На данном сайте содержится информация о деятельности Администрации городского округа «Город Архангельск» по состоянию на 31.12.2025.
Актуальная информация размещается https://arhcity.gosuslugi.ru/
Актуальная информация размещается https://arhcity.gosuslugi.ru/
Комплексное развитие территорий 2024-2025 годы
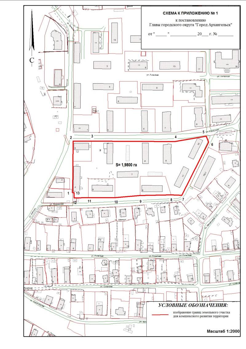
Комплексное развитие территории жилой застройки городского округа "Город Архангельск" в границах части элемента планировочной структуры: ул. Кемская, ул. Корпусная, ул. Фрезерная
Распоряжение Главы городского округа "Город Архангельск" от 15 мая 2025 года № 2280р "О признании утратившим силу распоряжения Главы городского округа "Город Архангельск" от 24 января 2024 года № 281р"
___________________________________________________________________
ПРОЕКТ ПОСТАНОВЛЕНИЯ Главы городского округа "Город Архангельск" " О принятии решения о комплексном развитии территории жилой застройки городского округа "Город Архангельск" в границах части элемента планировочной структуры: ул. Кемская, ул. Корпусная, ул. Фрезерная"
ПРИЛОЖЕНИЕ № 1 к проекту постановления
СХЕМА к приложению № 1 проекта постановления
ПРИЛОЖЕНИЕ № 2 к проекту постановления
ПРИЛОЖЕНИЕ № 3 к проекту постановления
ПРИЛОЖЕНИЕ № 4 к проекту постановления
Скоро что то будет...
Оцените полезность информации:
Дата публикации документа: 15.10.2024 16:01:48
Последнее изменение: 16.05.2025 14:13:45
Последнее изменение: 16.05.2025 14:13:45














































