территориальном округе г. Архангельска по ул. Суворова"
- Распоряжение от 21 января 2014 г. №108р "Об отказе в предоставлении разрешения на отклонение от предельных параметров разрешенного строительства многоэтажного жилого дома на земельном участке, расположенном в Ломоносовском территориальном округе г. Архангельска по ул. Коммунальной, 6, строение 8"
- Распоряжение от 21 января 2014 г. № 107р "О предоставлении разрешения на отклонение от предельных параметров разрешенного строительства индивидуального жилого дома на земельном участке, расположенном в Октябрьском территориальном округе г. Архангельска по Чёрной Курье, 2-й линии"
- Распоряжение от 21 января 2014 г. № 106р "О предоставлении разрешения на отклонение от предельных параметров разрешенного строительства индивидуального жилого дома на земельном участке, расположенном в территориальном округе Майская горка г. Архангельска по ул. Дружбы"
- Распоряжение от 21 января 2014 г. № 105р "О предоставлении разрешения на условно разрешенный вид использования земельного участка, расположенного в Ломоносовском территориальном округе г. Архангельска по ул. Володарского"
- Распоряжение от 21 января 2014 года № 109р "Об отказе в предоставлении разрешения на отклонение от предельных параметров разрешенного строительства здания многоуровневой крытой автостоянки для хранения легкового транспорта на земельном участке, расположенном в Ломоносовском территориальном округе г. Архангельска по ул. Смольный буян"
- Распоряжение от 25 декабря 2013 г. № 4262р "О предоставлении разрешения на отклонение от предельных параментов разрешенного строительства жилого дома со встроенно-пристроенными помещениями административно-офисного назначения и автостоянкой на земельных участках, расположенных в Ломоносовском территориальном округе г. Архангельска по наб. Северной Двины"
- Распоряжение от 19 декабря 2013 г. № 4185р "О разрешении на отклонение от предельных параметров разрешенного строительствасреднеэтажного жилого дома на земельном участке, расположенном в Соломбальском территориальном округе г. Архангельска по Банному переулку 1-му"
- Распоряжение от 19 декабря 2013 г. № 4184р "О предоставлении разрешения на условно разрешенный вид использования земельных участков, расположенных в Октябрьском территориальном округе г. Архангельска по Окружному шоссе"
- Распоряжение от 19 декабря 2013 г. № 4186р "Об отказе в предоставлении разрешения на условно разрешенный вид использования земельного участка, расположенного в Октябрьском территориальном округе г. Архангельска по ул. Садовой"
- Распоряжение от 16 декабря 2013 г. № 4107р "Об отказе в предоставлении разрешения на отклонение от предельных параметров разрешенного строительства здания кафе с магазином кулинарией на земельном участке в Соломбальском территориальном округе г. Архангельска по пр. Никольскому"
- Распоряжение мэра города от 16 декабря 2013 г. № 4108р "Об отказе в предоставлении разрешения на условно разрешенный вид использования земельного участка, расположенного в территориальном округе Варавино-Фактория г. Архангельска по ул. Никитова"
- Распоряжение от 16 декабря 2013 г. № 4106р "О предоставлении разрешения на отклонение от предельных параметров разрешенного строительства индивидуального жилого дома на земельном участке, расположенном в Октябрьском территориальном округе г. Архангельска по Чёрной Курье, 4-й линии"
- Распоряжение от 06 декабря 2013 года № 4004р "О предоставлении разрешения на условно разрешенный вид использования земельного участка, расположенного в Ломоносовском территориальном округе г. Архангельска по ул. Карла Либкнехта"
- Распоряжение от 02 декабаря 2013 г. № 3900р "О предоставлении разрешения на условно разрешенный вид использования земельного участка с кадастровым номером 29:16:064702:78
- Распоряжение от 03 декабря 2013 г. № 3930р "О предоставлении разрешения на отклонение от предельных параметров разрешенного строительства многоквартирного жилого дома на земельном участке, расположенном в Соломбальском территориальном округе г. Архангельска по ул. Маяковского"
- Распоряжение от 03 декабря 2013 г. № 3931р "Об отказе в предоставлении разрешения на условно разрешенный вид использования земельного участка, расположенного в Ломоносовском территориальном округе г. Архангельска по пр. Дзержинского"
- Распоряжение от 03 декабря 2013 г. № 3929р "О предоставлении разрешения на условно разрешенный вид использования земельного участка, расположенного в Ломоносовском территориальном округе г. Архангельска по пр. Ломоносова"
- Распоряжение от 28 октября 2013 г. № 3381р "Об отказе в предоставлении разрешения на условно разрешенный вид использования земельного участка, расположенного в территориальном округе Майская горка г. Архангельска по ул. Карпогорской"
- Распоряжение от 21 октября 2013 г. № 3287р "О предоставлении разрешения на отклонение от предельных параметров разрешенного строительства многоэтажного жилого дома на земельном участке, расположенном в Ломоносовском территориальном округе г. Архангельска на пересечении ул. Снверодвинской и пр. Ломоносова"
- Распоряжение от 21 октября 2013 г. № 3126р "О предоставлении разрешения на отклонение от предельных параметров разрешенного строительства многоэтажного жилого дома на земельном участке, расположенном в Ломоносовском территориальном округе г. Архангельска на пересечении ул. Северодвинской и пр. Ломоносова"
- Распоряжение от 15 октября 2013 г. № 3126р "О предоставлении разрешения на отклонение от предельных параметров разрешенного строительства малоэтажного жилого дома на земельном участке, расположенном в Соломбальском территориальном округе г. Архангельска по ул. Адмиралтейской, 3"
- Распоряжение от 15 октября 2013 г. № 3125р "О предоставлении разрешения на отклонение от предельных параметоров разрешенного строительства многоквартирного жилого дома со встроенными помещениями общественного назначения на земельном участке, расположенном в Октябрьском территориальном округе г. Архангельска по ул. Суворова"
- Распоряжение от 15 октября 2013 г. № 3129р Об отказе в предоставлении разрешения на условно разрешенный вид использования земельного участка и объекта капитального строительства, расположенных в территориальном округе Варавино-Фактория г. Архангельска по ул. Революции, 16"
- Распоряжение от 15 октября 2013 г. № 3128р "О предоставлении разрешения на отклонение от предельных параметров разрешенного строительства здания административно-торгового назначения на земельном участке в Ломоносовском территориальном округе г. Архангельска по ул. Тимме"
- Распоряжение от 15 октября 2013 г. № 3127р "О предоставлении разрешения на отклонение от предельных параметров разрешенного строительства здания автомагазина с открытой автостоянкой на земельном участке в Ломоносовском территориальном округе г. Архангельска по пр. Московскому"
- Распоряжение от 15 октября 2013г. № 3124р "О предоставлении разрешения на отклонение от предельных параметров разрешенного строительства индивидуального жилого дома на земельном участке, расположенном в территориальном округе Майская горка г. Архангельска по ул. Ленина"
- Распоряжение от 20 сентября 2013 г. № 2763р "О предоставлении разрешения на условно разрешенный вид использования земельного участка, расположенного в Ломоносовском территориальном округе г. Архангельска по ул. Смольный Буян, 24"
- Распоряжение от 20 сентября 2013 г. № 2764р "О предоставлении разрешения на отклонение от предельных параметров разрешенного строительства автоматизированной газовой котельной мощностью 7,5 МВт с сетями инженерно-технического обеспечения на земельном участке, расположенном в территориальном округе Варавино-Фактория г. Архангельска по ул. Силикатчиков"
- Распоряжение от 20 сентября 2013 г № 2751р "О предоставлении разрешения на отклонение от предельных параметров разрешенного строительства многоэтажного жилого дома со встроенно-пристроенными помещениями общественного назначения на земельном участке, расположенном в Соломбальском территориальном окурге г. Архангельска на пересечении ул. Советской и ул. Адмиралтейской"
- Распоряжение от 20 сентября 2013 г № 2750р "О предоставлении разрешения на отклонение от предельных параметров разрешенного строительства многоуровневой крытой автостоянки для хранения легкового автотранспорта на земельном участке, расположенном в Ломоносовском территориальном округе г. Архангельска по ул. Смольный Буян"
- Распоряжения мэра города Архангельска
- Распоряжение от 12 сентября 2013 г. № 2640р "О предоставлении разрешения на отклонение от предельных параметров разрешенного строительства многоэтажного жилого дома со встроенными помещениями общественного назначения на земельных участках, распололоженных в Октябрьском территориальном округе г. Архангельска по ул. Логинова"
- Распоряжение от 09 сентября 2013 г. № 2584р "Об отказе в предоставлении разрешения на условно разрешенный вид использования земельного участка, расположенного в территориальном округе Майская горка г. Архангельска по ул. Энтузиастов, 34"
- Распоряжение от 09 сентября 2013 г. № 2583р "Об отказе в предоставлении разрешения на отклонение от предельных параметров разрешенного строительства административного здания на земельном участке, расположенном в Октябрьском территориальном округе г. Архангельска по пр. Советских космонавтов"
- Распоряжение от 09 сентября 2013 г. № 2582р "О предоставлении разрешения на отклонение от предельных параметров разрешенного строительства индивидуального жилого дома на земельном участке, расположенном в Октябрьском территориальном округе г. Архангельска, уч. Черная Курья"
- Распоряжение от 09 сентября 2013 г. № 2581р "О предоставлении разрешения на отклонение от предельных параметров разрешенного строительтсва многоэтажного жилого дома на земельном участке, расположенном в Ломоносовском территориальном округе г. Архангельска по пр. Обводный канал"
- Распоряжение от 09 сентября 2013 г. № 2580р "О предоставлении разрешения на отклонение от предельных параметров разрешенного строительства административного здания на земельном участке, расположенном в Северном территориальном округе г. Архангельска по ул. Партизанской"
- Распоряжение от 09 сентября 2013 г. № 2579р "О предоставлении разрешения на отклонение от предельных параметров разрешенного строительства индивидуального жилого дома на земельном участке, расположенном в Северном территориальном округе г. Архангельска по ул. Тихой, 10"
- Распоряжение от 29 августа 2013 г. № 2466р "О предоставлении разрешения на отклонения от предельных параметров разрешенного строительства здания торгово-административного назначения с помещениями бытового обслуживания на земельном участке, расположенном в Соломбальском территориальном округе г. Архангельска по ул. Маяковского"
- Распоряжение от 29 августа 2013г. № 2465р "О предоставлении разрешения на отклонение от предельных параметров разрешенного строительства индивидуального жилого дома на земельном участке, расположенном в Октябрьском территориальном округе г. Архангельска, уч. Черная Курья"
- Распоряжение от 29 августа 2013 г. № 2464р "О предоставлении разрешения на отклонение от предельных параметров разрешенного строительства здания магазина на земельном участке, расположенном в Исакогорском территориальном округе г. Архангельска по ул. Дежневцев"
- Распоряжение от 26 августа 2013 г. № 2421р "Об отказе в предоставлении разрешения на условно разрешенный вид использования земельного участка в территориальном округе Майская горка г. Архангельска по пр. Ленинградскому"
- Распоряжение от 26 августа 2013 г. № 2420р "Об откзе в предоставлении разрешения на условно разрешенный вид использования земельного участка, расположенного в территориальном окурге Варавино-Фактория г. Архангельска по ул. Никитова"
- Распоряжение от 22 августа 2013 г. № 2390р "О предоставлении разрешения на отклонение от предельных параметроы разрешенного строительства пристройки (банка) к многоквартирному жилому дому по ул. Воскресенской, 99 в Октябрьском территориальном округе г. Архангельска"
- Распоряжение от 12 августа 2013 г. № 2282р "О предоставлении разрешения на отклонение от предельных параметров разрешенного строительства многоэтажного жилого дома со встроенными помещениями административного назначения (II очередь строительства) на земельных участках, расположенных в Ломоносовском территорриальном округе г. Архангельска по ул. Воскреснской (между пр. Ломоносова и пр. Новгородским)
- Распоряжение от 12 августа 2013 г. № 2281р "О предоставлении разрешения на отклонение от предельных параметров разрешенного строительства группы многоэтажных жилых домов со встроенно-пристроенными помещениями общественного назначения и автостоянкой (II очередь строительства) на земельных участках, расположенных в Октябрьском территориальном окурге г. Архангельска на пересечении ул. Воскресенской и пр. Обводный канал"
- Распоряжение от 12 августа 2013 г. № 2280р "О предоставлении разрешения на отклонение от предельных параметров разрешенного строительтсва торгового центра на земельном участке в Ломоносовском территориальном округе г. Архангельска по ул. Октябрят"
- Распоряжение от 12 августа 2013 г. № 2279р "Об отказе в предоставлении разрешения на отклонения от предельных параметров иразрешенного строительства административно-торгового здания на земельном участке в Ломоносовском территориальном округе г. Архангельска по ул. Розы Люксембург"
- Распоряжение от 12 августа 2013 г. № 2278р "О предоставлении разрешения на условно разрешенный вид использования земельного участка, расположенного в Октябрьском территориальном округе г. Архангельска по ул. Никольской, 8"
- Распоряжение от 12 августа 2013 г. № 2277р "О предоставлении разрешения на условно разрешенный вид использования земельного участка, расположенного в Исакогорском территориальном округе по ул. Доковской, 11"
- Распоряжение от 06 августа 2013 г. № 2200р "О предоставлении разрешения на отклонение от предельных параметров разрешенного строительства многоэтажного жилого дома с помещениями общественного назначения на земельном участке, расположенном в территориальном округе Варавино-Фактория г. Архангельска по ул. Воронина"
- Распоряжение от 05 августа 2013 г. № 2184р "О предоставлении разрешения на условно разрешенный вид использования земельного участка, расположенного в территориальном округе Майская горка г. Архангельска по ул. Сплавной"
- Распоряжение от 05. августа 2013 г. № 2187р "О предоставлении разрешения на отклонение от предельных параметров разрешенного строительства многоэтажного жилого дома со встроенно-пристроенными помещениями общественного назначения (II очередь строительства) на земельном участке, расположенном в Октябрьском территориальном округе г. Архангельска по ул. Воскресенской"
- Распоряжение от 05 августа 2013 г. № 2186р "О предоставлении разрешения на отклонение от предельных параметров разрешенного строительства авторемонтных боксов на земельном участке, расположенном в Октябрьском территориальном округе г. Архангельска по ул. Нагорной"
- Распоряжение от 05 августа 2013 г. №2185р "О предоставлении разрешения на условно разрешенный вид использования земельного участка, расположенного в Исакогорском территориальном округе г. Архангельска по ул. Зеньковича"
- Распоряжение от 30 июля 2013 г. № 2120р "О предоставлении разрешения на отклонение от предельных параметров разрешенного строительства центра технического обслуживания легкового автотранспорта с автомойкой в Ломоносовском территориальном окурге г. Архангельска по ул. Павла Усова"
- Распоряжение от 30 июля 2013 г. № 2120р "О предоставлении разрешения на отклонение от предельных параметров разрешенного строительства центра технического обслуживания легкового автотранспорта с автомойкой в Ломоносовском территориальном окурге г. Архангельска по ул. Павла Усова"
- Распоряжение от 30 июля 2013 г. № 2119р "О предоставлении разрешения на условно разрешенный вид использования земельного участка, расположенного в Маймаксанском территориальном округе г. Архангельска по ул. Кузьмина, 10, корп. 1"
- Распоряжение от 16 июля 2013 г. № 1958 р "Об отказе в предоставлении разрешения на условно разрешенный вид использования земельного участка, расположенного в территориальном округе Майская горка г. Архангельска по ул. Рабочей"
- Распоряжение от 16 июля 2013 г. № 1954р "О предоставлении разрешений: на условно разрешенный вид использования земельных участков, расположенных в Октябрьском территориальном округе г. Архангельска на пересечении ул. Воскресенской и пр. Обводный канал, и на отклонение от предельных параметров разрешенного строительства группы многоэтажных жилых домов со встроенно-пристроенными помещениями общественного назначения и автостоянкой (II очередь строительства)"
- Распоряжение от 16 июля 2013 г. № 1953р "О предоставлении разрешения на отклонение от предельных параметров разрешенного строитльства общественного здангия торгово-развлекательного назначения на земельном участке, расположенном в Ломоносовском территориальном округе г. Архангельска по ул. 23-й Гваржейской дивизии (между ул. Тимме и ул. Шабалина)
- Распоряжение от 16 июля 2013 г. № 1952р "О предоставлении разрешения на отклонение от предельных параметров разрешенного строительства многоэтажного жилого дома со встроенно=пристроенными помещениями общественного назначения на земельном участке, расположенном в Соломбальском территориальном округе г. Архангельска на пересечении ул. Советской и ул. Адмиральтейской"
- Распоряжение от 16 июля 2013 № 1951р "О предоставлении разрешения на отклонение от предельных параметров разрешенного строительства многоэтажного дома со встроенными помещениями общественного назначения в цокольном и первом этажах на земельном участке в территориальном округе Майская горка г. Архангельска по пр. Московскому"
- Распоряжение от 28 июня 2013 г. № 1705р "О предоставлении разрешения на отклонение от предельных параметров разрешенного строительства здания автомагазина с открытой автостоянкой на земельном участке в Ломоносовском территориальном округе г. Архангельска по пр. Московскому"
- Распоряжение от 28 июня 2013 г. № 1706р "О предоставлении разрешения на отклонение от предельных параметров разрешенного строительства общественно-делового центра (торгово-административного назначения с автостоянкой) на земельных участках в Октябрьском территориальном округе г. Архангельска по ул. Гагарина"
- Распоряжение от 28 июня 2013 г. № 1707р "О предоставлении разрешения на условно разрешенный вид использования земельного участка и объекта капитального строительства, расположенных в Октябрьском территориальном округе г. Архангельска по Талажскому шоссе, 5"
- Распоряжение от 28 июня 2013 г. № 1703р "Об отказе в предоставлении разрешения на отклонение от предельных параметров разрешенного строительства здания административно-торгового назначения на земельном участке в Ломоносовском территориальном округе г. Архангельска по ул. Тимме"
- Распоряжение от 28 июня 2013 г. № 1704р "О предоставлении разрешения на отклонение от предельных параметров разрешенного строительства торгово-развлекательного комплекса на земельном участке в территориальном округе Майская горка г. Архангельска по пр. Московскому"
- Распоряжение от 07 июня 2013 г. № 1500р "Об отказе в предоставлении разрешения на отклонение от предельных параметров разрешенного строительства торгового центра на земельном участке в Ломоносовском территориальном округе г. Архангельска по ул. Октябрят"
- Распоряжение от 05.06.2013 № 1444р "О предоставлении разрешения на отклонение от предельных параметров разрешенного строительства многоэтажного жилого дома со встроенно-пристроенными помещениями общественного назначения (II очередь строительства) на земельном участке, расположенном в Октябрьском территориальном округе г. Архангельска по ул. Воскресенской"
- Распоряжение от 05.06.2013 № 1446р "О предоставлении разрешения на условно разрешенный вид использования земельного участка, расположенного в Соломбальском территориальном округе г. Архангельска по набережной Георгия Седова, 7"
- Распоряжение от 05.06.2013 № 1445р "О предоставлении разрешения на отклонение от предельных параметров разрешенного строительства здания магазина промышленных товаров на земельном участке в Соломбальском территориальном округе"
- Распоряжение от 23.05.2013 № 1320 р "Опредоставлении разрешения на отклонение от предельных параметров разрешенного строительства жилого дома средней этажности на земельном участке, расположенном в Соломбальском территориальном округе г. Архангельска по пр. Никольскому"
- Распоряжение от 23 мая 2013 г. № 1319р "О предоставлении разрешения на отклонение от предельных параметров разрешенного строительтсва среднеэтажного жилого дома с помещениями общественного назначения на земельном участке, расположенном в Октябрьском территориальном окурге г. Архангельска по ул. Вологодской"
- Распоряжение от 23 мая 2013 г. № 1322р "Об отказе в предоставлении разрешения на отклонение от предельных параметров разрешенного строительства общественного здания торгово-развлекательного назначения на земельном участке"
- Распоряжение от 23 мая 2013 г. № 1321р "О предоставлении разрешения на отклонение от предельных параметров разрешенного строительства торгово-развлекательного комплекса со встроенными офисными помещениями и помещениями общественного питания на земельных участках в Ломоносовском территориальном округе г. Архангельска в квартале, ограниченном ул. Воскресенской – пр. Обводный канал – ул. Поморской – пр. Советских космонавтов"
- Распоряжение от 22 мая 2013 г. № 1297р "О предоставлении разрешения на отклонение от предельных параметров разрешенного строительства многоэтажного жилого дома со встроенными помещениями административного назначения (II очередь строительства) на земельных участках, расположенных в Ломоносовском территориальном округе г. Архангельска по ул. Володарского (между пр. Ломоносова и пр. Новгородским)"
- Распоряжение от 22 мая 2013 г. № 1296р "Об отказе в предоставлении разрешения на отклонение от предельных параметров разрешенного строительства, реконструкции объекта капитального строительства на земельном участке в Ломоносовском территориальном округе г. Архангельска по пр. Ломоносова, 119"
- Распоряжение от 29 апреля 2013 г. № 1105р "Об отказе в предоставлении разрешения на условно разрешенный вид использования земельного участка, расположенного в территориальном округе Майская горка г. Архангельска по ул. Лермонтова"
- Распоряжение от 29 апреля 2013 № 1104р "Об отказе в предоставлении разрешения на условно разрешенный вид использования земельного участка, расположенного в Ломоносовском территориальном округе г. Архангельска по пр. Ленинградскому"















































